TruthArchive.ai - Tweets Saved By @ncdave4life

Saved - August 26, 2025 at 12:29 PM

@aaronshem - aaronshem

ie, we only need to reduce our emissions by 48% to achieve net zero and weโ€™ll need to increase emissions to sustain current concentrations thereafter.

@ncdave4life - โœ๏ธ ๐Ÿ‡บ๐Ÿ‡ธ ๐Ÿ‡บ๐Ÿ‡ฆ Dave Burton

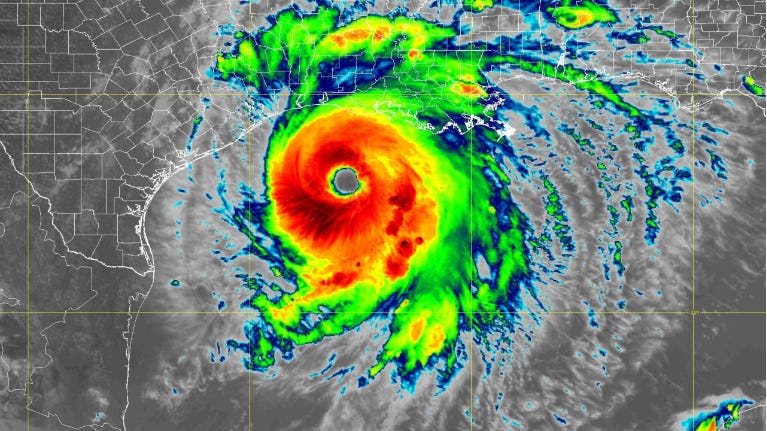
Homeopathic medicine = the principles the IPCC's TCRE & RCB (homeopathic climatology) applied to medicine. TCRE & RCB are based on "CO2 memory." They hold that CO2's warming effect continues undimished even after its removal from the air. Homeopathic medicine is based on "water memory." It holds that the mere memory of a substance formerly dissolved in water causes the water to still have therapeutic effect, even after it's been diluted so much that there's not a single molecule of the therapeutic agent remaining in the water. Unfortunately, both branches of homeopathy are highly influential. King Charles has appointed a homeopath as head of the Royal Medical Household, and homeopathic climatology is the basis for the "net zero" campaign. The atmospheric CO2 level is currently rising because mankind is currently adding CO2 faster than nature is removing it. Mankind is adding CO2 to the atmosphere: currently 5.2 ยฑ0.8 ppmv/year (mostly from fossil fuels). Nature is removing CO2 from the atmosphere: currently 2.7ยฑ0.9 ppmv/year (and that rate increases sharply as the CO2 level rises). Since 2.7 > 5.2, the amount of CO2 in the air is currently rising, at a measured rate of 2.5 ยฑ0.1 ppmv/year. https://sealevel.info/co2.html Note the large and growing scale of natural CO2 removal processes! But the IPCC's TCRE & RCB, and the "net zero" campaign, assume that that doesn't matter. They claim that what matters is the total amount of CO2 which humans have ever produced, rather than the (much smaller) amount which remains in the air. If our CO2 emissions were merely reduced to less than the natural CO2 removal rate (not to zero!), the CO2 level in the atmosphere would be falling, rather than rising. So the (modest, benign) effect of elevated CO2 on temperatures would be decreasing. Yet the climate industry and IPCC insist that CO2 will continue to cause temperatures to rise until our emissions are reduced to zero. Homeopathy is not just the air guitar of medicine, it is also the air guitar of climatology. https://sealevel.info/AR6_WG1_TS3.2.1_TCRE_definition2.png

CO2 since 1800 sealevel.info

@jonathanstea - Dr. Jonathan N. Stea

Homeopathy is the air guitar of medicine.

Video Transcript AI Summary
There's some unequivocal pseudoscientific disciplines that are regulated. For example, the practice of homeopathy is regulated in Ontario, where I am, so it's a legally protected title. The speaker says, "To me, that blows my mind because I don't know what's worse. A grifter with no license and no accountability or a grifter with a license and feigned accountability." The moment is framed as a contrast between licensure and feigned accountability. The segment ends with, "Yeah. That's funny. Wow." These observations highlight the tension between regulation and skepticism toward pseudosciences. The speaker's comparison of license with accountability versus lack of accountability conveys a critical stance without endorsing any conclusion.
Full Transcript
Speaker 0: There's some unequivocal pseudoscientific disciplines that are regulated. So for example, the practice of homeopathy is regulated in Ontario, where I am. So it's a legally protected title. To me, that blows my mind because I don't know what's worse. A grifter with no license and no accountability or a grifter with a license and feigned accountability. Yeah. That's funny. Wow.
Saved - August 8, 2025 at 2:05 PM
reSee.it AI Summary
The FDA is hindering Americans from accessing effective sunscreens, with no new ingredient approved since 1999. This outdated regulation contrasts sharply with international products that offer advanced protection against skin damage and cancer. The lengthy approval process, rooted in a 1938 law, creates a disparity where only the wealthy can afford superior options abroad. The ongoing delays mean more preventable cancer cases, and the true impact of these bureaucratic barriers remains unknown. The system prioritizes procedure over public health, leaving many vulnerable.

@sfliberty - Students For Liberty

The FDA is literally preventing Americans from protecting themselves from cancer. While people in the US burn with decades-old sunscreen formulas, Europeans and Australians enjoy superior protection that the American government won't let its citizens buy. The bureaucracy is so broken that one company has spent 20 years and $18 million trying to get FDA approval for a single sunscreen ingredient. ๐Ÿงต

@sfliberty - Students For Liberty

The FDA hasn't approved a new sunscreen ingredient since 1999. Let that sink in. Your smartphone has been updated thousands of times since then, but your cancer protection is stuck in the Clinton administration. Meanwhile, dermatologists routinely recommend sunscreens from Australia, Europe, and Asia that Americans can't legally access.

@sfliberty - Students For Liberty

International sunscreens contain newer UVA filters like bemotrizinol that offer stronger, broader protection. US sunscreens focus mainly on preventing sunburn but provide weaker coverage against the deeper skin damage that causes cancer and aging. Europeans got bemotrizinol in 2000. Australians in 2004. Even Canadians got it in 2023.

@sfliberty - Students For Liberty

Why the delay? Because a 1938 law classifies sunscreen as an over-the-counter drug requiring lengthy clinical trials, while most countries treat it as a cosmetic product. Think about this: you can walk into any store and buy ibuprofen, which can cause stomach ulcers, kidney damage, and heart problems. But sunscreen gets stuck in an 86-year-old regulatory framework that nobody bothered to update.

@sfliberty - Students For Liberty

The absurdity gets worse. Americans literally stock up on superior sunscreens when traveling abroad because they know the difference. But not everyone can afford international travel to protect their family from cancer. The FDA is creating a two-tiered system: good protection for the wealthy, inferior protection for everyone else.

@sfliberty - Students For Liberty

This is "drug lag" in action, the additional time FDA requirements force consumers to wait before accessing better products. As @dr4libertyย noticed in his article published by CATO Institute (https://www.cato.org/blog/bureaucratic-sunburn-what-fda-wont-let-you-prevent): "Drug lag is cruelest to terminally ill patients, to whom it denies the right to try to save their lives by using drugs that have already been proven safe but are awaiting efficacy approval. Many seriously ill Americans die waiting for the FDA to approve drugs that regulators in other countries have already approved." People are literally dying waiting for treatments available elsewhere.

@sfliberty - Students For Liberty

Even if bemotrizinol gets approved tomorrow, there are several other proven sun filters Americans still can't access: Tinosorb M, Mexoryl SX, Mexoryl XL, and Uvinal A Plus. Each one requires the same bureaucratic marathon. Each delay means more cancer cases that could have been prevented.

@sfliberty - Students For Liberty

The real tragedy? We'll never know how many people got skin cancer because they couldn't access better sunscreen. The FDA can point to their "rigorous safety standards." But they can't point to the families who never had to deal with preventable cancer diagnoses. Bureaucrats measure their success by procedures followed, not lives improved.

@sfliberty - Students For Liberty

How many cases of skin cancer could have been prevented if Americans had access to the world's best sunscreens? We'll never knowโ€”but the delay is indefensible. Want to learn how to spot these kinds of government failures before they become obvious? Check out our free 5-day course: How to Not Be An NPCโ€”Think Like Thomas Sowell ๐Ÿ‘‰ https://go.studentsforliberty.org/npc-sowell/

How to Not Be An NPC A Free 5-Day Email Course That Will Change How You See Politics, Economics, and Culture. go.studentsforliberty.org
Saved - August 5, 2025 at 2:51 PM
reSee.it AI Summary
I believe there's little difference between Democrats and Trump when it comes to taxes and spending. Trump's massive federal deficit is alarming, and tariff revenue barely makes a dent. I see Trump as more like a Democrat, sharing traits with figures like Bill Clinton, but lacking his decorum. Both Trump and Biden exhibit cognitive decline and frequently lie, which is troubling. I miss principled conservative leadership and am frustrated by the GOP's abandonment of its values. While I recognize the flaws in both parties, I expect better from Republicans.

@ncdave4life - โœ๏ธ ๐Ÿ‡บ๐Ÿ‡ธ ๐Ÿ‡บ๐Ÿ‡ฆ Dave Burton

1/10ใ€‹ That's the point, Brian! When it comes to taxes & spending, there's not a dime's worth of difference between Democrats and Trump. That's why @elonmusk lost patience with @realDonaldTrump. Tariffs are taxes, and 9ร— is a BIG tax increase. But it hardly scratches the deficit. Do you have any idea how enormous Trump's $2 trillion/yr federal deficit is? https://www.usgovernmentspending.com/federal_deficit_chart https://www.usdebtclock.org/ For each family of four, the federal government is adding $23,500/year to the national debt. AND IT IS GETTING WORSE. Tariff revenue could at best cover about 5% of the federal budget, and that's optimistically ignoring the cost of the probable consequent recession (or worse).

US Deficit for FY2024: $1.83 trillion. The federal deficit for FY2025 will be $1.78 trillion. It is the amount by which federal outlays in the federal budget exceed federal receipts. Source: OMB Historical Tables. usgovernmentspending.com
U.S. National Debt Clock : Real Time US National Debt Clock : Real Time U.S. National Debt Clock : DOGE Clock usdebtclock.org

@ncdave4life - โœ๏ธ ๐Ÿ‡บ๐Ÿ‡ธ ๐Ÿ‡บ๐Ÿ‡ฆ Dave Burton

@SilversBFF @atensnut We're talking about tariffs, not the OBBB. Tariffs are taxes, and 9ร— is a HUGE tax increase. As for "paying down the debt," do you have any idea how enormous the $2 trillion federal deficit is? https://www.usgovernmentspending.com/federal_deficit_chart https://www.usdebtclock.org/ For each family of four, the federal

US Deficit for FY2024: $1.83 trillion. The federal deficit for FY2025 will be $1.78 trillion. It is the amount by which federal outlays in the federal budget exceed federal receipts. Source: OMB Historical Tables. usgovernmentspending.com
U.S. National Debt Clock : Real Time US National Debt Clock : Real Time U.S. National Debt Clock : DOGE Clock usdebtclock.org

@ncdave4life - โœ๏ธ ๐Ÿ‡บ๐Ÿ‡ธ ๐Ÿ‡บ๐Ÿ‡ฆ Dave Burton

@BGlass202128769 @NeonDunes1 @atensnut Dream on! The federal budget is >$7 trillion, and the deficit is about $2 trillion. Over the first 7 months of this year tariff revenue totaled just $152 billion, despite all-time record monthly receipts in July of $29 billion. $29B ร— 12 = $348B = less than 5% of the budget.

@ncdave4life - โœ๏ธ ๐Ÿ‡บ๐Ÿ‡ธ ๐Ÿ‡บ๐Ÿ‡ฆ Dave Burton

@antisafespaces @atensnut Tariffs can be extremely destructive. If you want to understand the risk, a good place to start is by studying their connection with the Depressions of the 1890s and 1930s. You can start here: https://chatgpt.com/c/6891515b-101c-8321-b47c-e7f83a80aed1

@BrianDWaterbur1 - Brian D Waterbury

@ncdave4life @atensnut And a President Harris would not have done so exponentially? GTFO

@ncdave4life - โœ๏ธ ๐Ÿ‡บ๐Ÿ‡ธ ๐Ÿ‡บ๐Ÿ‡ฆ Dave Burton

@elonmusk @realDonaldTrump 2/10ใ€‹ Trump is much more like a Democrat than a conservative Republican. W/r/t his personal conduct, he resembles Bill Clinton or Gary Hart. https://www.washingtonpost.com/politics/trump-recorded-having-extremely-lewd-conversation-about-women-in-2005/2016/10/07/3b9ce776-8cb4-11e6-bf8a-3d26847eeed4_story.html

@ncdave4life - โœ๏ธ ๐Ÿ‡บ๐Ÿ‡ธ ๐Ÿ‡บ๐Ÿ‡ฆ Dave Burton

@elonmusk @realDonaldTrump 3/10ใ€‹ But Clinton had better manners than Trump. Trump is a narcissist, and a foul-mouthed, hypocritical, lecherous creep, who contradicts himself constantly.

Video Transcript AI Summary
The speaker claims to be highly educated and truthful, even to a fault. He recalls someone begging to be on his team, and denies lying. He expresses anger about not paying for a wall, and criticizes someone's "filthy, disgusting word" and "foul mouth." He mentions being audited by the IRS, possibly due to being a "strong Christian," and declines to share his favorite Bible verses, stating his faith is personal. He says he doesn't ask God for forgiveness, but feels cleansed by church rituals. He identifies as leaning Democrat in many cases and praises Hillary Clinton and Barack Obama. He believes the U.S. should have stayed in Iraq and criticizes Obama's withdrawal from Libya, suggesting Qaddafi was preferable. He calls Ted Cruz "nasty" and questions the intelligence of Iowa voters. He admits he could never beat a moderator, but disrespects Megan Kelly. He hates the concept of migrants but acknowledges a humanitarian need to help Syrians, while prioritizing domestic problems. He accuses others of lying about weapons of mass destruction and says he doesn't remember things.
Full Transcript
Speaker 0: I went to an Ivy League school. I'm very highly educated. I know words. I had the best words. Speaker 1: But what would you do? Playboy put Ivanka on the cover? Speaker 2: It would be really disappointing. Not really. Speaker 1: You wouldn't have an issue with it then? Speaker 2: Well, she does have a very nice figure. I've said that if Ivanka weren't my daughter, perhaps I'd be dating her. You know? Speaker 1: Ivanka, what's the favorite thing you have in common with your father? Either real estate or golf. Donald, with your daughter? Speaker 2: Well, I was going to say sex, but I can't relate that. Speaker 1: Brandi came in here. She got down on her knees and said, I passionately wanna do this. I, at this point, am the team chooser, not the team leader. Speaker 2: Excuse me. You dropped to your knees? Yes. Speaker 1: And begged to do this. And I said, I'm looking around the room, and we had even Latoya who sat beside me thought maybe Brandi Speaker 2: was pretty picture you dropped to knees. Speaker 1: Dennis thought I should be. Omarosa said no. Speaker 2: I don't lie. I mean, I don't lie. In fact, if anything, you know, I'm so truthful that it gets me in trouble. Okay? They say I'm too truthful. And no. I don't lie. I don't lie. And I declare. I'm not gonna pay for that fucking wall. I saw him make the statement. I saw him use the word that he used. I can only tell you, if I would have used even half of that word, it would have been national scandal. This guy used a filthy, disgusting disgusting word on television, and he should be ashamed of himself, and he should apologize. Okay? Well, I think he should apologize for his foul mouth. I think it's a disgusting thing that he said, and I could tell you I would not use that word. But it's political bullshit. She said he's a pussy. They're ripping the shit out of the sea. We can't get a fucking school built in Brooklyn. You're not gonna raise that fucking price. You understand? I'm gonna bomb the shit out of them. Listen, you motherfuckers. We're gonna tax you 25%. He hit my hands. Nobody has ever hit my hands. I've never heard of this one. Look at those hands. Are they small hands? And he referred to my hands. If they're small, something else must be small. I guarantee you there's no problem. I guarantee. Okay. I'm always audited by the IRS, which I think is very unfair. I don't know. Maybe because of religion. You say religion? Well, maybe because of the fact that I'm a strong Christian and I feel strongly about it, and maybe there's a bias. You think maybe Speaker 0: you get audited for being Speaker 2: a strong Christian? You see what's Because I hear this is a major theme right here, but two Corinthians. Right? Two Corinthians three seventeen. That's the whole ballgame. There's so many things that you could learn from it. Proverbs, the chapter never bend to envy. I've had that thing all of my life where you're people are bending to envy. Speaker 3: I'm wondering what one or two of your most favorite bible verses are Speaker 2: I I wouldn't want to get into it because to me that's very personal. You know, when I talk about the bible, it's very personal. So I don't want to get into verses. Speaker 0: I don't want to get into There's Speaker 3: no verse that means a lot to you that you think about or cite? Speaker 2: The the bible means a lot to me, but I don't want to get into specifics. Speaker 3: Even to cite a verse that Speaker 2: you like? I don't want to do that. Speaker 4: Mean Old Testament Testament guy guy or or a New New Testament Testament guy? Speaker 2: Probably equal. I think it's just an incredible the whole bible is an incredible I joke very much so. They always hold up the art of the deal. I say my second favorite book of all time. Bud, have you ever asked God for forgiveness? I'm not sure I have. I just go and try and do a better job from there. I don't think so. I think I if I if I do something wrong, I think I just try and make it right. I don't bring God into that picture. I don't. Now when I take you know, when we go in church and and when I drink my little wine, which is about the only wine I drink, and have my little cracker, I guess that's a form of asking for forgiveness, and I do that as often as possible because I feel cleansed. Do you actively go to church, or is that something that is more just when when you can? Right. Well, I go as much as I can always on Christmas, always on Easter Mhmm. Always when there's a major occasion. Speaker 4: Do you identify more as a Democrat or a Republican? Speaker 2: Well, you'd be shocked if I said that in many cases, I probably identify more as a Democrat. Speaker 4: Hillary Clinton. Speaker 2: Very talented, very smart. She's a friend of mine, so I'm a little bit prejudiced. She's a very, very capable person, and I think she'll probably be the nominee. We'll see, but I think she'll probably be the nominee. Speaker 4: Barack Obama. Speaker 2: Well, he's a star. I mean, he's really really done an amazing job in a very short period of time. Hillary Clinton, I think, is a terrific woman. I mean, I'm a little biased because I've known her for years. I live in New York. She lives in New York, and I've known her and her husband for years, and I really like them both a lot. And I think she really works hard, and I think she again, she's given an agenda that's not all of her, but I think she really works hard, and I think she does a good job. And I like her. Well, first of all, know her very well and I know her husband very well and I like them both. And they are, you know, just really terrific people. I like them both very much, but I think you'll be, you know, you'll be looking at the record of Hillary Clinton how did she do as secretary of state probably above and beyond everybody else and everything else. The war in Iraq has been a total catastrophe. And the day we leave, it's gonna be the ultimate revolution, and that's gonna be it. Nothing we're gonna do about it. Speaker 4: How does The United States get out of this situation? Is there a Speaker 2: How do they get how they get out? They get out. That's how they get out. Once we did it, however, we should have stayed there at least. I mean, the mistake that Obama made was really just getting out of Libya. I was I never discussed that subject. I was in favor of Libya. We would be so much better off if Qaddafi were in charge right now. Qaddafi in Libya is killing thousands of people. Nobody knows how bad it is. And we're sitting around. We have soldiers all over the Middle East, and we're not bringing them in to stop this horrible carnage. And that's what it is. It's a carnage. You talk about all of the things that have happened in history. This could be one of the worst. Now we should go in. We should stop this guy, which would be very easy and very quick. We could do it surgically. Stop him from doing it and save these lives. This is absolute nuts. We don't wanna get involved, and you're gonna end up with something like you've never seen before. I don't think Ted Cruz has a great chance, to be honest with you. He's a nasty guy. Nobody likes him. Nobody in congress likes him. Nobody likes him anywhere once they get to know him. I really do. I'd like Ted Cruz a lot. I love Iowa. We've done really well here. How stupid are the people of Iowa? Speaker 1: Do you really think that you're a better moderator than I am? Speaker 2: No. I could never beat you. That wouldn't even be close. There would be no contest. You have done a great job, by the way, and I mean it. I have zero respect for Megan Kelly. I don't think she's very good at what she does. I think she's highly overrated. Do you Speaker 5: object to migrants who are getting out of the Middle East and North Africa? Do you object to them coming to The USA? Speaker 2: I hate the concept of it, but on a humanitarian basis with what's happening, you have to. It's living in hell in Syria. There's no question about it. They're living in hell. Speaker 5: Are you saying absolutely people from Syria, The Middle East, should we allow any of them in country? Speaker 2: Look. From a humanitarian standpoint, I'd love to help, but we have our own problems. We have so many problems that we have to solve. They lied. Okay. They said there were weapons of mass There were none, and they knew there were none. I don't know if he lied or not. He could have lied. My maybe he did. Maybe he didn't. I guess you'd have to ask him. Written by a nice reporter. Now the poor guy, you gotta see this guy. Speaker 0: Oh, I don't know what Speaker 2: I said. Oh, I don't remember. He's gonna lie. I don't remember. I oh, maybe that's what I said. Speaker 1: Maybe you could tell me what you think of this set. Speaker 2: I like the

@ncdave4life - โœ๏ธ ๐Ÿ‡บ๐Ÿ‡ธ ๐Ÿ‡บ๐Ÿ‡ฆ Dave Burton

@elonmusk @realDonaldTrump 4/10ใ€‹ There are some bright spots. For instance, Trump 2.0 is showing more respect for real science than Trump 1.0 and the Democrats did. https://sealevel.info/learnmore.html

Learn More About Climate Change - resources sealevel.info

@ncdave4life - โœ๏ธ ๐Ÿ‡บ๐Ÿ‡ธ ๐Ÿ‡บ๐Ÿ‡ฆ Dave Burton

5/10ใ€‹ But Trump resembles Biden in many ways, none of them good. Both men lie constantly, and both even stole troves of government documents from the White House when they left office, some of them classified top secret. https://theweek.com/articles/651704/miss-george-w-bush I miss principled, conservative leadership.

I miss George W. Bush Next to Trump, he looks nearly impeccable theweek.com

@ncdave4life - โœ๏ธ ๐Ÿ‡บ๐Ÿ‡ธ ๐Ÿ‡บ๐Ÿ‡ฆ Dave Burton

6/10ใ€‹ It's been over 16 years since we had a POTUS who I would trust to watch my dog for the weekend.

@ncdave4life - โœ๏ธ ๐Ÿ‡บ๐Ÿ‡ธ ๐Ÿ‡บ๐Ÿ‡ฆ Dave Burton

7/10ใ€‹ On 1/17/2025, just before he left office, President Biden tried to amend the U.S. Constitution by decree & wishful thinking, to ratify the defeated ERA. Three days later President Trump tried to amend the U.S. Constitution by decree & wishful thinking, to end "birthright citizenship" for children born to aliens here temporarily or illegally, contradicting the plain language of the 14th Amendment. BOTH of those acts SHOULD be offensive to every American, and especially to every conservative. But as far as I can tell, the vast majority of people offended Biden's executive overreach on 1/17 were fine with Trump's on 1/20, and the vast majority of people offended by Trump's executive overreach on 1/20 were fine with Biden's on 1/17. "Until the people have, by some solemn and authoritative act, annulled or changed the established form [of the Constitution], it is binding upon themselves collectively, as well as individually; and no presumption, or even knowledge, of their sentiments, can warrant their representatives in a departure from it, prior to such an act." - Federalist #78

@ncdave4life - โœ๏ธ ๐Ÿ‡บ๐Ÿ‡ธ ๐Ÿ‡บ๐Ÿ‡ฆ Dave Burton

@elonmusk @realDonaldTrump 8/10ใ€‹ Both Trump and Biden are showing obvious signs of cognitive decline (though Biden's has progressed further than Trump's).

Video Transcript AI Summary
The speaker claims that "we" are incapable of solving even the smallest, simplest problems and that "we" can't do anything. The speaker identifies "us" as an institute and a powerful death penalty. The speaker states "we will put this on."
Full Transcript
Speaker 0: Which is incapable of solving even the smallest smallest problem, the simplest of problems we can no longer solve. We can't do anything. We are an institute and a powerful death penalty. We will put this on. We have

@ncdave4life - โœ๏ธ ๐Ÿ‡บ๐Ÿ‡ธ ๐Ÿ‡บ๐Ÿ‡ฆ Dave Burton

Remember when Biden thoughtfully defused the "Trump stolen top secret documents" issue, by getting caught with stolen top secret documents? Now Trump's returning the favor, thoughtfully defusing the "Biden elderly cognitive decline" issue, by showing signs of cognitive decline, himself. Maybe that's why he won't debate Haley. When Biden, of all people, or at least his campaign team, wants to talk about the issue of cognitive decline in elderly candidates, you know there's something seriously wrong with Trump. He sounds drunk, but he's famously a teetotaler, so it's not booze. Is he ill? Maybe he just took too much cold & flu medicine. I hope so! But I fear that it's a much deeper problem. Maybe that's why Scott & DeSantis endorsed him: they've seen how Trump is declining, and they're angling for the veep slot, figuring that he won't last four more years. Biden & Trump are much more alike than their allies are willing to admit. They're both elderly men showing signs of early dementia. They both lie with disturbing regularity and practiced ease. They're both divorced & remarried, and they're both rich old white guys. For both of them, a moist finger held in the wind is their only moral compass, and both of them have flip-flopped between being pro-life and radically pro-abortion, when it became politically expedient for them to change their views. Thankfully, Nikki Haley is not at all like them.

@KamalaHQ - Kamala HQ

Trump: Which is incapable of solvinโ€™ even the sollest problem. We are an institute in a powerful death penalty. We will put this on

Video Transcript AI Summary
We are incapable of solving even the smallest, simplest problems. We can't do anything. We are an institute in a powerful death penalty. We will put this on.
Full Transcript
Speaker 0: Which is incapable of solving even the smallest smallest problem, the simplest of problems we can no longer solve. We can't do anything. We are an institute in a powerful death penalty. We will put this on. We have

@ncdave4life - โœ๏ธ ๐Ÿ‡บ๐Ÿ‡ธ ๐Ÿ‡บ๐Ÿ‡ฆ Dave Burton

@elonmusk @realDonaldTrump 9/10ใ€‹ Perhaps worst of all, both men determine their "convictions" based on a moist finger in the political wind. In fact, both of have completely reversed their positions even about murdering unborn babies, when it was politically convenient.

@ncdave4life - โœ๏ธ ๐Ÿ‡บ๐Ÿ‡ธ ๐Ÿ‡บ๐Ÿ‡ฆ Dave Burton

10/10ใ€‹ So, yes, I know the Democrats are as bad as Trump. I know Biden tried to amend the Constitution by decree, and he lied constantly, just like Trump. I know Biden is even more pro-abortion than Trump, and he's as much of a tax-and-spend Keynesian as Trump. But THOSE ARE NOT GOOD EXCUSES for the GOP's abandonment of conservative principles! Biden & Harris are Democrats, so I expect it of them. We used to be able to expect better from Republicans.

@ncdave4life - โœ๏ธ ๐Ÿ‡บ๐Ÿ‡ธ ๐Ÿ‡บ๐Ÿ‡ฆ Dave Burton

@elonmusk @realDonaldTrump 10-part tweetstorm compilation: https://twitter-thread.com/t/1952741608404685125 @ThreadReaderApp @Rattibha @threaddotblue unroll @reSeeIt save thread @HeyGenLabs

1/10ใ€‹ That's the point, Brian! When it comes to taxes & spending, there's not a dime's worth of difference between Democrats and Trump. That's why @elonmusk lost patience with @realDonaldTrump. by @ncdave4life(โœ๏ธ ๐Ÿ‡บ๐Ÿ‡ธ ๐Ÿ‡บ๐Ÿ‡ฆ Dave Burton) | Twitter Thread Reader 1/10ใ€‹ That's the point, Brian! When it comes to taxes & spending, there's not a dime's worth of difference between Democrats and Trump. That's why @elonmusk lost patience with @realDonaldTrump. https://t.co/JWlYFUpzWl Tariffs are taxes, and 9ร— is a BIG tax increase. But it hardly scratches the deficit. Do you have any idea how enormous Trump's $2 trillion/yr federal deficit is? https://t.co/qwNpa2TLAz https://t.co/R3vfy4jZDM For each family of four, the federal government is adding $23,500/year to the national debt. AND IT IS GETTING WORSE. https://t.co/8U0gTPIgTB Tariff revenue could at best cover about 5% of the federal budget, and that's optimistically ignoring the cost of the probable consequent recession (or worse). https://t.co/CA6o9uiVG8 twitter-thread.com
Saved - July 5, 2025 at 8:16 PM
reSee.it AI Summary
Global warming has not significantly worsened floods, as even the IPCC confirms. While climate change may slightly affect the water cycle, the impact on flooding remains undetectable. Major climate-related harms predicted by some have not materialized; hurricanes, droughts, and tornadoes have not worsened. The debate isn't about the reality of climate change, but rather its effects, which are shown to be modest and even beneficial. I aim to provide balanced information on this contentious issue, including resources from both skeptics and alarmists.

@ncdave4life - โœ๏ธ ๐Ÿ‡บ๐Ÿ‡ธ ๐Ÿ‡บ๐Ÿ‡ฆ Dave Burton

1/6. Global warming has not detectably worsened floods. Do you understand graphs? https://sealevel.info/learnmore.html?0=wetdry#wetdry

Learn More About Climate Change - resources sealevel.info

@pjhwebber007 - Paul Webber ๐Ÿค˜

@PressSec Global warming. If you really want to help you need to acknowledge that climate change is real.

@ncdave4life - โœ๏ธ ๐Ÿ‡บ๐Ÿ‡ธ ๐Ÿ‡บ๐Ÿ‡ฆ Dave Burton

2/6. Even the IPCC acknowledges that climate change has not detectably worsened floods. https://sealevel.info/AR6_says_changes_in_flood_magnitude_or_frequency_undetected03.png In a warming world, the "water cycle" should accelerate slightly, which could be expected to increase overall rainfall, and perhaps floods (and to decrease droughts). But the effect on flooding is so minor that, thus far, it is undetectable, according to the IPCC. Here's an excerpt from their Sixth Assessment Report (WG1, Chapter 11): 11.5.2 Observed trends. The SREX assessed low confidence for observed changes in the magnitude or frequency of floods at the global scale. This assessment was confirmed by the AR5 report. ...

@ncdave4life - โœ๏ธ ๐Ÿ‡บ๐Ÿ‡ธ ๐Ÿ‡บ๐Ÿ‡ฆ Dave Burton

3/6. In fact, none of the supposed major harms from #ClimateChange which the climate industry's FUD-based marketing predicts have actually come to pass. Hurricanes and tropical cyclones have not worsened, nor'easters have not worsened, coastal sealevel trends have scarcely changed, flooding hasn't detectably worsened, drought impacts have decreased, and severe tornadoes have decreased.

@ncdave4life - โœ๏ธ ๐Ÿ‡บ๐Ÿ‡ธ ๐Ÿ‡บ๐Ÿ‡ฆ Dave Burton

@Michael63746953 @thefutureBigly @AlexEpstein 1/28ใ€‹Climate activists don't call it a crisis for nothing. $1.5 trillion/yr ain't "nothing." It's all about the Benjamins. They call it a crisis to prop up support for feeding Piggy. The parasitic climate industry needs a LOT of propaganda to support it. https://sealevel.info/1.5_Trillion_Dollar_Piggy_based_on_1885_Bengough_cartoon_and_the_Benjamines01_1280x640.png

@ncdave4life - โœ๏ธ ๐Ÿ‡บ๐Ÿ‡ธ ๐Ÿ‡บ๐Ÿ‡ฆ Dave Burton

4/6. The climate debate has NEVER been about whether "climate change is real." If that's what you think it is, you're not getting accurate, balanced information. https://www.quora.com/It-is-claimed-that-97-of-climate-scientists-state-that-anthropogenic-climate-change-is-real-What-evidence-do-the-3-who-dont-think-so-have-What-are-some-good-counterarguments-to-their-claims/answer/Dave-Burton-2

It is claimed that 97% of climate scientists state that anthropogenic climate change is real. What evidence do the 3% who don't think so ... The climate debate is not over whether โ€œclimate change is real.โ€ Thatโ€™s a straw-man. Most climate realists / skeptics agree that climate change is real. But the best evidence indicates that manmade climate change is probably not harmful at all, a... quora.com

@ncdave4life - โœ๏ธ ๐Ÿ‡บ๐Ÿ‡ธ ๐Ÿ‡บ๐Ÿ‡ฆ Dave Burton

5/6. The scientific evidence is compelling that manmade climate change is real, but modest and benign, and CO2 emissions are beneficial. https://www.nasa.gov/centers-and-facilities/goddard/carbon-dioxide-fertilization-greening-earth-study-finds/ This is a NASA video about one of the major benefits: https://www.youtube.com/watch?v=zOwHT8yS1XI

Carbon Dioxide Fertilization Greening Earth, Study Finds - NASA From a quarter to half of Earthโ€™s vegetated lands has shown significant greening over the last 35 years largely due to rising levels of atmospheric carbon nasa.gov
Video Not Available youtube.com

@ncdave4life - โœ๏ธ ๐Ÿ‡บ๐Ÿ‡ธ ๐Ÿ‡บ๐Ÿ‡ฆ Dave Burton

6/6. To understand a contentious issue like climate change requires balanced info. I'm here to help: https://sealevel.info/learnmore.html?0=agriculture That's a resource list with: โ— accurate introductory climatology information โ— in-depth science from BOTH skeptics & alarmists โ— links to balanced debates between experts on BOTH sides โ— information about climate impacts โ— links to best blogs on BOTH sides of the issue

Learn More About Climate Change - resources sealevel.info

@ncdave4life - โœ๏ธ ๐Ÿ‡บ๐Ÿ‡ธ ๐Ÿ‡บ๐Ÿ‡ฆ Dave Burton

Compilation: https://twitter-thread.com/t/1941590773809455434 @ThreadReaderApp @Rattibha @threaddotblue unroll @reSeeIt save thread @HeyGenLabs

1/6. Global warming has not detectably worsened floods. Do you understand graphs? by @ncdave4life(โœ๏ธ ๐Ÿ‡บ๐Ÿ‡ธ ๐Ÿ‡บ๐Ÿ‡ฆ Dave Burton) | Twitter Thread Reader 1/6. Global warming has not detectably worsened floods. Do you understand graphs? https://t.co/SaVOcbKy2T https://t.co/p8kawAbbJa twitter-thread.com
Saved - June 28, 2025 at 1:59 PM

@ncdave4life - โœ๏ธ ๐Ÿ‡บ๐Ÿ‡ธ ๐Ÿ‡บ๐Ÿ‡ฆ Dave Burton

To learn about #ClimateChange see: https://www.sealevel.info/learnmore.html It has: โ— accurate intro climatology info โ— in-depth science from BOTH skeptics & alarmists โ— links to balanced debates between experts on BOTH sides โ— info about climate impacts โ— links to best blogs on BOTH sides

Learn More About Climate Change - resources sealevel.info
Saved - June 2, 2025 at 3:20 AM

@atensnut - Juanita Broaddrick

Hallelujah. Common sense has taken over.

@EricLDaugh - Eric Daugherty

๐Ÿšจ Secretary RFK Jr. has officially CANCELED Moderna's $700 million mRNA bird flu vaccine contract because it did not meet safety criteria. This comes just as he canceled recommending COVID vaccines for healthy children and pregnant women. Sanity is returning. https://t.co/XfM81XulZm

Saved - April 8, 2025 at 12:13 PM
reSee.it AI Summary
I shared my thoughts on climate discussions, emphasizing that the narrative around climate change often overlooks the benefits of CO2. I referenced studies showing that increased CO2 levels can enhance agricultural productivity and improve drought resilience. I noted that historical famines were linked to lower CO2 levels and highlighted positive environmental changes in regions like Africa. I believe the evidence suggests that manmade climate change is modest and that CO2 emissions are largely beneficial. I encourage seeking balanced information on this topic.

@ncdave4life - โœ๏ธ ๐Ÿ‡บ๐Ÿ‡ธ ๐Ÿ‡บ๐Ÿ‡ฆ Dave Burton

1/18. Interesting story, Jeffrey, but it would've been improved by omitting the climate propaganda: https://time.com/7274542/colossal-dire-wolf/#:~:text=elephants%20that%20can%20better%20survive%20the%20climatic%20ravages%20of%20a%20warming%20worldโ€ฆ "Climatic ravages of a warming world" are the same threat level as unicorn fart pollution.

The Return of the Dire Wolf Colossal Biosciences has genetically engineered the first dire wolf to live in over 10,000 years. Here's what that means for other extinct species. time.com

@jeffreykluger - Jeffrey Kluger

The extinct dire wolf is back. Read the @TIME cover story here. https://time.com/7274542/colossal-dire-wolf/

The Return of the Dire Wolf Colossal Biosciences has genetically engineered the first dire wolf to live in over 10,000 years. Here's what that means for other extinct species. time.com

@ncdave4life - โœ๏ธ ๐Ÿ‡บ๐Ÿ‡ธ ๐Ÿ‡บ๐Ÿ‡ฆ Dave Burton

2/18. We don't need to engineer "elephants that can better survive the climatic ravages of a warming world." The existing elephants survived the mid-Eemian Climate Optimum, which was clearly warmer than now. Here's a NOAA graph: https://sealevel.info/Temperature-change-and-carbon-dioxide-change-measured-from-the-EPICA-Dome-C-ice-core-in-Antarctica-v5_200pct.png (I added the annotation, identifying the Eemian and Holocene [current] temperatures.)

@ncdave4life - โœ๏ธ ๐Ÿ‡บ๐Ÿ‡ธ ๐Ÿ‡บ๐Ÿ‡ฆ Dave Burton

3/18. NASA measures those "climatic ravages" (benefits). This is their video about it: https://www.youtube.com/watch?v=zOwHT8yS1XI Are you surprised? Then you haven't been getting balanced, accurate information.

Video Not Available youtube.com

@ncdave4life - โœ๏ธ ๐Ÿ‡บ๐Ÿ‡ธ ๐Ÿ‡บ๐Ÿ‡ฆ Dave Burton

4/18. The effects of CO2 emissions are heavily studied. They have a modest, benign warming effect, and large benefits for plants and animals. Here are some additional papers & articles about it: https://sealevel.info/greening_earth_spatial_patterns_Myneni.html

@ncdave4life - โœ๏ธ ๐Ÿ‡บ๐Ÿ‡ธ ๐Ÿ‡บ๐Ÿ‡ฆ Dave Burton

5/18. Here's how elevated CO2 "ravages" (benefits) agriculture. https://www.ncbi.nlm.nih.gov/pubmed/26929390

Elevated atmospheric [CO2 ] can dramatically increase wheat yields in semi-arid environments and buffer against heat waves - PubMed Wheat production will be impacted by increasing concentration of atmospheric CO2 [CO2 ], which is expected to rise from about 400 ฮผmol mol(-1) in 2015 to 550 ฮผmol mol(-1) by 2050. Changes to plant physiology and crop responses from elevated [CO2 ] (e[CO2 ]) are well documented for some environments, โ€ฆ pubmed.ncbi.nlm.nih.gov

@ncdave4life - โœ๏ธ ๐Ÿ‡บ๐Ÿ‡ธ ๐Ÿ‡บ๐Ÿ‡ฆ Dave Burton

6/18. Here's a paper how it benefits even corn, which, significantly, is a C4 photosynthesis crop: sciencedirect.com/science/articlโ€ฆ

@ncdave4life - โœ๏ธ ๐Ÿ‡บ๐Ÿ‡ธ ๐Ÿ‡บ๐Ÿ‡ฆ Dave Burton

7/18. In fact, among agronomists it has been settled science for over a century that elevated CO2 is extremely beneficial for crops. This @sciam article is 125 years old! https://sealevel.info/ScientificAmerican_1920-11-27_CO2_fertilization.html They called anthropogenic CO2 emissions "the precious air fertilizer."

@ncdave4life - โœ๏ธ ๐Ÿ‡บ๐Ÿ‡ธ ๐Ÿ‡บ๐Ÿ‡ฆ Dave Burton

@sciam 8/18. Long-settled science confirms that CO2 emissions are enormously beneficial for both natural ecosystems and human agriculture, just as predicted by Nobel Laurate and Pioneer climatologist Svante Arrhenius, over a century ago. https://sealevel.info/learnmore.html?0=arrhenius#arrhenius

Learn More About Climate Change - resources sealevel.info

@ncdave4life - โœ๏ธ ๐Ÿ‡บ๐Ÿ‡ธ ๐Ÿ‡บ๐Ÿ‡ฆ Dave Burton

@sciam 9/18. Thousands of rigorous subsequent studies have confirmed and refined his results. This site indexes many of them: co2science.org/data/plant_groโ€ฆ

@ncdave4life - โœ๏ธ ๐Ÿ‡บ๐Ÿ‡ธ ๐Ÿ‡บ๐Ÿ‡ฆ Dave Burton

10/18. Rising CO2 levels are also very beneficial for natural ecosystems. They cause deserts to retreat, because plants become more water efficient and drought resilient when CO2 levels are higher. CO2 improves water use efficiency and drought resilience for plants by reducing stomatal conductance and, consequently, water loss through transpiration. Here are some references: 1. Chun JA, et al. (2011). Effect of elevated carbon dioxide and water stress on gas exchange and water use efficiency in corn. Agricultural and Forest Meteorology, 151(3), pp 378โ€“384. https://doi.org/10.1016/j.agrformet.2010.11.015. 2. O'Leary GJ, et al. (2015). Response of wheat growth, grain yield and water use to elevated CO2 under a Free-Air CO2 Enrichment (FACE) experiment and modelling in a semi-arid environment. Glob Chang Biol. 21(7):2670โ€“2686. https://doi.org/10.1111/gcb.12830 3. Fitzgerald GJ, et al. (2016) Elevated atmospheric [CO2] can dramatically increase wheat yields in semi-arid environments and buffer against heat waves. Glob Chang Biol. 22(6):2269-84. https://doi.org/10.1111/gcb.13263 4. Uddin S, et al. (2018) Elevated [CO2] mitigates the effect of surface drought by stimulating root growth to access sub-soil water. PLoS One. 13(6):e0198928. https://doi.org/10.1371/journal.pone.0198928 5. Taylor, C & Schlenker, W (2021). Environmental Drivers of Agricultural Productivity Growth: CO2 Fertilization of US Field Crops. National Bureau of Economic Research, no. w29320. https://doi.org/10.3386/w29320 6. Chen, Xin et al (2024). The global greening continues despite increased drought stress since 2000. Global Ecology and Conservation, Volume 49, 2024, e02791. https://doi.org/10.1016/j.gecco.2023.e02791.

Effect of elevated carbon dioxide and water stress on gas exchange and water use efficiency in corn CO2 has been predicted to increase in the future, and thus leading to possible changes in precipitation patterns. The objectives of this study were toโ€ฆ sciencedirect.com
Elevated [CO2] mitigates the effect of surface drought by stimulating root growth to access sub-soil water Through stimulation of root growth, increasing atmospheric CO2 concentration ([CO2]) may facilitate access of crops to sub-soil water, which could potentially prolong physiological activity in dryland environments, particularly because crops are more water use efficient under elevated [CO2] (e[CO2]). This study investigated the effect of drought in shallow soil versus sub-soil on agronomic and physiological responses of wheat to e[CO2] in a glasshouse experiment. Wheat (Triticum aestivum L. cv. Yitpi) was grown in split-columns with the top (0โ€“30 cm) and bottom (31โ€“60 cm; โ€˜sub-soilโ€™) soil layer hydraulically separated by a wax-coated, root-penetrable layer under ambient [CO2] (a[CO2], โˆผ400 ฮผmol mol-1) or e[CO2] (โˆผ700 ฮผmol mol-1) [CO2]. Drought was imposed from stem-elongation in either the top or bottom soil layer or both by withholding 33% of the irrigation, resulting in four water treatments (WW, WD, DW, DD; D = drought, W = well-watered, letters denote water treatment in top and bottom soil layer, respectively). Leaf gas exchange was measured weekly from stem-elongation until anthesis. Above-and belowground biomass, grain yield and yield components were evaluated at three developmental stages (stem-elongation, anthesis and maturity). Compared with a[CO2], net assimilation rate was higher and stomatal conductance was lower under e[CO2], resulting in greater intrinsic water use efficiency. Elevated [CO2] stimulated both above- and belowground biomass as well as grain yield, however, this stimulation was greater under well-watered (WW) than drought (DD) throughout the whole soil profile. Imposition of drought in either or both soil layers decreased aboveground biomass and grain yield under both [CO2] compared to the well-watered treatment. However, the greatest โ€˜CO2 fertilisation effectโ€™ was observed when drought was imposed in the top soil layer only (DW), and this was associated with e[CO2]-stimulation of root growth especially in the well-watered bottom layer. We suggest that stimulation of belowground biomass under e[CO2] will allow better access to sub-soil water during grain filling period, when additional water is converted into additional yield with high efficiency in Mediterranean-type dryland agro-ecosystems. If sufficient water is available in the sub-soil, e[CO2] may help mitigating the effect of drying surface soil. journals.plos.org
The global greening continues despite increased drought stress since 2000 Increases or decreases in remote sensing-based vegetation greenness are usually referred to as greening or browning. The CO2 fertilization along with โ€ฆ sciencedirect.com

@ncdave4life - โœ๏ธ ๐Ÿ‡บ๐Ÿ‡ธ ๐Ÿ‡บ๐Ÿ‡ฆ Dave Burton

11/18. That makes droughts much less destructive. When CO2 levels were < 350 ppmv, catastrophic famines, usually triggered by drought, were common. Compare: โ— COVID-19 killed about 0.1% of the world's population โ— The catastrophic 1918 flu pandemic killed about 2% โ— WWII killed 2.7% of the world's population โ— But the near-global drought and famine of 1876-78 killed about 3.7% of the world's population.

@ncdave4life - โœ๏ธ ๐Ÿ‡บ๐Ÿ‡ธ ๐Ÿ‡บ๐Ÿ‡ฆ Dave Burton

@sciam 12/18. Thankfully, catastrophic, drought-triggered famines are fading from living memory, and one of the main reasons is the 50% increase in average atmospheric CO2 level, thanks to fossil fuels.

@ncdave4life - โœ๏ธ ๐Ÿ‡บ๐Ÿ‡ธ ๐Ÿ‡บ๐Ÿ‡ฆ Dave Burton

@sciam 13/18. If you're young, you might not realize what a threat catastrophic, drought-induced famines were, until recently. https://sealevel.info/learnmore.html?0=famine#famine

Learn More About Climate Change - resources sealevel.info

@ncdave4life - โœ๏ธ ๐Ÿ‡บ๐Ÿ‡ธ ๐Ÿ‡บ๐Ÿ‡ฆ Dave Burton

14/18. The impact is especially great for Africa. Even politically correct National Geographic once reported the improvement, back in 2009 (though since then they've scrubbed that good news from their site): https://sealevel.info/Owen2009_Sahara_Desert_Greening-NatGeo30639457.html EXCERPT: "Vast swaths of North Africa are getting noticeably lusher due to warming temperatures, new satellite images show, suggesting a possible boon for people living in the driest part of the continent."

@ncdave4life - โœ๏ธ ๐Ÿ‡บ๐Ÿ‡ธ ๐Ÿ‡บ๐Ÿ‡ฆ Dave Burton

15/18. New Scientist reported the "remarkable environmental turnaround," including "quite spectacular regeneration of vegetation," and "a 70 per cent increase in yields of local cereals such as sorghum and millet in one province in recent years." https://www.newscientist.com/article/mg17523610-300-africans-go-back-to-the-land-as-plants-reclaim-the-desert/ See also: https://www.sealevel.info/Pearce2002_Africans_go_back_to_the_land_as_plants_reclaim_the_desert-New_Scientist.html

Africans go back to the land as plants reclaim the desert AFRICA'S deserts are in retreat. Burkina Faso, one of the West African countries devastated by drought and advancing deserts 20 years ago, is growing greener again โ€“ so much so that families who fled to wetter coastal regions are starting to go home. New research confirming this remarkable environmental turnaround in one of Africa's most … newscientist.com

@ncdave4life - โœ๏ธ ๐Ÿ‡บ๐Ÿ‡ธ ๐Ÿ‡บ๐Ÿ‡ฆ Dave Burton

@sciam 16/18. Elevated CO2 and consequent climate change dramatically improves global food security, and mitigates drought impacts. These two photos were both taken in the Madras region of the Indian subcontinent:

@ncdave4life - โœ๏ธ ๐Ÿ‡บ๐Ÿ‡ธ ๐Ÿ‡บ๐Ÿ‡ฆ Dave Burton

@MisinformNoMore @WeiZhangAtmos 7/ What's more, one of the nice things about "global warming" is that it isn't very global. It disproportionately warms frigid winter nights at chilly high latitudes. The tropics are warmed less, which is good, because they're warm enough already.

@ncdave4life - โœ๏ธ ๐Ÿ‡บ๐Ÿ‡ธ ๐Ÿ‡บ๐Ÿ‡ฆ Dave Burton

@sciam 17/18. If you believe there's a risk of "climatic ravages" from a warming world, you've been badly misled. The scientific evidence is compelling that manmade climate change is modest and benign, and CO2 emissions are highly beneficial.

@ncdave4life - โœ๏ธ ๐Ÿ‡บ๐Ÿ‡ธ ๐Ÿ‡บ๐Ÿ‡ฆ Dave Burton

@zteirstein 8/18. The supposed major harms from CO2 emissions are all merely hypothetical, and mostly implausible. None of them are actually happening. For instance, the coral of the Great Barrier Reef are doing fine: https://archive.ph/IcRIY https://archive.ph/IcRIY

@ncdave4life - โœ๏ธ ๐Ÿ‡บ๐Ÿ‡ธ ๐Ÿ‡บ๐Ÿ‡ฆ Dave Burton

18/18. To understand a contentious topic like #ClimateChange, you need balanced information. I'm here to help: https://sealevel.info/learnmore.html That resource list has: โ— accurate introductory climatology information โ— in-depth science from BOTH skeptics & alarmists โ— links to balanced debates between experts on BOTH sides โ— information about climate impacts โ— links to best blogs on BOTH sides of the issue Please do not hesitate to contact me directly if you have questions or need expert sources for future articles.

Learn More About Climate Change - resources sealevel.info

@ncdave4life - โœ๏ธ ๐Ÿ‡บ๐Ÿ‡ธ ๐Ÿ‡บ๐Ÿ‡ฆ Dave Burton

@sciam Compilation: https://twitter-thread.com/t/1909579388510728550 @ThreadReaderApp @Rattibha @threaddotblue unroll @reSeeIt save thread @HeyGenLabs

1/18. Interesting story, Jeffrey, but it would've been improved by omitting the climate propaganda: by @ncdave4life(โœ๏ธ ๐Ÿ‡บ๐Ÿ‡ธ ๐Ÿ‡บ๐Ÿ‡ฆ Dave Burton) | Twitter Thread Reader 1/18. Interesting story, Jeffrey, but it would've been improved by omitting the climate propaganda: https://t.co/OhK4o8PU6d "Climatic ravages of a warming world" are the same threat level as unicorn fart pollution. twitter-thread.com
Saved - March 24, 2025 at 3:18 AM
reSee.it AI Summary
I addressed Ian James's claim that climate change is worsening droughts in the U.S., stating it's inaccurate. Data shows droughts aren't worsening, and elevated CO2 levels actually help mitigate drought impacts by improving plants' water efficiency. This has contributed to a decline in catastrophic drought-induced famines, a significant historical change. I emphasized the importance of balanced information on climate issues and encouraged corrections to misleading statements in media articles.

@ncdave4life - โœ๏ธ ๐Ÿ‡บ๐Ÿ‡ธ ๐Ÿ‡บ๐Ÿ‡ฆ Dave Burton

1/12ใ€•Ian James @ByIanJames, you reported that, "Research has shown that human-caused climate change is driving worsening droughts in the western United States." That is false. Droughts have not worsened, either in the United States, or globally: https://sealevel.info/learnmore.html?0=droughts#droughtsโ€ฆ https://sealevel.info/Fraction_of_the_Globe_in_Drought_1982-2012_fig5c.png

Learn More About Climate Change - resources sealevel.info

@Sammy_Roth - Sammy Roth

A new seawater desalination being tested at Southern California's Las Virgenes Reservoir could reduce energy costs and limit harm to marine life -- if it works as hoped. Story from @ByIanJames: https://www.latimes.com/environment/story/2025-03-21/desalination-tech-tested

New desalination technology being tested in California could lower costs of tapping seawater A new desalination technology is undergoing testing in Southern California. Water managers hope it will offer an environmentally friendly way of tapping the Pacific Ocean. latimes.com

@ncdave4life - โœ๏ธ ๐Ÿ‡บ๐Ÿ‡ธ ๐Ÿ‡บ๐Ÿ‡ฆ Dave Burton

2/12ใ€•U.S. droughts are not worsening. Here's NOAA NCDC's U.S. percentage very wet or very dry: https://www.ncdc.noaa.gov/temp-and-precip/uspa/wet-dry/0 https://sealevel.info/US_percentage_areas_very_wet_or_very_dry_NOAA_2025-01-11.png

U.S. Percentage Areas (Very Warm/Cold, Very Wet/Dry) | National Centers for Environmental Information (NCEI) This product shows, for each month, season and year since 1895, how much of the contiguous United States experienced extreme (top or bottom 10%) temperature and precipitation conditions. ncei.noaa.gov

@ncdave4life - โœ๏ธ ๐Ÿ‡บ๐Ÿ‡ธ ๐Ÿ‡บ๐Ÿ‡ฆ Dave Burton

3/12ใ€•In fact, CO2 emissions mitigate drought impacts. Elevated CO2 helps plants use water more efficiently, by reducing stomatal conductance and transpiration. That's especially helpful in arid regions & during droughts. Here's a paper about corn: sciencedirect.com/science/articlโ€ฆ

@ncdave4life - โœ๏ธ ๐Ÿ‡บ๐Ÿ‡ธ ๐Ÿ‡บ๐Ÿ‡ฆ Dave Burton

4/12ใ€•Here's a paper about wheat: https://onlinelibrary.wiley.com/doi/10.1111/gcb.13263

@ncdave4life - โœ๏ธ ๐Ÿ‡บ๐Ÿ‡ธ ๐Ÿ‡บ๐Ÿ‡ฆ Dave Burton

5/12ใ€•Here's a NASA video about how rising CO2 levels are greening the Earth and causing deserts to retreat: https://www.youtube.com/watch?v=zOwHT8yS1XI

Video Not Available youtube.com

@ncdave4life - โœ๏ธ ๐Ÿ‡บ๐Ÿ‡ธ ๐Ÿ‡บ๐Ÿ‡ฆ Dave Burton

6/12ใ€•Mitigation of drought damage is a very important benefit of rising CO2 levels, and it is one of the reasons that catastrophic drought-induced famines are fading from living memory, for the first time in human history. โ— https://sealevel.info/learnmore.html?0=droughts#droughts โ— https://journals.ametsoc.org/view/journals/clim/31/23/jcli-d-18-0159.1.xml?tab_body=fulltext-display

Learn More About Climate Change - resources sealevel.info
Climate and the Global Famine of 1876โ€“78 Abstract From 1875 to 1878, concurrent multiyear droughts in Asia, Brazil, and Africa, referred to as the Great Drought, caused widespread crop failures, catalyzing the so-called Global Famine, which had fatalities exceeding 50 million people and long-lasting societal consequences. Observations, paleoclimate reconstructions, and climate model simulations are used 1) to demonstrate the severity and characterize the evolution of drought across different regions, and 2) to investigate the underlying mechanisms driving its multiyear persistence. Severe or record-setting droughts occurred on continents in both hemispheres and in multiple seasons, with the โ€œMonsoon Asiaโ€ region being the hardest hit, experiencing the single most intense and the second most expansive drought in the last 800 years. The extreme severity, duration, and extent of this global event is associated with an extraordinary combination of preceding cool tropical Pacific conditions (1870โ€“76), a record-breaking El Niรฑo (1877โ€“78), a record strong Indian Ocean dipole (1877), and record warm North Atlantic Ocean (1878) conditions. Composites of historical analogs and two sets of ensemble simulationsโ€”one forced with global sea surface temperatures (SSTs) and another forced with tropical Pacific SSTsโ€”were used to distinguish the role of the extreme conditions in different ocean basins. While the drought in most regions was largely driven by the tropical Pacific SST conditions, an extreme positive phase of the Indian Ocean dipole and warm North Atlantic SSTs, both likely aided by the strong El Niรฑo in 1877โ€“78, intensified and prolonged droughts in Australia and Brazil, respectively, and extended the impact to northern and southeastern Africa. Climatic conditions that caused the Great Drought and Global Famine arose from natural variability, and their recurrence, with hydrological impacts intensified by global warming, could again potentially undermine global food security. journals.ametsoc.org

@ncdave4life - โœ๏ธ ๐Ÿ‡บ๐Ÿ‡ธ ๐Ÿ‡บ๐Ÿ‡ฆ Dave Burton

7/12ใ€•That's a very, very Big Deal. Famine used to be a scourge comparable to war and epidemic, the Third Horseman of the Apocalypse. โ— https://sealevel.info/learnmore.html?0=famine#famine

Learn More About Climate Change - resources sealevel.info

@ncdave4life - โœ๏ธ ๐Ÿ‡บ๐Ÿ‡ธ ๐Ÿ‡บ๐Ÿ‡ฆ Dave Burton

8/12ใ€• https://sealevel.info/learnmore.html?0=madrasfamine#benefits For comparison: โ— COVID-19 killed about 0.1% of the world's population โ— The catastrophic 1918 flu pandemic killed about 2% โ— WWII killed 2.7% of the world's population โ— But the near-global drought and famine of 1876-78 killed about 3.7% of the world's population.

Learn More About Climate Change - resources sealevel.info

@ncdave4life - โœ๏ธ ๐Ÿ‡บ๐Ÿ‡ธ ๐Ÿ‡บ๐Ÿ‡ฆ Dave Burton

9/12ใ€•Droughts still happen, of course, but elevated CO2 mitigates the adverse effects of vapor pressure deficit (dryness) on plants. That's why the global greening trend is most pronounced in the driest regions, like the Sahel (southern Sahara).

@ncdave4life - โœ๏ธ ๐Ÿ‡บ๐Ÿ‡ธ ๐Ÿ‡บ๐Ÿ‡ฆ Dave Burton

15/18ใ€‹ Here's what manmade climate changes is doing in Africa. This is what climate activists are campaigning against: โ€œโ€™Before, there was not a single scorpion, not a single blade of grassโ€ฆ Now you have people grazing their camelโ€ฆ" https://www.sealevel.info/Owen2009_Sahara_Desert_Greening-NatGeo30639457.html https://www.sealevel.info/090731-green-sahara__excerpt_natgeo.png

@ncdave4life - โœ๏ธ ๐Ÿ‡บ๐Ÿ‡ธ ๐Ÿ‡บ๐Ÿ‡ฆ Dave Burton

10/12ใ€•ChatGPT did a good job of โ€โ€โ€โ€explaining how elevated CO2 improves plants' water use efficiency and mitigates drought impacts: โ€โ€โ€œIn agronomy, the effects of elevated CO2 on plant water use efficiency and drought resilience are extensively studied. One of the key mechanisms through which elevated CO2 levels improve water use efficiency is by reducing stomatal conductance and, consequently, water loss through transpiration. โ€โ€โ€โ€โ€โ€ โ€โ€โ€œStomata are small pores on the surface of plant leaves that regulate gas exchange, including the uptake of CO2 for photosynthesis and the release of water vapor through transpiration. When CO2 levels are elevated, plants can maintain the same or higher rate of photosynthesis while reducing stomatal conductance. This reduction in stomatal conductance leads to a decrease in water loss through transpiration without significantly affecting CO2 uptake, resulting in improved water use efficiency.โ€ References: 1. Chun JA, et al. (2011). Effect of elevated carbon dioxide and water stress on gas exchange and water use efficiency in corn. Agricultural and Forest Meteorology, 151(3), pp 378โ€“384. https://doi.org/10.1016/j.agrformet.2010.11.015. 2. O'Leary GJ, et al. (2015). Response of wheat growth, grain yield and water use to elevated CO2 under a Free-Air CO2 Enrichment (FACE) experiment and modelling in a semi-arid environment. Glob Chang Biol. 21(7):2670โ€“2686. https://doi.org/10.1111/gcb.12830 3. Fitzgerald GJ, et al. (2016) Elevated atmospheric [CO2] can dramatically increase wheat yields in semi-arid environments and buffer against heat waves. Glob Chang Biol. 22(6):2269-84. https://doi.org/10.1111/gcb.13263 4. Uddin S, et al. (2018) Elevated [CO2] mitigates the effect of surface drought by stimulating root growth to access sub-soil water. PLoS One. 13(6):e0198928. https://doi.org/10.1371/journal.pone.0198928 5. Taylor, C & Schlenker, W (2021). Environmental Drivers of Agricultural Productivity Growth: CO2 Fertilization of US Field Crops. National Bureau of Economic Research, no. w29320. https://doi.org/10.3386/w29320 6. Chen, Xin et al (2024). The global greening continues despite increased drought stress since 2000. Global Ecology and Conservation, Volume 49, 2024, e02791. https://doi.org/10.1016/j.gecco.2023.e02791.

Effect of elevated carbon dioxide and water stress on gas exchange and water use efficiency in corn CO2 has been predicted to increase in the future, and thus leading to possible changes in precipitation patterns. The objectives of this study were toโ€ฆ sciencedirect.com
Elevated [CO2] mitigates the effect of surface drought by stimulating root growth to access sub-soil water Through stimulation of root growth, increasing atmospheric CO2 concentration ([CO2]) may facilitate access of crops to sub-soil water, which could potentially prolong physiological activity in dryland environments, particularly because crops are more water use efficient under elevated [CO2] (e[CO2]). This study investigated the effect of drought in shallow soil versus sub-soil on agronomic and physiological responses of wheat to e[CO2] in a glasshouse experiment. Wheat (Triticum aestivum L. cv. Yitpi) was grown in split-columns with the top (0โ€“30 cm) and bottom (31โ€“60 cm; โ€˜sub-soilโ€™) soil layer hydraulically separated by a wax-coated, root-penetrable layer under ambient [CO2] (a[CO2], โˆผ400 ฮผmol mol-1) or e[CO2] (โˆผ700 ฮผmol mol-1) [CO2]. Drought was imposed from stem-elongation in either the top or bottom soil layer or both by withholding 33% of the irrigation, resulting in four water treatments (WW, WD, DW, DD; D = drought, W = well-watered, letters denote water treatment in top and bottom soil layer, respectively). Leaf gas exchange was measured weekly from stem-elongation until anthesis. Above-and belowground biomass, grain yield and yield components were evaluated at three developmental stages (stem-elongation, anthesis and maturity). Compared with a[CO2], net assimilation rate was higher and stomatal conductance was lower under e[CO2], resulting in greater intrinsic water use efficiency. Elevated [CO2] stimulated both above- and belowground biomass as well as grain yield, however, this stimulation was greater under well-watered (WW) than drought (DD) throughout the whole soil profile. Imposition of drought in either or both soil layers decreased aboveground biomass and grain yield under both [CO2] compared to the well-watered treatment. However, the greatest โ€˜CO2 fertilisation effectโ€™ was observed when drought was imposed in the top soil layer only (DW), and this was associated with e[CO2]-stimulation of root growth especially in the well-watered bottom layer. We suggest that stimulation of belowground biomass under e[CO2] will allow better access to sub-soil water during grain filling period, when additional water is converted into additional yield with high efficiency in Mediterranean-type dryland agro-ecosystems. If sufficient water is available in the sub-soil, e[CO2] may help mitigating the effect of drying surface soil. journals.plos.org
The global greening continues despite increased drought stress since 2000 Increases or decreases in remote sensing-based vegetation greenness are usually referred to as greening or browning. The CO2 fertilization along with โ€ฆ sciencedirect.com

@ncdave4life - โœ๏ธ ๐Ÿ‡บ๐Ÿ‡ธ ๐Ÿ‡บ๐Ÿ‡ฆ Dave Burton

11/12ใ€•To understand a politicized topic like #ClimateChange, you need balanced information. I'm here to help: https://sealevel.info/learnmore.html?0=dummies That resource list has: โ— accurate introductory climatology information โ— in-depth science from bothโ€Š skeptics & alarmists โ— links to balanced debates between experts on bothโ€Š sides โ— accurate information about impacts of CO2 & climate change, such as the effects on crop yields โ— links to the best blogs on bothโ€Š sides of the climate debate

Learn More About Climate Change - resources sealevel.info

@ncdave4life - โœ๏ธ ๐Ÿ‡บ๐Ÿ‡ธ ๐Ÿ‡บ๐Ÿ‡ฆ Dave Burton

12/12ใ€•So, Ian @ByIanJames, please correct this error in your @LATimes article: https://www.latimes.com/environment/story/2025-03-21/desalination-tech-tested#:~:text=Research%20has%20shown%20that%20human,western%20United%20States

New desalination technology being tested in California could lower costs of tapping seawater A new desalination technology is undergoing testing in Southern California. Water managers hope it will offer an environmentally friendly way of tapping the Pacific Ocean. latimes.com

@ncdave4life - โœ๏ธ ๐Ÿ‡บ๐Ÿ‡ธ ๐Ÿ‡บ๐Ÿ‡ฆ Dave Burton

@ByIanJames @latimes Compilation: https://twitter-thread.com/t/1904008142742012327 @ThreadReaderApp @Rattibha @threaddotblue unroll @reSeeIt save thread @HeyGenLabs

1/12ใ€•Ian James @ByIanJames, you reported that, "Research has shown that human-caused climate change is driving worsening droughts in the western United States." by @ncdave4life(โœ๏ธ ๐Ÿ‡บ๐Ÿ‡ธ ๐Ÿ‡บ๐Ÿ‡ฆ Dave Burton) | Twitter Thread Reader 1/12ใ€•Ian James @ByIanJames, you reported that, "Research has shown that human-caused climate change is driving worsening droughts in the western United States." That is false. Droughts have not worsened, either in the United States, or globally: https://t.co/frrpPFfve0 https://t.co/g3pJTYHynh twitter-thread.com
Saved - February 14, 2025 at 9:13 PM
reSee.it AI Summary
In the final days of the Biden administration, a $50 million grant was awarded to the Tribal Energy Consortium, a nonprofit led by Roger Fragua, who has a questionable financial history. The Trump administration has since launched an investigation into this funding. Fragua also runs the Flower Hill Institute, which shares an address with the Consortium and has faced audits revealing significant financial mismanagement and conflicts of interest. The USDA has received a corrective action plan from Fragua's group, but concerns remain about the potential disbursement of the grant.

@gekaminsky - Gabe Kaminsky

EXCLUSIVE: In its final days, the Biden administration awarded $50 million to an obscure nonprofit whose leader has a history of self-dealing and financial mismanagement, documents show. Now, the Trump administration has launched an investigation and not yet disbursed the funding, officials shared w/ me.๐Ÿงต

@gekaminsky - Gabe Kaminsky

The $50M grant โ€” from the Department of Energy โ€” was approved on Jan. 13 for the Tribal Energy Consortium. It is a 501(c)(3) charity on Indian tribal land focused on energy and mineral development.

@gekaminsky - Gabe Kaminsky

IRS records show the charityโ€™s leader is Roger Fragua, a former Enron Corporation manager and consultant who wears different hats.

@gekaminsky - Gabe Kaminsky

Fragua is also the founder and executive director of the Flower Hill Institute, a charity on tribal land that, in fact, shares a mailing address with the $50 million awardee and Fraguaโ€™s LLC, Cota Holdings.

@gekaminsky - Gabe Kaminsky

Hereโ€™s why thatโ€™s notable: Fraguaโ€™s other charity, also a federal grantee, was found through an independent third-party audit to lack internal controls and violate federal rules. Among other issues, it did not test to see if other contractors could fulfill its needs other than a trio of companies tied to its board members โ€” including Cota Holdings.

@gekaminsky - Gabe Kaminsky

Fraguaโ€™s Cota Holdings raked in hundreds of thousands from his charity, while it also overbilled the Department of Agriculture for reimbursements, the audit documents say.

@gekaminsky - Gabe Kaminsky

The USDA told me it later received a corrective actions plan from Fraguaโ€™s group to address its issues, though tax experts still said these are red flags for the Trump administration to critically investigate before potentially handing the $50M to Fraguaโ€™s Tribal Energy Consortium.

@gekaminsky - Gabe Kaminsky

Read more here @dcexaminer https://www.washingtonexaminer.com/news/investigations/3311236/in-final-days-biden-awarded-50-million-to-self-dealing-charity-leader/

Biden awarded $50M to self-dealing activist - Washington Examiner Along with other Energy Department grants under Biden, the Trump administration is investigating the $50 million handout to the Tribal Energy Consortium. washingtonexaminer.com
Saved - February 14, 2025 at 4:43 PM
reSee.it AI Summary
I shared a list of controversial statements made by RFK Jr. He has made extreme claims about meat producers being a threat to democracy, accused climate deniers of treason, and praised COVID lockdowns for reducing pollution. He supports single-payer healthcare and has made bizarre assertions about vaccines, including linking them to autism and claiming they could have been eliminated with better hygiene. RFK has also called the NRA a terrorist organization and expressed conspiracy theories about 9/11 and HIV. His actions and beliefs raise serious concerns about his credibility.

@davidharsanyi - David Harsanyi

Here's a list of just some of the crackpottery that simping GOP senators are going to let RFK jr walk back today:

@davidharsanyi - David Harsanyi

Claimed that Americans meat producers were a โ€œgreater threat to the United States and U.S. democracy than Osama bin Laden and his terrorist networkโ€ less than a year after 9/11, and that reiterated that opinion years later. https://manhattan.institute/article/osama-the-pigs-the-kennedy

Osama, The Pigs & The Kennedy HAS celebrity environmentalist Robert F. Kennedy Jr. taken leave of his senses, or did he ever have any to begin with? The question arises given the furor that has broken out in Iowa after Kennedy flew in to inform state residents that โ€“ as the Des Moines Register last week quoted him as saying โ€“ [โ€ฆ] manhattan.institute

@davidharsanyi - David Harsanyi

Accused climate deniers of being โ€œtraitorsโ€ and proposed they face criminal prosecution in global courts. RFK is a longtime fan of censorship. https://www.nationalreview.com/2007/07/ignorance-strength-dissent-treason-marlo-lewis/

Ignorance Is Strength, Dissent Is Treason | National Review At last weekendโ€™s Live Earth concert in New Jersey, Robert Kennedy, Jr., a spokesman for the Natural Resources Defense Council (NRDC), charged ExxonMobil and Southern Company with treason, declaring: The most important thing you can do is to ... nationalreview.com

@davidharsanyi - David Harsanyi

Praised the benefits of the COVID lockdowns

@RobertKennedyJr - Robert F. Kennedy Jr

#Coronavirus #lockdown hasnโ€™t just slowed #COVID-19, it reduced lethal air pollution + associated #mortality. When lockdown lifts, risks of status quo will return + could worsen as govs weaken environmental regs + pour billions into polluting industries. https://www.forbes.com/sites/jeffmcmahon/2020/03/29/a-dirty-economic-restart-risks-more-lives-than-the-coronavirus/#8bf3aa63d532

A Dirty Economic Restart Could Kill More People Than The Coronavirus When the coronavirus lockdown lifts, the mortality risks of air pollution and climate change might not just return to normalโ€”they might get worse. forbes.com

@davidharsanyi - David Harsanyi

Supports single-payer socialized medicine and abortion until the moment of crowning. (I'm not sure what he says he believes now. Whatever a suddenly trusting Josh Hawley wants to hear, I guess.)

@davidharsanyi - David Harsanyi

He โ€œwonโ€™t take sidesโ€ on 9/11 conspiracy theories, but called National Rifle Association a โ€œterrorist organization.โ€ https://www.nbcnews.com/politics/2024-election/robert-f-kennedy-jr-wont-take-sides-911-conspiracy-theories-rcna160255

Robert F. Kennedy Jr. says he 'won't take sides' on what happened on 9/11 The independent candidate made the remark in a post on social media, and said later that he was referring to "possible Saudi involvement" in the terror attack. nbcnews.com

@RobertKennedyJr - Robert F. Kennedy Jr

Parkland students are right; the NRA is a terror group

@davidharsanyi - David Harsanyi

Said COVID was engineered to attack black and Caucasian people, but to spare โ€œAshkenazi Jews.โ€ https://nypost.com/2023/07/15/rfk-jr-says-covid-was-ethnically-targeted-to-spare-jews/

RFK Jr. says COVID may have been โ€˜ethnically targetedโ€™ to spare Jews Kennedy โ€”ย a longtime aficionado of conspiracy theories โ€”ย floated the idea during a question and answer portion of a raucous booze and fart filled dinner at Tony's Di Napoli on the Upper East Side on Tuesday. nypost.com

@davidharsanyi - David Harsanyi

Claims that โ€œno vaccine that is safe and effective.โ€ Believes smallpox, polio and measles could have been eliminated with better hygiene. https://apnews.com/article/rfk-kennedy-election-2024-president-campaign-621c9e9641381a1b2677df9de5a09731

RFK Jr. says heโ€™s not anti-vaccine. His record shows the opposite. Itโ€™s one of many inconsistencies As Robert F. Kennedy Jr. challenges President Joe Biden, the stories he tells on the campaign trail about himself, his lifeโ€™s work and what he stands for are often the opposite of what his record shows. apnews.com

@davidharsanyi - David Harsanyi

Wants all fossil fuel energy shut down โ€“ also, nuclear energy; he led the campaign to shut down the Indian Point nuclear facility in New York https://nypost.com/2025/01/27/opinion/senators-vote-no-to-rfk-jr-whos-still-a-radical-left-lunatic-hazardous-to-our-health/

Senators, vote โ€˜noโ€™ on RFK Jr. โ€” whoโ€™s still a โ€˜radical left lunaticโ€™ hazardous to our health Robert F. Kennedy Jr. is still a radical left lunatic who is anti-energy, a โ€œbig timeโ€ taxer and completely incoherent about our nationโ€™s health. nypost.com

@davidharsanyi - David Harsanyi

Claimed we have vaccine-induced โ€œautism epidemicโ€ โ€“ convincing thousands of parents that they are at fault for their childrenโ€™s disability โ€“ which he nauseatingly compared to a โ€œholocaust.โ€ https://www.latimes.com/local/political/la-me-pc-robert-kennedy-jr-apologizes-for-likening-vaccine-impacts-to-holocaust-20150413-story.html

Robert Kennedy Jr. apologizes for likening vaccine effects to 'holocaust' Robert F. latimes.com

@davidharsanyi - David Harsanyi

He says fluoride, which is completely safe at the levels we use it, is โ€œindustrial wasteโ€ and the the water supply is turning kids gay https://www.cnn.com/2023/07/13/politics/robert-kennedy-jr-chemicals-water-children-frogs/index.html

Robert F. Kennedy Jr. repeatedly suggested that chemicals in water are impacting sexuality of children | CNN Politics Democratic presidential candidate Robert F. Kennedy Jr. has a history of repeatedly sharing unfounded conspiracies that man-made chemicals in the environment could be making children gay or transgender and causing the feminization of boys and masculinization of girls. cnn.com

@davidharsanyi - David Harsanyi

Promised to investigate chemtrails. First got into it after hanging out with Woody Harrelson. https://www.newsweek.com/rfk-jr-chemtrails-conspiracy-theory-1987708

What RFK Jr has said about chemtrails conspiracy theory Donald Trump's nominee for Health Secretary has entertained the idea aircraft are spraying aluminum into the environment. newsweek.com

@davidharsanyi - David Harsanyi

For some reason he left a dead bear cub in Central Park. I believe this was after he was charged with heroin possession. So, really, no excuse. https://www.npr.org/2024/08/05/nx-s1-5063939/rfk-jr-central-park-bear-bicycle

@davidharsanyi - David Harsanyi

Claimed that WiFi โ€œradiationโ€ causes cancer as do phones which case โ€œcellphone tumorsโ€ https://www.forbes.com/sites/saradorn/2024/11/15/rfk-jrs-conspiracy-theories-heres-what-trumps-pick-for-health-secretary-has-promoted/

RFK Jr.โ€™s Conspiracy Theories: Hereโ€™s What Trumpโ€™s Pick For Health Secretary Has Promoted Kennedy Jr. suggested that the COVID-19 virus was engineered to give Chinese and Ashkenazi Jewish people immunity. forbes.com

@davidharsanyi - David Harsanyi

Says HIV was โ€œphonyโ€ https://nymag.com/intelligencer/article/robert-f-kennedy-jr-2024-presidential-campaign-democratic-primary.html

Robert F. Kennedy Jr.โ€™s Inside Job The surprisingly popular presidential campaign of Robert F. Kennedy Jr. is based on all sorts of myths โ€” about vaccines, censorship, and how power really works in America. nymag.com

@davidharsanyi - David Harsanyi

RFK is a ridiculous dilettante who would be laughed out of congress if his name wasn't Kennedy. We won't get into his vile personal life, which tells us a lot about the type of man he is.

@davidharsanyi - David Harsanyi

Less than a year ago, RFK supported unrestricted "full-term" abortion. https://www.catholicnewsagency.com/news/257643/rfk-jr-endorses-unrestricted-abortion-even-if-its-full-term

RFK Jr. endorses unrestricted abortion โ€˜even if itโ€™s full termโ€™ โ€œMy belief is that we should leave it to the woman, we shouldnโ€™t have government involved,โ€ Kennedy said on an episode of the โ€œSage Steele Showโ€ aired Wednesday. catholicnewsagency.com

@davidharsanyi - David Harsanyi

RFK said that the Polio vaccine "killed many, many, many, many, many more people than polio" https://www.nytimes.com/2024/12/17/health/robert-f-kennedy-jr-polio-vaccines.html

What Kennedy Has Said About the Polio Vaccine in Recent Years President-elect Donald Trumpโ€™s choice for health secretary has suggested that the polio vaccine cost more lives than it saved and that the vaccine did not wipe out the disease in the U.S. nytimes.com
Saved - February 10, 2025 at 11:13 PM
reSee.it AI Summary
In today's world, misinformation spreads faster than the truth, especially regarding topics like vaccines and GMOs. Anti-science communication thrives on fear, cherry-picked data, and emotional headlines, making it more shareable than factual information. People are drawn to conspiracies that feel empowering, while the damage from this misinformation can lead to preventable diseases and hinder progress in addressing hunger and climate change. To combat this, we need to make science engaging, teach critical thinking, and hold misinformation accountable. Ultimately, we must choose to trust science over fear-driven narratives.

@simonmaechling - Simon Maechling

In todayโ€™s world, misinformation travels faster than the truth. Whether itโ€™s anti-vaxxers, chemophobia, GMO fear, or anti-nuclear. The internet has turned bad science into big business. Hereโ€™s how anti-science communication works, and why itโ€™s so effective ๐Ÿงต: 1/10

@simonmaechling - Simon Maechling

1. Fear is More Viral Than Facts: ๐Ÿšจ โ€œGMOs cause cancer!โ€ ๐Ÿšจ โ€œ5G is frying your brain!โ€ ๐Ÿšจ โ€œThe government is hiding the cure for cancer!โ€ People donโ€™t share boring but accurate statements like: โ€œOverwhelming scientific evidence supports vaccine safety.โ€ 2/10

@simonmaechling - Simon Maechling

2. Why Do People Fall for Anti-Science? โŒ It feels empowering โ€“ They think theyโ€™ve uncovered โ€œhidden truthsโ€ that experts โ€œdonโ€™t want you to know.โ€ โŒ People love โ€œevidenceโ€ that supports what they already believe. โŒ Science is complex. Conspiracies are easy. 3/10

@simonmaechling - Simon Maechling

3. Tactics of Anti-Science Communicators: ๐Ÿ”ธ They cherry-pick data. Using one flawed study to discredit 100s of real ones. ๐Ÿ”ธ They create fake experts. Self-proclaimed โ€œdoctorsโ€ with no credentials. ๐Ÿ”ธ They weaponize uncertainty. โ€œIf science changes, it must be fake!โ€ 4/10

@simonmaechling - Simon Maechling

They share shocking, emotional headlines, even if theyโ€™re false. A fake study with one scary anecdote spreads faster than a 500-page peer-reviewed report. The goal? Confuse the public enough that they distrust real experts. 5/10

@simonmaechling - Simon Maechling

5. The Damage Anti-Science Communication Causes: ๐Ÿšจ Vaccine fear = preventable diseases making a comeback. ๐Ÿšจ Anti-GMO laws = fewer tools to fight hunger and climate change. ๐Ÿšจ Chemophobia = unnecessary bans on safe, effective technology. 6/10

@simonmaechling - Simon Maechling

6. How Do We Fight Anti-Science Communication? โœ… Make real science engaging โ€“ If misinformation is emotional, facts need to be compelling too. โœ… Teach critical thinking โ€“ If people question sources, they wonโ€™t fall for bad ones. 7/10

@simonmaechling - Simon Maechling

โœ… Hold misinformation accountable โ€“ When influencers spread lies, call them out. โœ… Trust expertsโ€”not influencers โ€“ Being loud doesnโ€™t mean being right. Science fights for truth. Misinformation fights for attention. 8/10

@simonmaechling - Simon Maechling

The Takeaway? Anti-science thrives because itโ€™s simple, emotional, and viral. Misinformation is a business - thereโ€™s profit in fear. Fighting anti-science means making real science more accessible, engaging, and trusted. 9/10

@simonmaechling - Simon Maechling

Science isnโ€™t perfect - but itโ€™s the best tool we have to understand reality. The real question is: Will we trust science or let misinformation win? 10/10

Saved - February 10, 2025 at 11:08 PM
reSee.it AI Summary
I believe that distrust in science stems from untrustworthy experts and the prevalence of misinformation. This issue isn't limited to fringe groups; even those with majority opinions can fall prey to confirmation bias due to peer pressure. Ideological extremes can also foster anti-scientific bias. While science should remain neutral, historical examples show that political movements can clash with scientific principles. The Scientific Method, crucial for distinguishing science from other disciplines, is now being undermined in educational settings. Ultimately, the ability to reassess beliefs is vital for both mental health and scientific integrity.

@ncdave4life - โœ๏ธ ๐Ÿ‡บ๐Ÿ‡ธ ๐Ÿ‡บ๐Ÿ‡ฆ Dave Burton

1/7ใ€‹ All of your examples are good, Simon. But I think one of the reasons so many people distrust science is that in some fields "experts" have proven to be untrustworthy. In some fields many so-called experts are just propagandists, or even crackpots. https://youtube.com/watch?v=kVk9a5Jcd1k&lc=UgyqbK1IDJFBj1mrRC54AaABAgโ€ฆ

@simonmaechling - Simon Maechling

In todayโ€™s world, misinformation travels faster than the truth. Whether itโ€™s anti-vaxxers, chemophobia, GMO fear, or anti-nuclear. The internet has turned bad science into big business. Hereโ€™s how anti-science communication works, and why itโ€™s so effective ๐Ÿงต: 1/10

@ncdave4life - โœ๏ธ ๐Ÿ‡บ๐Ÿ‡ธ ๐Ÿ‡บ๐Ÿ‡ฆ Dave Burton

2/7ใ€‹ It's not just fringe actors who "love [only] 'evidence' that supports what they already believe." Among people comfortably sharing a majority opinion, it's even worse, because peer pressure amplifies confirmation bias. https://www.simplypsychology.org/asch-conformity.html Have you heard of the Asch Conformity Line Experiment?

Solomon Asch Conformity Line Experiment Study The Asch paradigm was a series of conformity experiments by Solomon Asch designed to investigate how social pressure from a majority group could influence an individual to conform. simplypsychology.org

@ncdave4life - โœ๏ธ ๐Ÿ‡บ๐Ÿ‡ธ ๐Ÿ‡บ๐Ÿ‡ฆ Dave Burton

3/7ใ€‹ Ideology also can contribute to anti-scientific bias, particularly at the extreme ends of the spectrum. Many articles of faith for leftists are simply incompatible with science. https://sealevel.info/intersectional_blah_blah_blah.html

The lunatics are running the academy sealevel.info

@ncdave4life - โœ๏ธ ๐Ÿ‡บ๐Ÿ‡ธ ๐Ÿ‡บ๐Ÿ‡ฆ Dave Burton

4/7ใ€‹ Science is not fundamentally either Left or Right. But periodically the Left goes to war against science. In the mid-20th century Trofim Lysenko was the communist point man in the Left's war against science. https://www.theatlantic.com/science/archive/2017/12/trofim-lysenko-soviet-union-russia/548786/

The Soviet Era's Deadliest Scientist Is Regaining Popularity in Russia Trofim Lysenkoโ€™s spurious research prolonged famines that killed millions. So why is a fringe movement praising his legacy? theatlantic.com

@ncdave4life - โœ๏ธ ๐Ÿ‡บ๐Ÿ‡ธ ๐Ÿ‡บ๐Ÿ‡ฆ Dave Burton

5/7ใ€‹ The Scientific Method is the foundation of science, the single thing which distinguishes science from all other scholarship. https://sealevel.info/papers.html#whitherscience:~:text=If%20the%20test%20results%20fail,scientist%20worthy%20of%20the%20name But the left-dominated U.S. National Academy of Science now opposes teaching the Scientific Method.

SeaLevel.info notable papers on sea-level and science sealevel.info

@ncdave4life - โœ๏ธ ๐Ÿ‡บ๐Ÿ‡ธ ๐Ÿ‡บ๐Ÿ‡ฆ Dave Burton

@Veritatem2021 @ScienceBlog3 @AndreGrossza @BenKoby1911 @Mark_A_Lunn @judgementalbe1 @AristotleMrs @ChrisBBacon3 @Anvndarnamn5 @Coleski14 @Willard1951 @Michael_D_Crow @wallytoms0 @Climatehope2 @LesserMegadeath @JusticeTrudeau @WernerReinhard5 @S_D_Mannix @ammocrypta @JimBlack48 @glinch72 @Jaisans @DenisDaly @stitchnstab @CarrudoDon @LiveLifeBK24 @TheDisproof @priscian @fischerfischy @Joeyd87745119 @Devonian1342 @Data79504085 @Hji45519156 @waxliberty @SuperFoxyLoxy @JaapTitulaer @wjack76995 @Rocky35418823 @NobaconEgbert @balls95652097 @JustThi30117912 @SniemN @BointonGiles @SeekerTheGreat1 @ubique60 @CDMarshall7 @EthonRaptor @RMcgillss @paligap17 @MaggieL They do the opposite. Here the National Academy of Science instructs schools about how to instruct K-12 students about science โ€” and disparages the foundation of science, itself: the Scientific Method. https://threadreaderapp.com/thread/1643761723994783747.html https://nap.nationalacademies.org/read/13165/chapter/7#43:~:text=the%20mistaken%20impression%20that%20there%20is%20one%20distinctive%20approach%20common%20to%20all%20science%E2%80%94a%20single%20%E2%80%9Cscientific%20method%E2%80%9D

Thread by @ncdave4life on Thread Reader App @ncdave4life: @theNASEM @SciCommAwards 1/5ใ€‹Good grief. Someone pointed out to me this muddled mess from the NAS, which seems designed to confuse teachers and students about what science is: nap.nationalacademies.org...โ€ฆ threadreaderapp.com
Read "A Framework for K-12 Science Education: Practices, Crosscutting Concepts, and Core Ideas" at NAP.edu Read chapter 3 Dimension 1: Scientific and Engineering Practices: Science, engineering, and technology permeate nearly every facet of modern life and hold... nap.nationalacademies.org

@ncdave4life - โœ๏ธ ๐Ÿ‡บ๐Ÿ‡ธ ๐Ÿ‡บ๐Ÿ‡ฆ Dave Burton

6/7ใ€‹ Human beings are instinctively tribal. That results in a great susceptibility to peer pressure. Many people would even rather believe in terrifying horrors than question the doctrines of those they see as their own tribe, no matter how ridiculous.

@ncdave4life - โœ๏ธ ๐Ÿ‡บ๐Ÿ‡ธ ๐Ÿ‡บ๐Ÿ‡ฆ Dave Burton

1/12ใ€‹Many climate activists just PRETEND to be worried about #ClimateChange. They LIKE being alarmed. The proof is in their reactions. When a "worse than we thought" story hits the press, they're gleeful. But when you show them good news, they're angry. https://sealevel.info/learnmore.html?0=greening#greening

Learn More About Climate Change - resources sealevel.info

@ncdave4life - โœ๏ธ ๐Ÿ‡บ๐Ÿ‡ธ ๐Ÿ‡บ๐Ÿ‡ฆ Dave Burton

7/7ใ€‹ Willingness to reevaluate and correct mistaken beliefs is a learned discipline, and it doesn't come easily. That discipline is as essential for mental health as for scientific progress and political sagacity. Unfortunately, it's almost as uncommon as common sense.

@ncdave4life - โœ๏ธ ๐Ÿ‡บ๐Ÿ‡ธ ๐Ÿ‡บ๐Ÿ‡ฆ Dave Burton

Compilation: https://twitter-thread.com/t/1889087376321847733 @ThreadReaderApp @Rattibha @threaddotblue unroll @reSeeIt save thread @HayGenLabs

1/7ใ€‹ All of your examples are good, Simon. But I think one of the reasons so many people distrust science is that in some fields "experts" have proven to be untrustworthy. In some fields many so-called experts are just propagandists, or even crackpots. by @ncdave4life(โœ๏ธ ๐Ÿ‡บ๐Ÿ‡ธ ๐Ÿ‡บ๐Ÿ‡ฆ Dave Burton) | Twitter Thread Reader 1/7ใ€‹ All of your examples are good, Simon. But I think one of the reasons so many people distrust science is that in some fields "experts" have proven to be untrustworthy. In some fields many so-called experts are just propagandists, or even crackpots. https://t.co/xAtCeovzCN https://t.co/gKTKVnrVwz twitter-thread.com
Saved - January 23, 2025 at 6:01 PM

@simonmaechling - Simon Maechling

Name one invention that saved more lives than the Haber-Bosch process. It enabled large-scale ammonia synthesis, revolutionizing agriculture with synthetic fertilizers. This invention sustains billion of people, preventing starvation and malnutrition worldwide. https://t.co/RYxm3WGtkR

Saved - January 11, 2025 at 11:59 PM

@WeatherProf - Jeff Berardelli

New study LA fires: โ€œConditions are upย to 5ยฐC warmer, 15% drier & 20% windier now compared to past. We ascribe the strengthened winds, higher temps & drier conditions to human-driven climate change. Natural climate variability likely played a minor role.โ€ https://www.climameter.org/20250107-08-california-wildfires

ClimaMeter - 2025/01/07-08 California wildfires January 2025 California wildfires have been fueled by meteorological conditions strengthened by human-driven climate change Contact Authors Greta Cazzaniga, IPSL-CNRS, France ๐Ÿ“จ greta.cazzaniga@lsce.ipsl.fr ๐Ÿ—ฃ๏ธ Italian, English, French Davide Faranda, IPSL-CNRS, France ๐Ÿ“จ climameter.org
Saved - January 6, 2025 at 11:16 AM
reSee.it AI Summary
I explored the MBH98 hockey stick graph and discovered an older reconstruction was mistakenly used in one figure. My goal is to reproduce and extend the post-1600 portion of the reconstruction, utilizing data from 62 proxies. I identified the proxies and found that 59 were weighted, while three coral records were excluded. After extracting proxy weights, I successfully emulated the reconstruction back to 1760 and further to 1400, noting that the warmest year was 1566. The emulation is available on GitHub for further exploration.

@detgodehab - Savonarola

MBH98 features its famous hockey stick graph in two figures. By mistake, an older version of the reconstruction was actually used for one of the figures. I like a good puzzle so decided to do some reverse engineering on the "old" MBH98 reconstruction. ๐Ÿงต

@detgodehab - Savonarola

MBH98 uses the old reconstruction for signal detection. Since the forcing data begins in the early 1600s, only the post-1600 portion of the reconstruction is shown in the paper. The goal of this thread is to reproduce that part of the reconstruction and then extend it.

@detgodehab - Savonarola

The post-1760 portion also appears in an earlier paper by Mann and Bradley (MB98). This paper will be useful.

@detgodehab - Savonarola

Figure 1 of MB98 shows a map of 62 proxies from 58 locations. Let's start by identifying these proxies. We can make use of the fact that in periods with constant sample depth, the temperature reconstruction is a linear combination of the underlying proxy records.

@detgodehab - Savonarola

All MBH98 proxies have data back to 1820, so let's project that part of the old reconstruction on the final set of 112 proxies. To get a perfect fit, we must also include a few "dirty laundry" series. The proxy data is available on @ncdave4life's website: https://sealevel.info/FOIA/2009/FOIA/documents/mbh98-osborn/

@detgodehab - Savonarola

The coefficients indicate that 59 proxy records were used. They are a subset of the 62 proxies marked on the map. The three unused proxies are coral records from the Galapagos Islands, the Great Barrier Reef and Espiritu Santo.

@detgodehab - Savonarola

So we know which proxies were used. MB98 also specifies which temperature principal components were used to calibrate the proxies. But the MBH98 algorithm doesn't produce the old reconstruction from this input. At least not with default settings...

@detgodehab - Savonarola

The fact that 62 proxies are shown in MB98 but only 59 have nonzero coefficients suggests that the proxies were weighted (i.e. scaled after standardization), with zero weight assigned to the three unused coral records.

@detgodehab - Savonarola

Weighting of proxies was a non-default setting in the MBH98 computer program and wasn't used for the final reconstruction. As an aside, for their emulation of MBH98, Wahl and Ammann didn't use weights either and called it a "significant methodological simplification." ๐Ÿคจ

@detgodehab - Savonarola

Curiously, a file in the mbh98-osborn archive assigns zero weight to the three unused coral records, but the reconstruction isn't reproducible using these weights. We'll need to reverse engineer the correct values.

@detgodehab - Savonarola

A standard nonlinear least-squares solver (Levenberg-Marquardt algorithm) finds the approximate weights in a few iterations. ๐Ÿ‘

@detgodehab - Savonarola

With the proxy weights successfully extracted, the emulation is exact back to 1760. MB98 doesn't specify which temperature PCs were used further back, so we'll reverse engineer this as well. More linear algebra...

@detgodehab - Savonarola

The reconstruction is a linear combination of the proxies, but also of the columns of PWยฒPโ‚€แต€Uโ‚€, where P is the proxy matrix, Pโ‚€ is the calibration-period submatrix of P, W is the weight matrix and Uโ‚€ is a matrix of temperature PCs. See @ClimateAudit: https://climateaudit.org/2008/04/05/squared-weights-in-mbh98/

Squared Weights in MBH98 A couple of weeks ago, I said that I would document (at least for Jean S and UC) an observation about the use of squared weights in MBH98. I realize that most readers won't be fascinated with this particular exposition, but indulge us a little since this sort of entry is actually a very usefulโ€ฆ climateaudit.org

@detgodehab - Savonarola

By projecting the reconstruction on the column space of PWยฒPโ‚€แต€Uโ‚€ over periods with constant sample depth, we see which temperature PCs were used.

@detgodehab - Savonarola

Temperature PCs 1, 2, 3 and 5 were used back to 1760, as stated in MB98 and as we have seen. For the period 1610โ€“1759, only the first two PCs were used. With these PC selections, the emulation is exact back to 1610, which is when the archived data begins.

@detgodehab - Savonarola

Comparing with Figure 7 of MBH98, the emulation looks accurate back to 1600 as well.

@detgodehab - Savonarola

MB98 states that the reconstruction is highly skilful back to 1450. Judging by the proxy map, 1400 might be the actual start year.

@detgodehab - Savonarola

To extend the emulation, we again need to know which temperature PCs to reconstruct. According to the algorithm description, the number of retained PCs decreases back in time, so let's keep one or two PCs for the period before 1600.

@detgodehab - Savonarola

Here is the emulation back to 1400. Whether one or two temperature PCs are used, the early and late 1400s are about as warm as the modern end of the reconstruction. The warmest year is 1566.

@detgodehab - Savonarola

This obviously changed when the proxy weights were dropped, and questionable bristlecone pine chronologies were added to the proxy network and mined for by the peculiar PCA method.

@detgodehab - Savonarola

As a final note, it may or may not be possible to work out which PCs were selected for the earliest period. MB98 gives a brief description of the selection rule and refers to MBH98 for the details, but MBH98 gives a different rule. What rule they really used is anyone's guess.

@detgodehab - Savonarola

The emulation is on GitHub: https://github.com/klimatsmart/mbh98emu/ Thanks for reading! ๐ŸŒŸ

GitHub - klimatsmart/mbh98emu: MBH98 emulation MBH98 emulation. Contribute to klimatsmart/mbh98emu development by creating an account on GitHub. github.com
Saved - October 23, 2024 at 2:54 PM
reSee.it AI Summary
I've been discussing a troubling legal trend where pro-abortion officials in states like NY, CO, and CA are attempting to ban pro-life speech. They are targeting doctors and pregnancy centers that inform women about abortion pill reversal (APR), a safe treatment using progesterone. Despite claims of misleading information, evidence shows APR is effective and has saved lives. Many women who regretted taking the abortion pill are grateful for the support they received. These officials are misusing their power, and I'm committed to fighting back against these restrictions on free speech.

@ADFLegal - Alliance Defending Freedom

"Pro-choice"? Not so much. A thread about a shocking new legal tactic we're seeing from pro-abortion officials in multiple states. ๐Ÿ‘‡

@ADFLegal - Alliance Defending Freedom

Weโ€™re currently litigating cases in NY, CO, and CA where state officials have tried to ban/punish pro-life speech. These officials are trying to punish doctors, nurses & pregnancy centers who provide a treatment called abortion pill reversal (APR)... or even TELL women about it.

@ADFLegal - Alliance Defending Freedom

These politicians accuse APR providers of โ€œmisleadingโ€ women. But the evidence says otherwise. APR uses progesterone, a natural hormone which has been safely prescribed to pregnant women for decades. Progesterone can counter the deadly effects of mifepristone when taken in time.

@ADFLegal - Alliance Defending Freedom

Statistics suggest APR has an effectiveness rate of 64-68%. It's safe for mom & baby and has likely saved thousands of lives, including... - a baby girl born to Atoria in 2022 (CA) - a baby girl born to Mackenna in 2024 (CO - pictured) - a baby boy born to Desirae in 2024 (CA)

@ADFLegal - Alliance Defending Freedom

All three of these women are incredibly grateful for the pregnancy centers and healthcare providers who helped them use APR to undo a decision they immediately regretted: taking the first abortion pill. All three of these babies were born healthy and are deeply loved.

@ADFLegal - Alliance Defending Freedom

Itโ€™s hard to believe ANYONE would oppose this happy outcome, or this lifesaving choice. But if government officials in these states had gotten their way, these women would have been forced to have abortions they didnโ€™t want. And these babies would have never been born.

@ADFLegal - Alliance Defending Freedom

These officials are abusing their power. They have no right to punish speech about a safe, legal treatment. But they're also showing how extreme the modern pro-abortion movement is. Thereโ€™s nothing โ€œpro-choiceโ€ about banning speech so women are forced to have unwanted abortions.

@ADFLegal - Alliance Defending Freedom

In NY, CO, CA, and other states, ADF is fighting back. Weโ€™re suing officials and challenging laws that trample free speech and trap women in unwanted abortions. You can help. Learn more and join our work defending pro-life pregnancy centers at adflegal.org/wecare

Saved - October 10, 2024 at 7:15 AM

@sesaunders101 - Sherrie Saunders

I have read this perverse editorial @doritmi ... Your argument is blatantly one sided.. Your Opinion.. Is mute... blogs.harvard.edu/billofhealth/2โ€ฆ

Saved - October 2, 2024 at 8:12 PM

@DrJeffMasters - Jeff Masters

Join me Wednesday night at 8:30 pm EDT at http://blueskiesbluewaters.com where I'll discuss 4 ways climate change made Hurricane Helene worse. The site aims to fundraise for the Harris/Walz campaign, promote climate action, and raise awareness of the climate-unfriendly Project 2025.

Blue Skies ๐ŸŒŽ Blue Waters for Harris blueskiesbluewaters.com
Saved - August 14, 2024 at 3:42 PM

@ssgovforum - SSF

#Florida #residents should flee to these 2 popular #states before #climatechange decimates #home #VALUES https://www.businessinsider.com/real-estate-housing-market-outlook-climate-change-flood-insurance-burt-2024-8?utmSource=twitter&utmContent=referral&utmTerm=topbar&referrer=twitter via @businessinsider

Florida residents should flee to these 2 popular states before climate change decimates home values Climate change will lead to warmer temperatures, intense storms, and higher flood insurance costs. Here's how to avoid a 60% real-estate market crash. businessinsider.com
Saved - August 11, 2024 at 12:15 PM

@ChrisMartzWX - Chris Martz

โ€œIf science can't be questioned, it's not science anymore. It's propaganda, and that's the truth.โ€ โ€“ Aaron Rodgers

Saved - July 25, 2024 at 12:27 AM
reSee.it AI Summary
I see @CNN is hyping up the upcoming presidential debate as "unprecedented," but honestly, it's just a debate and likely won't be very good. While many believe debates are a staple of American politics, they only became recognizable with the Nixon/Kennedy debate in 1960, and regular debates didn't start until 1976 with Ford and Carter. Despite their shortcomings, Ford and Carter displayed thoughtfulness and decency in their debate. We have the politics we deserve because we tolerate and often demand it.

@JamesRHarrigan - James R. Harrigan

. @CNN is hyping its "unprecedented" presidential debate. Please. It's a debate. And it won't even be a good one.

@JamesRHarrigan - James R. Harrigan

That said, people do seem to think that debates are woven into the fabric of American presidential politics, They're not. The first one that we had that would be recognizable to contemporary American eyes was Nixon/Kennedy in 1960.

@JamesRHarrigan - James R. Harrigan

After that we didn't have another until Ford/Carter in 1976. From that point on debates have been a regular feature, but this is all a relatively new thing.

@JamesRHarrigan - James R. Harrigan

No one will ever accuse Ford or Carter of being great statesmen, but I urge you to go watch their debate. They were thoughtful, decent, and charitable. Then take a look at what will doubtlessly be on offer tonight. Then remember...we get the politics we deserve.

@JamesRHarrigan - James R. Harrigan

We have what we have because we put up with it, and in many cases we have demanded it.

Saved - July 9, 2024 at 2:57 PM
reSee.it AI Summary
Climate activists predicted that a 1.5ยฐC temperature increase would be disastrous, but nothing bad happened. The mild weather in 2023 was due to factors like El Niรฑo, reduced air pollution, and volcanic activity. Storms have not worsened, and some categories of storms have decreased. Elevated CO2 levels improve crop yields and make plants more water-efficient and drought resilient. Global food security has improved, and famines are becoming rare. Coastal sea-level trends remain slow, and local factors often overshadow global trends. The end of catastrophic famines is a significant achievement. Balanced information on climate change is available.

@ncdave4life - โœ๏ธ ๐Ÿ‡บ๐Ÿ‡ธ ๐Ÿ‡บ๐Ÿ‡ฆ Dave Burton

1/15โ‰ซ Dr. Belch (why oh why isn't she a gastroenterologist?) seems not to recognize the significance of the story. Climate activists predicted that if Earth's average temperature got to 1.5ยฐC above the pre-industrial (late Little Ice Age) baseline it would be a disaster. But they did, and nothing bad happened. The significance of that is that it means the climate activists were completely wrong.

@JillBelch - Dr Jill Belch

So climate deniers who say โ€˜itโ€™s a scamโ€™, where are you now? #NotAClimateScam Temperatures 1.5C above pre-industrial era average for 12 months, data shows. Copernicus #ClimateChange Service says results show a โ€˜large & continuing shiftโ€™ in the climate. https://www.theguardian.com/environment/article/2024/jul/08/temperatures-1-point-5c-above-pre-industrial-era-average-for-12-months-data-shows?CMP=Share_iOSApp_Other

Temperatures 1.5C above pre-industrial era average for 12 months, data shows Copernicus Climate Change Service says results a โ€˜large and continuing shiftโ€™ in the climate theguardian.com

@ncdave4life - โœ๏ธ ๐Ÿ‡บ๐Ÿ‡ธ ๐Ÿ‡บ๐Ÿ‡ฆ Dave Burton

2/15โ‰ซ In case you're wondering, the 4 known factors which caused 2023 to be so mild were: 1. A strong El Niรฑo spike. And 2. IMO 2020 shipping regulations drastically reduced sulfate aerosol air pollution (The IMO says they resulted in "an estimated 46% decrease in ship-emitted aerosols," which equates to a sudden 10% decrease in total global SO2 emissions, which is a large improvement in a short time, with a significant warming effect). And 3. The unusual 2022 Hunga Tonga eruption, which humidified the stratosphere. And 4. Also a little bit of warming from the ongoing slow rise in atmospheric CO2 levels (though only about 25 ppmv/decade). It's all good, though (unfortunately) #1 & #3 are temporary.

@ncdave4life - โœ๏ธ ๐Ÿ‡บ๐Ÿ‡ธ ๐Ÿ‡บ๐Ÿ‡ฆ Dave Burton

3/15โ‰ซ Q: And what was the result of all that warmth? A: Nothing. Nothing bad, anyhow. We still get storms, but they're no worse than in the past. https://sealevel.info/learnmore.html?0=hurricanes

Learn More About Climate Change - resources sealevel.info

@ncdave4life - โœ๏ธ ๐Ÿ‡บ๐Ÿ‡ธ ๐Ÿ‡บ๐Ÿ‡ฆ Dave Burton

4/15โ‰ซ In fact, some categories of storms have decreased. https://climateataglance.com/climate-at-a-glance-tornadoes/

Tornadoes According to a reports by the United Nations, โ€œThere is low confidence in observed trends in small spatial-scale phenomena such as tornadoes.โ€ climateataglance.com

@ncdave4life - โœ๏ธ ๐Ÿ‡บ๐Ÿ‡ธ ๐Ÿ‡บ๐Ÿ‡ฆ Dave Burton

5/15โ‰ซ Although droughts still happen, drought impacts are reduced, because elevated CO2 levels make plants more water-efficient and drought resilient. Refs:

@ncdave4life - โœ๏ธ ๐Ÿ‡บ๐Ÿ‡ธ ๐Ÿ‡บ๐Ÿ‡ฆ Dave Burton

1/7. This PBS piece is extremely misleading. Elevated CO2 greatly improves crop yields, and it mitigates drought impacts, by improving plants' water use efficiency (WUE) and drought resilience. See: https://www.masterresource.org/carbon-dioxide/co2-increased-water-use-efficiency/ I asked ChatGPT to explain the mechanism by which agronomists have found that elevated CO2 improves crops' WUE and drought resilience. It did a good job: โ€โ€โ€โ€โ€โ€ โ€โ€ โ€โ€โ€โ€โ€โ€ โ€โ€ โ€โ€โ€โ€โ€โ€ โ€โ€โ€โ€โ€โ€ โ€โ€ โ€โ€โ€โ€โ€โ€ โ€โ€ โ€โ€โ€โ€โ€โ€ โ€โ€ โ€โ€โ€โ€โ€โ€ โ€โ€ โ€โ€โ€โ€โ€โ€ โ€โ€ โ€โ€โ€โ€โ€โ€ โ€โ€ โ€โ€โ€โ€โ€โ€ โ€โ€ โ€โ€โ€โ€โ€โ€ โ€โ€ โ€โ€โ€โ€โ€โ€ โ€โ€ โ€โ€โ€โ€โ€โ€ โ€โ€ โ€โ€โ€โ€โ€โ€ โ€โ€ โ€โ€โ€โ€โ€โ€ โ€โ€ โ€โ€โ€โ€โ€โ€ โ€โ€ โ€โ€โ€โ€โ€โ€ โ€โ€ โ€โ€โ€โ€โ€โ€ โ€โ€ โ€โ€โ€โ€โ€โ€ โ€โ€ โ€โ€โ€โ€โ€โ€ โ€โ€ โ€โ€โ€โ€โ€โ€ โ€โ€๊ง๊ง‚ In agronomy, the effects of elevated CO2 on plant water use efficiency and drought resilience are extensively studied. One of the key mechanisms through which elevated CO2 levels improve water use efficiency is by reducing stomatal conductance and, consequently, water loss through transpiration. Stomata are small pores on the surface of plant leaves that regulate gas exchange, including the uptake of CO2 for photosynthesis and the release of water vapor through transpiration. When CO2 levels are elevated, plants can maintain the same or higher rate of photosynthesis while reducing stomatal conductance. This reduction in stomatal conductance leads to a decrease in water loss through transpiration without significantly affecting CO2 uptake, resulting in improved water use efficiency. Several studies have quantified the effect of elevated CO2 on stomatal conductance and transpiration. For example, a meta-analysis published in 2013 (Kimball et al., 2013) found that under elevated CO2 levels, stomatal conductance decreased by an average of 22%, while transpiration decreased by only 17%. This indicates that plants under elevated CO2 levels were able to reduce water loss more efficiently than they reduced CO2 uptake, leading to an overall improvement in water use efficiency. Improvements in water use efficiency due to elevated CO2 levels can increase plants' drought resilience by allowing them to maintain adequate hydration during periods of water scarcity. This can be particularly beneficial in arid and semi-arid regions where water availability is limited. Overall, the literature suggests that elevated CO2 levels can improve water use efficiency in plants by reducing stomatal conductance and water loss through transpiration, which can enhance their resilience to drought conditions.

CO2 Enrichment Improves Plant Water-Use Efficiency - Master Resource โ€œGratefully, nature does not have to wait another century or so for the airโ€™s CO2ย concentration to double before reaping benefits from enhanced water use efficiency. It has already begun to profit in this regard from the approximate 50% increase in atmospheric CO2ย that has occurred since the Industrial Revolution began.โ€ In my last article I wrote [โ€ฆ] masterresource.org

@ncdave4life - โœ๏ธ ๐Ÿ‡บ๐Ÿ‡ธ ๐Ÿ‡บ๐Ÿ‡ฆ Dave Burton

6/15โ‰ซ Along with improved crop yields from "CO2 fertilization," that has greatly improved global food security and decreased famine risk. Global crop yields are near or above all-time records. Refs: https://ourworldindata.org/crop-yields https://sealevel.info/ourworldindata_cereal_yield_4regions_1961_and_2022_annot1.png

Crop Yields Increasing crop yields is crucial to improve food security, living standards, and reduce human impacts on the environment. ourworldindata.org

@ncdave4life - โœ๏ธ ๐Ÿ‡บ๐Ÿ‡ธ ๐Ÿ‡บ๐Ÿ‡ฆ Dave Burton

7/15โ‰ซ Thanks to mild 2022-23 and 2023-24 winters, Germany got by without needing Russian gas โ€” which is a very good thing, since they can't get it anymore. https://www.brookings.edu/articles/how-did-germany-fare-without-russian-gas/

How did Germany fare without Russian gas? | Brookings After the Russian invasion of Ukraine, there was a heated debate in Germany about whether to embargo the import of Russian natural gas as a sanction against Russiaโ€™s aggression. Before Germany could act, Russian began cutting the flow of gas to Germany, eventually halting it entirely. On this episode of the Brookings Podcast on Economic Activity, Benjamin Moll and Georg Zachmann talk with Economic Studies Director Ben Harris about their BPEA paper on how Germany navigated this tense situation and their prior work that helped spur the โ€œGreat German Gas Debate.โ€ brookings.edu

@ncdave4life - โœ๏ธ ๐Ÿ‡บ๐Ÿ‡ธ ๐Ÿ‡บ๐Ÿ‡ฆ Dave Burton

8/15โ‰ซ Coastal sea-level trends are about the same as they were seventy years ago (i.e., very slow/slight). https://sealevel.info/learnmore.html

Learn More About Climate Change - resources sealevel.info

@ncdave4life - โœ๏ธ ๐Ÿ‡บ๐Ÿ‡ธ ๐Ÿ‡บ๐Ÿ‡ฆ Dave Burton

9/15โ‰ซ Honolulu is arguably the best quality sea-level measurement record in the world. It's near the middle of the world's largest ocean. It has 119 years of continuous measurements, from a near ideal location, without even a single missing month of data. It shows: https://sealevel.info/MSL_graph.php?id=honolulu https://sealevel.info/1612340_Honolulu_thru_2023-04_vs_CO2_annot1_1186x700.png Linear trend = 1.54 ยฑ0.20 mm/yr (6 inches/century) Acceleration = 0.000 ยฑ0.013 mm/yrยฒ (perfectly linear)

@ncdave4life - โœ๏ธ ๐Ÿ‡บ๐Ÿ‡ธ ๐Ÿ‡บ๐Ÿ‡ฆ Dave Burton

10/15โ‰ซ Note that there's been no detectable acceleration in the sea-level trend there. That's typical: some long measurement records show negligible acceleration, and others show none at all. Here's a Dutch measurement record with 158 years of continuous data! https://sealevel.info/MSL_graph.php?id=Harlingen&boxcar=1&boxwidth=3 https://sealevel.info/Dutch_dike_vs_Harlingen_sea-level_trend_1880x940_v06.png

@ncdave4life - โœ๏ธ ๐Ÿ‡บ๐Ÿ‡ธ ๐Ÿ‡บ๐Ÿ‡ฆ Dave Burton

11/15โ‰ซ In fact, the "global" (average) coastal sea-level trend is so slight & slow that in many places it is dwarfed by local factors, like erosion, sedimentation, and/or vertical land motion. @GretaThunberg's hometown of Stockholm is one such place. https://sealevel.info/MSL_graph.php?id=Stockholm&c_date=2002/4-2014/3&lin_ci=0 https://sealevel.info/050-141_Stockholm_Sweden_1889-2020_smoothed_vs_CO2_annot1.png

@ncdave4life - โœ๏ธ ๐Ÿ‡บ๐Ÿ‡ธ ๐Ÿ‡บ๐Ÿ‡ฆ Dave Burton

12/15โ‰ซ The one really important change due to carbon emissions is a monumentally important improvement over the the last half century or so: the end of catastrophic famines. References: https://sealevel.info/Famine-death-rate-since-1860s-revised-annot1.png

@ncdave4life - โœ๏ธ ๐Ÿ‡บ๐Ÿ‡ธ ๐Ÿ‡บ๐Ÿ‡ฆ Dave Burton

3/7. The beneficial effects of elevated CO2 are helping make famines rare for first time in human history. If you're too young to understand how important that is, count yourself blessed! Famine used to be a scourge comparable to war & disease. https://sealevel.info/learnmore.html?0=famine https://ourworldindata.org/famines

Learn More About Climate Change - resources sealevel.info
Famines In many parts of the world famines have been common in the past. What causes famines? How can famines be averted? ourworldindata.org

@ncdave4life - โœ๏ธ ๐Ÿ‡บ๐Ÿ‡ธ ๐Ÿ‡บ๐Ÿ‡ฆ Dave Burton

13/15โ‰ซ That's right: catastrophic famines are fading from living memory, for the very first time. For all of human history, famine (usually caused by drought) was one of the great scourges of mankind, the Third Horseman of the Apocalypse โ€” until now!

@ncdave4life - โœ๏ธ ๐Ÿ‡บ๐Ÿ‡ธ ๐Ÿ‡บ๐Ÿ‡ฆ Dave Burton

@PeterGleick @MichaelEMann @PSUClimate 12/19 That is BY FAR the MOST important thing: eCO2 is a major factor helping make food plentiful & famine rare. https://ourworldindata.org/famines Bye bye, Third Horseman of the Apocalypse! One down, War & Pestilence to go! https://sealevel.info/Famine-death-rate-since-1860s-revised-annot1.png

Famines In many parts of the world famines have been common in the past. What causes famines? How can famines be averted? ourworldindata.org

@ncdave4life - โœ๏ธ ๐Ÿ‡บ๐Ÿ‡ธ ๐Ÿ‡บ๐Ÿ‡ฆ Dave Burton

@GretaThunberg 14/15โ‰ซ If you're too young to recognized what a miracle that is, count yourself blessed. In large part because of elevated CO2 levels, catastrophic famines no longer happen.

@ncdave4life - โœ๏ธ ๐Ÿ‡บ๐Ÿ‡ธ ๐Ÿ‡บ๐Ÿ‡ฆ Dave Burton

17/18ใ€‹ Ending famine is a VERY Big Deal, comparable to ending war and disease. Compare: โ— Covid-19 killed 0.1% of world population. โ— 1918 flu pandemic killed about 2%. โ— WWII killed 2.7%. โ— The near-global drought & famine of 1876-78 killed about 3.7% of the world's population.

@ncdave4life - โœ๏ธ ๐Ÿ‡บ๐Ÿ‡ธ ๐Ÿ‡บ๐Ÿ‡ฆ Dave Burton

15/15โ‰ซ To understand a highly politicized issue like climate change, you need balanced information. I'm here to help: https://sealevel.info/learnmore.html?0=madrasfamine#benefits It has: โ— accurate introductory climatology information โ— in-depth science from BOTH skeptics & alarmists โ— links to balanced debates between experts on BOTH sides โ— accurate information about climate impacts โ— links to the best blogs on BOTH sides

Learn More About Climate Change - resources sealevel.info

@ncdave4life - โœ๏ธ ๐Ÿ‡บ๐Ÿ‡ธ ๐Ÿ‡บ๐Ÿ‡ฆ Dave Burton

@GretaThunberg Compilation: https://twitter-thread.com/t/1810688760646177040 @ThreadReaderApp @Rattibha @threaddotblue unroll @reSeeIt save thread

1/15โ‰ซ Dr. Belch (why oh why isn't she a gastroenterologist?) seems not to recognize the significance of the story. by @ncdave4life(โœ๏ธ ๐Ÿ‡บ๐Ÿ‡ธ ๐Ÿ‡บ๐Ÿ‡ฆ Dave Burton) 1/15โ‰ซ Dr. Belch (why oh why isn't she a gastroenterologist?) seems not to recognize the significance of the story. Climate activists predicted that if Earth's average temperature got to 1.5ยฐC above the pre-industrial (late Little Ice Age) baseline it would be a disaster. But they did, and nothing bad happened. The significance of that is that it means the climate activists were completely wrong. twitter-thread.com
Saved - July 4, 2024 at 10:21 AM
reSee.it AI Summary
Climate activists like Prof. Christopher Taylor blocking publication and denying tenure to professors with differing opinions corrupts academia and distorts science. The existence of a consensus is not debated unless there is no consensus. The climate industry promotes a false consensus about the "climate crisis." Censorship is prevalent in climate activism, suppressing dissenting viewpoints. Meaningful discussions about climate can be found on skeptic blogs. Being a climate realist can hinder career prospects in leftist-controlled schools. The late Prof. Freeman Dyson believed that manmade climate change is modest and CO2 emissions are beneficial. The real climate debate is about the predictions of CO2 emissions' benefits. Balanced information is crucial to understanding climate change.

@ncdave4life - โœ๏ธ ๐Ÿ‡บ๐Ÿ‡ธ ๐Ÿ‡บ๐Ÿ‡ฆ Dave Burton

1/10. When climate activists like Prof. Christopher Taylor have the power to block publication and deny tenure to young professors with differing opinions, it corrupts academia and distorts science. https://sealevel.info/ammocrypta_1808686484867760224_has_chaired_tenure_and_promotion_committee_for_8yrs.png https://x.com/ammocrypta/status/1808686484867760224

@ammocrypta - Christopher Taylor

@3GHtweets @joe51du @Veritatem2021 @Anymous84861064 @tonyjsargeant @Willard1951 @Rabs1958 @ncdave4life @JohnWil12363553 @DenisDaly @MartinDn1001 @AristotleMrs @S_D_Mannix @ozzorro1 @GillesnFio @SpudNielsen @MarcEHJones @bomac_macbo @BenKoby1911 @Devonian1342 @GAJAJW @Jaisans @bulkbiker @Climatehope2 @Data79504085 @Mark_A_Lunn @Anvndarnamn5 @Michael_D_Crow @Hji45519156 @waxliberty @priscian @SuperFoxyLoxy @ChrisBBacon3 @JaapTitulaer @wjack76995 @Rocky35418823 @NobaconEgbert @balls95652097 @BointonGiles @SeekerTheGreat1 @ubique60 @EthonRaptor @RMcgillss @paligap17 @TheDisproof @MaggieL @Willy1000 @AuroriaTwittori @curryja @ClimateAudit No it doesnโ€™t. Iโ€™ve chaired an annual review and tenure and promotion committee for the past 8 yrs. โ€œConsensusโ€ never came up. Thatโ€™s an even dumber comment than you made before. Wow.

@ncdave4life - โœ๏ธ ๐Ÿ‡บ๐Ÿ‡ธ ๐Ÿ‡บ๐Ÿ‡ฆ Dave Burton

2/10. Scientific consensuses exist about many things, but we don't talk much about them, because we don't disagree about them. If there's a hot debate about the existence of a consensus, it means there's no consensus.

@ncdave4life - โœ๏ธ ๐Ÿ‡บ๐Ÿ‡ธ ๐Ÿ‡บ๐Ÿ‡ฆ Dave Burton

3/10. One of the dishonest tactics used by the parasitic climate industry to promote their products is to pretend there's a scientific consensus that the "climate crisis" is real. That's a plain lie.

@ncdave4life - โœ๏ธ ๐Ÿ‡บ๐Ÿ‡ธ ๐Ÿ‡บ๐Ÿ‡ฆ Dave Burton

@Willard1951 @joe51du @JohnWil12363553 @DenisDaly @3GHtweets @GillesnFio @MarcEHJones @Veritatem2021 @JohnNickla68342 @Anymous84861064 @MartinDn1001 @tonyjsargeant @ammocrypta @Rabs1958 @AristotleMrs @S_D_Mannix @Camburnclimate @ozzorro1 @SpudNielsen @bomac_macbo @BenKoby1911 @Devonian1342 @GAJAJW @Jaisans @bulkbiker @Climatehope2 @Data79504085 @Mark_A_Lunn @Anvndarnamn5 @Michael_D_Crow @Hji45519156 @waxliberty @priscian @SuperFoxyLoxy @ChrisBBacon3 @JaapTitulaer @wjack76995 @Rocky35418823 @NobaconEgbert @balls95652097 @BointonGiles @SeekerTheGreat1 @ubique60 @EthonRaptor @RMcgillss @paligap17 @TheDisproof @MaggieL @Willy1000 @AuroriaTwittori The reason that climate industry propagandists ask only "gimme" questions in their polls is that that know that if they asked meaningful questions they'd find nothing resembling a consensus. Most thoughtful scientists are skeptical of climate alarmism.

@ncdave4life - โœ๏ธ ๐Ÿ‡บ๐Ÿ‡ธ ๐Ÿ‡บ๐Ÿ‡ฆ Dave Burton

4/10. Censorship is a fundamental part of climate activism. One of the main ways climate activists promote the lie that there's a "consensus" among scientists for the so-called "climate crisis" is by suppressing viewpoints which differ from their own.

@ncdave4life - โœ๏ธ ๐Ÿ‡บ๐Ÿ‡ธ ๐Ÿ‡บ๐Ÿ‡ฆ Dave Burton

5/10. That's why most climate alarmist blogs are heavily censored to quash dissent, as are platforms like YouTube. To have meaningful online discussions about climate, you must go to blogs run by skeptics of climate alarmism, like WUWT, ClimateEtc, etc. https://wattsupwiththat.com/ https://judithcurry.com/ https://drroyspencer.com/ https://climateaudit.org/

Watts Up With That? World's most viewed site on climate change, global warming, extreme weather, IPCC, NOAA, NASA, Arctic sea ice, urban heat islands, environmentalism. wattsupwiththat.com
Climate Etc. judithcurry.com
Roy Spencer, PhD drroyspencer.com
Climate Audit by Steve McIntyre climateaudit.org

@ncdave4life - โœ๏ธ ๐Ÿ‡บ๐Ÿ‡ธ ๐Ÿ‡บ๐Ÿ‡ฆ Dave Burton

6/10. I searched for years for climate alarmist blogs that aren't censored to promote the climate industry's agenda. I found a few, but you've probably never heard of them. The major alarmist blogs are all heavily censored. https://sealevel.info/learnmore.html?0=blogs#blogs

Learn More About Climate Change - resources sealevel.info

@ncdave4life - โœ๏ธ ๐Ÿ‡บ๐Ÿ‡ธ ๐Ÿ‡บ๐Ÿ‡ฆ Dave Burton

7/10. "Coming out" as a climate realist is a sure way to not get tenure in leftist-controlled schools. It's a safe bet that if Prof. Taylor had chaired the department's tenure and promotion committee at Princeton, Prof. Dyson would've been denied tenure.

@ncdave4life - โœ๏ธ ๐Ÿ‡บ๐Ÿ‡ธ ๐Ÿ‡บ๐Ÿ‡ฆ Dave Burton

19/19โ€บ I'll conclude with the wisdom of the late Prof. Freeman Dyson: "โ€ฆnon-climatic effects of carbon dioxide as a sustainer of wildlife and crop plants are enormously beneficialโ€ฆ possibly harmful climatic effects of carbon dioxide have been greatly exaggerated, andโ€ฆ the benefits clearly outweigh the possible damage." When he wrote these words he was, by general consensus, America's most distinguished living scientist. He was the man who took over Einstein's position, when Einstein died. Prof. Dyson knew that manmade climate change is modest & benign, and CO2 emissions are beneficial, not harmful.

@ncdave4life - โœ๏ธ ๐Ÿ‡บ๐Ÿ‡ธ ๐Ÿ‡บ๐Ÿ‡ฆ Dave Burton

8/10. The real climate debate isn't about whether 'climate change is real.' The real debate is whether Nobel Laurate and "Father of Climatology" Svante Arrhenius was right or wrong, when he predicted that CO2 emissions would be highly beneficial. https://sealevel.info/learnmore.html?0=arrhenius#arrhenius

Learn More About Climate Change - resources sealevel.info

@ncdave4life - โœ๏ธ ๐Ÿ‡บ๐Ÿ‡ธ ๐Ÿ‡บ๐Ÿ‡ฆ Dave Burton

9/10. Arrhenius was right. But with Christopher Taylor chairing the tenure and promotion committee, Arrhenius probably could not have gotten tenure in Prof. Taylor's department at The University of Texas Rio Grande Valley. https://sealevel.info/negative_social_cost_of_carbon.html https://sealevel.info/negative_social_cost_of_carbon.html

Social cost of carbon is negative - scientific papers sealevel.info
Social cost of carbon is negative - scientific papers sealevel.info

@ncdave4life - โœ๏ธ ๐Ÿ‡บ๐Ÿ‡ธ ๐Ÿ‡บ๐Ÿ‡ฆ Dave Burton

10/10. To understand a contentious & politicized topic like #ClimateChange, you need balanced information. I'm here to help: https://sealevel.info/learnmore.html?0=dummies That resource list has: โ— accurate introductory climatology information โ— in-depth science from BOTHโ€Š skeptics & alarmists โ— links to balanced debates between experts on BOTHโ€Š sides โ— accurate information about impacts of CO2 & climate change, such as the effects on crop yields โ— links to the best blogs on BOTHโ€Š sides of the climate debate

Learn More About Climate Change - resources sealevel.info

@ncdave4life - โœ๏ธ ๐Ÿ‡บ๐Ÿ‡ธ ๐Ÿ‡บ๐Ÿ‡ฆ Dave Burton

Compilation: https://twitter-thread.com/t/1808806683675697427 @ThreadReaderApp @Rattibha @threaddotblue unroll @reSeeIt save thread

1/10. When climate activists like Prof. Christopher Taylor have the power to block publication and deny tenure to young professors with differing opinions, it corrupts academia and distorts science. by @ncdave4life(โœ๏ธ ๐Ÿ‡บ๐Ÿ‡ธ ๐Ÿ‡บ๐Ÿ‡ฆ Dave Burton) 1/10. When climate activists like Prof. Christopher Taylor have the power to block publication and deny tenure to young professors with differing opinions, it corrupts academia and distorts science. https://t.co/CNV8mxWVzf https://t.co/lApvctpJI2 twitter-thread.com
Saved - July 4, 2024 at 2:09 AM

@cosmicfirepeace - jaysea

Wackadoodles are coming out in droves .... Flock off

@CodyWilliams630 - farmercody๐Ÿ‡บ๐Ÿ‡ธ

@cosmicfirepeace @Resister2023 Canada is an absolute shithole! What happens when a coward is running your country.

Saved - June 18, 2024 at 9:58 PM
reSee.it AI Summary
Elevated CO2 levels improve crop yields and mitigate drought impacts by enhancing water use efficiency and drought resilience. Studies show that elevated CO2 reduces stomatal conductance, resulting in decreased water loss through transpiration while maintaining or increasing photosynthesis. This improves water use efficiency and can enhance plants' ability to withstand drought conditions. Rising CO2 levels have contributed to a decrease in the damage caused by droughts, making catastrophic famines less common. Ending famine is comparable to ending war or disease, highlighting the significance of these improvements. The scientific evidence suggests that manmade climate change is modest and CO2 emissions are beneficial. To understand climate change, it is important to seek balanced information from reliable sources.

@ncdave4life - โœ๏ธ ๐Ÿ‡บ๐Ÿ‡ธ ๐Ÿ‡บ๐Ÿ‡ฆ Dave Burton

1/7. This PBS piece is extremely misleading. Elevated CO2 greatly improves crop yields, and it mitigates drought impacts, by improving plants' water use efficiency (WUE) and drought resilience. See: https://masterresource.org/carbon-dioxide/co2-increased-water-use-efficiency/ I asked ChatGPT to explain the mechanism by which agronomists have found that elevated CO2 improves crops' WUE and drought resilience. It did a good job: โ€โ€โ€โ€โ€โ€ โ€โ€ โ€โ€โ€โ€โ€โ€ โ€โ€ โ€โ€โ€โ€โ€โ€ โ€โ€โ€โ€โ€โ€ โ€โ€ โ€โ€โ€โ€โ€โ€ โ€โ€ โ€โ€โ€โ€โ€โ€ โ€โ€ โ€โ€โ€โ€โ€โ€ โ€โ€ โ€โ€โ€โ€โ€โ€ โ€โ€ โ€โ€โ€โ€โ€โ€ โ€โ€ โ€โ€โ€โ€โ€โ€ โ€โ€ โ€โ€โ€โ€โ€โ€ โ€โ€ โ€โ€โ€โ€โ€โ€ โ€โ€ โ€โ€โ€โ€โ€โ€ โ€โ€ โ€โ€โ€โ€โ€โ€ โ€โ€ โ€โ€โ€โ€โ€โ€ โ€โ€ โ€โ€โ€โ€โ€โ€ โ€โ€ โ€โ€โ€โ€โ€โ€ โ€โ€ โ€โ€โ€โ€โ€โ€ โ€โ€ โ€โ€โ€โ€โ€โ€ โ€โ€ โ€โ€โ€โ€โ€โ€ โ€โ€ โ€โ€โ€โ€โ€โ€ โ€โ€๊ง๊ง‚ In agronomy, the effects of elevated CO2 on plant water use efficiency and drought resilience are extensively studied. One of the key mechanisms through which elevated CO2 levels improve water use efficiency is by reducing stomatal conductance and, consequently, water loss through transpiration. Stomata are small pores on the surface of plant leaves that regulate gas exchange, including the uptake of CO2 for photosynthesis and the release of water vapor through transpiration. When CO2 levels are elevated, plants can maintain the same or higher rate of photosynthesis while reducing stomatal conductance. This reduction in stomatal conductance leads to a decrease in water loss through transpiration without significantly affecting CO2 uptake, resulting in improved water use efficiency. Several studies have quantified the effect of elevated CO2 on stomatal conductance and transpiration. For example, a meta-analysis published in 2013 (Kimball et al., 2013) found that under elevated CO2 levels, stomatal conductance decreased by an average of 22%, while transpiration decreased by only 17%. This indicates that plants under elevated CO2 levels were able to reduce water loss more efficiently than they reduced CO2 uptake, leading to an overall improvement in water use efficiency. Improvements in water use efficiency due to elevated CO2 levels can increase plants' drought resilience by allowing them to maintain adequate hydration during periods of water scarcity. This can be particularly beneficial in arid and semi-arid regions where water availability is limited. Overall, the literature suggests that elevated CO2 levels can improve water use efficiency in plants by reducing stomatal conductance and water loss through transpiration, which can enhance their resilience to drought conditions.

CO2 Enrichment Improves Plant Water-Use Efficiency - Master Resource โ€œGratefully, nature does not have to wait another century or so for the airโ€™s CO2ย concentration to double before reaping benefits from enhanced water use efficiency. It has already begun to profit in this regard from the approximate 50% increase in atmospheric CO2ย that has occurred since the Industrial Revolution began.โ€ In my last article I wrote [โ€ฆ] masterresource.org

@PBSDS - PBS Digital Studios

What will life look like as rivers dry? With global warming continuing, so will droughts. Places will have to live with far less water, which means we are going to need to innovate both how cities and agriculture do business: https://to.pbs.org/3ChtgLW #Weathered @maiyamay_

Bitly | Page Not Found | 404 to.pbs.org

@ncdave4life - โœ๏ธ ๐Ÿ‡บ๐Ÿ‡ธ ๐Ÿ‡บ๐Ÿ‡ฆ Dave Burton

2/7. Contrary to climate industry propaganda and misinformation from the leftists at PBS, the scientific evidence is compelling that CO2 emissions and rising CO2 levels are beneficial. Here are some relevant papers: https://sealevel.info/negative_social_cost_of_carbon.html

Social cost of carbon is negative - scientific papers sealevel.info

@ncdave4life - โœ๏ธ ๐Ÿ‡บ๐Ÿ‡ธ ๐Ÿ‡บ๐Ÿ‡ฆ Dave Burton

3/7. The beneficial effects of elevated CO2 are helping make famines rare for first time in human history. If you're too young to understand how important that is, count yourself blessed! Famine used to be a scourge comparable to war & disease. https://sealevel.info/learnmore.html?0=famine https://ourworldindata.org/famines

Learn More About Climate Change - resources sealevel.info
Famines In many parts of the world famines have been common in the past. What causes famines? How can famines be averted? ourworldindata.org

@ncdave4life - โœ๏ธ ๐Ÿ‡บ๐Ÿ‡ธ ๐Ÿ‡บ๐Ÿ‡ฆ Dave Burton

4/7. Droughts kill by hunger, not thirst. They kill by causing crop failures. https://sealevel.info/learnmore.html?0=droughts#droughts Or, rather, they used to. The most important thing to know about drought is this: rising CO2 levels mitigate the damage. That's one of the main reasons catastrophic famines are fading from living memory. Drought incidence has declined only slightly as CO2 levels have risen, but the damage caused by droughts has decreased much more dramatically.

Learn More About Climate Change - resources sealevel.info

@ncdave4life - โœ๏ธ ๐Ÿ‡บ๐Ÿ‡ธ ๐Ÿ‡บ๐Ÿ‡ฆ Dave Burton

5/7. Ending famine is a Very Big Deal, comparable to ending war or disease. For comparison: โ— Covid-19 killed about 0.1% of world population. โ— The 1918 flu pandemic killed about 2% of world population. โ— WWII killed about 2.7% of world population. โ— The near-global drought & famine of 1876-78 killed an estimated 3.7% of world population.

@ncdave4life - โœ๏ธ ๐Ÿ‡บ๐Ÿ‡ธ ๐Ÿ‡บ๐Ÿ‡ฆ Dave Burton

6/7. The scientific evidence is compelling that manmade climate change is modest and benign, and CO2 emissions are highly beneficial. The major harms are all hypothetical, and mostly implausible. The major benefits are proven, measured, and very large: https://threadreaderapp.com/thread/1291143344400347137.html

Thread by @ncdave4life on Thread Reader App @ncdave4life: @JsharkJill @nonewsagwdenial @DawnTJ90 @fknsavages27 @swcrisis @JoeTheAtheist @ancistroneura @RuleByLogic @LochChesney @Gladfly1 @OscarsWild1 @Schtickery @Jamz129 @IngersolRobert @PolAnimalAus @Vieux_R...โ€ฆ threadreaderapp.com

@ncdave4life - โœ๏ธ ๐Ÿ‡บ๐Ÿ‡ธ ๐Ÿ‡บ๐Ÿ‡ฆ Dave Burton

7/7. To understand a contentious, politicized issue like #ClimateChange, you need balanced information. You won't get it from the leftists at @PBS, but I'm here to help: https://sealevel.info/learnmore.html That page has: โ— accurate introductory climatology information โ— in-depth science from BOTHโ€Š skeptics & alarmists โ— links to balanced debates between experts on BOTHโ€Š sides โ— accurate information about impacts of CO2 & climate change, such as the effects on crop yields โ— links to the best blogs on BOTHโ€Š sides of the climate debate

Learn More About Climate Change - resources sealevel.info

@ncdave4life - โœ๏ธ ๐Ÿ‡บ๐Ÿ‡ธ ๐Ÿ‡บ๐Ÿ‡ฆ Dave Burton

@PBS Compilation: https://twitter-thread.com/t/1803184124884349245 @ThreadReaderApp @Rattibha @threaddotblue unroll @reSeeIt save thread

1/7. This PBS piece is extremely misleading. Elevated CO2 greatly improves crop yields, and it mitigates drought impacts, by improving plants' water use efficiency (WUE) and drought resilience. See: by @ncdave4life(โœ๏ธ ๐Ÿ‡บ๐Ÿ‡ธ ๐Ÿ‡บ๐Ÿ‡ฆ Dave Burton) 1/7. This PBS piece is extremely misleading. Elevated CO2 greatly improves crop yields, and it mitigates drought impacts, by improving plants' water use efficiency (WUE) and drought resilience. See: https://t.co/5bLuQ84cSd I asked ChatGPT to explain the mechanism by which agronomists have found that elevated CO2 improves crops' WUE and drought resilience. It did a good job: โ€โ€โ€โ€โ€โ€ โ€โ€ โ€โ€โ€โ€โ€โ€ โ€โ€ โ€โ€โ€โ€โ€โ€ โ€โ€โ€โ€โ€โ€ โ€โ€ โ€โ€โ€โ€โ€โ€ โ€โ€ โ€โ€โ€โ€โ€โ€ โ€โ€ โ€โ€โ€โ€โ€โ€ โ€โ€ โ€โ€โ€โ€โ€โ€ โ€โ€ โ€โ€โ€โ€โ€โ€ โ€โ€ โ€โ€โ€โ€โ€โ€ โ€โ€ โ€โ€โ€โ€โ€โ€ โ€โ€ โ€โ€โ€โ€โ€โ€ โ€โ€ โ€โ€โ€โ€โ€โ€ โ€โ€ โ€โ€โ€โ€โ€โ€ โ€โ€ โ€โ€โ€โ€โ€โ€ โ€โ€ โ€โ€โ€โ€โ€โ€ โ€โ€ โ€โ€โ€โ€โ€โ€ โ€โ€ โ€โ€โ€โ€โ€โ€ โ€โ€ โ€โ€โ€โ€โ€โ€ โ€โ€ โ€โ€โ€โ€โ€โ€ โ€โ€ โ€โ€โ€โ€โ€โ€ โ€โ€๊ง๊ง‚ In agronomy, the effects of elevated CO2 on plant water use efficiency and drought resilience are extensively studied. One of the key mechanisms through which elevated CO2 levels improve water use efficiency is by reducing stomatal conductance and, consequently, water loss through transpiration. Stomata are small pores on the surface of plant leaves that regulate gas exchange, including the uptake of CO2 for photosynthesis and the release of water vapor through transpiration. When CO2 levels are elevated, plants can maintain the same or higher rate of photosynthesis while reducing stomatal conductance. This reduction in stomatal conductance leads to a decrease in water loss through transpiration without significantly affecting CO2 uptake, resulting in improved water use efficiency. Several studies have quantified the effect of elevated CO2 on stomatal conductance and transpiration. For example, a meta-analysis published in 2013 (Kimball et al., 2013) found that under elevated CO2 levels, stomatal conductance decreased by an average of 22%, while transpiration decreased by only 17%. This indicates that plants under elevated CO2 levels were able to reduce water loss more efficiently than they reduced CO2 uptake, leading to an overall improvement in water use efficiency. Improvements in water use efficiency due to elevated CO2 levels can increase plants' drought resilience by allowing them to maintain adequate hydration during periods of water scarcity. This can be particularly beneficial in arid and semi-arid regions where water availability is limited. Overall, the literature suggests that elevated CO2 levels can improve water use efficiency in plants by reducing stomatal conductance and water loss through transpiration, which can enhance their resilience to drought conditions. twitter-thread.com
Saved - June 10, 2024 at 10:40 PM
reSee.it AI Summary
Sea levels are rising due to global warming, with a 10cm increase from 1993 to 2023. The rate of rise has accelerated to 0.17 inches per year, compared to 0.07 inches in 1993. #ClimateChange #RisingSeas

@NASAClimate - NASA Climate

Sea levels around the world are rising as a result of human-caused global warming. Overall, global sea levels have risen about 10 centimeters from 1993 to 2023. #WorldOceansDay https://go.nasa.gov/3VuV88X

Page Not Found - NASA nasa.gov

@NASAClimate - NASA Climate

Sea levels are also rising at an accelerating rate. Right now, global sea level rises about 0.17 inches (0.42 centimeters) per year. For comparison, the 1993 rate was 0.07 inches (0.13 centimeters) per year.

Saved - June 10, 2024 at 1:53 AM
reSee.it AI Summary
NASA Climate, specifically the JPL Earth Science Communications Team, is criticized for spreading misinformation and political propaganda. However, other parts of NASA employ real scientists who do valuable work. CO2 emissions are seen as beneficial for natural ecosystems, and NASA satellites measure the "greening" of the Earth. Concerns about the Antarctic Ice Sheet melting are addressed, stating that a few degrees of warming cannot melt it. Photos of Waikiki Beach illustrate the negligible sea-level trend. Scientific papers supporting the modest and benign nature of manmade climate change and the benefits of CO2 emissions are mentioned. Satellite altimetry measurements are questioned due to their limitations and malleability. Coastal measurements, on the other hand, show little acceleration in sea-level trends. The Gulf Stream's influence on sea-level rise along the Atlantic coast is highlighted. The benefits of rising CO2 levels, especially for agriculture and ecosystems, are emphasized. To obtain balanced information on climate change, a resource list is provided.

@ncdave4life - โœ๏ธ ๐Ÿ‡บ๐Ÿ‡ธ ๐Ÿ‡บ๐Ÿ‡ฆ Dave Burton

1/9. @NASAClimate is not one of the divisions & departments of NASA that do science. It's the "JPL Earth Science Communications Team" in Pasadena, which is comprised of "communicators," not scientists. https://sealevel.info/learnmore.html NASAClimate is a frequent source of misinformation and outright political propaganda.

Learn More About Climate Change - resources sealevel.info

@NASAClimate - NASA Climate

Sea levels around the world are rising as a result of human-caused global warming. Overall, global sea levels have risen about 10 centimeters from 1993 to 2023. #WorldOceansDay https://go.nasa.gov/3VuV88X

Page Not Found - NASA nasa.gov

@ncdave4life - โœ๏ธ ๐Ÿ‡บ๐Ÿ‡ธ ๐Ÿ‡บ๐Ÿ‡ฆ Dave Burton

@NASAClimate 2/9. Many other parts of NASA still employ real scientists, who do excellent work. Here's a NASA video about some of that work. https://www.youtube.com/watch?v=zOwHT8yS1XI CO2 emissions are very beneficial for natural ecosystems, and NASA satellites measure the resulting "greening" of the Earth.

Video Not Available youtube.com

@ncdave4life - โœ๏ธ ๐Ÿ‡บ๐Ÿ‡ธ ๐Ÿ‡บ๐Ÿ‡ฆ Dave Burton

@NASAClimate 3/9. Do you worry about the Antarctic Ice Sheet melting? This excellent NASA study should put your fears to rest. https://www.cambridge.org/core/journals/journal-of-glaciology/article/mass-balance-of-the-antarctic-ice-sheet-19922016-reconciling-results-from-grace-gravimetry-with-icesat-ers12-and-envisat-altimetry/0A29BAA84961428700886DCCE201912F Note: Antarctic temperatures average below โˆ’40ยฐ, so a few degrees of warming obviously cannot melt it.

Sorry, an error occurred Welcome to Cambridge Core cambridge.org

@ncdave4life - โœ๏ธ ๐Ÿ‡บ๐Ÿ‡ธ ๐Ÿ‡บ๐Ÿ‡ฆ Dave Burton

@AndyShep_CPOM @DrCBatchelor @dpcarrington Antarctic ice mass fluxes are in near perfect balance. The best & most comprehensive study to date of Antarctica ice mass fluxes is this one, from NASA: https://www.cambridge.org/core/journals/journal-of-glaciology/article/mass-balance-of-the-antarctic-ice-sheet-19922016-reconciling-results-from-grace-gravimetry-with-icesat-ers12-and-envisat-altimetry/0A29BAA84961428700886DCCE201912F The ice mass trend is โˆ’12 ยฑ64 Gt/yr. That's โ‰… zero. (12 Gt/yr = 0.1 inch of sea-level per century.)

Sorry, an error occurred Welcome to Cambridge Core cambridge.org

@ncdave4life - โœ๏ธ ๐Ÿ‡บ๐Ÿ‡ธ ๐Ÿ‡บ๐Ÿ‡ฆ Dave Burton

4/9. Here are two photos of the Moana Surfrider Hotel on Waikiki Beach, in Honolulu, one taken in 1925 and the other recently. They illustrate how negligible the sea-level trend is. https://sealevel.info/moana_hotel_1925_vs_now.png (Caveat: the widening of Waikiki Beach in front of the Moana Surfrider Hotel is due to a sand renourishment project. Ignore that, please. It's the negligible change in the elevation of the hotel above sea-level that I want you to notice.)

@ncdave4life - โœ๏ธ ๐Ÿ‡บ๐Ÿ‡ธ ๐Ÿ‡บ๐Ÿ‡ฆ Dave Burton

@NASAClimate 5/9. The best scientific evidence shows that manmade climate change is modest and benign, and CO2 emissions are highly beneficial, rather than harmful. Here are some relevant scientific papers: https://sealevel.info/negative_social_cost_of_carbon.html

Social cost of carbon is negative - scientific papers sealevel.info

@ncdave4life - โœ๏ธ ๐Ÿ‡บ๐Ÿ‡ธ ๐Ÿ‡บ๐Ÿ‡ฆ Dave Burton

6/9. The study which NASAClimate is hyping is based on satellite altimetry, not coastal measurements. https://sealevel.info/satellite_altimetry.html Coastal (tide gauge) measurements provide much higher quality data. Measurement of sea-level by satellite altimetry has many problems, which do not affect coastal measurements. One problem is that the satellites only measure sea-level far out to sea. They cannot measure sea-level near the coasts, where it matters. Also, satellite altimetry measurement records are generally only about a decade long. In contrast, many coastal measurement records are over a century long. Also, satellite altimetry measurements have proven to be disturbingly malleable. The very same data can show acceleration, deceleration, or linearity, depending on how it is processed! Here's an example from a 2014 paper, which turned apparent deceleration into linearity, by changing ("correcting") the measurements. https://sealevel.info/nclimate2159-f1_large_trimmed1.png A subsequent paper then turned the linear trend into an acceleration, by a combination of additional corrections and a little bit of additional data: https://sealevel.info/2017GL073308_fig4_scaled2match2.png The 2012 Envisat revisions were especially striking: https://sealevel.info/envisat_msl_correction_from_esa02.png A widely-hyped 2018 paper by U. Colorado's Dr. Steve Nerem et al claimed to have discovered โ€œaccelerationโ€ in the satellite altimetry measurement record of sea-level. They did it by reducing the rate of measured sea-level rise in 20 year-old Topex-Poseidon data, thereby making more recent measurements appear to have accelerated, by comparison. H/t Steve Case for this graph: https://sealevel.info/CU-2016-2018-With-Trend_with_caption.png

Satellites & sea-level measurement sealevel.info

@ncdave4life - โœ๏ธ ๐Ÿ‡บ๐Ÿ‡ธ ๐Ÿ‡บ๐Ÿ‡ฆ Dave Burton

7/9. In contrast to the satellite measurements, most tide gauge (coastal) measurements continue to show little or no acceleration in sea-level trend in the last nine decades or more. https://sealevel.info/MSL_graph.php?id=Harlingen&boxcar=1&boxwidth=3 https://sealevel.info/Dutch_dike_vs_Harlingen_sea-level_trend_1880x940_v06.png Honolulu is a nearly ideal sea-level measurement site: https://sealevel.info/MSL_graph.php?id=Honolulu https://sealevel.info/1612340_Honolulu_thru_2023-04_vs_CO2_annot1_1186x700.png One exception to the general linearity of coastal sea-level trends is the southern half of the Atlantic coast of the United States, where the Gulf Stream skirts the coast. Thanks to a (presumably transient) acceleration of the Gulf Stream, sea-level rise there has accelerated strikingly over the last decade: https://sealevel.info/MSL_graph.php?id=Charleston&boxcar=1&boxwidth=3&c_date=1930/1-2024/12&co2=0 https://sealevel.info/SL_Charleston_234_1930-1_to_2022-1_annot1.png This is the presumed cause: https://sealevel.info/Jackson2022_FIg2bc_annot.png Here you can see how close to the coast the Gulf Stream is, in the SE United States: https://sealevel.info/Gulf_Stream_wikipedia_200pct_with_NYC_Wilmington_Key_West_labeled.png Here's nice video animation of a full year of AMOC: https://www.youtube.com/watch?v=2RD3I69k71Y

@ncdave4life - โœ๏ธ ๐Ÿ‡บ๐Ÿ‡ธ ๐Ÿ‡บ๐Ÿ‡ฆ Dave Burton

@NASAClimate 8/9. CO2 emissions are highly beneficial, especially for agriculture and for natural ecosystems. The benefits of rising CO2 levels are large and well-measured. The supposed major harms are all merely speculative, and mostly implausible.

@ncdave4life - โœ๏ธ ๐Ÿ‡บ๐Ÿ‡ธ ๐Ÿ‡บ๐Ÿ‡ฆ Dave Burton

1/12ใ€‹From all the hoopla about global warming, you'd think that warming was the main effect of CO2 emissions. It isn't. It is of very minor consequence compared to the major, proven, biological BENEFITS of higher CO2 levels in the atmosphere. https://sealevel.info/learnmore.html?0=greening#benefits

Learn More About Climate Change - resources sealevel.info

@ncdave4life - โœ๏ธ ๐Ÿ‡บ๐Ÿ‡ธ ๐Ÿ‡บ๐Ÿ‡ฆ Dave Burton

9/9. To understand a contentious & politicized topic like #ClimateChange, you need balanced information. You won't get it from @NASAClimate, but I'm here to help: https://sealevel.info/learnmore.html?0=dummies That resource list has: โ— accurate introductory climatology information โ— in-depth science from BOTHโ€Š skeptics & alarmists โ— links to balanced debates between experts on BOTHโ€Š sides โ— accurate information about impacts of CO2 & climate change, such as the effects on crop yields โ— links to the best blogs on BOTHโ€Š sides of the climate debate

Learn More About Climate Change - resources sealevel.info

@ncdave4life - โœ๏ธ ๐Ÿ‡บ๐Ÿ‡ธ ๐Ÿ‡บ๐Ÿ‡ฆ Dave Burton

@NASAClimate Compilation: https://twitter-thread.com/t/1799981591957012701 @ThreadReaderApp @Rattibha @threaddotblue unroll @reSeeIt save thread

1/9. @NASAClimate is not one of the divisions & departments of NASA that do science. It's the "JPL Earth Science Communications Team" in Pasadena, which is comprised of "communicators," not scientists. by @ncdave4life(โœ๏ธ ๐Ÿ‡บ๐Ÿ‡ธ ๐Ÿ‡บ๐Ÿ‡ฆ Dave Burton) 1/9. @NASAClimate is not one of the divisions & departments of NASA that do science. It's the "JPL Earth Science Communications Team" in Pasadena, which is comprised of "communicators," not scientists. https://t.co/lUivXKlf1R NASAClimate is a frequent source of misinformation and outright political propaganda. twitter-thread.com
Saved - May 18, 2024 at 4:12 PM
reSee.it AI Summary
Nobel Laureate Svante Arrhenius, known as "The father of climate change," believed that CO2 emissions and rising CO2 levels would be beneficial. Some argue against this view, labeling those who disagree as "science denying idiots." Scientific evidence supports Arrhenius' claims, showing that rising CO2 levels have positive effects on the environment, including greening the Earth, improving crop yields, and benefiting natural ecosystems. Resources are available for those seeking balanced information on the topic of climate change. The CO2 Coalition, an organization of volunteer scientists, provides valuable resources and aims to combat disinformation and corruption in the field.

@ncdave4life - โœ๏ธ ๐Ÿ‡บ๐Ÿ‡ธ ๐Ÿ‡บ๐Ÿ‡ฆ Dave Burton

1/9โฏ The Grauniad's Ian Sample called Nobel Laurate Svante Arrhenius "The father of climate change." Arrhenius said CO2 emissions and rising CO2 levels would be highly beneficial. The evidence confirms that. But Joe thinks anyone who says it is a "science denying idiot." https://sealevel.info/learnmore.html?0=arrheniusโ€ฆ

Learn More About Climate Change - resources sealevel.info

@joe51du - Joe8855

@GillesnFio @Veritatem2021 @Mark_A_Lunn @Rabs1958 @MartinDn1001 @3GHtweets @MarcEHJones @Anymous84861064 @tonyjsargeant @Willard1951 @ammocrypta @ncdave4life @JohnWil12363553 @DenisDaly @AristotleMrs @S_D_Mannix @Camburnclimate @ozzorro1 @SpudNielsen @bomac_macbo @BenKoby1911 @Devonian1342 @GAJAJW @Jaisans @bulkbiker @Climatehope2 @Data79504085 @Anvndarnamn5 @Michael_D_Crow @Hji45519156 @waxliberty @priscian @SuperFoxyLoxy @ChrisBBacon3 @JaapTitulaer @wjack76995 @Rocky35418823 @NobaconEgbert @balls95652097 @BointonGiles @SeekerTheGreat1 @ubique60 @EthonRaptor @RMcgillss @paligap17 @TheDisproof @MaggieL @Willy1000 @AuroriaTwittori The death cult is the science denying idiots such as yourself who have been brainwashed by the fossil fuel companies and the right wing lie machine to destroy the planet and humanity for their short term profits.

@ncdave4life - โœ๏ธ ๐Ÿ‡บ๐Ÿ‡ธ ๐Ÿ‡บ๐Ÿ‡ฆ Dave Burton

2/9โฏ Somebody is VERY confused. (And it wasn't Arrhenius!)

@ncdave4life - โœ๏ธ ๐Ÿ‡บ๐Ÿ‡ธ ๐Ÿ‡บ๐Ÿ‡ฆ Dave Burton

5/5. The scientific evidence is compelling that rising CO2 levels (and consequent climate change) are beneficial, just as Arrhenius predicted, over a century ago. Learn more here: https://sealevel.info/learnmore.html?0=arrhenius @ThreadReaderApp @Rattibha @threaddotblue unroll @reSeeIt save thread

Learn More About Climate Change - resources sealevel.info

@ncdave4life - โœ๏ธ ๐Ÿ‡บ๐Ÿ‡ธ ๐Ÿ‡บ๐Ÿ‡ฆ Dave Burton

3/9โฏ CO2 emissions are greening the Earth, 3 ways: 1. By helping trees grow through CO2 fertilization. 2. By making plants more water efficient & drought resilient. 3. By improving crop yields, thus reducing the amount of land needed for agriculture. https://sealevel.info/learnmore.html?0=madrasfamine https://sealevel.info/learnmore.html?0=madrasfamine

Learn More About Climate Change - resources sealevel.info
Learn More About Climate Change - resources sealevel.info

@ncdave4life - โœ๏ธ ๐Ÿ‡บ๐Ÿ‡ธ ๐Ÿ‡บ๐Ÿ‡ฆ Dave Burton

4/9โฏ The benefits of rising CO2 levels for agriculture are spectacular. CO2 is not the only reason for improving crop yields, but it is one of the major reasons: https://sealevel.info/ourworldindata_cereal_yield_4regions_1961_and_2022_annot1.png https://ourworldindata.org/crop-yields https://ourworldindata.org/crop-yields

Crop Yields Increasing crop yields is crucial to improve food security, living standards, and reduce human impacts on the environment. ourworldindata.org
Crop Yields Increasing crop yields is crucial to improve food security, living standards, and reduce human impacts on the environment. ourworldindata.org

@ncdave4life - โœ๏ธ ๐Ÿ‡บ๐Ÿ‡ธ ๐Ÿ‡บ๐Ÿ‡ฆ Dave Burton

5/9โฏ The best scientific evidence shows that CO2 emissions are beneficial, and manmade climate change is modest and benign. Here are some relevant studies: https://sealevel.info/negative_social_cost_of_carbon.html

Social cost of carbon is negative - scientific papers sealevel.info

@ncdave4life - โœ๏ธ ๐Ÿ‡บ๐Ÿ‡ธ ๐Ÿ‡บ๐Ÿ‡ฆ Dave Burton

6/9โฏ The benefits of rising CO2 levels for natural ecosystems are measurable from orbit. https://sealevel.info/greening_earth_spatial_patterns_Myneni.html https://sealevel.info/greening_earth_spatial_patterns_Myneni.html

@ncdave4life - โœ๏ธ ๐Ÿ‡บ๐Ÿ‡ธ ๐Ÿ‡บ๐Ÿ‡ฆ Dave Burton

7 of 9โฏ This is NASA's video about it: https://www.youtube.com/watch?v=zOwHT8yS1XI

Video Not Available youtube.com

@ncdave4life - โœ๏ธ ๐Ÿ‡บ๐Ÿ‡ธ ๐Ÿ‡บ๐Ÿ‡ฆ Dave Burton

8/9โฏ To understand a contentious & politicized topic like #ClimateChange you need balanced information. I'm here to help: https://sealevel.info/learnmore.html?0=dummies That resource list has: โ— accurate introductory climatology information โ— in-depth science from BOTHโ€Š skeptics & alarmists โ— links to balanced debates between experts on BOTHโ€Š sides โ— accurate information about impacts of CO2 & climate change, such as the effects on crop yields โ— links to the best blogs on BOTHโ€Š sides of the climate debate

Learn More About Climate Change - resources sealevel.info

@ncdave4life - โœ๏ธ ๐Ÿ‡บ๐Ÿ‡ธ ๐Ÿ‡บ๐Ÿ‡ฆ Dave Burton

9/9โฏ The CO2 Coalition's site also has excellent resources to help you learn about this issue: https://co2coalition.org/ Many of the Coalition's members are highly distinguished. Their newest Board Member is Dr. John Clauser, 2022 Nobel Laureate (Physics). The CO2 Coalition is an organization of volunteer scientists, dedicated to combating disinformation about CO2 & climate change, and pushing back against the corruption of science for political & pecuniary reasons.

Home - CO2 Coalition co2coalition.org

@_ClimateCraze - John Shewchuk

Thank you Dr. Clauser. It's time for more scientists to speak out.

@ncdave4life - โœ๏ธ ๐Ÿ‡บ๐Ÿ‡ธ ๐Ÿ‡บ๐Ÿ‡ฆ Dave Burton

Compilation: https://twitter-thread.com/t/1791863199844708584 @ThreadReaderApp @Rattibha @threaddotblue unroll @reSeeIt save thread

1/9โฏ The Grauniad's Ian Sample called Nobel Laurate Svante Arrhenius "The father of climate change." by @ncdave4life(โœ๏ธ ๐Ÿ‡บ๐Ÿ‡ธ ๐Ÿ‡บ๐Ÿ‡ฆ Dave Burton) 1/9โฏ The Grauniad's Ian Sample called Nobel Laurate Svante Arrhenius "The father of climate change." Arrhenius said CO2 emissions and rising CO2 levels would be highly beneficial. The evidence confirms that. But Joe thinks anyone who says it is a "science denying idiot." https://t.co/sYe7MFgpmX twitter-thread.com
Saved - May 16, 2024 at 2:51 PM

@ciais_philippe - Philippe.ciais

So happy to see this incredible work published, showing that 36 million large trees disappeared from agricultural land in India

@matin_brandt - Martin Brandt

We mapped a half billion individual farmland trees in India, and tracked their fate over a decade. Many large trees have disappeared. The paper in Nature Sus.: https://doi.org/10.1038/s41893-024-01356-0, Viewer: https://rs-cph.projects.earthengine.app/view/tree. It's a new framework for temporal monitoring of single trees..

Severe decline in large farmland trees in India over the past decade - Nature Sustainability Agroforestry practices that include the integration of multifunctional trees within agricultural lands can generate multiple socioecological benefits, in addition to being a natural climate solution due to the associated carbon sequestration potential. Such agroforestry trees represent a vital part of Indiaโ€™s landscapes. However, despite their importance, a current lack of robust monitoring mechanisms has contributed to an insufficient grasp of their distribution in relation to management practices, as well as their vulnerability to climate change and diseases. Here we map 0.6 billion farmland trees, excluding block plantations, in India and track them over the past decade. We show that around 11โ€‰ยฑโ€‰2% of the large trees (about 96โ€‰m2 crown size) mapped in 2010/2011 had disappeared by 2018. Moreover, during the period 2018โ€“2022, more than 5 million large farmland trees (about 67โ€‰m2 crown size) have vanished, due partly to altered cultivation practices, where trees within fields are perceived as detrimental to crop yields. These observations are particularly unsettling given the current emphasis on agroforestry as a pivotal natural climate solution, playing a crucial role in both climate change adaptation and mitigation strategies, in addition to being important for supporting agricultural livelihoods and improving biodiversity. Agroforestry practices represent important natural climate solutions, in addition to providing a variety of socioecological benefits. This study evaluates spatiotemporal agroforestry patterns in India by tracking the fate of large farmland trees over the past decade. nature.com
tree rs-cph.projects.earthengine.app
Saved - May 16, 2024 at 4:44 AM
reSee.it AI Summary
The field of climate science is criticized for being ineffective and lacking practical solutions. Despite 50 years of discussion, there is a perceived lack of progress. People who focus on graphs, economics, political science, and collective action are deemed ignorant and ineffective.

@AkademiskC - I'm trying to focus on important things

Let me say this: practically the whole field of climate science is rotten to the core, absolutely pathetic. Why? Climate science is supposed to be practical. We are facing enormous problems. After 50 yrs of talk, there is NOTHING. Nothing that works, nothing that can work.

@AkademiskC - I'm trying to focus on important things

You can publish your fancy graphs here and elsewhere everyday and you can get arrested and you can talk about economics & political science & collective action, none of which you understand & then complain that nothing happens - you are bunch of silly & pathetic people. Stupid!

Saved - April 15, 2024 at 5:33 AM

@_ClimateCraze - John Shewchuk

Nobel Prize winners have great advice regarding climate change ... https://t.co/IOxKpaQf8V

@flossiebeachcl1 - flossieandthebeachcleaners

Week 292 #climatestrike Iโ€™ll be outside the Daรญl on Friday 19th for the Global Climate Strike sadly there is no official strike in Dublin so if you are in town, please join me to show that Ireland cares about the planet. #globalclimatestrike @GretaThunberg @Fridays4future https://t.co/P3PDWcA2lB

Saved - April 11, 2024 at 8:41 PM
reSee.it AI Summary
Concrete is a valuable material that can be used for negative emissions. By using carbon-free heat sources and capturing process emissions, concrete can absorb CO2. It is cheaper and less energy-intensive to capture CO2 from concrete plants compared to the atmosphere. Making more carbon-negative concrete can offset global aviation emissions and other "hard to abate" sectors. We should focus on smarter concrete production rather than using less concrete. Additionally, evaluating embodied emissions should consider the evolution of manufacturing processes for different technologies.

@JessePeltan - Jesse Peltan

We should use more concrete - not less. Concrete is a foundational pillar of civilization. It's also an easy answer to "hard to abate" emissions. Concrete is about 8% of global emissions, but we could make it negative 4%. (or even more if we use more concrete) Concrete emissions come from two places: 1. fuel use to heat up limestone 2. decomposition of limestone (process emissions) (emissions are roughly half and half) Over time, concrete reabsorbs the CO2 it gave off (process emissions) during production. The rate and magnitude vary by geometry and exposure. (thinner slabs carbonate more quickly) If we provide heat from carbon free sources and capture the process emissions, concrete can be a net absorber of CO2. Capturing a concentrated stream of CO2 from a concrete plant is a lot cheaper and less energy intensive than capturing dilute CO2 from the atmosphere. This exact same chemistry is actually exploited by some direct air capture (DAC) processes to capture CO2 from the air. We don't have to set up a dedicated direct air capture facility that makes and unmakes cement over and over again. That's a lot of energy and capex that only captures CO2. By comparison, if we just make more concrete and make it carbon negative, we can capture the CO2 and use concrete for things we need. We can even substitute it for other building materials. The world needs concrete to build safe shelters, infrastructure, power plants, etc. If we make current volumes of concrete carbon negative, they could offset all of global aviation emissions (~2.5%). If we make even more concrete, we could offset other "hard to abate" sectors too. Concrete is an extremely valuable material. There's a big push to use less concrete or find alternative concrete chemistries that don't emit CO2. That push misses the massive opportunity for concrete as a tool for negative emissions. We don't need less concrete. We just need to be smarter about how we make it.

@JessePeltan - Jesse Peltan

Concrete is DAC. We're already spending the energy necessary for global scale DAC. With a few tweaks, we can get the benefit of it too.

@JessePeltan - Jesse Peltan

Side note: "embodied emissions" is mostly B.S. - at least how we typically use it. A nuclear plant has negative embodied carbon if the concrete used is negative carbon. Steel has a vastly different emissions intensity if it comes from a blast furnace, DRI with methane, DRI with hydrogen, recycling, etc. When evaluating embodied emissions, it's critical to take into account the evolution of processes used to manufacture a given technology. Solar's embodied carbon today is vastly different than 20 years ago. In 20 years, it will be just as unrecognizable. This is true broadly across technologies as processes electrify, the grid becomes cleaner, and we deploy alternative production pathways.

Saved - March 15, 2024 at 7:42 PM
reSee.it AI Summary
The climate movement is criticized for its extreme views, while a Broadway actor's reaction to an activist is praised. Data suggests that CO2 and human-induced warming have minimal impact on sea-level rise. The best science shows that manmade climate change is modest and CO2 emissions have beneficial effects. However, carbon emissions and climate change do have a significant impact on global food security. To understand climate change, it is important to have balanced and accurate information, which can be found in a resource list provided.

@ncdave4life - โœ๏ธ ๐Ÿ‡บ๐Ÿ‡ธ ๐Ÿ‡บ๐Ÿ‡ฆ Dave Burton

1/4. Here's a good example of Climate Movement insanity. "We are not doing anything about this crisis! The water is coming for us!" he says. Here's the reality: https://sealevel.info/learnmore.html

Learn More About Climate Change - resources sealevel.info

@TheSopranosClub - The Sopranos Club

BREAKING NEWS: Goodfellas and Sopranos actor removes activist from Broadway theatre in a no nonsense, Christopher Moltisanti style, reaction. RT if you agree with the actions of the brave Spider and Chris actor, Michael Imperioli,

Video Transcript AI Summary
I apologize for interrupting, but as a theater artist, I have experienced the silencing of scientists. Please remove him from the stage, as he is not a writer.
Full Transcript
Speaker 0: I have yet to the silencing of scientists. I am very, very sorry to interrupt your night and this amazing performance. I am a theater artist. I work in this theater professionally. I'm sorry. You're not my career under the Get him out. Get him out. And you're not a writer.

@ncdave4life - โœ๏ธ ๐Ÿ‡บ๐Ÿ‡ธ ๐Ÿ‡บ๐Ÿ‡ฆ Dave Burton

2/4. https://sealevel.info/MSL_graph.php?id=150-021&boxcar=1&boxwidth=5

@ncdave4life - โœ๏ธ ๐Ÿ‡บ๐Ÿ‡ธ ๐Ÿ‡บ๐Ÿ‡ฆ Dave Burton

@benmooreau The best data show that CO2 & anthropogenic warming have had a negligible effect on sea-level. Global sea-level rise is so miniscule that in many places it's dwarfed by local factors, like erosion, sedimentation, and vertical land motion.

@ncdave4life - โœ๏ธ ๐Ÿ‡บ๐Ÿ‡ธ ๐Ÿ‡บ๐Ÿ‡ฆ Dave Burton

3/4. The best science shows manmade climate change is modest & benign, and CO2 emissions are beneficial, not harmful. The major harms from CO2 are all hypothetical, and mostly implausible. The major benefits are proven, measured, and very large.

@ncdave4life - โœ๏ธ ๐Ÿ‡บ๐Ÿ‡ธ ๐Ÿ‡บ๐Ÿ‡ฆ Dave Burton

4/11ใ€‹ Carbon emissions and #ClimateChange are having a major impact on global food security. https://sealevel.info/learnmore.html?0=madrasfamine#benefits But it's not what you probably think.

Learn More About Climate Change - resources sealevel.info

@ncdave4life - โœ๏ธ ๐Ÿ‡บ๐Ÿ‡ธ ๐Ÿ‡บ๐Ÿ‡ฆ Dave Burton

4/4. To understand a commercialized & politicized topic like climate change, you need balanced, accurate information. I'm here to help: https://sealevel.info/learnmore.html?0=dummies This resource list has: โ— accurate introductory climatology information โ— in-depth science from BOTH skeptics & alarmists โ— links to balanced debates between experts on BOTH sides โ— information about climate impacts โ— links to the best blogs on BOTH sides

Learn More About Climate Change - resources sealevel.info

@ncdave4life - โœ๏ธ ๐Ÿ‡บ๐Ÿ‡ธ ๐Ÿ‡บ๐Ÿ‡ฆ Dave Burton

Compilation: https://twitter-thread.com/t/1768723006824521793 @ThreadReaderApp @Rattibha @threaddotblue unroll @reSeeIt save thread

1/4. Here's a good example of Climate Movement insanity. by @ncdave4life(โœ๏ธ ๐Ÿ‡บ๐Ÿ‡ธ ๐Ÿ‡บ๐Ÿ‡ฆ Dave Burton) 1/4. Here's a good example of Climate Movement insanity. "We are not doing anything about this crisis! The water is coming for us!" he says. Here's the reality: https://t.co/lUivXKlf1R twitter-thread.com
Saved - March 13, 2024 at 2:18 AM
reSee.it AI Summary
The Climate Industry's propaganda is misleading. Academic papers and articles reveal the truth about fossil fuels, carbon emissions, and climate change. The CO2 Coalition provides reliable resources. Contrary to popular belief, carbon emissions have a positive impact. The "climate crisis" is fear-mongering, driven by industry money. People's psychological need to worry fuels the Climate Industry's marketing campaign. For balanced and accurate information, check out the provided resource list.

@ncdave4life - โœ๏ธ ๐Ÿ‡บ๐Ÿ‡ธ ๐Ÿ‡บ๐Ÿ‡ฆ Dave Burton

1/11ใ€‹ Don't believe the Climate Industry propaganda. Here are some academic papers and articles about what fossil fuels, carbon emissions, and #climatechange are ACTUALLY doing to the Earth: https://sealevel.info/greening_earth_spatial_patterns_Myneni.html https://sealevel.info/greening_earth_spatial_patterns_Myneni.html

@RebeccaJBurns_ - Rebecca Burns

Is offshore wind killing whales? Or could it have something to do with climate change? For @Sierra_Magazine and @TheProspect, I dug into the weird world of renewable energy conspiracy theories โ€” and found fossil fuel ideologues lurking behind the scenes. https://www.sierraclub.org/sierra/2024-1-spring/feature/climate-science-deniers-fossil-fuel-shills-plot-against-green-energy

Climate-Science Deniers, Right-Wing Think Tanks, and Fossil Fuel Shills Are Plotting Against the Clean Energy Transition Inside the conspiracy to take down wind and solar power sierraclub.org

@ncdave4life - โœ๏ธ ๐Ÿ‡บ๐Ÿ‡ธ ๐Ÿ‡บ๐Ÿ‡ฆ Dave Burton

2/11ใ€‹ Here's a NASA video about it. It's based on measurements, unlike most of the Climate Industry's "climate impact" claims, which are based on dubious modeling and baseless speculation. https://www.youtube.com/watch?v=zOwHT8yS1XI

Video Not Available youtube.com

@ncdave4life - โœ๏ธ ๐Ÿ‡บ๐Ÿ‡ธ ๐Ÿ‡บ๐Ÿ‡ฆ Dave Burton

3/11ใ€‹ The CO2 Coalition's website also has many excellent resources to help you learn about this issue: https://co2coalition.org/ The CO2 Coalition is an organization of volunteer scientists, dedicated to combating disinformation about CO2 & climate change, and pushing back against the corruption of science for political & pecuniary reasons. Many of the CO2 Coalition's members are extremely distinguished. Their newest Board Member is Dr. John Clauser, 2022 Nobel Laureate (Physics).

Home - CO2 Coalition co2coalition.org

@GWrightstone - Gregory Wrightstone

CO2 Coalition Announces Election of Nobel Laureate Dr. John Clauser to its Board of Directors. According to Clauser: "In my opinion, there is no real climate crisis" @JunkScience @EcoSenseNow @gwtomb @VijayJayaraj_CC

@ncdave4life - โœ๏ธ ๐Ÿ‡บ๐Ÿ‡ธ ๐Ÿ‡บ๐Ÿ‡ฆ Dave Burton

4/11ใ€‹ Carbon emissions and #ClimateChange are having a major impact on global food security. https://sealevel.info/learnmore.html?0=madrasfamine#benefits But it's not what you probably think.

Learn More About Climate Change - resources sealevel.info

@ncdave4life - โœ๏ธ ๐Ÿ‡บ๐Ÿ‡ธ ๐Ÿ‡บ๐Ÿ‡ฆ Dave Burton

5/11ใ€‹ What the Climate Industry doesn't want you to know is that the "major impact" of carbon emissions is POSITIVE, just as the Nobel Laurate Svante Arrhenius predicted, over a century ago: https://sealevel.info/learnmore.html?0=arrhenius#arrhenius

Learn More About Climate Change - resources sealevel.info

@ncdave4life - โœ๏ธ ๐Ÿ‡บ๐Ÿ‡ธ ๐Ÿ‡บ๐Ÿ‡ฆ Dave Burton

6/11ใ€‹ Do you know what "FUD" is? It stands for "Fear, Uncertainty & Doubt." The "climate crisis" is FUD. The fact that many people worry about it just proves that FUD works. https://www.youtube.com/watch?v=WjVW6roRs-w

Video Not Available youtube.com

@ncdave4life - โœ๏ธ ๐Ÿ‡บ๐Ÿ‡ธ ๐Ÿ‡บ๐Ÿ‡ฆ Dave Burton

7/11ใ€‹ FUD is an old and proven disreputable strategy. https://sealevel.info/glossary.html#fud It worked for LBJ in 1964, and it works for the Climate Industry in 2024. https://sealevel.info/LBJ_Atomic_FUD.gif

@ncdave4life - โœ๏ธ ๐Ÿ‡บ๐Ÿ‡ธ ๐Ÿ‡บ๐Ÿ‡ฆ Dave Burton

8/11ใ€‹ The truth is the "climate crisis" is just a marketing ploy. The best scientific evidence and thousands of robust studies show that manmade #ClimateChange is modest & benign, and CO2 emissions are highly beneficial. Here are a few relevant papers: https://sealevel.info/negative_social_cost_of_carbon.html

Social cost of carbon is negative - scientific papers sealevel.info

@ncdave4life - โœ๏ธ ๐Ÿ‡บ๐Ÿ‡ธ ๐Ÿ‡บ๐Ÿ‡ฆ Dave Burton

9/11ใ€‹ Whenever you find "climate crisis" or "climate emergency" messaging, if you dig, you'll find industry money behind it. It's how they sell the product. Climate scammers say manmade climate change is a "crisis" or "emergency" for the same reason computer scammers say your computer is infected with viruses: to frighten you into opening your wallet. It's all about the Benjamins, baby.

@ncdave4life - โœ๏ธ ๐Ÿ‡บ๐Ÿ‡ธ ๐Ÿ‡บ๐Ÿ‡ฆ Dave Burton

@Michael63746953 @thefutureBigly @AlexEpstein 1/28ใ€‹Climate activists don't call it a crisis for nothing. $1.5 trillion/yr ain't "nothing." It's all about the Benjamins. They call it a crisis to prop up support for feeding Piggy. The parasitic climate industry needs a LOT of propaganda to support it. https://sealevel.info/1.5_Trillion_Dollar_Piggy_based_on_1885_Bengough_cartoon_and_the_Benjamines01_1280x640.png

@ncdave4life - โœ๏ธ ๐Ÿ‡บ๐Ÿ‡ธ ๐Ÿ‡บ๐Ÿ‡ฆ Dave Burton

10/11ใ€‹ The Climate Industry's marketing campaign is made easier by the fact that many people WANT to be fooled. Sadly, many people have a psychological need to worry.

@ncdave4life - โœ๏ธ ๐Ÿ‡บ๐Ÿ‡ธ ๐Ÿ‡บ๐Ÿ‡ฆ Dave Burton

1/12ใ€‹Many climate activists just PRETEND to be worried about #ClimateChange. They LIKE being alarmed. The proof is in their reactions. When a "worse than we thought" story hits the press, they're gleeful. But when you show them good news, they're angry. https://sealevel.info/learnmore.html?0=greening#greening

Learn More About Climate Change - resources sealevel.info

@ncdave4life - โœ๏ธ ๐Ÿ‡บ๐Ÿ‡ธ ๐Ÿ‡บ๐Ÿ‡ฆ Dave Burton

11/11ใ€‹ If you're not one of those people who want to be fooled, I can help. To understand a commercialized & politicized topic like climate change, you need balanced, accurate information: https://sealevel.info/learnmore.html This resource list has: โ— accurate introductory climatology information โ— in-depth science from BOTH skeptics & alarmists โ— links to balanced debates between experts on BOTH sides โ— information about climate impacts โ— links to the best blogs on BOTH sides

Learn More About Climate Change - resources sealevel.info

@ncdave4life - โœ๏ธ ๐Ÿ‡บ๐Ÿ‡ธ ๐Ÿ‡บ๐Ÿ‡ฆ Dave Burton

Compilation: https://twitter-thread.com/t/1767735658322223382 @ThreadReaderApp @Rattibha @threaddotblue unroll @reSeeIt save thread

1/11ใ€‹ Don't believe the Climate Industry propaganda. Here are some academic papers and articles about what fossil fuels, carbon emissions, and #climatechange are ACTUALLY doing to the Earth: by @ncdave4life(โœ๏ธ ๐Ÿ‡บ๐Ÿ‡ธ ๐Ÿ‡บ๐Ÿ‡ฆ Dave Burton) 1/11ใ€‹ Don't believe the Climate Industry propaganda. Here are some academic papers and articles about what fossil fuels, carbon emissions, and #climatechange are ACTUALLY doing to the Earth: https://t.co/oIBgF2MU4t https://t.co/oIBgF2MU4t twitter-thread.com
Saved - March 9, 2024 at 4:10 PM

@collapse2050 - Sarah Connor

Another one bites the dust. https://t.co/LDofTMHbYI

Saved - March 8, 2024 at 4:36 AM
reSee.it AI Summary
The world's food supply is facing a crisis. In the series Rerooted, we explore potential solutions to this issue by examining changes in our eating habits. Check out the latest episode on the future of coffee.

@ContextClimate - Context Climate

The worldโ€™s food supply is in crisis. ๐Ÿฝ Could these solutions address the issues by changing what, when, and how we eat? Context's @albertybhan takes us behind the scenes of our latest series, Rerooted.

Video Transcript AI Summary
I have been covering the global food system for a year, exploring changes in production. We traveled to Malaysia and Senegal/Gambia, tasting rice and coffee. We spoke to those impacted by climate, conflict, and diseases, who are innovating. Watch our first video on coffee's future. More videos monthly. Share what you want to learn about crops in the food system. Stay tuned for updates.
Full Transcript
Speaker 0: For almost a year now, I've been covering a really big story, our global food system. I care about food. I know you care a lot about food, and there's a lot of changes happening when it comes to how it's being produced. So we decided to go straight to the source, the crops. It's taken us to the coast of Malaysia and the border of Senegal and Gambia, trying endless plates of rice and cups of coffee. How is it, Eleanor? And speaking to the people most affected by changes due to climate, conflict, and diseases. They're also the people who are trying to do things differently. The first video in Rerooted on the future of coffee is already out. And check out the link below for new videos that'll come out every month. We'll be on the road again soon, but I wanna hear from you as we're producing our next stories. What do you wanna know about the future of crops in our global food system? Let us know in the comments below. Follow this page for more.

@ContextClimate - Context Climate

You can catch up on the latest episode on the future of coffee here. ๐Ÿ‘‡https://www.context.news/nature/video/the-bean-that-could-save-coffee-from-climate-change?utm_source=twitter&utm_medium=social&utm_campaign=context-climate

The bean that could save coffee from climate change | Context As climate change threatens coffee crops, Malaysian farmers hope a long-forgotten species could help coffee survive a warming world context.news
Saved - February 29, 2024 at 1:36 AM

@GeraldKutney - Gerald Kutney - ๐ŸŒ๐Ÿ”ฅ#ClimateBrawl๐Ÿ”ฅ๐ŸŒ

Climate deniers are not interested in facts, evidence, the truth or science ... so, there is no point providing them to climate deniers bc they just ignore them all. They must be discredited ... them, their sources ... and their posts. That is what #ClimateBrawl is all about. https://t.co/twAKAAD7HH

Saved - February 28, 2024 at 10:54 PM

@BeeAsMarine - ๐Ÿ Marine โ“‹๐“ƒŸ PhD - #SDGs - #Breton

This post always goes viral. โ—๏ธFacts! โšˆ Only domestic bees produce honey, out of 26,000 species ; โšˆ Bee was named "most important being on the earth" in 2017, key for 80% of the ecosystems ; โšˆ Human has destroyed 80% of them in just 3 decades. โ—๏ธSign & Tell me when done๐Ÿ‘‰https://change.org/SaveTheBee ๐Ÿ

Signez la pรฉtition Rรฉsumรฉ multi langues. Summary multi languages. Resumen multi idiomas. Resumo multi idiomas. Another, for WILD bees : https://www.change.org/savethewildbees #beesย  Franรงais. J'agis pour sauver les abeilles et pollinisateurs car nous leur devons la vie et la biodiversitรฉ, depuis leur union sacrรฉe avec les fleurs il y a plus de 100 millions d'annรฉes, le plus ancien fossile d'abeille dont l'ancรชtre รฉt change.org
Saved - January 20, 2024 at 12:54 PM
reSee.it AI Summary
The posts discuss the trial between Michael Mann and Mark Steyn regarding climate activism, skepticism, and free speech. Steyn presents his opening statement, emphasizing the importance of truth and freedom of expression. He criticizes Mann's behavior on social media and accuses him of discrimination and bullying. Steyn also questions Mann's credibility, highlighting false claims of winning the Nobel Peace Prize. The posts highlight Steyn's defense and critique of Mann's actions.

@PhelimMcAleer - Phelim McAleer

The Trial of the Century Michael Mann Vs Mark Steyn Climate Activism Vs Skepticism & Free Speech Mark Steyns Opening Statement A masterpiece of logic &oratory From Papua New Guinea to Australia and Canada with cameos by Rupert Murdoch and Eleanor Roosevelt @MarkSteynOnline

@PhelimMcAleer - Phelim McAleer

Steyn, who is representing himself, apologises to the jury for not being able to stand up " I have difficulty standing but I have no difficulty standing on the truth"

@PhelimMcAleer - Phelim McAleer

"the truth of what I wrote, the truth about what happened at a famous American institution and the truth about this man, Michael Mann - the plaintiff. To modify a famous line from an American courtroom drama, I think you can handle the truth"

@PhelimMcAleer - Phelim McAleer

Steyn went on to tell the jury: "In my world I can write something, Mr Simberg can write something and Mr Mann can write something. And you're free to read all or none & decide what weight to attach to all or none"

@PhelimMcAleer - Phelim McAleer

"But in @MichaelEMann's world, there's his taken everyone else has to be Hockey sticked onto submission and silence.I'd be inclined to say that's a little unAmerican but....Im a foreigner so it probably isn't for me to say what is or isn't American"

@PhelimMcAleer - Phelim McAleer

Manns counsel John Williams said Steyn was a Fox News host - possibly trying to cash in on the DC Jury's prejudices

@PhelimMcAleer - Phelim McAleer

"I would like to clarify something Mr Williams said because he can play a little Fast and Loose sometime. am not a host on Fox News I have never had any contractual relationship with Fox News. I fell out with Rupert Murdoch about 15 years ago so he doesn't like me"

@PhelimMcAleer - Phelim McAleer

Murdochs late mother and his sister like him enormously (but they were a long way away in Australia) but not Rupert, Steyn said. "I have not appeared on Fox News in three years.

@PhelimMcAleer - Phelim McAleer

DOGGATE - the exclusive "the last time I was invited on, to Fox News it was to discuss Andrew Cuomo not wanting to keep his dog after leaving the governors mansion. And I thought Lifes too short."

@PhelimMcAleer - Phelim McAleer

described the Governors Dog story as "complete Codswallop." Will Mann now sue Steyn for insulting a First Dog? I digress

@PhelimMcAleer - Phelim McAleer

Despite objections Steyn produced the National Academy of Sciences code of Conduct. Does Mann have an issue with codes of conduct? Perhaps?

@PhelimMcAleer - Phelim McAleer

Code states "NAS members shall treat all individuals in the scientific enterprise collegially and with respect....colleagues, other NAS members, students, and interested members of public"

@PhelimMcAleer - Phelim McAleer

Steyn told jury code of conduct also says "NAS members must refrain from all forms of discrimination, harassment, and bullying in their professional encounters" - Can you guess where Steyn is going?

@PhelimMcAleer - Phelim McAleer

"The NAS described what Mann does all day every day on social media, discriminating against, harassing & bullying anyone who disagrees with him: "

@PhelimMcAleer - Phelim McAleer

He harasses and bullies "Colleagues or interested members of the public. Mann is one of the most vicious blowhards on Twitter, which is pretty much vicious blowhard central"

@PhelimMcAleer - Phelim McAleer

Steyn points out to the jury that Mann has produced THREE abusive emails from strangers to prove damages. Two are from "OverlordMustafa" and the third calls him a loser. "Is that all they've got? Steyn ask?

@PhelimMcAleer - Phelim McAleer

Loser? Steyn says Mr. Mann says far worse than call people a loser every moment of the day. "He doesn't even stop for public holidays."

@PhelimMcAleer - Phelim McAleer

I was shocked when I heard what Mann treated two days ago. Steyn told the jury that on MLK day, Mann tweeted that, Steve McIntyre, an upcoming witness in the trial who challenged Manns stats had "a disturbing connection with white supremacy."!!!!

@PhelimMcAleer - Phelim McAleer

Steyn said that if Mann had said this before a trial in the UK - it would be "witness tampering" and Mann would be "facing a spell behind bars."

@PhelimMcAleer - Phelim McAleer

Steyn:"Michael Mann is now an activist, tweeter..... couple of scientific papers provide cover for activism"But in the crazy world of Michael E. Mann, highly technical disagreement about Mann's use of principal components analysis is equivalent of burning a cross on your lawn.

@PhelimMcAleer - Phelim McAleer

If Steyn statements are defamatory of Mann, "why is Mann's statement not defamatory of Stephen McIntyre? Mr. Mann wants a world where no one can criticize him but he can damn anyone he cares to as a white supremacist, a racist, a homophobe, whatever."

@PhelimMcAleer - Phelim McAleer

"This is extremely weird behavior from a scientist" Steyn told the jury. "Which is why so many scientists around the world want nothing to do with him. Mann's a classic example of the guy who can dish it out but can't take it."

@PhelimMcAleer - Phelim McAleer

@Steynonline said Mann could not prove he had been damaged by his post "In the 11-1/2 years since the publications at issue he has been lofted onward and upward through the stratosphere of the American establishment."

@PhelimMcAleer - Phelim McAleer

In the most astonishing part of his opening Mark Steyn revealed how Prof @MichaelEMann has frequently and falsely claimed to have won the Nobel Peace Prize.

@PhelimMcAleer - Phelim McAleer

"Mr. Mann is a fraud, a terrible fraud." Steyn showed Manns original complaint to the court where he falsely claimed three times to have won a Nobel Peace Prize!

@PhelimMcAleer - Phelim McAleer

"It's the equivalent of... of stolen valor, those contemptible men one runs into from time to time who claim to have been in the thick of it at Omaha Beach on D-Day or in Vietnam in reality, they were back home in the La-Z-Boy recliner watching Dancing With the Stars"

@PhelimMcAleer - Phelim McAleer

Michael Mann is the only scientist on the planet for whom the director of the Nobel Institute has had to issue a statement explaining that he has not and never has been a, quote," Nobel prize recipient" Steyn told jury

@PhelimMcAleer - Phelim McAleer

Stay to jury: "So I wrote, starting in 2001, that his Hockey a fraud. But I came to learn very quickly, as that Michael Mann himself is a terrible fraud."

@PhelimMcAleer - Phelim McAleer

If you want to hear @Steynonline speech to jury - this podcast has the highlights in audio - re-enacted. A gripping listen: https://podcasts.apple.com/us/podcast/climate-change-on-trial/id1713827256?i=1000642238509

โ€ŽClimate Change on Trial: Ep. 3 | A Nobel Mann? on Apple Podcasts The trial really got underway today with three gripping opening statements. The defendantsโ€™ wordsย  โ€œbroke the bounds of decency,'' according to Michael Mannโ€™s lawyer. His combative opening set the tone for what became a very, very combative courtroom as the day went on. And you can hear all the dramโ€ฆ podcasts.apple.com
Saved - January 1, 2024 at 6:36 AM
reSee.it AI Summary
The earth's atmosphere has warmed due to human burning of fossil fuels. Carbon dioxide levels were higher during the time of dinosaurs, but the world did not end. Greenhouses intentionally pump CO2 to aid plant growth. NASA found that CO2 fertilization is greening the earth. Mars has a significant global warming issue. French-style nuclear power is environmentally friendly. US commercial nuclear plants are less radioactive than the Capitol Building. Germany's shift from nuclear to coal may have caused more deaths than Chernobyl and Fukushima. New York and Vermont have replaced nuclear with fossil fuels. Wind energy companies have been responsible for eagle deaths. Wind and solar farms rely on fossil fuels as backup. Michael Shellenberger switched from anti-nuclear to pro-nuclear power.

@DanielAlmanPGH - Daniel Alman from Squirrel Hill

It is a proven, scientific fact that the earth's atmosphere has gotten warmer since humans started burning fossil fuels. (1/15) https://web.archive.org/web/20161125071509/http://climate.nasa.gov/news/2241/why-so-many-global-temperature-records/โ€ฆ #Environment #ClimateCrisis #ClimateChange #GlobalWarming #GreenNewDeal #AOC #GretaThunberg #NuclearPower

@DanielAlmanPGH - Daniel Alman from Squirrel Hill

Back when the dinosaurs were alive, carbon dioxide levels in the air were five times as high as they are today. The world did not come to an end. (2/15) https://web.archive.org/web/20140703210506/https://www.livescience.com/44330-jurassic-dinosaur-carbon-dioxide.html #GreenNewDeal #AOC #GretaThunberg

Dinosaur Era Had 5 Times Today's CO2 Researchers say dinosaurs that roamed Earth 250 million years ago had to endure a smoggy atmosphere with five times more carbon dioxide than is present on Earth. web.archive.org

@DanielAlmanPGH - Daniel Alman from Squirrel Hill

Back when the dinosaurs were alive, global temperatures were so high that there were no polar ice caps. The world did not come to an end. (3/15) https://web.archive.org/web/20150327004317/https://www.bbc.com/news/science-environment-12378934 #GreenNewDeal #AOC #GretaThunberg

Secrets of Antarctica's fossilised forests Towering forests grew at the South Pole during the age of the dinosaurs. Now scientists ponder whether the past could be the key to the future. web.archive.org

@DanielAlmanPGH - Daniel Alman from Squirrel Hill

Today, the owners of commercial greenhouses deliberately pump extra carbon dioxide into the air inside their greenhouses, in order to make their plants grow better. (4/15) web.archive.org/web/2018062218โ€ฆ #GreenNewDeal #AOC #GretaThunberg

@DanielAlmanPGH - Daniel Alman from Squirrel Hill

NASA: โ€œCarbon Dioxide Fertilization Greening Earth, Study Finds.โ€ (5/15) https://web.archive.org/web/20170127202003/https://www.nasa.gov/feature/goddard/2016/carbon-dioxide-fertilization-greening-earth/ #GreenNewDeal #AOC #GretaThunberg

Carbon Dioxide Fertilization Greening Earth, Study Finds From a quarter to half of Earthโ€™s vegetated lands has shown significant greening over the last 35 years largely due to rising levels of atmospheric carbon dioxide, according to a new study. web.archive.org

@DanielAlmanPGH - Daniel Alman from Squirrel Hill

ABC News: โ€œIt might seem like the weather's getting warmer here on Earth, but Mars appears to have an even bigger global warming problem.โ€ (6/15) https://web.archive.org/web/20210303180827/https://abcnews.go.com/Technology/story?id=98168&page=1 #GreenNewDeal #AOC #GretaThunberg

Images Show Mars Has Extreme Global Warming web.archive.org

@DanielAlmanPGH - Daniel Alman from Squirrel Hill

French-style nuclear power is the most environmentally friendly way to produce electricity. (7/15) https://web.archive.org/web/20140225195914/https://www.cbsnews.com/news/france-vive-les-nukes/ #NuclearPower #GreenNewDeal #AOC #GretaThunberg

France: Vive Les Nukes Steve Kroft On How France Is Becoming The Model For Nuclear Energy Generation web.archive.org

@DanielAlmanPGH - Daniel Alman from Squirrel Hill

The inside of U.S. commercial nuclear power plants is actually less radioactive than the U.S. Capitol Building, where members of Congress work every day. (8/15) https://web.archive.org/web/20000609114742/https://www.pbs.org/wgbh/pages/frontline/shows/reaction/interact/facts.html #NuclearPower #GreenNewDeal #AOC #GretaThunberg

FRONTLINE: nuclear reaction: Facts about Nuclear Radiation web.archive.org

@DanielAlmanPGH - Daniel Alman from Squirrel Hill

Germany has been replacing nuclear power with coal and candles. (9/15) https://www.vox.com/future-perfect/2022/7/12/23205691/germany-energy-crisis-nuclear-power-coal-climate-change-russia-ukraine https://www.npr.org/sections/money/2022/12/20/1144258347/facing-an-energy-crisis-germans-stock-up-on-candles #NuclearPower #GreenNewDeal #AOC #GretaThunberg #Idiocracy #Luddites #BjรธrnLomborg

A needed nuclear option for climate change Germanyโ€™s decision to restart old coal plants rather than extend the life of its nuclear power facilities reflects a failure of environmental priorities. vox.com
Facing an energy crisis, Germans stock up on candles Germans are on a mission to transform their energy economy and reduce their consumption, including by โ€” apparently โ€” using lots of candles. npr.org

@DanielAlmanPGH - Daniel Alman from Squirrel Hill

The increased coal pollution from Germany shutting down its nuclear power plants may have already killed more people than Chernobyl and Fukushima combined. (10/15) https://webcache.googleusercontent.com/search?q=cache:iSMahk7s1xAJ:https://www.washingtonpost.com/opinions/2023/05/10/germany-end-nuclear-cost-climate-health/&cd=10&hl=en&ct=clnk&gl=us #GreenNewDeal #AOC #GretaThunberg #BjรธrnLomborg #Idiocracy #Luddites #RiskAnalysis

@DanielAlmanPGH - Daniel Alman from Squirrel Hill

New York state has been closing some of its nuclear reactors, and replacing them with fossil fuels. (11/15) https://www.lohud.com/story/news/2022/07/22/new-york-fossil-fuels-increase-after-indian-point-nuclear-plant-shutdown/65379172007/ #NuclearPower #GreenNewDeal #AOC #GretaThunberg

NY's fossil fuel use soared after Indian Point plant closure. Officials sound the alarm Indian Point nuclear power plant's 2021 closure led to near-total dependence on fossil fuels to produce electricity in NY's energy-hungry downstate region. lohud.com

@DanielAlmanPGH - Daniel Alman from Squirrel Hill

Vermont replaced its only nuclear reactor (which had accounted for 71.8% of the stateโ€™s electricity production) with fossil fuels obtained from fracking. (12/15) https://web.archive.org/web/20141230111022/https://www.usatoday.com/story/news/nation/2014/12/30/vermont-yankee-nuclear-plant-winds-down-operations/21037371/ https://en.wikipedia.org/w/index.php?title=Vermont_Yankee_Nuclear_Power_Plant&oldid=645082757 #NuclearPower #GreenNewDeal #AOC #GretaThunberg

Vermont Yankee nuclear plant winds down operations Closure has been mourned by employees and supporters, while cheered by critics. web.archive.org
Vermont Yankee Nuclear Power Plant - Wikipedia en.wikipedia.org

@DanielAlmanPGH - Daniel Alman from Squirrel Hill

โ€œA wind energy company has pleaded guilty after killing at least 150 eaglesโ€ (13/15) https://www.npr.org/2022/04/06/1091250692/esi-energy-bald-eagles #GreenNewDeal #AOC #GretaThunberg

A wind energy company has pleaded guilty after killing at least 150 eagles NextEra Energy subsidiary ESI Energy pleaded guilty to charges over the deaths of eagles at three of its wind farms in Wyoming and New Mexico. npr.org

@DanielAlmanPGH - Daniel Alman from Squirrel Hill

Wind and solar farms use fossil fuels as a backup when the wind isn't blowing and the sun isn't shining. (14/15) https://webcache.googleusercontent.com/search?q=cache:zzdV5cQ5HecJ:https://www.washingtonpost.com/news/energy-environment/wp/2016/08/11/turns-out-wind-and-solar-have-a-secret-friend-natural-gas/&hl=en&gl=us #GreenNewDeal #AOC #GretaThunberg

@DanielAlmanPGH - Daniel Alman from Squirrel Hill

TED Talk: Michael Shellenberger explains why he switched from being anti-nuclear power to pro-nuclear power. (15/15) https://www.youtube.com/watch?v=ciStnd9Y2ak #NuclearPower #MichaelShellenberger #GreenNewDeal #AOC #GretaThunberg

Video Not Available youtube.com
Saved - November 17, 2023 at 10:06 PM
reSee.it AI Summary
The conversation discusses the supposed harms of CO2 emissions and climate change. @ncdave4life argues that these harms are hypothetical and implausible, providing evidence that coral reefs, extreme weather, and sea levels are not significantly affected. They also highlight the positive effects of CO2 emissions on ecosystems, agriculture, and drought resilience. They conclude by sharing a resource list for balanced information on climate change.

@ncdave4life - โœ๏ธ ๐Ÿ‡บ๐Ÿ‡ธ ๐Ÿ‡บ๐Ÿ‡ฆ Dave Burton

@zteirstein 8/18. The supposed major harms from CO2 emissions are all merely hypothetical, and mostly implausible. None of them are actually happening. For instance, the coral of the Great Barrier Reef are doing fine: https://archive.ph/IcRIY https://archive.ph/IcRIY

@ncdave4life - โœ๏ธ ๐Ÿ‡บ๐Ÿ‡ธ ๐Ÿ‡บ๐Ÿ‡ฆ Dave Burton

@zteirstein 9/18. "Extreme weather" is not getting worse. Hurricanes, tornadoes, nor'easters, and droughts are not worsening. In fact, tornadoes & droughts have become much less destructive. Here're the facts on hurricanes, from an expert: https://rogerpielkejr.substack.com/p/2023-update-what-the-media-wont-tell

2023 Edition: What the media won't tell you about . . . hurricanes The science and data reporters refuse to report rogerpielkejr.substack.com

@ncdave4life - โœ๏ธ ๐Ÿ‡บ๐Ÿ‡ธ ๐Ÿ‡บ๐Ÿ‡ฆ Dave Burton

1/17ใ€‹Climate change is not making hurricanes more destructive. https://sealevel.info/learnmore.html?0=hurricanes#hurricanes

Learn More About Climate Change - resources sealevel.info

@ncdave4life - โœ๏ธ ๐Ÿ‡บ๐Ÿ‡ธ ๐Ÿ‡บ๐Ÿ‡ฆ Dave Burton

@zteirstein 10/18. Droughts have showed only a slight decreasing trend, but they're MUCH less destructive now, because elevated CO2 levels make plants more water-efficient and drought-resilient.

@ncdave4life - โœ๏ธ ๐Ÿ‡บ๐Ÿ‡ธ ๐Ÿ‡บ๐Ÿ‡ฆ Dave Burton

@rcbregman 17/ Also, elevated CO2 makes plants more water-efficient & drought-resilient, by improving CO2 stomatal conductance relative to transpiration. That's long-settled science among agronomists (though most climate scientists are apparently unfamiliar with it).

@ncdave4life - โœ๏ธ ๐Ÿ‡บ๐Ÿ‡ธ ๐Ÿ‡บ๐Ÿ‡ฆ Dave Burton

@zteirstein 11/18. Strong tornadoes have decreased markedly (though nobody is sure why). https://sealevel.info/learnmore.html?0=tornadoes#tornadoes https://sealevel.info/learnmore.html?0=tornadoes#tornadoes

Learn More About Climate Change - resources sealevel.info
Learn More About Climate Change - resources sealevel.info

@ncdave4life - โœ๏ธ ๐Ÿ‡บ๐Ÿ‡ธ ๐Ÿ‡บ๐Ÿ‡ฆ Dave Burton

@zteirstein 12/18. The tide gauge at Harlingen has a continuous sea-level measurement record all the way back to 1865. Contrary to climate industry FUD, the sea-level trend has not been significantly affected by climate change. https://sealevel.info/learnmore.html?0=sealevel#sealevel

Learn More About Climate Change - resources sealevel.info

@ncdave4life - โœ๏ธ ๐Ÿ‡บ๐Ÿ‡ธ ๐Ÿ‡บ๐Ÿ‡ฆ Dave Burton

@zteirstein 13/18. All of the important effects of CO2 emissions and manmade climate change are positive! Elevated CO2 (eCO2) is beneficial for almost all ecosystems. In fact, eCO2 even helps pine forests withstand bark beetles. https://academic.oup.com/treephys/article/32/6/752/1663608

@ncdave4life - โœ๏ธ ๐Ÿ‡บ๐Ÿ‡ธ ๐Ÿ‡บ๐Ÿ‡ฆ Dave Burton

@zteirstein 14/18. Elevated CO2 helps warm the Earth, but there's no convincing evidence that's harmful. In fact, scientists call the warmest climate periods "climate optimums." That's because, by all objective measures, warm is better than cold. https://unherd.com/thepost/bjorn-lomborg-how-global-warming-will-save-lives/

Bjรธrn Lomborg: how rising temperatures will save lives A spell of extremely hot weather has hit Europe this month, bringing with it a raft of apocalyptic headlines. Named Charon, after the boatman in Greek mythology who navigated the river Styx into Hades, the heatwave has immediately been linked to climate change and, by extension, humanityโ€™s faltering attempts to combat it. [...]Read More... unherd.com

@ncdave4life - โœ๏ธ ๐Ÿ‡บ๐Ÿ‡ธ ๐Ÿ‡บ๐Ÿ‡ฆ Dave Burton

@zteirstein 15/18. Natural ecosystems benefit from CO2 emissions, too. In fact, CO2 emissions are greening the Earth. https://www.nasa.gov/technology/carbon-dioxide-fertilization-greening-earth-study-finds/ https://sealevel.info/greening_earth_spatial_patterns_Myneni.html This is NASA's video about it: https://www.youtube.com/watch?v=zOwHT8yS1XI

Carbon Dioxide Fertilization Greening Earth, Study Finds - NASA From a quarter to half of Earthโ€™s vegetated lands has shown significant greening over the last 35 years largely due to rising levels of atmospheric carbon nasa.gov
Video Not Available youtube.com

@ncdave4life - โœ๏ธ ๐Ÿ‡บ๐Ÿ‡ธ ๐Ÿ‡บ๐Ÿ‡ฆ Dave Burton

@zteirstein 16/18. The fact that elevated CO2 is extremely beneficial for agriculture has been known to science for >100 years. https://tinyurl.com/1920sciamCO2

Scientific American - Carbonic Acid Gas to Fertilize the Air sealevel.info

@ncdave4life - โœ๏ธ ๐Ÿ‡บ๐Ÿ‡ธ ๐Ÿ‡บ๐Ÿ‡ฆ Dave Burton

17/18. Rising CO2 levels improve crop yields in two major ways: through "CO2 fertilization," and by improving drought resilience and water use efficiency (WUE). That's long-settled science, among agronomists. Most plants utilize C3 photosynthesis, and agronomy studies show that for C3 crops the CO2 fertilization benefit is highly linear as CO2 levels rise, until above about 1000 ppmv (which is far higher than we could ever hope to drive outdoor CO2 levels by burning fossil fuels). That linearity is obvious in the green (C3) trace, in this graph: https://sealevel.info/C3_and_C4_Pflanze_vs_CO2_Konzentration_1750_1984_2018_2019.png Here's a study about wheat (a C3 crop): https://www.ncbi.nlm.nih.gov/pubmed/26929390 Fitzgerald GJ, et al. (2016) Elevated atmospheric [CO2] can dramatically increase wheat yields in semi-arid environments and buffer against heat waves. Glob Chang Biol. 22(6):2269-84. doi:10.1111/gcb.13263. Plants (and animals) are carbon-based lifeforms. Plants get the carbon they need from CO2 in the air; CO2 is, literally, plant food. The higher the CO2 level, the less air plants must process through their stomata, and the less water they lose in the process (transpiration). Elevated CO2 improves plants' WUE and drought resilience by improving CO2 stomatal conductance relative to transpiration. So eCO2 is especially beneficial in arid regions, and especially beneficial for crops which are under drought stress. Corn (maize) has been very heavily studied. Even though it is a C4 grass (and C4 plants are better at enduring low CO2 levels), corn benefits greatly from elevated CO2, especially under drought stress. Here's a paper: sciencedirect.com/science/articlโ€ฆ Chun et al. (2011). Effect of elevated carbon dioxide and water stress on gas exchange and water use efficiency in corn. Agric For Meteorol 151(3), pp 378-384, ISSN 0168-1923. doi:10.1016/j.agrformet.2010.11.015. EXCERPT: "There have been many studies on the interaction of CO2 and water on plant growth. Under elevated CO2, less water is used to produce each unit of dry matter by reducing stomatal conductance." That improvement is one of several major reasons that catastrophic drought-triggered famines are fading from living memory, for the first time in history. If you're too young to remember huge, devastating, drought-triggered famines, count yourself blessed. Through all of human history, until very recently, famine was one of the great scourges of mankind, the Third Horseman of the Apocalypse. But no more. That is a miracle! Here's the data: https://ourworldindata.org/famines https://sealevel.info/Famine-death-rate-since-1860s-revised-annot1.png Ending famine is a VERYโ€‰ Big Deal, comparable to ending war and disease. Compare: โ— Covid-19 killed 0.1% of world population. โ— 1918 flu pandemic killed about 2%. โ— WWII killed 2.7%. โ— The near-global drought and famine of 1876-78 killed about 3.7% of the world population. https://sealevel.info/C3_and_C4_Pflanze_vs_CO2_Konzentration_1750_1984_2018_2019.png https://sealevel.info/Famine-death-rate-since-1860s-revised-annot1.png

Elevated atmospheric [CO2 ] can dramatically increase wheat yields in semi-arid environments and buffer against heat waves - PubMed Wheat production will be impacted by increasing concentration of atmospheric CO2 [CO2 ], which is expected to rise from about 400 ฮผmol mol(-1) in 2015 to 550 ฮผmol mol(-1) by 2050. Changes to plant physiology and crop responses from elevated [CO2 ] (e[CO2 ]) are well documented for some environments, โ€ฆ pubmed.ncbi.nlm.nih.gov
Famines In many parts of the world famines have been common in the past. What causes famines? How can famines be averted? ourworldindata.org

@ncdave4life - โœ๏ธ ๐Ÿ‡บ๐Ÿ‡ธ ๐Ÿ‡บ๐Ÿ‡ฆ Dave Burton

18/18. If you want to understand a commercialized and politicized topic like #ClimateChange, you need balanced, accurate information. I'm here to help: https://sealevel.info/learnmore.html This resource list has: โ— accurate intro climatology info โ— in-depth science from BOTH skeptics & alarmists โ— links to balanced debates between experts on BOTH sides โ— info about climate impacts โ— links to the best blogs on BOTH sides

Learn More About Climate Change - resources sealevel.info
Saved - November 15, 2023 at 9:55 AM

@_ClimateCraze - John Shewchuk

Latest CO2 research indicates that doubling CO2's concentration from 400 to 800 ppm theoretically warms the climate by 0.71 degrees C, which is reflected in this graph. https://t.co/OWu3izJGMZ

Saved - November 6, 2023 at 7:30 PM
reSee.it AI Summary
The conversation revolves around climate change and its impact on agriculture. @ncdave4life challenges @Willard1951's statements on topics like crop growth, CO2 levels, and water use efficiency. @ncdave4life provides scientific papers to support their arguments. The conversation ends with @ncdave4life sharing resources for further learning.

@ncdave4life - โœ๏ธ ๐Ÿ‡บ๐Ÿ‡ธ ๐Ÿ‡บ๐Ÿ‡ฆ Dave Burton

1/10. Where on earth do you "learn" such nonsense, Willard? Growing ranges for most major crops cover climate zones with average temperatures that vary by tens of ยฐC. Major crops like corn, wheat, potatoes & soybeans are produced from Mexico to Canada. Compared to that, a degree or two of warming (disproportionately at night, in winter, at chilly high latitudes) is de minimis -- as is the 0.35ยฑ0.13ยฐC between now and what the IPCC calls "1.5ยฐC of warming").

@ncdave4life - โœ๏ธ ๐Ÿ‡บ๐Ÿ‡ธ ๐Ÿ‡บ๐Ÿ‡ฆ Dave Burton

2/10. Willard wrote, "fertilization is the male gamete to female gamete to produce seed/fruit... not the N-P-K addition" Wrong. In agriculture, that's called pollination.

@ncdave4life - โœ๏ธ ๐Ÿ‡บ๐Ÿ‡ธ ๐Ÿ‡บ๐Ÿ‡ฆ Dave Burton

3/10. Willard wrote, "(yes, it is often temperature sensitive)" Wrong. Farmers choose planting dates to optimize growing conditions, including temperatures, for their crops.

@ncdave4life - โœ๏ธ ๐Ÿ‡บ๐Ÿ‡ธ ๐Ÿ‡บ๐Ÿ‡ฆ Dave Burton

@DaveRheaume @CO2Coalition 18/25. In the American Midwest, farmers can fully compensate for a 1ยฐC temperature change by adjusting planting dates by about six days.

@ncdave4life - โœ๏ธ ๐Ÿ‡บ๐Ÿ‡ธ ๐Ÿ‡บ๐Ÿ‡ฆ Dave Burton

@Willard1951 @JimBlack48 @BlasphemousBan1 @S_Metzeler @Anvndarnamn5 @GAJAJW @RClausius42 @Data79504085 @BenKoby1911 @priscian @EthonRaptor @Michael_D_Crow @Mark_A_Lunn @NomadicQuantum @AristotleMrs @ScienceBlog3 @AuroriaEn @AndreGrossza @DenisDaly @Veritatem2021 @JusticeTrudeau @judgementalbe1 @ChrisBBacon3 @Coleski14 @wallytoms0 @Climatehope2 @LesserMegadeath @WernerReinhard5 @S_D_Mannix @ammocrypta @Jaisans @CarrudoDon @LiveLifeBK24 @TheDisproof @Joeyd87745119 @Devonian1342 @Hji45519156 @waxliberty @SuperFoxyLoxy @JaapTitulaer @wjack76995 @Rocky35418823 @NobaconEgbert @balls95652097 @JustThi30117912 @BointonGiles @SeekerTheGreat1 @ubique60 @DaleGribble_666 4/10. If you think cold weather is better for crops than hot weather, then why do you think farmers plant in the spring instead of the fall?

@ncdave4life - โœ๏ธ ๐Ÿ‡บ๐Ÿ‡ธ ๐Ÿ‡บ๐Ÿ‡ฆ Dave Burton

5/10. Willard wrote, "Don't forget the negatives" There are no "negatives" of any consequence from higher CO2 levels. Higher CO2 levels are highly beneficial for agriculture.

@ncdave4life - โœ๏ธ ๐Ÿ‡บ๐Ÿ‡ธ ๐Ÿ‡บ๐Ÿ‡ฆ Dave Burton

6/10. Willard wrote, "High temps impact soil moisture levels, evapotranspiration" If you're worried about soil moisture levels and evapotranspiration, then why do you ignore the fact that higher CO2 levels improve crops' water use efficiency and drought resistance?

@ncdave4life - โœ๏ธ ๐Ÿ‡บ๐Ÿ‡ธ ๐Ÿ‡บ๐Ÿ‡ฆ Dave Burton

7/10. Here's a paper: https://www.nature.com/articles/s41467-017-00114-5 Cheng L et al (2017). Recent increases in terrestrial carbon uptake at little cost to the water cycle. Nat Commun 8, 110 (2017). doi:10.1038/s41467-017-00114-5 It reports thatโ€ฆ

Recent increases in terrestrial carbon uptake at little cost to the water cycle - Nature Communications Quantifying the responses of the coupled carbon and water cycles to current global warming and rising atmospheric CO2 concentration is crucial for predicting and adapting to climate changes. Here we show that terrestrial carbon uptake (i.e. gross primary production) increased significantly from 1982 to 2011 using a combination of ground-based and remotely sensed land and atmospheric observations. Importantly, we find that the terrestrial carbon uptake increase is not accompanied by a proportional increase in water use (i.e. evapotranspiration) but is largely (about 90%) driven by increased carbon uptake per unit of water use, i.e. water use efficiency. The increased water use efficiency is positively related to rising CO2 concentration and increased canopy leaf area index, and negatively influenced by increased vapour pressure deficits. Our findings suggest that rising atmospheric CO2 concentration has caused a shift in terrestrial water economics of carbon uptake. The response of the coupled carbon and water cycles to anthropogenic climate change is unclear. Here, the authors show that terrestrial carbon uptake increased significantly from 1982 to 2011 and that this increase is largely driven by increased water-use efficiency, rather than an increase in water use. nature.com

@ncdave4life - โœ๏ธ ๐Ÿ‡บ๐Ÿ‡ธ ๐Ÿ‡บ๐Ÿ‡ฆ Dave Burton

8/10. "Land plants are absorbing 17% more carbon dioxide from the atmosphere now than 30 years agoโ€ฆ [yet] the vegetation is hardly using any extra waterโ€ฆ suggesting that global change is causing the world's plants to grow in a more water-efficient way." https://theconversation.com/rising-carbon-dioxide-is-making-the-worlds-plants-more-water-wise-79427

Rising carbon dioxide is making the world's plants more water-wise The globe is greening as plants grow faster in response to rising carbon dioxide. But a new analysis shows they arenโ€™t using more water to do it - a rare piece of good news for our changing planet. theconversation.com

@ncdave4life - โœ๏ธ ๐Ÿ‡บ๐Ÿ‡ธ ๐Ÿ‡บ๐Ÿ‡ฆ Dave Burton

8.1/10. Aside: for agricultural plants, carbon absorption is roughly proportional to crop yield, so a +17% increase in carbon uptake from a mere 55 ppmv (16%) rise in CO2 level strongly suggests that crop yield improvements from elevated CO2 are much greater than the +20% conservative estimate which I previously mentioned.

@ncdave4life - โœ๏ธ ๐Ÿ‡บ๐Ÿ‡ธ ๐Ÿ‡บ๐Ÿ‡ฆ Dave Burton

9/10. Here's a paper about wheat: https://onlinelibrary.wiley.com/doi/full/10.1111/gcb.13263 Fitzgerald et al. (2016) Elevated atmospheric [CO2] can dramatically increase wheat yields in semi-arid environments and buffer against heat waves. Glob Chang Biol. 22(6):2269-84.

@ncdave4life - โœ๏ธ ๐Ÿ‡บ๐Ÿ‡ธ ๐Ÿ‡บ๐Ÿ‡ฆ Dave Burton

@Willard1951 @JimBlack48 @BlasphemousBan1 @S_Metzeler @Anvndarnamn5 @GAJAJW @RClausius42 @Data79504085 @BenKoby1911 @priscian @EthonRaptor @Michael_D_Crow @Mark_A_Lunn @NomadicQuantum @AristotleMrs @ScienceBlog3 @AuroriaEn @AndreGrossza @DenisDaly @Veritatem2021 @JusticeTrudeau @judgementalbe1 @ChrisBBacon3 @Coleski14 @wallytoms0 @Climatehope2 @LesserMegadeath @WernerReinhard5 @S_D_Mannix @ammocrypta @Jaisans @CarrudoDon @LiveLifeBK24 @TheDisproof @Joeyd87745119 @Devonian1342 @Hji45519156 @waxliberty @SuperFoxyLoxy @JaapTitulaer @wjack76995 @Rocky35418823 @NobaconEgbert @balls95652097 @JustThi30117912 @BointonGiles @SeekerTheGreat1 @ubique60 @DaleGribble_666 10/10. If you ever decide that you want to learn about these things, I have some good resources cataloged here: https://sealevel.info/learnmore.html?0=benefits

Learn More About Climate Change - resources sealevel.info

@ncdave4life - โœ๏ธ ๐Ÿ‡บ๐Ÿ‡ธ ๐Ÿ‡บ๐Ÿ‡ฆ Dave Burton

@Willard1951 @JimBlack48 @BlasphemousBan1 @S_Metzeler @Anvndarnamn5 @GAJAJW @RClausius42 @Data79504085 @BenKoby1911 @priscian @EthonRaptor @Michael_D_Crow @Mark_A_Lunn @NomadicQuantum @AristotleMrs @ScienceBlog3 @AuroriaEn @AndreGrossza @DenisDaly @Veritatem2021 @JusticeTrudeau @judgementalbe1 @ChrisBBacon3 @Coleski14 @wallytoms0 @Climatehope2 @LesserMegadeath @WernerReinhard5 @S_D_Mannix @ammocrypta @Jaisans @CarrudoDon @LiveLifeBK24 @TheDisproof @Joeyd87745119 @Devonian1342 @Hji45519156 @waxliberty @SuperFoxyLoxy @JaapTitulaer @wjack76995 @Rocky35418823 @NobaconEgbert @balls95652097 @JustThi30117912 @BointonGiles @SeekerTheGreat1 @ubique60 @DaleGribble_666 7/7. The science has been settled for over a century: elevated CO2 is tremendously beneficial for agriculture. The climate activists who refuse to acknowledge that established fact are science deniers. https://sealevel.info/learnmore.html?0=preciousairfertilizer#agriculture

Learn More About Climate Change - resources sealevel.info
Saved - November 4, 2023 at 4:52 AM
reSee.it AI Summary
The conversation discusses the benefits of rising CO2 levels for agriculture and the potential negative impact of bad governance. It also mentions instances where climate alarmism has led to humanitarian and economic disasters. The conversation highlights the perceived war against agriculture by leftist politicians and climate activists. The participants discuss the impact of CO2 fertilization on crop yields and present data on cereal and cassava yields in Niger. The conversation concludes by asserting that elevated CO2 is beneficial for agriculture and criticizing climate activists for denying this fact.

@ncdave4life - โœ๏ธ ๐Ÿ‡บ๐Ÿ‡ธ ๐Ÿ‡บ๐Ÿ‡ฆ Dave Burton

You're in denial of thousands of rigorous agronomy studies, over more than a century, which have measured the very large benefits of rising CO2 levels for agriculture. Of course, despite the benefits of elevated CO2, it's still possible to destroy agricultural productivity with bad governance. https://twitter-thread.com/t/1719372491536085167 Mao demonstrated that 60+ years ago, in pursuit of socialist utopia. Gotabaya Rajapaksa proved it again in Sri Lanka in 2021. Sri Lanka's humanitarian and economic disaster is the poison fruit of climate alarmism. Leftist politicians and climate activists are doing their best to lower crop yields, and return us to the days of mass famines. Most young people don't know much history, so they don't know what that's like. They're in for a very rude awakening, if the climate activists get their way. Compare: โ— Covid-19 has killed about 0.1% of world population, so far โ— The 1918 flu killed โ‰ˆ2% โ— WWII killed โ‰ˆ2.7% โ— But the global drought & famine of 1876-78 killed an estimated 3.7% of world population Dutch farmers are some of the most productive in the world, but their leftist, climate-conscious government is doing their best to end that: https://reuters.com/business/environment/dutch-farmers-protest-plan-curb-nitrogen-pollution-2022-06-22/ So is Baby Trudeau's leftist, climate-conscious government in Canada: https://agweb.com/news/policy/politics/new-policy-forces-canadian-producers-cut-back-fertilizer The Left and the Climate Industry are at war against agriculture, and against against humanity https://sealevel.info/learnmore.html?0=famine#famine In fact, the Climate Industry is ultimately at war against science itself. The IPCC's 2022 AR6 Report explicitly promotes homeopathic climatology (TCRE/RCB), which is just as unscientific as it sounds. Eli Rabett @EthonRaptor won't answer the question; so how about you, Willard? Do you agree with AR6 that CO2 which was FORMERLY in the air STILL has a warming effect? Or do you reject the IPCC's unscientific homeopathic climatology? Climate activists are like modern Lysenkoists, pretending to be scientific, while shredding real science. Or are you going to pretend there's anything scientific about GISS "climate scientist" @DrKateMarvel Kate Marvel's "intersectional science"? https://sealevel.info/intersectional_blah_blah_blah.html

@Willard1951 @JimBlack48 @BlasphemousBan1 @S_Metzeler @Anvndarnamn5 @GAJAJW @RClausius42 @Data79504085 @BenKoby1911 @priscian @EthonRaptor @Michael_D_Crow @Mark_A_Lunn @NomadicQuantum @AristotleMrs @ScienceBlog3 @AuroriaEn @AndreGrossza @DenisDaly @Veritatem2021 @JusticeTrudeau @judgementalbe1 @ChrisBBacon3 @Coleski14 @wallytoms0 @Climatehope2 @LesserMegadeath @WernerReinhard5 @S_D_Mannix @ammocrypta @Jaisans @CarrudoDon @LiveLifeBK24 @TheDisproof @Joeyd87745119 @Devonian1342 @Hji45519156 @waxliberty @SuperFoxyLoxy @JaapTitulaer @wjack76995 @Rocky35418823 @NobaconEgbert @balls95652097 @JustThi30117912 @BointonGiles @SeekerTheGreat1 @ubique60 @DaleGribble_666 1/12. by @ncdave4life(โœ๏ธ ๐Ÿ‡บ๐Ÿ‡ธ ๐Ÿ‡บ๐Ÿ‡ฆ Dave Burton) @Willard1951 @JimBlack48 @BlasphemousBan1 @S_Metzeler @Anvndarnamn5 @GAJAJW @RClausius42 @Data79504085 @BenKoby1911 @priscian @EthonRaptor @Michael_D_Crow @Mark_A_Lunn @NomadicQuantum @AristotleMrs @ScienceBlog3 @AuroriaEn @AndreGrossza @DenisDaly @Veritatem2021 @JusticeTrudeau @judgementalbe1 @ChrisBBacon3 @Coleski14 @wallytoms0 @Climatehope2 @LesserMegadeath @WernerReinhard5 @S_D_Mannix @ammocrypta @Jaisans @CarrudoDon @LiveLifeBK24 @TheDisproof @Joeyd87745119 @Devonian1342 @Hji45519156 @waxliberty @SuperFoxyLoxy @JaapTitulaer @wjack76995 @Rocky35418823 @NobaconEgbert @balls95652097 @JustThi30117912 @BointonGiles @SeekerTheGreat1 @ubique60 @DaleGribble_666 1/12. https://t.co/iJggf7m5xG Despite the benefits of elevated CO2, it's still possible to destroy agricultural productivity with bad governance, as Mao demonstrated 60+ years ago. https://t.co/irzifSao09 twitter-thread.com
Dutch farmers protest plan to curb nitrogen pollution Thousands of farmers were gathering in a village near the centre of the Netherlands on Wednesday to protest a government plan to curb nitrogen pollution, many travelling by tractor from all corners of the country and snarling traffic. reuters.com
Learn More About Climate Change - resources sealevel.info
The lunatics are running the academy sealevel.info

@rattibha - Rattibha ุฑุชุจู‡ุง

@ncdave4life @Willard1951 @JimBlack48 @BlasphemousBan1 @S_Metzeler @Anvndarnamn5 @GAJAJW @RClausius42 @Data79504085 @BenKoby1911 @priscian @EthonRaptor @Michael_D_Crow @Mark_A_Lunn @NomadicQuantum @AristotleMrs @ScienceBlog3 @AuroriaEn @AndreGrossza @DenisDaly @Veritatem2021 @JusticeTrudeau @judgementalbe1 @ChrisBBacon3 @Coleski14 @wallytoms0 @Climatehope2 @LesserMegadeath @WernerReinhard5 @S_D_Mannix @ammocrypta @Jaisans @CarrudoDon @LiveLifeBK24 @TheDisproof @Joeyd87745119 @Devonian1342 @Hji45519156 @waxliberty @SuperFoxyLoxy @JaapTitulaer @wjack76995 @Rocky35418823 @NobaconEgbert @balls95652097 @JustThi30117912 @BointonGiles @threadreaderapp @threaddotblue @ncdave4life Bonjour, We collected the Tweets. https://en.rattibha.com/thread/1719370209897685053 Good read? Share ๐Ÿ’š

@Willard1951 @JimBlack48 @BlasphemousBan1 @S_Metzeler @Anvndarnamn5 @GAJAJW @RClausius42 @Data79504085 @BenKoby1911 @priscian @EthonRaptor @Michael_D_ @Willard1951 @JimBlack48 @BlasphemousBan1 @S_Metzeler @Anvndarnamn5 @GAJAJW @RClausius42 @Data79504085 @BenKoby1911 @priscian @EthonRaptor @Michael_D_ en.rattibha.com

@ncdave4life - โœ๏ธ ๐Ÿ‡บ๐Ÿ‡ธ ๐Ÿ‡บ๐Ÿ‡ฆ Dave Burton

@EthonRaptor @Jaisans @atherton_chris @ItsTheAtmospher @Climatehope2 @WillWat6 @3GHtweets @TWTThisIsNow @DGinCheshire @BointonGiles @Mark_A_Lunn @AuroriaTwittori @RushhourP @MartinJBern @Willard1951 @Anvndarnamn5 @AristotleMrs @gstrandberg1 @Jakegsm @ammocrypta @EricWil06256732 @DTGvmd @wille99 @PaulDFarrar @TheDisproof @Veritatem2021 @Data79504085 @Hji45519156 @KCTaz @Valja46Zhark5 @paulp1232 @ShroedingerBird @J0aquIm_B4rb0s4 @Sky48115666 @0Sundance @BradPKeyes @DoesThisW0rk @FD2you @S_D_Mannix @glinch72 @JustThi30117912 @ChrisBBacon3 @B_Bolshevik100 @rosmadiwahab "The cause," eh? Too many so-called "climate scientists" put The Cause ahead of the science. https://twitter-thread.com/t/1670106954205675520 TCRE & RCB are homeopathic climatology: the claim that mere memory of a substance is all that is necessary for it to have its effect.

@EthonRaptor @ClimateOfGavin @NASAGoddard 1/6 Eli, please tell me that YOU do not think CO2 which was FORMERLY in the air STILL has a warming effect! by @ncdave4life(โœ๏ธ ๐Ÿ‡บ๐Ÿ‡ธ ๐Ÿ‡บ๐Ÿ‡ฆ Dave Burton) @EthonRaptor @ClimateOfGavin @NASAGoddard 1/6 Eli, please tell me that YOU do not think CO2 which was FORMERLY in the air STILL has a warming effect! I was SURE you are smarter than THAT! Any two steadily increasing quantities correlate nicely. That doesn't mean one causes the other, of course. https://t.co/wUW7xpFasT twitter-thread.com

@Willard1951 - James William Owens

@ncdave4life @JimBlack48 @BlasphemousBan1 @S_Metzeler @Anvndarnamn5 @GAJAJW @RClausius42 @Data79504085 @BenKoby1911 @priscian @EthonRaptor @Michael_D_Crow @Mark_A_Lunn @NomadicQuantum @AristotleMrs @ScienceBlog3 @AuroriaEn @AndreGrossza @DenisDaly @Veritatem2021 @JusticeTrudeau @judgementalbe1 @ChrisBBacon3 @Coleski14 @wallytoms0 @Climatehope2 @LesserMegadeath @WernerReinhard5 @S_D_Mannix @ammocrypta @Jaisans @CarrudoDon @LiveLifeBK24 @TheDisproof @Joeyd87745119 @Devonian1342 @Hji45519156 @waxliberty @SuperFoxyLoxy @JaapTitulaer @wjack76995 @Rocky35418823 @NobaconEgbert @balls95652097 @JustThi30117912 @BointonGiles @SeekerTheGreat1 @ubique60 @DaleGribble_666 Again, are the slopes of increasing yields similar or dissimilar, Dave? CO2 fertilization would โ€˜lift all boatsโ€™ leading to similar slopes Differences in implementing the Green Revolution would mean dissimilar slopes What does the data say??

@Willard1951 - James William Owens

@ncdave4life @JimBlack48 @BlasphemousBan1 @S_Metzeler @Anvndarnamn5 @GAJAJW @RClausius42 @Data79504085 @BenKoby1911 @priscian @EthonRaptor @Michael_D_Crow @Mark_A_Lunn @NomadicQuantum @AristotleMrs @ScienceBlog3 @AuroriaEn @AndreGrossza @DenisDaly @Veritatem2021 @JusticeTrudeau @judgementalbe1 @ChrisBBacon3 @Coleski14 @wallytoms0 @Climatehope2 @LesserMegadeath @WernerReinhard5 @S_D_Mannix @ammocrypta @Jaisans @CarrudoDon @LiveLifeBK24 @TheDisproof @Joeyd87745119 @Devonian1342 @Hji45519156 @waxliberty @SuperFoxyLoxy @JaapTitulaer @wjack76995 @Rocky35418823 @NobaconEgbert @balls95652097 @JustThi30117912 @BointonGiles @SeekerTheGreat1 @ubique60 @DaleGribble_666 Simply look at the data The Green Revolution has driven increased crop yields over the last 60 years, Dave CO2 fertilization is lost in the noise

@ncdave4life - โœ๏ธ ๐Ÿ‡บ๐Ÿ‡ธ ๐Ÿ‡บ๐Ÿ‡ฆ Dave Burton

1/7. The only trace on that graph which does not show large improvement in cereal yield per hectare is the trace for Niger. The graph ended with an anomalously bad crop year for cereals in Niger (2021). Fortunately, 2022 was much better; here's an article https://www.worldbank.org/en/news/press-release/2023/06/19/niger-strong-agricultural-season-boosts-economic-rebound-in-2022

Niger: Strong Agricultural Season Boosts Economic Rebound in 2022 Niger's economy recovered strongly in 2022 after two years of weak growth. This is primarily due to a good agricultural season, thanks to favorable rainfall and an expansion of irrigated land. However, there are uncertainties and risks that could affect future growth, such as the security situation and climatic shocks. These are the findings of the World Bankโ€™s latest economic update for Niger published today. worldbank.org

@ncdave4life - โœ๏ธ ๐Ÿ‡บ๐Ÿ‡ธ ๐Ÿ‡บ๐Ÿ‡ฆ Dave Burton

2/7. By displaying high productivity countries like the USA along with Niger, you forced OurWorldInData to scale the graphs so that it's hard to see the trend in Niger. But if you display Niger alone, as I've done here, you'll see that cereal yields declined there until about thirty years ago, but they've improved since then (except for 2021).

@ncdave4life - โœ๏ธ ๐Ÿ‡บ๐Ÿ‡ธ ๐Ÿ‡บ๐Ÿ‡ฆ Dave Burton

@Willard1951 @JimBlack48 @BlasphemousBan1 @S_Metzeler @Anvndarnamn5 @GAJAJW @RClausius42 @Data79504085 @BenKoby1911 @priscian @EthonRaptor @Michael_D_Crow @Mark_A_Lunn @NomadicQuantum @AristotleMrs @ScienceBlog3 @AuroriaEn @AndreGrossza @DenisDaly @Veritatem2021 @JusticeTrudeau @judgementalbe1 @ChrisBBacon3 @Coleski14 @wallytoms0 @Climatehope2 @LesserMegadeath @WernerReinhard5 @S_D_Mannix @ammocrypta @Jaisans @CarrudoDon @LiveLifeBK24 @TheDisproof @Joeyd87745119 @Devonian1342 @Hji45519156 @waxliberty @SuperFoxyLoxy @JaapTitulaer @wjack76995 @Rocky35418823 @NobaconEgbert @balls95652097 @JustThi30117912 @BointonGiles @SeekerTheGreat1 @ubique60 @DaleGribble_666 3/7. The other major staple crop in Niger is cassava. Its yields have improved considerably. https://sealevel.info/Niger_Cassava_yield_1961-2021_OourWorldInData.png

@ncdave4life - โœ๏ธ ๐Ÿ‡บ๐Ÿ‡ธ ๐Ÿ‡บ๐Ÿ‡ฆ Dave Burton

4/7. That's probably because cassava benefits tremendously from additional CO2, especially in the dry conditions which are prevalent in most of Niger. Here's a paper about it: https://www.tandfonline.com/doi/abs/10.1080/03650340.2018.1446523 Cruz et al 2018. Elevated CO2 reduces whole transpiration and substantially improves root production of cassava grown under water deficit. Archives of Agronomy and Soil Science 64: 1623-1634. doi:10.1080/03650340.2018.1446523

@ncdave4life - โœ๏ธ ๐Ÿ‡บ๐Ÿ‡ธ ๐Ÿ‡บ๐Ÿ‡ฆ Dave Burton

5/7. Most of Niger is desert or near-desert, which means most of its land is poorly suited for growing crops. Over the 60 year period shown, Niger's population increased by about 640%. As a result, the amount of land under cultivation drastically increased, resulting in more marginal land being put to the plow. That, of course, can be expected to lower the average cereal yield per hectare. Nevertheless, other than a bad year in 2021, yields there have been improving since the mid 1990s. https://sealevel.info/Niger_Cereal_production_1961-2021_OourWorldInData.png

@ncdave4life - โœ๏ธ ๐Ÿ‡บ๐Ÿ‡ธ ๐Ÿ‡บ๐Ÿ‡ฆ Dave Burton

6/7. That's probably because of the well-known fact that, in addition to improving production by CO2 fertilization, rising CO2 levels improve crops' water use efficiency and drought resilience. Here's a paper about wheat: https://onlinelibrary.wiley.com/doi/full/10.1111/gcb.13263 Fitzgerald GJ, et al. (2016) Elevated atmospheric [CO2] can dramatically increase wheat yields in semi-arid environments and buffer against heat waves. Glob Chang Biol. 22(6):2269-84. doi:10.1111/gcb.13263.

@ncdave4life - โœ๏ธ ๐Ÿ‡บ๐Ÿ‡ธ ๐Ÿ‡บ๐Ÿ‡ฆ Dave Burton

@Willard1951 @JimBlack48 @BlasphemousBan1 @S_Metzeler @Anvndarnamn5 @GAJAJW @RClausius42 @Data79504085 @BenKoby1911 @priscian @EthonRaptor @Michael_D_Crow @Mark_A_Lunn @NomadicQuantum @AristotleMrs @ScienceBlog3 @AuroriaEn @AndreGrossza @DenisDaly @Veritatem2021 @JusticeTrudeau @judgementalbe1 @ChrisBBacon3 @Coleski14 @wallytoms0 @Climatehope2 @LesserMegadeath @WernerReinhard5 @S_D_Mannix @ammocrypta @Jaisans @CarrudoDon @LiveLifeBK24 @TheDisproof @Joeyd87745119 @Devonian1342 @Hji45519156 @waxliberty @SuperFoxyLoxy @JaapTitulaer @wjack76995 @Rocky35418823 @NobaconEgbert @balls95652097 @JustThi30117912 @BointonGiles @SeekerTheGreat1 @ubique60 @DaleGribble_666 7/7. The science has been settled for over a century: elevated CO2 is tremendously beneficial for agriculture. The climate activists who refuse to acknowledge that established fact are science deniers. https://sealevel.info/learnmore.html?0=preciousairfertilizer#agriculture

Learn More About Climate Change - resources sealevel.info

@reSeeIt - reSee.it

@ncdave4life @Willard1951 @JimBlack48 @BlasphemousBan1 @S_Metzeler @Anvndarnamn5 @GAJAJW @RClausius42 @Data79504085 @BenKoby1911 @priscian @EthonRaptor @Michael_D_Crow @Mark_A_Lunn @NomadicQuantum @AristotleMrs @ScienceBlog3 @AuroriaEn @AndreGrossza @DenisDaly @Veritatem2021 @JusticeTrudeau @judgementalbe1 @ChrisBBacon3 @Coleski14 @wallytoms0 @Climatehope2 @LesserMegadeath @WernerReinhard5 @S_D_Mannix @ammocrypta @Jaisans @CarrudoDon @LiveLifeBK24 @TheDisproof @Joeyd87745119 @Devonian1342 @Hji45519156 @waxliberty @SuperFoxyLoxy @JaapTitulaer @wjack76995 @Rocky35418823 @NobaconEgbert @balls95652097 @JustThi30117912 @BointonGiles @threadreaderapp @rattibha Itโ€™s stored forever โ™พ๏ธ with reSeeIt thanks to IPFS ๐Ÿช and blockchain. @ncdave4life, check out the permanently stored blockchain record, find related posts, and read the AI summary by clicking here ๐Ÿ‘‡ https://resee.it/tweet/1720229686817485063

reSee.it #25644 - @ncdave4life PDF, screenshot, and permanently saved ๐• Conversation with @ncdave4life resee.it
Saved - November 3, 2023 at 12:07 AM
reSee.it AI Summary
The conversation discusses the impact of rising CO2 levels on agriculture. @ncdave4life argues that elevated CO2 benefits farming based on agronomy studies, while @Willard1951 emphasizes the role of implementing the Green Revolution. They debate the effects on crop yields and mention specific countries like Niger. @ncdave4life highlights the benefits of CO2 fertilization and improved water use efficiency. The conversation ends with @ncdave4life asserting that elevated CO2 is beneficial for agriculture, while climate activists are labeled as science deniers.

@ncdave4life - โœ๏ธ ๐Ÿ‡บ๐Ÿ‡ธ ๐Ÿ‡บ๐Ÿ‡ฆ Dave Burton

@JimBlack48 @BlasphemousBan1 @S_Metzeler @Anvndarnamn5 @GAJAJW @RClausius42 @Data79504085 @BenKoby1911 @priscian @EthonRaptor @Michael_D_Crow @Mark_A_Lunn @NomadicQuantum @AristotleMrs @ScienceBlog3 @AuroriaEn @AndreGrossza @Willard1951 @DenisDaly @Veritatem2021 @JusticeTrudeau @judgementalbe1 @ChrisBBacon3 @Coleski14 @wallytoms0 @Climatehope2 @LesserMegadeath @WernerReinhard5 @S_D_Mannix @ammocrypta @Jaisans @CarrudoDon @LiveLifeBK24 @TheDisproof @Joeyd87745119 @Devonian1342 @Hji45519156 @waxliberty @SuperFoxyLoxy @JaapTitulaer @wjack76995 @Rocky35418823 @NobaconEgbert @balls95652097 @JustThi30117912 @BointonGiles @SeekerTheGreat1 @ubique60 @DaleGribble_666 10/10. The reality is that most farmers are not idiots, and the higher CO2 levels go the more productive our farms will be. That's not speculation, that's the measured conclusion of thousands of rigorous agronomy studies. https://sealevel.info/negative_social_cost_of_carbon.html https://sealevel.info/negative_social_cost_of_carbon.html

Social cost of carbon is negative - scientific papers sealevel.info
Social cost of carbon is negative - scientific papers sealevel.info

@Willard1951 - James William Owens

@ncdave4life @JimBlack48 @BlasphemousBan1 @S_Metzeler @Anvndarnamn5 @GAJAJW @RClausius42 @Data79504085 @BenKoby1911 @priscian @EthonRaptor @Michael_D_Crow @Mark_A_Lunn @NomadicQuantum @AristotleMrs @ScienceBlog3 @AuroriaEn @AndreGrossza @DenisDaly @Veritatem2021 @JusticeTrudeau @judgementalbe1 @ChrisBBacon3 @Coleski14 @wallytoms0 @Climatehope2 @LesserMegadeath @WernerReinhard5 @S_D_Mannix @ammocrypta @Jaisans @CarrudoDon @LiveLifeBK24 @TheDisproof @Joeyd87745119 @Devonian1342 @Hji45519156 @waxliberty @SuperFoxyLoxy @JaapTitulaer @wjack76995 @Rocky35418823 @NobaconEgbert @balls95652097 @JustThi30117912 @BointonGiles @SeekerTheGreat1 @ubique60 @DaleGribble_666 The increase in food yields is farmers, industry & governments implementing and investing in the Green Revolution, Dave That will vary around the globe The increase in CO2 and CO2 fertilization should be everywhere Another figure

@ncdave4life - โœ๏ธ ๐Ÿ‡บ๐Ÿ‡ธ ๐Ÿ‡บ๐Ÿ‡ฆ Dave Burton

You're in denial of thousands of rigorous agronomy studies, over more than a century, which have measured the very large benefits of rising CO2 levels for agriculture. Of course, despite the benefits of elevated CO2, it's still possible to destroy agricultural productivity with bad governance. https://twitter-thread.com/t/1719372491536085167 Mao demonstrated that 60+ years ago, in pursuit of socialist utopia. Gotabaya Rajapaksa proved it again in Sri Lanka in 2021. Sri Lanka's humanitarian and economic disaster is the poison fruit of climate alarmism. Leftist politicians and climate activists are doing their best to lower crop yields, and return us to the days of mass famines. Most young people don't know much history, so they don't know what that's like. They're in for a very rude awakening, if the climate activists get their way. Compare: โ— Covid-19 has killed about 0.1% of world population, so far โ— The 1918 flu killed โ‰ˆ2% โ— WWII killed โ‰ˆ2.7% โ— But the global drought & famine of 1876-78 killed an estimated 3.7% of world population Dutch farmers are some of the most productive in the world, but their leftist, climate-conscious government is doing their best to end that: https://reuters.com/business/environment/dutch-farmers-protest-plan-curb-nitrogen-pollution-2022-06-22/ So is Baby Trudeau's leftist, climate-conscious government in Canada: https://agweb.com/news/policy/politics/new-policy-forces-canadian-producers-cut-back-fertilizer The Left and the Climate Industry are at war against agriculture, and against against humanity https://sealevel.info/learnmore.html?0=famine#famine In fact, the Climate Industry is ultimately at war against science itself. The IPCC's 2022 AR6 Report explicitly promotes homeopathic climatology (TCRE/RCB), which is just as unscientific as it sounds. Eli Rabett @EthonRaptor won't answer the question; so how about you, Willard? Do you agree with AR6 that CO2 which was FORMERLY in the air STILL has a warming effect? Or do you reject the IPCC's unscientific homeopathic climatology? Climate activists are like modern Lysenkoists, pretending to be scientific, while shredding real science. Or are you going to pretend there's anything scientific about GISS "climate scientist" @DrKateMarvel Kate Marvel's "intersectional science"? https://sealevel.info/intersectional_blah_blah_blah.html

@Willard1951 @JimBlack48 @BlasphemousBan1 @S_Metzeler @Anvndarnamn5 @GAJAJW @RClausius42 @Data79504085 @BenKoby1911 @priscian @EthonRaptor @Michael_D_Crow @Mark_A_Lunn @NomadicQuantum @AristotleMrs @ScienceBlog3 @AuroriaEn @AndreGrossza @DenisDaly @Veritatem2021 @JusticeTrudeau @judgementalbe1 @ChrisBBacon3 @Coleski14 @wallytoms0 @Climatehope2 @LesserMegadeath @WernerReinhard5 @S_D_Mannix @ammocrypta @Jaisans @CarrudoDon @LiveLifeBK24 @TheDisproof @Joeyd87745119 @Devonian1342 @Hji45519156 @waxliberty @SuperFoxyLoxy @JaapTitulaer @wjack76995 @Rocky35418823 @NobaconEgbert @balls95652097 @JustThi30117912 @BointonGiles @SeekerTheGreat1 @ubique60 @DaleGribble_666 1/12. by @ncdave4life(โœ๏ธ ๐Ÿ‡บ๐Ÿ‡ธ ๐Ÿ‡บ๐Ÿ‡ฆ Dave Burton) @Willard1951 @JimBlack48 @BlasphemousBan1 @S_Metzeler @Anvndarnamn5 @GAJAJW @RClausius42 @Data79504085 @BenKoby1911 @priscian @EthonRaptor @Michael_D_Crow @Mark_A_Lunn @NomadicQuantum @AristotleMrs @ScienceBlog3 @AuroriaEn @AndreGrossza @DenisDaly @Veritatem2021 @JusticeTrudeau @judgementalbe1 @ChrisBBacon3 @Coleski14 @wallytoms0 @Climatehope2 @LesserMegadeath @WernerReinhard5 @S_D_Mannix @ammocrypta @Jaisans @CarrudoDon @LiveLifeBK24 @TheDisproof @Joeyd87745119 @Devonian1342 @Hji45519156 @waxliberty @SuperFoxyLoxy @JaapTitulaer @wjack76995 @Rocky35418823 @NobaconEgbert @balls95652097 @JustThi30117912 @BointonGiles @SeekerTheGreat1 @ubique60 @DaleGribble_666 1/12. https://t.co/iJggf7m5xG Despite the benefits of elevated CO2, it's still possible to destroy agricultural productivity with bad governance, as Mao demonstrated 60+ years ago. https://t.co/irzifSao09 twitter-thread.com
Dutch farmers protest plan to curb nitrogen pollution Thousands of farmers were gathering in a village near the centre of the Netherlands on Wednesday to protest a government plan to curb nitrogen pollution, many travelling by tractor from all corners of the country and snarling traffic. reuters.com
Learn More About Climate Change - resources sealevel.info
The lunatics are running the academy sealevel.info

@rattibha - Rattibha ุฑุชุจู‡ุง

@ncdave4life @Willard1951 @JimBlack48 @BlasphemousBan1 @S_Metzeler @Anvndarnamn5 @GAJAJW @RClausius42 @Data79504085 @BenKoby1911 @priscian @EthonRaptor @Michael_D_Crow @Mark_A_Lunn @NomadicQuantum @AristotleMrs @ScienceBlog3 @AuroriaEn @AndreGrossza @DenisDaly @Veritatem2021 @JusticeTrudeau @judgementalbe1 @ChrisBBacon3 @Coleski14 @wallytoms0 @Climatehope2 @LesserMegadeath @WernerReinhard5 @S_D_Mannix @ammocrypta @Jaisans @CarrudoDon @LiveLifeBK24 @TheDisproof @Joeyd87745119 @Devonian1342 @Hji45519156 @waxliberty @SuperFoxyLoxy @JaapTitulaer @wjack76995 @Rocky35418823 @NobaconEgbert @balls95652097 @JustThi30117912 @BointonGiles @threadreaderapp @threaddotblue @ncdave4life Bonjour, We collected the Tweets. https://en.rattibha.com/thread/1719370209897685053 Good read? Share ๐Ÿ’š

@Willard1951 @JimBlack48 @BlasphemousBan1 @S_Metzeler @Anvndarnamn5 @GAJAJW @RClausius42 @Data79504085 @BenKoby1911 @priscian @EthonRaptor @Michael_D_ @Willard1951 @JimBlack48 @BlasphemousBan1 @S_Metzeler @Anvndarnamn5 @GAJAJW @RClausius42 @Data79504085 @BenKoby1911 @priscian @EthonRaptor @Michael_D_ en.rattibha.com

@ncdave4life - โœ๏ธ ๐Ÿ‡บ๐Ÿ‡ธ ๐Ÿ‡บ๐Ÿ‡ฆ Dave Burton

@EthonRaptor @Jaisans @atherton_chris @ItsTheAtmospher @Climatehope2 @WillWat6 @3GHtweets @TWTThisIsNow @DGinCheshire @BointonGiles @Mark_A_Lunn @AuroriaTwittori @RushhourP @MartinJBern @Willard1951 @Anvndarnamn5 @AristotleMrs @gstrandberg1 @Jakegsm @ammocrypta @EricWil06256732 @DTGvmd @wille99 @PaulDFarrar @TheDisproof @Veritatem2021 @Data79504085 @Hji45519156 @KCTaz @Valja46Zhark5 @paulp1232 @ShroedingerBird @J0aquIm_B4rb0s4 @Sky48115666 @0Sundance @BradPKeyes @DoesThisW0rk @FD2you @S_D_Mannix @glinch72 @JustThi30117912 @ChrisBBacon3 @B_Bolshevik100 @rosmadiwahab "The cause," eh? Too many so-called "climate scientists" put The Cause ahead of the science. https://twitter-thread.com/t/1670106954205675520 TCRE & RCB are homeopathic climatology: the claim that mere memory of a substance is all that is necessary for it to have its effect.

@EthonRaptor @ClimateOfGavin @NASAGoddard 1/6 Eli, please tell me that YOU do not think CO2 which was FORMERLY in the air STILL has a warming effect! by @ncdave4life(โœ๏ธ ๐Ÿ‡บ๐Ÿ‡ธ ๐Ÿ‡บ๐Ÿ‡ฆ Dave Burton) @EthonRaptor @ClimateOfGavin @NASAGoddard 1/6 Eli, please tell me that YOU do not think CO2 which was FORMERLY in the air STILL has a warming effect! I was SURE you are smarter than THAT! Any two steadily increasing quantities correlate nicely. That doesn't mean one causes the other, of course. https://t.co/wUW7xpFasT twitter-thread.com

@Willard1951 - James William Owens

@ncdave4life @JimBlack48 @BlasphemousBan1 @S_Metzeler @Anvndarnamn5 @GAJAJW @RClausius42 @Data79504085 @BenKoby1911 @priscian @EthonRaptor @Michael_D_Crow @Mark_A_Lunn @NomadicQuantum @AristotleMrs @ScienceBlog3 @AuroriaEn @AndreGrossza @DenisDaly @Veritatem2021 @JusticeTrudeau @judgementalbe1 @ChrisBBacon3 @Coleski14 @wallytoms0 @Climatehope2 @LesserMegadeath @WernerReinhard5 @S_D_Mannix @ammocrypta @Jaisans @CarrudoDon @LiveLifeBK24 @TheDisproof @Joeyd87745119 @Devonian1342 @Hji45519156 @waxliberty @SuperFoxyLoxy @JaapTitulaer @wjack76995 @Rocky35418823 @NobaconEgbert @balls95652097 @JustThi30117912 @BointonGiles @SeekerTheGreat1 @ubique60 @DaleGribble_666 Again, are the slopes of increasing yields similar or dissimilar, Dave? CO2 fertilization would โ€˜lift all boatsโ€™ leading to similar slopes Differences in implementing the Green Revolution would mean dissimilar slopes What does the data say??

@Willard1951 - James William Owens

@ncdave4life @JimBlack48 @BlasphemousBan1 @S_Metzeler @Anvndarnamn5 @GAJAJW @RClausius42 @Data79504085 @BenKoby1911 @priscian @EthonRaptor @Michael_D_Crow @Mark_A_Lunn @NomadicQuantum @AristotleMrs @ScienceBlog3 @AuroriaEn @AndreGrossza @DenisDaly @Veritatem2021 @JusticeTrudeau @judgementalbe1 @ChrisBBacon3 @Coleski14 @wallytoms0 @Climatehope2 @LesserMegadeath @WernerReinhard5 @S_D_Mannix @ammocrypta @Jaisans @CarrudoDon @LiveLifeBK24 @TheDisproof @Joeyd87745119 @Devonian1342 @Hji45519156 @waxliberty @SuperFoxyLoxy @JaapTitulaer @wjack76995 @Rocky35418823 @NobaconEgbert @balls95652097 @JustThi30117912 @BointonGiles @SeekerTheGreat1 @ubique60 @DaleGribble_666 Simply look at the data The Green Revolution has driven increased crop yields over the last 60 years, Dave CO2 fertilization is lost in the noise

@ncdave4life - โœ๏ธ ๐Ÿ‡บ๐Ÿ‡ธ ๐Ÿ‡บ๐Ÿ‡ฆ Dave Burton

1/7. The only trace on that graph which does not show large improvement in cereal yield per hectare is the trace for Niger. The graph ended with an anomalously bad crop year for cereals in Niger (2021). Fortunately, 2022 was much better; here's an article https://www.worldbank.org/en/news/press-release/2023/06/19/niger-strong-agricultural-season-boosts-economic-rebound-in-2022

Niger: Strong Agricultural Season Boosts Economic Rebound in 2022 Niger's economy recovered strongly in 2022 after two years of weak growth. This is primarily due to a good agricultural season, thanks to favorable rainfall and an expansion of irrigated land. However, there are uncertainties and risks that could affect future growth, such as the security situation and climatic shocks. These are the findings of the World Bankโ€™s latest economic update for Niger published today. worldbank.org

@ncdave4life - โœ๏ธ ๐Ÿ‡บ๐Ÿ‡ธ ๐Ÿ‡บ๐Ÿ‡ฆ Dave Burton

2/7. By displaying high productivity countries like the USA along with Niger, you forced OurWorldInData to scale the graphs so that it's hard to see the trend in Niger. But if you display Niger alone, as I've done here, you'll see that cereal yields declined there until about thirty years ago, but they've improved since then (except for 2021).

@ncdave4life - โœ๏ธ ๐Ÿ‡บ๐Ÿ‡ธ ๐Ÿ‡บ๐Ÿ‡ฆ Dave Burton

@Willard1951 @JimBlack48 @BlasphemousBan1 @S_Metzeler @Anvndarnamn5 @GAJAJW @RClausius42 @Data79504085 @BenKoby1911 @priscian @EthonRaptor @Michael_D_Crow @Mark_A_Lunn @NomadicQuantum @AristotleMrs @ScienceBlog3 @AuroriaEn @AndreGrossza @DenisDaly @Veritatem2021 @JusticeTrudeau @judgementalbe1 @ChrisBBacon3 @Coleski14 @wallytoms0 @Climatehope2 @LesserMegadeath @WernerReinhard5 @S_D_Mannix @ammocrypta @Jaisans @CarrudoDon @LiveLifeBK24 @TheDisproof @Joeyd87745119 @Devonian1342 @Hji45519156 @waxliberty @SuperFoxyLoxy @JaapTitulaer @wjack76995 @Rocky35418823 @NobaconEgbert @balls95652097 @JustThi30117912 @BointonGiles @SeekerTheGreat1 @ubique60 @DaleGribble_666 3/7. The other major staple crop in Niger is cassava. Its yields have improved considerably. https://sealevel.info/Niger_Cassava_yield_1961-2021_OourWorldInData.png

@ncdave4life - โœ๏ธ ๐Ÿ‡บ๐Ÿ‡ธ ๐Ÿ‡บ๐Ÿ‡ฆ Dave Burton

4/7. That's probably because cassava benefits tremendously from additional CO2, especially in the dry conditions which are prevalent in most of Niger. Here's a paper about it: https://www.tandfonline.com/doi/abs/10.1080/03650340.2018.1446523 Cruz et al 2018. Elevated CO2 reduces whole transpiration and substantially improves root production of cassava grown under water deficit. Archives of Agronomy and Soil Science 64: 1623-1634. doi:10.1080/03650340.2018.1446523

@ncdave4life - โœ๏ธ ๐Ÿ‡บ๐Ÿ‡ธ ๐Ÿ‡บ๐Ÿ‡ฆ Dave Burton

5/7. Most of Niger is desert or near-desert, which means most of its land is poorly suited for growing crops. Over the 60 year period shown, Niger's population increased by about 640%. As a result, the amount of land under cultivation drastically increased, resulting in more marginal land being put to the plow. That, of course, can be expected to lower the average cereal yield per hectare. Nevertheless, other than a bad year in 2021, yields there have been improving since the mid 1990s. https://sealevel.info/Niger_Cereal_production_1961-2021_OourWorldInData.png

@ncdave4life - โœ๏ธ ๐Ÿ‡บ๐Ÿ‡ธ ๐Ÿ‡บ๐Ÿ‡ฆ Dave Burton

6/7. That's probably because of the well-known fact that, in addition to improving production by CO2 fertilization, rising CO2 levels improve crops' water use efficiency and drought resilience. Here's a paper about wheat: https://onlinelibrary.wiley.com/doi/full/10.1111/gcb.13263 Fitzgerald GJ, et al. (2016) Elevated atmospheric [CO2] can dramatically increase wheat yields in semi-arid environments and buffer against heat waves. Glob Chang Biol. 22(6):2269-84. doi:10.1111/gcb.13263.

@ncdave4life - โœ๏ธ ๐Ÿ‡บ๐Ÿ‡ธ ๐Ÿ‡บ๐Ÿ‡ฆ Dave Burton

@Willard1951 @JimBlack48 @BlasphemousBan1 @S_Metzeler @Anvndarnamn5 @GAJAJW @RClausius42 @Data79504085 @BenKoby1911 @priscian @EthonRaptor @Michael_D_Crow @Mark_A_Lunn @NomadicQuantum @AristotleMrs @ScienceBlog3 @AuroriaEn @AndreGrossza @DenisDaly @Veritatem2021 @JusticeTrudeau @judgementalbe1 @ChrisBBacon3 @Coleski14 @wallytoms0 @Climatehope2 @LesserMegadeath @WernerReinhard5 @S_D_Mannix @ammocrypta @Jaisans @CarrudoDon @LiveLifeBK24 @TheDisproof @Joeyd87745119 @Devonian1342 @Hji45519156 @waxliberty @SuperFoxyLoxy @JaapTitulaer @wjack76995 @Rocky35418823 @NobaconEgbert @balls95652097 @JustThi30117912 @BointonGiles @SeekerTheGreat1 @ubique60 @DaleGribble_666 7/7. The science has been settled for over a century: elevated CO2 is tremendously beneficial for agriculture. The climate activists who refuse to acknowledge that established fact are science deniers. https://sealevel.info/learnmore.html?0=preciousairfertilizer#agriculture

Learn More About Climate Change - resources sealevel.info
Saved - October 31, 2023 at 6:04 AM

@drwaheeduddin - Dr. Waheed Uddin

UN spending billions on climatechange fallacy & its bureaucracy while 800 millions go hungry & millions more live in poverty of food & elec. https://t.co/5tBIvSSh2b

Saved - October 30, 2023 at 5:07 PM
reSee.it AI Summary
The conversation revolves around the contribution of methane (CH4) to radiative forcing and climate change. @Willard1951 and @ncdave4life debate the percentage of CH4's impact, with @Willard1951 claiming it to be around 18% and @ncdave4life stating it is only 8.6%. @Daniel_Marbella emphasizes the significance of CO2 as the main greenhouse gas. The conversation also touches on historical climate trends and the impact of air pollution.

@Willard1951 - James William Owens

@ncdave4life @ProfMarkMaslin @COP28_UAE So after a number of tweets Dave has arrived at my original estimate back on Oct 24th and basically agreed with me Why so much effort spent on something so simple?

@Willard1951 - James William Owens

@ncdave4life @GAJAJW @EthonRaptor @Michael_D_Crow @ScienceBlog3 @AuroriaEn @Anvndarnamn5 @AndreGrossza @DenisDaly @S_Metzeler @Veritatem2021 @priscian @JusticeTrudeau @BenKoby1911 @Mark_A_Lunn @judgementalbe1 @AristotleMrs @ChrisBBacon3 @Coleski14 @wallytoms0 @Climatehope2 @LesserMegadeath @WernerReinhard5 @S_D_Mannix @ammocrypta @JimBlack48 @Jaisans @CarrudoDon @LiveLifeBK24 @TheDisproof @Joeyd87745119 @Devonian1342 @Data79504085 @Hji45519156 @waxliberty @SuperFoxyLoxy @JaapTitulaer @wjack76995 @Rocky35418823 @NobaconEgbert @balls95652097 @JustThi30117912 @SniemN @BointonGiles @SeekerTheGreat1 @ubique60 Think a second, Dave In 2022, total anthropogenic radiative forcing ~3.4 W/m^2 A basic estimate Methane contributed ~0.62 W/m^2 So methane contributes about 18% That's not trivial

@ncdave4life - โœ๏ธ ๐Ÿ‡บ๐Ÿ‡ธ ๐Ÿ‡บ๐Ÿ‡ฆ Dave Burton

I'm glad you finally understand that, according to NOAA's AGGI chart, over the last 1/3 century CH4 has accounted for just 8.6% of the radiative forcing increase from anthropogenic GHGs. I'm a bit worried about your failing memory, though. They say the mind is the second thing to go. https://sealevel.info/aggi_percentage_forcing_attribution_per_GHG_2022_annot1.png

@Willard1951 - James William Owens

@ncdave4life @ProfMarkMaslin @COP28_UAE I noted 6 days ago that the annual radiative forcing of methane was ~18% based on a quick look at the NOAA AGGI chart, Dave After showing you the AMS SoC tables, you now agree Yet, you still flounder and try to cover up your mistakes Why Dave?

@Willard1951 - James William Owens

@ncdave4life @ProfMarkMaslin @COP28_UAE Yes, the AMS SoC 2022 table was somewhat simpler with fewer minor GHGs With radiative forcing for 2022 in column #6 CO2 again row 1 = 2.3 W/m^2 CH4 row 2 = 0.56 W/m^2 About the same 4:1 ratio, as I've noted again & again

@Daniel_Marbella - Daniel

@Willard1951 @ncdave4life @ProfMarkMaslin James, if you read carefully, he claims about last 1/3 century, not since pre industrial times. After 1992 CH4 slope curves, adding just around 0,2 W/m^2 of radiative forcing in 30 years (0,0066 W/m^2/year). In fact, the effect of CH4 is truly magnified.

@Willard1951 - James William Owens

@Daniel_Marbella @ncdave4life @ProfMarkMaslin Dave is floundering, Dan Methane constitutes a significant human GHG emission and thus a significant contributor to the current warming of Earth's climate system

@Daniel_Marbella - Daniel

@Willard1951 @ncdave4life @ProfMarkMaslin According to modern evidence, CH4 only contributed about 0,6 W/m^2 since it was half nowaday concentration. And barely 0,7W/m^2 when doubled. The big factor as GHG is CO2.

@Willard1951 - James William Owens

@Daniel_Marbella @ncdave4life @ProfMarkMaslin As we noted in the thread on current contributions to radiative forcing CO2 ~65% CH4 ~18% And remember, CH4 has resumed its rise

@ncdave4life - โœ๏ธ ๐Ÿ‡บ๐Ÿ‡ธ ๐Ÿ‡บ๐Ÿ‡ฆ Dave Burton

1/4. We've been over this, Willard. According to NOAA's AGGI chart, over the last 1/3 century CH4 has accounted for just 8.6% of the radiative forcing increase from anthropogenic GHGs. Not 18% or 25%. That's about 1/10แต—สฐ of the contribution which we get from the ongoing rise in CO2. If that tiny contribution to modest and benign warming worries you, perhaps counseling would help.

@ncdave4life - โœ๏ธ ๐Ÿ‡บ๐Ÿ‡ธ ๐Ÿ‡บ๐Ÿ‡ฆ Dave Burton

@Willard1951 @ProfMarkMaslin @COP28_UAE Willard wrote, "CH4 increase is now returned to the higher rate" False. CH4 is rising nowhere near the higher rate of the 1960s and 1970s. Why do make guesses like that, and assert them as facts, without bothering to do the arithmetic to check them? The arithmetic is prettyโ€ฆ

@ncdave4life - โœ๏ธ ๐Ÿ‡บ๐Ÿ‡ธ ๐Ÿ‡บ๐Ÿ‡ฆ Dave Burton

2/4. Here's the CH4 graph: https://sealevel.info/CH4.html https://sealevel.info/CH4_2012-2022_10.55_ppbv_per_yr.png Despite the modest uptick in CH4 level over the last 15 years, the rate of rise in CH4's radiative forcing is still much slower than it was 50-60 years ago. In the 1960s and 1970s the CH4 level rose relatively fast, and consequently CH4 was a larger contributor to radiative forcing increase.

CH4 since 1840 sealevel.info

@ncdave4life - โœ๏ธ ๐Ÿ‡บ๐Ÿ‡ธ ๐Ÿ‡บ๐Ÿ‡ฆ Dave Burton

3/4. The relatively sharp rise in CH4 level in the 1960s & 1970s was insufficient to reverse the worrisome 1950s-70s cooling trend. Here's a clip from CBS TV, in which Walter Cronkite, The Most Trusted Man in Americaโ„ข, reporting: https://www.youtube.com/watch?v=H4JX1S9YZBo Hubert Lamb (source for that CBS story) was the founding director of the UEA Climate Research Unit. Here's a 1974 CIA report, based on the best current science, about the worrisome cooling trend: climatemonitor.it/wp-content/uplโ€ฆ Here's an excerpt, from the Summary: "The western world's leading climatologists have confirmed recent reports of a detrimental global climatic changeโ€ฆ during 50 of the last 60 years the Earth has, on the average, enjoyed the best agricultural climate since the eleventh centuryโ€ฆ The world is returning to the type of climate which has existed over the last 400 years. That is, the abnormal climate of agricultural-optimum is being replaced by a normal climate of the neo-boreal era. The climate change began in 1960โ€ฆ" The grim climate to which we were thought to be returning was the Little Ice Age. "Boreal" means cold: boreal. adj. Relating to or characteristic of the climatic zone south of the Arctic, especially the cold temperate region dominated by taiga and forests of birch, poplar, and conifersโ€ฆ โ€โ€โ€โ€โ€โ€ โ€โ€ The global cooling scare was one of the main reasons for the shiny new anti-air-pollution laws governing power plants, in the 1970s. The other main reason was "acid rain." (Note: Unlike "acidified" oceans, which are actually alkaline, acid rain really is acidic.)

@ncdave4life - โœ๏ธ ๐Ÿ‡บ๐Ÿ‡ธ ๐Ÿ‡บ๐Ÿ‡ฆ Dave Burton

4/4. But, Willard, you said "current warming." The CH4 rise 50-60 years ago is irrelevant to that. 1. The main anthropogenic factors affecting it are CO2 & air pollution abatement. 2. The main natural factors are probably Hunga Tonga (1/2022) & El Niรฑo. https://t.co/LDKUWm76lJ

@ncdave4life - โœ๏ธ ๐Ÿ‡บ๐Ÿ‡ธ ๐Ÿ‡บ๐Ÿ‡ฆ Dave Burton

@Veritatem2021 @annmclan @FD2you @DawnTJ90 @BradPKeyes @Callan23474387 @Mark_A_Lunn @KCTaz @AristotleMrs @0Sundance @TheDisproof @BointonGiles @DoesThisW0rk @3GHtweets @Climatehope2 @Jaisans @S_D_Mannix @TWTThisIsNow @JustThi30117912 @paulp1232 @MartinJBern @Willard1951 @Data79504085 @ShroedingerBird @ammocrypta @ChrisBBacon3 @EthonRaptor @B_Bolshevik100 @rosmadiwahab @Robert76907841 @Anvndarnamn5 @EricWil06256732 @ProfMickWilson @FillmoreWhite @TommyLambertOKC @JohnDublin10 @NoTricksZone @RoelofBoer @DawnJT90 @DawnTj9 @PeterDClack @FriendsOScience @Kenneth72712993 @wattsupwiththat @AlexEpstein 2/2. As for the ยฝ degree spike in 2023, it is good news, because it means the new air pollution controls on ships are working (though Hunga Tonga and the new El Niรฑo also contributed). https://t.co/OoRnzngP0k

Saved - October 28, 2023 at 6:37 PM
reSee.it AI Summary
The IPCC, the leading organization behind the "climate emergency" campaign, faces credibility issues. Their recent AR6 Report promotes pseudoscience, rejecting real science. Concepts like TCRE and RCB are akin to homeopathy, believing in the memory of CO2's effect. However, only GHGs in the air have a warming effect. CO2 emissions have proven to be beneficial, not harmful. Claims of major harms are hypothetical and implausible. The evidence shows that extreme weather, such as hurricanes and droughts, is not worsening. The Earth's temperature has only risen by about 1.0 to 1.3ยฐC since the Little Ice Age, which is a negligible change. The climate industry's alarmism seems driven by emotional needs and financial interests rather than genuine concern for the planet.

@ncdave4life - โœ๏ธ ๐Ÿ‡บ๐Ÿ‡ธ ๐Ÿ‡บ๐Ÿ‡ฆ Dave Burton

1/25. The leading organization promoting the Climate Industry's "climate emergency" PR campaign is the IPCC. It has severe credibility issues. Investigative journalist Donna Laframboise explains some of them in this lecture about the IPCC's 2007 AR4 Report: https://youtube.com/watch?v=InIQkyKYfv4โ€ฆ (It's 31 minutes but she speaks very clearly, so she's perfectly understandable at 2x speed.) https://sealevel.info/glossary.html#ar4โ€ฆ (Caveat: I've been an IPCC Expert Reviewer on a couple of their assessment reports.)

@ncdave4life - โœ๏ธ ๐Ÿ‡บ๐Ÿ‡ธ ๐Ÿ‡บ๐Ÿ‡ฆ Dave Burton

2/25. It's only gotten worse since then. The IPCC's 2022 AR6 Report explicitly promotes what I call "homeopathic climatology" (TCRE/RCB), which represents an overt rejection of science.

@ncdave4life - โœ๏ธ ๐Ÿ‡บ๐Ÿ‡ธ ๐Ÿ‡บ๐Ÿ‡ฆ Dave Burton

@EthonRaptor @Jaisans @atherton_chris @ItsTheAtmospher @Climatehope2 @WillWat6 @3GHtweets @TWTThisIsNow @DGinCheshire @BointonGiles @Mark_A_Lunn @AuroriaTwittori @RushhourP @MartinJBern @Willard1951 @Anvndarnamn5 @AristotleMrs @gstrandberg1 @Jakegsm @ammocrypta @EricWil06256732 @DTGvmd @wille99 @PaulDFarrar @TheDisproof @Veritatem2021 @Data79504085 @Hji45519156 @KCTaz @Valja46Zhark5 @paulp1232 @ShroedingerBird @J0aquIm_B4rb0s4 @Sky48115666 @0Sundance @BradPKeyes @DoesThisW0rk @FD2you @S_D_Mannix @glinch72 @JustThi30117912 @ChrisBBacon3 @B_Bolshevik100 @rosmadiwahab "The cause," eh? Too many so-called "climate scientists" put The Cause ahead of the science. https://twitter-thread.com/t/1670106954205675520 TCRE & RCB are homeopathic climatology: the claim that mere memory of a substance is all that is necessary for it to have its effect.

@EthonRaptor @ClimateOfGavin @NASAGoddard 1/6 Eli, please tell me that YOU do not think CO2 which was FORMERLY in the air STILL has a warming effect! by @ncdave4life(โœ๏ธ ๐Ÿ‡บ๐Ÿ‡ธ ๐Ÿ‡บ๐Ÿ‡ฆ Dave Burton) @EthonRaptor @ClimateOfGavin @NASAGoddard 1/6 Eli, please tell me that YOU do not think CO2 which was FORMERLY in the air STILL has a warming effect! I was SURE you are smarter than THAT! Any two steadily increasing quantities correlate nicely. That doesn't mean one causes the other, of course. https://t.co/wUW7xpFasT twitter-thread.com

@ncdave4life - โœ๏ธ ๐Ÿ‡บ๐Ÿ‡ธ ๐Ÿ‡บ๐Ÿ‡ฆ Dave Burton

3/25. The TCRE ("Transient Climate Response to cumulative CO2 Emissions") and RCB ("Remaining Carbon Budget") concepts are homeopathy applied to climatology: the belief that the mere memory of a substance is all that's necessary for it to have its effect.

@ncdave4life - โœ๏ธ ๐Ÿ‡บ๐Ÿ‡ธ ๐Ÿ‡บ๐Ÿ‡ฆ Dave Burton

@JKSteinberger 2/11ใ€You can read about TCRE in AR6 WG1 5.5, TS.3.2.1, 1.6.3, etc. It's a completely nonsensical concept, based on the premise that, not merely does CO2 still in the air have a warming effect, but that the mere MEMORY by Gaia, of CO2 which WAS ONCE in the air, ALSO does!

@ncdave4life - โœ๏ธ ๐Ÿ‡บ๐Ÿ‡ธ ๐Ÿ‡บ๐Ÿ‡ฆ Dave Burton

4/25. It's as if they think The Ghost of CO2 Past haunts the atmosphere, continuing to warm the Earth long after the CO2 has been removed from the air and sequestered in other carbon reservoirs. https://fineartamerica.com/featured/the-ghost-of-christmas-past-dave-rheaume.html (Art by Dave Rheaume @DaveRheaume)

The Ghost of Christmas Past by Dave Rheaume The Ghost of Christmas Past is a painting by Dave Rheaume which was uploaded on December 1st, 2013. The painting may be purchased as wall art, home decor, apparel, phone cases, greeting cards, and more. All products are produced on-demand and shipped worldwide within 2 - 3 business days. fineartamerica.com

@ncdave4life - โœ๏ธ ๐Ÿ‡บ๐Ÿ‡ธ ๐Ÿ‡บ๐Ÿ‡ฆ Dave Burton

5/25. Of course, only GHGs still in the air actually have a warming effect. So a scientist who valued real science more than the IPCC's political agenda would denounce that TCRE & RCB pseudoscience. But I know of no climate alarmists who've done so. https://sealevel.info/learnmore.html?0=debates#debates https://sealevel.info/learnmore.html?0=debates#debates

Learn More About Climate Change - resources sealevel.info
Learn More About Climate Change - resources sealevel.info

@ncdave4life - โœ๏ธ ๐Ÿ‡บ๐Ÿ‡ธ ๐Ÿ‡บ๐Ÿ‡ฆ Dave Burton

6/25. The evidence is compelling that CO2 emissions are beneficial, not harmful. Here are some relevant papers about it: https://sealevel.info/negative_social_cost_of_carbon.html https://sealevel.info/negative_social_cost_of_carbon.html

Social cost of carbon is negative - scientific papers sealevel.info
Social cost of carbon is negative - scientific papers sealevel.info

@ncdave4life - โœ๏ธ ๐Ÿ‡บ๐Ÿ‡ธ ๐Ÿ‡บ๐Ÿ‡ฆ Dave Burton

@DaveRheaume 7/25. You can learn much more about CO2 and it's effects, from a very fine scientific organization called The CO2 Coalition @CO2Coalition. I'm honored to be a Member. This is their website: https://co2coalition.org/

Home - CO2 Coalition co2coalition.org

@GWrightstone - Gregory Wrightstone

CO2 Coalition Announces Election of Nobel Laureate Dr. John Clauser to its Board of Directors. According to Clauser: "In my opinion, there is no real climate crisis" @JunkScience @EcoSenseNow @gwtomb @VijayJayaraj_CC

@ncdave4life - โœ๏ธ ๐Ÿ‡บ๐Ÿ‡ธ ๐Ÿ‡บ๐Ÿ‡ฆ Dave Burton

@DaveRheaume @CO2Coalition 8/25. The supposed major harms from CO2 emissions are all merely hypothetical, and mostly implausible. None of them are actually happening. For instance, the coral of the Great Barrier Reef are doing fine: https://www.thegwpf.com/peter-ridd-record-coral-cover-of-great-barrier-reef-refutes-climate-alarmists/ https://www.thegwpf.com/peter-ridd-record-coral-cover-of-great-barrier-reef-refutes-climate-alarmists/

Page Not Found - Net Zero Watch netzerowatch.com
Page Not Found - Net Zero Watch netzerowatch.com

@ncdave4life - โœ๏ธ ๐Ÿ‡บ๐Ÿ‡ธ ๐Ÿ‡บ๐Ÿ‡ฆ Dave Burton

@DaveRheaume @CO2Coalition 9/25. "Extreme weather" is not getting worse. Hurricanes, tornadoes, nor'easters &droughts, are not worsening. In fact, tornadoes & droughts have become much less destructive. Here're the facts on hurricanes, from an expert: https://rogerpielkejr.substack.com/p/2023-update-what-the-media-wont-tell

2023 Edition: What the media won't tell you about . . . hurricanes The science and data reporters refuse to report rogerpielkejr.substack.com

@ncdave4life - โœ๏ธ ๐Ÿ‡บ๐Ÿ‡ธ ๐Ÿ‡บ๐Ÿ‡ฆ Dave Burton

1/17ใ€‹Climate change is not making hurricanes more destructive. https://sealevel.info/learnmore.html?0=hurricanes#hurricanes

Learn More About Climate Change - resources sealevel.info

@ncdave4life - โœ๏ธ ๐Ÿ‡บ๐Ÿ‡ธ ๐Ÿ‡บ๐Ÿ‡ฆ Dave Burton

@DaveRheaume @CO2Coalition 10/25. Droughts have showed a slight decreasing trend, but they're substantially less destructive now, because elevated CO2 levels make plants more water-efficient and drought-resilient.

@ncdave4life - โœ๏ธ ๐Ÿ‡บ๐Ÿ‡ธ ๐Ÿ‡บ๐Ÿ‡ฆ Dave Burton

@rcbregman 17/ Also, elevated CO2 makes plants more water-efficient & drought-resilient, by improving CO2 stomatal conductance relative to transpiration. That's long-settled science among agronomists (though most climate scientists are apparently unfamiliar with it).

@ncdave4life - โœ๏ธ ๐Ÿ‡บ๐Ÿ‡ธ ๐Ÿ‡บ๐Ÿ‡ฆ Dave Burton

@DaveRheaume @CO2Coalition 11/25. Strong tornadoes have decreased markedly (though nobody is sure why). https://sealevel.info/learnmore.html?0=tornadoes#tornadoes https://sealevel.info/learnmore.html?0=tornadoes#tornadoes

Learn More About Climate Change - resources sealevel.info
Learn More About Climate Change - resources sealevel.info

@ncdave4life - โœ๏ธ ๐Ÿ‡บ๐Ÿ‡ธ ๐Ÿ‡บ๐Ÿ‡ฆ Dave Burton

12/25 ๐ŸŽœ ๐ŸŽ Do you see what I see? โ™ช โ™ฌ โ™ฉ A line, a line, running through the years A linear rise of the sea โ™ช ๐ŸŸข ๐Ÿ”ด ๐ŸŸข ๐Ÿ”ด ๐ŸŸข ๐Ÿ”ด๐ŸŸข ๐Ÿ”ด ๐ŸŸข ๐Ÿ”ด ๐ŸŸข ๐Ÿ”ด The tide gauge at Harlingen has a continuous sea-level measurement record all the way back to 1865. If it looks worrisome to you, counseling might help.

@ncdave4life - โœ๏ธ ๐Ÿ‡บ๐Ÿ‡ธ ๐Ÿ‡บ๐Ÿ‡ฆ Dave Burton

@CornelWest 10/26ใ€‹Contrary to climate industry propaganda, none of the supposed major harms of carbon emissions are actually happening. They are all merely hypothetical, and mostly implausible. Sea-level trends have been virtually unchanged for 90+ years. https://sealevel.info/learnmore.html?0=sealevel#sealevelโ€ฆ

Learn More About Climate Change - resources sealevel.info

@ncdave4life - โœ๏ธ ๐Ÿ‡บ๐Ÿ‡ธ ๐Ÿ‡บ๐Ÿ‡ฆ Dave Burton

13/25. I also have many resources about CO2 and climate change here: https://sealevel.info/learnmore.html?0=benefits#benefits This resource list has: โ— accurate intro climatology info โ— in-depth science from BOTH skeptics & alarmists โ— links to balanced debates between experts on BOTH sides โ— info about climate impacts โ— links to the best blogs on BOTH sides

Learn More About Climate Change - resources sealevel.info

@ncdave4life - โœ๏ธ ๐Ÿ‡บ๐Ÿ‡ธ ๐Ÿ‡บ๐Ÿ‡ฆ Dave Burton

@DaveRheaume @CO2Coalition 14/25. Since the Little Ice Age, the Earth is generally estimated to have warmed by a grand total of 1.0 to 1.3ยฐC, on average. (Nobody really knows.) NCA4 and the WMO estimate 1.02 to 1.27 ยฐC. https://public.wmo.int/en/media/press-release/eight-warmest-years-record-witness-upsurge-climate-change-impacts#:~:text=The%2010%2Dyear%20average%20for%20the%20period%202013%2D2022%20is%20estimated%20to%20be%201.14%20%5B1.02%20to%201.27%5D%C2%A0%C2%B0C%20above%20the%201850%2D1900%20pre%2Dindustrial%20baseline

Eight warmest years on record witness upsurge in climate change impacts The past eight years are on track to be the eight warmest on record, fuelled by ever-rising greenhouse gas concentrations and accumulated heat. Extreme heatwaves, drought and devastating flooding have affected millions and cost billions this year, according to the World Meteorological Organizationโ€™s provisional State of the Global Climate in 2022 report. public.wmo.int

@ncdave4life - โœ๏ธ ๐Ÿ‡บ๐Ÿ‡ธ ๐Ÿ‡บ๐Ÿ‡ฆ Dave Burton

@DaveRheaume @CO2Coalition 15/25. That's a little less than the hysteresis (a/k/a "dead band" or "dead zone") in a typical home thermostat, which is the amount that your indoorโ€‰ temperatures go up and down, all day long, without you even noticing it. https://sealevel.info/learnmore.html?0=temperature#temperature https://sealevel.info/learnmore.html?0=temperature#temperature

Learn More About Climate Change - resources sealevel.info
Learn More About Climate Change - resources sealevel.info

@ncdave4life - โœ๏ธ ๐Ÿ‡บ๐Ÿ‡ธ ๐Ÿ‡บ๐Ÿ‡ฆ Dave Burton

@DaveRheaume @CO2Coalition 16/25. 1ยฐC is the temperature change you get from an elevation change of about 500 feet (calculated from an average tropospheric lapse rate of 6.5ยฐC/km). https://sealevel.info/VerticalStructureOfAtmosphere_Updated2Nov2021_Waikato_NZ_1528x800_67pct_lapse_rate_emphasized.png

@ncdave4life - โœ๏ธ ๐Ÿ‡บ๐Ÿ‡ธ ๐Ÿ‡บ๐Ÿ‡ฆ Dave Burton

@DaveRheaume @CO2Coalition 17/25. At mid-latitudes, 1ยฐC is about the temperature change you get from a latitude change of around 60 miles. https://sealevel.info/2015_zones_highres.png

@ncdave4life - โœ๏ธ ๐Ÿ‡บ๐Ÿ‡ธ ๐Ÿ‡บ๐Ÿ‡ฆ Dave Burton

@DaveRheaume @CO2Coalition 18/25. In the American Midwest, farmers can fully compensate for a 1ยฐC temperature change by adjusting planting dates by about six days.

@ncdave4life - โœ๏ธ ๐Ÿ‡บ๐Ÿ‡ธ ๐Ÿ‡บ๐Ÿ‡ฆ Dave Burton

@DaveRheaume @CO2Coalition 19/25. Do you recognize how crazy it is for the climate industry to pretend that such a tiny temperature change is an "emergency?"

@ncdave4life - โœ๏ธ ๐Ÿ‡บ๐Ÿ‡ธ ๐Ÿ‡บ๐Ÿ‡ฆ Dave Burton

To learn about #ClimateChange see: https://www.sealevel.info/learnmore.html It has: โ— accurate intro climatology info โ— in-depth science from BOTH skeptics & alarmists โ— links to balanced debates between experts on BOTH sides โ— info about climate impacts โ— links to best blogs on BOTH sides

Learn More About Climate Change - resources sealevel.info

@ncdave4life - โœ๏ธ ๐Ÿ‡บ๐Ÿ‡ธ ๐Ÿ‡บ๐Ÿ‡ฆ Dave Burton

20/25. Actually, that's not what they pretend. They pretend less than half of that is a dire threat! What they call "1.5ยฐC warming" is actually just 0.35ยฐC warmer than present. That's because their baseline is an estimate of late Little Ice Age "pre-industrial" average temperature.

@ncdave4life - โœ๏ธ ๐Ÿ‡บ๐Ÿ‡ธ ๐Ÿ‡บ๐Ÿ‡ฆ Dave Burton

@DaveRheaume @CO2Coalition 21/25. They obviously do that to reduce the sniggering which would result if they called a prospective temperature change of 0.35ยฐC an "emergency."

@ncdave4life - โœ๏ธ ๐Ÿ‡บ๐Ÿ‡ธ ๐Ÿ‡บ๐Ÿ‡ฆ Dave Burton

@DaveRheaume @CO2Coalition 22/25. There's a broad consensus among historians and scientists that the Little Ice Age climate was worseโ€‰ than our current, warmer climate. Nevertheless, that neo-boreal (cold) climate is what the "net zero" campaigners are trying to return us to. https://sealevel.info/CIA1974ClimateReport2/

@ncdave4life - โœ๏ธ ๐Ÿ‡บ๐Ÿ‡ธ ๐Ÿ‡บ๐Ÿ‡ฆ Dave Burton

@DaveRheaume @CO2Coalition 23/25. Many climate activists seem to be meeting some sort of irrational emotional need to find something to be alarmed about.

@ncdave4life - โœ๏ธ ๐Ÿ‡บ๐Ÿ‡ธ ๐Ÿ‡บ๐Ÿ‡ฆ Dave Burton

1/12ใ€‹Many climate activists just PRETEND to be worried about #ClimateChange. They LIKE being alarmed. The proof is in their reactions. When a "worse than we thought" story hits the press, they're gleeful. But when you show them good news, they're angry. https://sealevel.info/learnmore.html?0=greening#greening

Learn More About Climate Change - resources sealevel.info

@ncdave4life - โœ๏ธ ๐Ÿ‡บ๐Ÿ‡ธ ๐Ÿ‡บ๐Ÿ‡ฆ Dave Burton

@DaveRheaume @CO2Coalition 24/25. But it's clear that most of the people who write the checks for the "climate emergency" propaganda campaign don't really care about the global temperature. They're just selling products. Example: https://www.theguardian.com/environment/2014/jun/19/russia-secretly-working-with-environmentalists-to-oppose-fracking https://www.theguardian.com/environment/2014/jun/19/russia-secretly-working-with-environmentalists-to-oppose-fracking

Russia 'secretly working with environmentalists to oppose fracking' Nato chief, Anders Fogh Rasmussen, says Moscow mounting disinformation campaign to maintain reliance on Russian gas theguardian.com
Russia 'secretly working with environmentalists to oppose fracking' Nato chief, Anders Fogh Rasmussen, says Moscow mounting disinformation campaign to maintain reliance on Russian gas theguardian.com

@ncdave4life - โœ๏ธ ๐Ÿ‡บ๐Ÿ‡ธ ๐Ÿ‡บ๐Ÿ‡ฆ Dave Burton

25/25. That's why they aren't worried about China's & India's massive coal power plant buildout. It's all about the Benjamins, baby.

@ncdave4life - โœ๏ธ ๐Ÿ‡บ๐Ÿ‡ธ ๐Ÿ‡บ๐Ÿ‡ฆ Dave Burton

@DaveRheaume @CO2Coalition Compilation: https://twitter-thread.com/t/1718335013471588510 @ThreadReaderApp @Rattibha @threaddotblue unroll @reSeeIt save thread

1/25. The leading organization promoting the Climate Industry's "climate emergency" PR campaign is the IPCC. It has severe credibility issues. Investigative journalist Donna Laframboise explains some of them in this lecture about the IPCC's 2007 AR4 Report: by @ncdave4life(โœ๏ธ ๐Ÿ‡บ๐Ÿ‡ธ ๐Ÿ‡บ๐Ÿ‡ฆ Dave Burton) 1/25. The leading organization promoting the Climate Industry's "climate emergency" PR campaign is the IPCC. It has severe credibility issues. Investigative journalist Donna Laframboise explains some of them in this lecture about the IPCC's 2007 AR4 Report: https://t.co/yzLmr21eDy (It's 31 minutes but she speaks very clearly, so she's perfectly understandable at 2x speed.) https://t.co/9XziAXtdbN (Caveat: I've been an IPCC Expert Reviewer on a couple of their assessment reports.) twitter-thread.com
Saved - October 26, 2023 at 10:31 PM
reSee.it AI Summary
Climate activists prioritize addressing the crisis, not just emissions. The $1.5 trillion/year invested in this cause is significant. Amplifying support for funding is crucial, as the climate industry requires substantial propaganda. China's CO2 emissions aren't their primary concern. #ClimateCrisis #ClimateActivism

@ncdave4life - โœ๏ธ ๐Ÿ‡บ๐Ÿ‡ธ ๐Ÿ‡บ๐Ÿ‡ฆ Dave Burton

The reason climate activists aren't worried about China's CO2 emissions is that they aren't really worried much about emissions. They're mainly worried about keeping Piggy fed. They don't call it a crisis "for nothing." $1.5 trillion/year ain't "nothing." It's all about the Benjamins. They call it a crisis to amp up support for feeding Piggy. The parasitic climate industry needs a LOT of propaganda to prop it up.

Saved - October 26, 2023 at 8:40 PM
reSee.it AI Summary
Climate change does not make hurricanes, tornadoes, wildfires, or droughts worse. Sea-level trends are not significantly affected. Temperatures are slightly milder but not unprecedented. Past natural warming events were more rapid. CO2 emissions have positive consequences, like greening the Earth and improving food security. Rising CO2 levels benefit regions like the Sahel. Famines are now rare. CO2 fertilization increases crop yields. Balanced information is crucial to understanding climate change.

@ncdave4life - โœ๏ธ ๐Ÿ‡บ๐Ÿ‡ธ ๐Ÿ‡บ๐Ÿ‡ฆ Dave Burton

1/17ใ€‹Climate change is not making hurricanes more destructive. https://sealevel.info/learnmore.html?0=hurricanes#hurricanes

Learn More About Climate Change - resources sealevel.info

@ncdave4life - โœ๏ธ ๐Ÿ‡บ๐Ÿ‡ธ ๐Ÿ‡บ๐Ÿ‡ฆ Dave Burton

2/17ใ€‹Nor is it making tornadoes more destructive. https://sealevel.info/learnmore.html?0=tornadoes#tornadoes

Learn More About Climate Change - resources sealevel.info

@ncdave4life - โœ๏ธ ๐Ÿ‡บ๐Ÿ‡ธ ๐Ÿ‡บ๐Ÿ‡ฆ Dave Burton

3/17ใ€‹Nor is it making wildfires worse. https://sealevel.info/learnmore.html?0=fires#fires

Learn More About Climate Change - resources sealevel.info

@ncdave4life - โœ๏ธ ๐Ÿ‡บ๐Ÿ‡ธ ๐Ÿ‡บ๐Ÿ‡ฆ Dave Burton

4/17ใ€‹Nor is it making droughts worse. https://sealevel.info/learnmore.html?0=droughts#droughts

Learn More About Climate Change - resources sealevel.info

@ncdave4life - โœ๏ธ ๐Ÿ‡บ๐Ÿ‡ธ ๐Ÿ‡บ๐Ÿ‡ฆ Dave Burton

5/17ใ€‹Nor is it significantly affecting sea-level trends. https://sealevel.info/learnmore.html

Learn More About Climate Change - resources sealevel.info

@ncdave4life - โœ๏ธ ๐Ÿ‡บ๐Ÿ‡ธ ๐Ÿ‡บ๐Ÿ‡ฆ Dave Burton

6/17ใ€‹Temperatures are slightly milder than they were a century ago, but they are nowhere near unprecedented. https://sealevel.info/learnmore.html?0=temperatures#temperatures

Learn More About Climate Change - resources sealevel.info

@ncdave4life - โœ๏ธ ๐Ÿ‡บ๐Ÿ‡ธ ๐Ÿ‡บ๐Ÿ‡ฆ Dave Burton

7/17ใ€‹Recent warming is very slow & slight compared to past natural warming events, such as Dansgaard-Oeschger terminations. Ice cores record dozens of them in the last 100K years. https://sealevel.info/learnmore.html?0=d-o#d-o D-O terminations warmed at rates of up to several degrees/decade (>10ร— recent rates of warming), in the NH. Fortunately, even those large, abrupt temperature changes apparently didn't cause mass extinctions.

Learn More About Climate Change - resources sealevel.info

@ncdave4life - โœ๏ธ ๐Ÿ‡บ๐Ÿ‡ธ ๐Ÿ‡บ๐Ÿ‡ฆ Dave Burton

8/17ใ€‹The main consequences of CO2 emissions and climate change have been very positive, like a greening Earth: https://www.nasa.gov/technology/carbon-dioxide-fertilization-greening-earth-study-finds/ https://sealevel.info/greening_earth_spatial_patterns_Myneni.html This is NASA's video about it: https://www.youtube.com/watch?v=zOwHT8yS1XI

Carbon Dioxide Fertilization Greening Earth, Study Finds - NASA From a quarter to half of Earthโ€™s vegetated lands has shown significant greening over the last 35 years largely due to rising levels of atmospheric carbon nasa.gov
Video Not Available youtube.com

@ncdave4life - โœ๏ธ ๐Ÿ‡บ๐Ÿ‡ธ ๐Ÿ‡บ๐Ÿ‡ฆ Dave Burton

9/17ใ€‹The Sahel (southern Sahara) is benefiting tremendously from rising CO2 levels. https://www.sealevel.info/Pearce2002_Africans_go_back_to_the_land_as_plants_reclaim_the_desert-New_Scientist.html @NewScientist reported the "remarkable environmental turnaround," including a โ€œquite spectacular regeneration of vegetation,โ€ and "70% increase in yields of local cereals such as sorghum and millet in one province in recent years."

@ncdave4life - โœ๏ธ ๐Ÿ‡บ๐Ÿ‡ธ ๐Ÿ‡บ๐Ÿ‡ฆ Dave Burton

10/17ใ€‹In 2009 @NatGeo reported, "Vast swaths of North Africa are getting noticeably lusher due to warming temperatures, new satellite images show, suggesting a possible boon for people living in the driest part of the continent." https://sealevel.info/Owen2009_Sahara_Desert_Greening-NatGeo30639457.html

@ncdave4life - โœ๏ธ ๐Ÿ‡บ๐Ÿ‡ธ ๐Ÿ‡บ๐Ÿ‡ฆ Dave Burton

@newscientist @NatGeo 11/17ใ€‹Rising CO2 levels greatly improve global food security, by increasing crop yields, through "CO2 fertilization," and through improved water use efficiency and drought resilience. That's helping make famines rare for the first time in history. https://sealevel.info/learnmore.html?0=benefits#benefits

Learn More About Climate Change - resources sealevel.info

@ncdave4life - โœ๏ธ ๐Ÿ‡บ๐Ÿ‡ธ ๐Ÿ‡บ๐Ÿ‡ฆ Dave Burton

@newscientist @NatGeo 12/17ใ€‹Throughout human history, until the late 20th century, famine was a Damoclean sword hanging over mankind: the "Third Horseman of the Apocalypse." If you're too young to remember catastrophic drought-triggered famines, count yourself blessed. https://sealevel.info/learnmore.html?0=madrasfamine#famine

Learn More About Climate Change - resources sealevel.info

@ncdave4life - โœ๏ธ ๐Ÿ‡บ๐Ÿ‡ธ ๐Ÿ‡บ๐Ÿ‡ฆ Dave Burton

@newscientist @NatGeo 13/17ใ€‹To put it in perspective: โ— Covid-19 killed 0.1% of world population. โ— 1918 flu killed about 2%. โ— WWII killed 2.7%. โ— The near-global drought and famine of 1876-78 killed about 3.7% of the world population. https://journals.ametsoc.org/view/journals/clim/31/23/jcli-d-18-0159.1.xml

Climate and the Global Famine of 1876โ€“78 Abstract From 1875 to 1878, concurrent multiyear droughts in Asia, Brazil, and Africa, referred to as the Great Drought, caused widespread crop failures, catalyzing the so-called Global Famine, which had fatalities exceeding 50 million people and long-lasting societal consequences. Observations, paleoclimate reconstructions, and climate model simulations are used 1) to demonstrate the severity and characterize the evolution of drought across different regions, and 2) to investigate the underlying mechanisms driving its multiyear persistence. Severe or record-setting droughts occurred on continents in both hemispheres and in multiple seasons, with the โ€œMonsoon Asiaโ€ region being the hardest hit, experiencing the single most intense and the second most expansive drought in the last 800 years. The extreme severity, duration, and extent of this global event is associated with an extraordinary combination of preceding cool tropical Pacific conditions (1870โ€“76), a record-breaking El Niรฑo (1877โ€“78), a record strong Indian Ocean dipole (1877), and record warm North Atlantic Ocean (1878) conditions. Composites of historical analogs and two sets of ensemble simulationsโ€”one forced with global sea surface temperatures (SSTs) and another forced with tropical Pacific SSTsโ€”were used to distinguish the role of the extreme conditions in different ocean basins. While the drought in most regions was largely driven by the tropical Pacific SST conditions, an extreme positive phase of the Indian Ocean dipole and warm North Atlantic SSTs, both likely aided by the strong El Niรฑo in 1877โ€“78, intensified and prolonged droughts in Australia and Brazil, respectively, and extended the impact to northern and southeastern Africa. Climatic conditions that caused the Great Drought and Global Famine arose from natural variability, and their recurrence, with hydrological impacts intensified by global warming, could again potentially undermine global food security. journals.ametsoc.org

@ncdave4life - โœ๏ธ ๐Ÿ‡บ๐Ÿ‡ธ ๐Ÿ‡บ๐Ÿ‡ฆ Dave Burton

@newscientist @NatGeo 14/17ใ€‹Here are some more papers documenting the major beneficial effects of CO2 emissions. https://sealevel.info/negative_social_cost_of_carbon.html

Social cost of carbon is negative - scientific papers sealevel.info

@ncdave4life - โœ๏ธ ๐Ÿ‡บ๐Ÿ‡ธ ๐Ÿ‡บ๐Ÿ‡ฆ Dave Burton

@newscientist @NatGeo 15/17ใ€‹The CO2 Coalition has many great resources for learning the facts about CO2 and climate change: https://co2coalition.org/

Home - CO2 Coalition co2coalition.org

@ncdave4life - โœ๏ธ ๐Ÿ‡บ๐Ÿ‡ธ ๐Ÿ‡บ๐Ÿ‡ฆ Dave Burton

@newscientist @NatGeo 16/17ใ€‹Many top scientists are members of the CO2 Coalition, where they volunteer their time for free, in support of sound science.

@GWrightstone - Gregory Wrightstone

CO2 Coalition Announces Election of Nobel Laureate Dr. John Clauser to its Board of Directors. According to Clauser: "In my opinion, there is no real climate crisis" @JunkScience @EcoSenseNow @gwtomb @VijayJayaraj_CC

@ncdave4life - โœ๏ธ ๐Ÿ‡บ๐Ÿ‡ธ ๐Ÿ‡บ๐Ÿ‡ฆ Dave Burton

17/17ใ€‹To understand #ClimateChange (or any other politicized or contentious topic), you need balanced information. I'm here to help: https://sealevel.info/learnmore.html This resource list has: โ— accurate intro climatology info โ— in-depth science from BOTH skeptics & alarmists โ— links to balanced debates between experts on BOTH sides โ— info about climate impacts โ— links to the best blogs on BOTH sides

Learn More About Climate Change - resources sealevel.info

@ncdave4life - โœ๏ธ ๐Ÿ‡บ๐Ÿ‡ธ ๐Ÿ‡บ๐Ÿ‡ฆ Dave Burton

@newscientist @NatGeo Compilation: https://twitter-thread.com/t/1717641317214204301 @ThreadReaderApp @Rattibha @threaddotblue unroll @reSeeIt save thread

1/17ใ€‹Climate change is not making hurricanes more destructive. by @ncdave4life(โœ๏ธ ๐Ÿ‡บ๐Ÿ‡ธ ๐Ÿ‡บ๐Ÿ‡ฆ Dave Burton) 1/17ใ€‹Climate change is not making hurricanes more destructive. https://t.co/iV6w914gVc https://t.co/o9Ux2pU3am twitter-thread.com
Saved - August 5, 2025 at 2:51 PM
reSee.it AI Summary
I believe there's little difference between Democrats and Trump when it comes to taxes and spending. Trump's massive federal deficit is alarming, and tariff revenue barely makes a dent. I see Trump as more like a Democrat, sharing traits with figures like Bill Clinton, but lacking his decorum. Both Trump and Biden exhibit cognitive decline and frequently lie, which is troubling. I miss principled conservative leadership and am frustrated by the GOP's abandonment of its values. While I recognize the flaws in both parties, I expect better from Republicans.

@ncdave4life - โœ๏ธ ๐Ÿ‡บ๐Ÿ‡ธ ๐Ÿ‡บ๐Ÿ‡ฆ Dave Burton

1/10ใ€‹ That's the point, Brian! When it comes to taxes & spending, there's not a dime's worth of difference between Democrats and Trump. That's why @elonmusk lost patience with @realDonaldTrump. Tariffs are taxes, and 9ร— is a BIG tax increase. But it hardly scratches the deficit. Do you have any idea how enormous Trump's $2 trillion/yr federal deficit is? https://www.usgovernmentspending.com/federal_deficit_chart https://www.usdebtclock.org/ For each family of four, the federal government is adding $23,500/year to the national debt. AND IT IS GETTING WORSE. Tariff revenue could at best cover about 5% of the federal budget, and that's optimistically ignoring the cost of the probable consequent recession (or worse).

US Deficit for FY2024: $1.83 trillion. The federal deficit for FY2025 will be $1.78 trillion. It is the amount by which federal outlays in the federal budget exceed federal receipts. Source: OMB Historical Tables. usgovernmentspending.com
U.S. National Debt Clock : Real Time US National Debt Clock : Real Time U.S. National Debt Clock : DOGE Clock usdebtclock.org

@ncdave4life - โœ๏ธ ๐Ÿ‡บ๐Ÿ‡ธ ๐Ÿ‡บ๐Ÿ‡ฆ Dave Burton

@SilversBFF @atensnut We're talking about tariffs, not the OBBB. Tariffs are taxes, and 9ร— is a HUGE tax increase. As for "paying down the debt," do you have any idea how enormous the $2 trillion federal deficit is? https://www.usgovernmentspending.com/federal_deficit_chart https://www.usdebtclock.org/ For each family of four, the federal

US Deficit for FY2024: $1.83 trillion. The federal deficit for FY2025 will be $1.78 trillion. It is the amount by which federal outlays in the federal budget exceed federal receipts. Source: OMB Historical Tables. usgovernmentspending.com
U.S. National Debt Clock : Real Time US National Debt Clock : Real Time U.S. National Debt Clock : DOGE Clock usdebtclock.org

@ncdave4life - โœ๏ธ ๐Ÿ‡บ๐Ÿ‡ธ ๐Ÿ‡บ๐Ÿ‡ฆ Dave Burton

@BGlass202128769 @NeonDunes1 @atensnut Dream on! The federal budget is >$7 trillion, and the deficit is about $2 trillion. Over the first 7 months of this year tariff revenue totaled just $152 billion, despite all-time record monthly receipts in July of $29 billion. $29B ร— 12 = $348B = less than 5% of the budget.

@ncdave4life - โœ๏ธ ๐Ÿ‡บ๐Ÿ‡ธ ๐Ÿ‡บ๐Ÿ‡ฆ Dave Burton

@antisafespaces @atensnut Tariffs can be extremely destructive. If you want to understand the risk, a good place to start is by studying their connection with the Depressions of the 1890s and 1930s. You can start here: https://chatgpt.com/c/6891515b-101c-8321-b47c-e7f83a80aed1

@BrianDWaterbur1 - Brian D Waterbury

@ncdave4life @atensnut And a President Harris would not have done so exponentially? GTFO

@ncdave4life - โœ๏ธ ๐Ÿ‡บ๐Ÿ‡ธ ๐Ÿ‡บ๐Ÿ‡ฆ Dave Burton

@elonmusk @realDonaldTrump 2/10ใ€‹ Trump is much more like a Democrat than a conservative Republican. W/r/t his personal conduct, he resembles Bill Clinton or Gary Hart. https://www.washingtonpost.com/politics/trump-recorded-having-extremely-lewd-conversation-about-women-in-2005/2016/10/07/3b9ce776-8cb4-11e6-bf8a-3d26847eeed4_story.html

@ncdave4life - โœ๏ธ ๐Ÿ‡บ๐Ÿ‡ธ ๐Ÿ‡บ๐Ÿ‡ฆ Dave Burton

@elonmusk @realDonaldTrump 3/10ใ€‹ But Clinton had better manners than Trump. Trump is a narcissist, and a foul-mouthed, hypocritical, lecherous creep, who contradicts himself constantly.

Video Transcript AI Summary
The speaker claims to be highly educated and truthful, even to a fault. He recalls someone begging to be on his team, and denies lying. He expresses anger about not paying for a wall, and criticizes someone's "filthy, disgusting word" and "foul mouth." He mentions being audited by the IRS, possibly due to being a "strong Christian," and declines to share his favorite Bible verses, stating his faith is personal. He says he doesn't ask God for forgiveness, but feels cleansed by church rituals. He identifies as leaning Democrat in many cases and praises Hillary Clinton and Barack Obama. He believes the U.S. should have stayed in Iraq and criticizes Obama's withdrawal from Libya, suggesting Qaddafi was preferable. He calls Ted Cruz "nasty" and questions the intelligence of Iowa voters. He admits he could never beat a moderator, but disrespects Megan Kelly. He hates the concept of migrants but acknowledges a humanitarian need to help Syrians, while prioritizing domestic problems. He accuses others of lying about weapons of mass destruction and says he doesn't remember things.
Full Transcript
Speaker 0: I went to an Ivy League school. I'm very highly educated. I know words. I had the best words. Speaker 1: But what would you do? Playboy put Ivanka on the cover? Speaker 2: It would be really disappointing. Not really. Speaker 1: You wouldn't have an issue with it then? Speaker 2: Well, she does have a very nice figure. I've said that if Ivanka weren't my daughter, perhaps I'd be dating her. You know? Speaker 1: Ivanka, what's the favorite thing you have in common with your father? Either real estate or golf. Donald, with your daughter? Speaker 2: Well, I was going to say sex, but I can't relate that. Speaker 1: Brandi came in here. She got down on her knees and said, I passionately wanna do this. I, at this point, am the team chooser, not the team leader. Speaker 2: Excuse me. You dropped to your knees? Yes. Speaker 1: And begged to do this. And I said, I'm looking around the room, and we had even Latoya who sat beside me thought maybe Brandi Speaker 2: was pretty picture you dropped to knees. Speaker 1: Dennis thought I should be. Omarosa said no. Speaker 2: I don't lie. I mean, I don't lie. In fact, if anything, you know, I'm so truthful that it gets me in trouble. Okay? They say I'm too truthful. And no. I don't lie. I don't lie. And I declare. I'm not gonna pay for that fucking wall. I saw him make the statement. I saw him use the word that he used. I can only tell you, if I would have used even half of that word, it would have been national scandal. This guy used a filthy, disgusting disgusting word on television, and he should be ashamed of himself, and he should apologize. Okay? Well, I think he should apologize for his foul mouth. I think it's a disgusting thing that he said, and I could tell you I would not use that word. But it's political bullshit. She said he's a pussy. They're ripping the shit out of the sea. We can't get a fucking school built in Brooklyn. You're not gonna raise that fucking price. You understand? I'm gonna bomb the shit out of them. Listen, you motherfuckers. We're gonna tax you 25%. He hit my hands. Nobody has ever hit my hands. I've never heard of this one. Look at those hands. Are they small hands? And he referred to my hands. If they're small, something else must be small. I guarantee you there's no problem. I guarantee. Okay. I'm always audited by the IRS, which I think is very unfair. I don't know. Maybe because of religion. You say religion? Well, maybe because of the fact that I'm a strong Christian and I feel strongly about it, and maybe there's a bias. You think maybe Speaker 0: you get audited for being Speaker 2: a strong Christian? You see what's Because I hear this is a major theme right here, but two Corinthians. Right? Two Corinthians three seventeen. That's the whole ballgame. There's so many things that you could learn from it. Proverbs, the chapter never bend to envy. I've had that thing all of my life where you're people are bending to envy. Speaker 3: I'm wondering what one or two of your most favorite bible verses are Speaker 2: I I wouldn't want to get into it because to me that's very personal. You know, when I talk about the bible, it's very personal. So I don't want to get into verses. Speaker 0: I don't want to get into There's Speaker 3: no verse that means a lot to you that you think about or cite? Speaker 2: The the bible means a lot to me, but I don't want to get into specifics. Speaker 3: Even to cite a verse that Speaker 2: you like? I don't want to do that. Speaker 4: Mean Old Testament Testament guy guy or or a New New Testament Testament guy? Speaker 2: Probably equal. I think it's just an incredible the whole bible is an incredible I joke very much so. They always hold up the art of the deal. I say my second favorite book of all time. Bud, have you ever asked God for forgiveness? I'm not sure I have. I just go and try and do a better job from there. I don't think so. I think I if I if I do something wrong, I think I just try and make it right. I don't bring God into that picture. I don't. Now when I take you know, when we go in church and and when I drink my little wine, which is about the only wine I drink, and have my little cracker, I guess that's a form of asking for forgiveness, and I do that as often as possible because I feel cleansed. Do you actively go to church, or is that something that is more just when when you can? Right. Well, I go as much as I can always on Christmas, always on Easter Mhmm. Always when there's a major occasion. Speaker 4: Do you identify more as a Democrat or a Republican? Speaker 2: Well, you'd be shocked if I said that in many cases, I probably identify more as a Democrat. Speaker 4: Hillary Clinton. Speaker 2: Very talented, very smart. She's a friend of mine, so I'm a little bit prejudiced. She's a very, very capable person, and I think she'll probably be the nominee. We'll see, but I think she'll probably be the nominee. Speaker 4: Barack Obama. Speaker 2: Well, he's a star. I mean, he's really really done an amazing job in a very short period of time. Hillary Clinton, I think, is a terrific woman. I mean, I'm a little biased because I've known her for years. I live in New York. She lives in New York, and I've known her and her husband for years, and I really like them both a lot. And I think she really works hard, and I think she again, she's given an agenda that's not all of her, but I think she really works hard, and I think she does a good job. And I like her. Well, first of all, know her very well and I know her husband very well and I like them both. And they are, you know, just really terrific people. I like them both very much, but I think you'll be, you know, you'll be looking at the record of Hillary Clinton how did she do as secretary of state probably above and beyond everybody else and everything else. The war in Iraq has been a total catastrophe. And the day we leave, it's gonna be the ultimate revolution, and that's gonna be it. Nothing we're gonna do about it. Speaker 4: How does The United States get out of this situation? Is there a Speaker 2: How do they get how they get out? They get out. That's how they get out. Once we did it, however, we should have stayed there at least. I mean, the mistake that Obama made was really just getting out of Libya. I was I never discussed that subject. I was in favor of Libya. We would be so much better off if Qaddafi were in charge right now. Qaddafi in Libya is killing thousands of people. Nobody knows how bad it is. And we're sitting around. We have soldiers all over the Middle East, and we're not bringing them in to stop this horrible carnage. And that's what it is. It's a carnage. You talk about all of the things that have happened in history. This could be one of the worst. Now we should go in. We should stop this guy, which would be very easy and very quick. We could do it surgically. Stop him from doing it and save these lives. This is absolute nuts. We don't wanna get involved, and you're gonna end up with something like you've never seen before. I don't think Ted Cruz has a great chance, to be honest with you. He's a nasty guy. Nobody likes him. Nobody in congress likes him. Nobody likes him anywhere once they get to know him. I really do. I'd like Ted Cruz a lot. I love Iowa. We've done really well here. How stupid are the people of Iowa? Speaker 1: Do you really think that you're a better moderator than I am? Speaker 2: No. I could never beat you. That wouldn't even be close. There would be no contest. You have done a great job, by the way, and I mean it. I have zero respect for Megan Kelly. I don't think she's very good at what she does. I think she's highly overrated. Do you Speaker 5: object to migrants who are getting out of the Middle East and North Africa? Do you object to them coming to The USA? Speaker 2: I hate the concept of it, but on a humanitarian basis with what's happening, you have to. It's living in hell in Syria. There's no question about it. They're living in hell. Speaker 5: Are you saying absolutely people from Syria, The Middle East, should we allow any of them in country? Speaker 2: Look. From a humanitarian standpoint, I'd love to help, but we have our own problems. We have so many problems that we have to solve. They lied. Okay. They said there were weapons of mass There were none, and they knew there were none. I don't know if he lied or not. He could have lied. My maybe he did. Maybe he didn't. I guess you'd have to ask him. Written by a nice reporter. Now the poor guy, you gotta see this guy. Speaker 0: Oh, I don't know what Speaker 2: I said. Oh, I don't remember. He's gonna lie. I don't remember. I oh, maybe that's what I said. Speaker 1: Maybe you could tell me what you think of this set. Speaker 2: I like the

@ncdave4life - โœ๏ธ ๐Ÿ‡บ๐Ÿ‡ธ ๐Ÿ‡บ๐Ÿ‡ฆ Dave Burton

@elonmusk @realDonaldTrump 4/10ใ€‹ There are some bright spots. For instance, Trump 2.0 is showing more respect for real science than Trump 1.0 and the Democrats did. https://sealevel.info/learnmore.html

Learn More About Climate Change - resources sealevel.info

@ncdave4life - โœ๏ธ ๐Ÿ‡บ๐Ÿ‡ธ ๐Ÿ‡บ๐Ÿ‡ฆ Dave Burton

5/10ใ€‹ But Trump resembles Biden in many ways, none of them good. Both men lie constantly, and both even stole troves of government documents from the White House when they left office, some of them classified top secret. https://theweek.com/articles/651704/miss-george-w-bush I miss principled, conservative leadership.

I miss George W. Bush Next to Trump, he looks nearly impeccable theweek.com

@ncdave4life - โœ๏ธ ๐Ÿ‡บ๐Ÿ‡ธ ๐Ÿ‡บ๐Ÿ‡ฆ Dave Burton

6/10ใ€‹ It's been over 16 years since we had a POTUS who I would trust to watch my dog for the weekend.

@ncdave4life - โœ๏ธ ๐Ÿ‡บ๐Ÿ‡ธ ๐Ÿ‡บ๐Ÿ‡ฆ Dave Burton

7/10ใ€‹ On 1/17/2025, just before he left office, President Biden tried to amend the U.S. Constitution by decree & wishful thinking, to ratify the defeated ERA. Three days later President Trump tried to amend the U.S. Constitution by decree & wishful thinking, to end "birthright citizenship" for children born to aliens here temporarily or illegally, contradicting the plain language of the 14th Amendment. BOTH of those acts SHOULD be offensive to every American, and especially to every conservative. But as far as I can tell, the vast majority of people offended Biden's executive overreach on 1/17 were fine with Trump's on 1/20, and the vast majority of people offended by Trump's executive overreach on 1/20 were fine with Biden's on 1/17. "Until the people have, by some solemn and authoritative act, annulled or changed the established form [of the Constitution], it is binding upon themselves collectively, as well as individually; and no presumption, or even knowledge, of their sentiments, can warrant their representatives in a departure from it, prior to such an act." - Federalist #78

@ncdave4life - โœ๏ธ ๐Ÿ‡บ๐Ÿ‡ธ ๐Ÿ‡บ๐Ÿ‡ฆ Dave Burton

@elonmusk @realDonaldTrump 8/10ใ€‹ Both Trump and Biden are showing obvious signs of cognitive decline (though Biden's has progressed further than Trump's).

Video Transcript AI Summary
The speaker claims that "we" are incapable of solving even the smallest, simplest problems and that "we" can't do anything. The speaker identifies "us" as an institute and a powerful death penalty. The speaker states "we will put this on."
Full Transcript
Speaker 0: Which is incapable of solving even the smallest smallest problem, the simplest of problems we can no longer solve. We can't do anything. We are an institute and a powerful death penalty. We will put this on. We have

@ncdave4life - โœ๏ธ ๐Ÿ‡บ๐Ÿ‡ธ ๐Ÿ‡บ๐Ÿ‡ฆ Dave Burton

Remember when Biden thoughtfully defused the "Trump stolen top secret documents" issue, by getting caught with stolen top secret documents? Now Trump's returning the favor, thoughtfully defusing the "Biden elderly cognitive decline" issue, by showing signs of cognitive decline, himself. Maybe that's why he won't debate Haley. When Biden, of all people, or at least his campaign team, wants to talk about the issue of cognitive decline in elderly candidates, you know there's something seriously wrong with Trump. He sounds drunk, but he's famously a teetotaler, so it's not booze. Is he ill? Maybe he just took too much cold & flu medicine. I hope so! But I fear that it's a much deeper problem. Maybe that's why Scott & DeSantis endorsed him: they've seen how Trump is declining, and they're angling for the veep slot, figuring that he won't last four more years. Biden & Trump are much more alike than their allies are willing to admit. They're both elderly men showing signs of early dementia. They both lie with disturbing regularity and practiced ease. They're both divorced & remarried, and they're both rich old white guys. For both of them, a moist finger held in the wind is their only moral compass, and both of them have flip-flopped between being pro-life and radically pro-abortion, when it became politically expedient for them to change their views. Thankfully, Nikki Haley is not at all like them.

@KamalaHQ - Kamala HQ

Trump: Which is incapable of solvinโ€™ even the sollest problem. We are an institute in a powerful death penalty. We will put this on

Video Transcript AI Summary
We are incapable of solving even the smallest, simplest problems. We can't do anything. We are an institute in a powerful death penalty. We will put this on.
Full Transcript
Speaker 0: Which is incapable of solving even the smallest smallest problem, the simplest of problems we can no longer solve. We can't do anything. We are an institute in a powerful death penalty. We will put this on. We have

@ncdave4life - โœ๏ธ ๐Ÿ‡บ๐Ÿ‡ธ ๐Ÿ‡บ๐Ÿ‡ฆ Dave Burton

@elonmusk @realDonaldTrump 9/10ใ€‹ Perhaps worst of all, both men determine their "convictions" based on a moist finger in the political wind. In fact, both of have completely reversed their positions even about murdering unborn babies, when it was politically convenient.

@ncdave4life - โœ๏ธ ๐Ÿ‡บ๐Ÿ‡ธ ๐Ÿ‡บ๐Ÿ‡ฆ Dave Burton

10/10ใ€‹ So, yes, I know the Democrats are as bad as Trump. I know Biden tried to amend the Constitution by decree, and he lied constantly, just like Trump. I know Biden is even more pro-abortion than Trump, and he's as much of a tax-and-spend Keynesian as Trump. But THOSE ARE NOT GOOD EXCUSES for the GOP's abandonment of conservative principles! Biden & Harris are Democrats, so I expect it of them. We used to be able to expect better from Republicans.

@ncdave4life - โœ๏ธ ๐Ÿ‡บ๐Ÿ‡ธ ๐Ÿ‡บ๐Ÿ‡ฆ Dave Burton

@elonmusk @realDonaldTrump 10-part tweetstorm compilation: https://twitter-thread.com/t/1952741608404685125 @ThreadReaderApp @Rattibha @threaddotblue unroll @reSeeIt save thread @HeyGenLabs

1/10ใ€‹ That's the point, Brian! When it comes to taxes & spending, there's not a dime's worth of difference between Democrats and Trump. That's why @elonmusk lost patience with @realDonaldTrump. by @ncdave4life(โœ๏ธ ๐Ÿ‡บ๐Ÿ‡ธ ๐Ÿ‡บ๐Ÿ‡ฆ Dave Burton) | Twitter Thread Reader 1/10ใ€‹ That's the point, Brian! When it comes to taxes & spending, there's not a dime's worth of difference between Democrats and Trump. That's why @elonmusk lost patience with @realDonaldTrump. https://t.co/JWlYFUpzWl Tariffs are taxes, and 9ร— is a BIG tax increase. But it hardly scratches the deficit. Do you have any idea how enormous Trump's $2 trillion/yr federal deficit is? https://t.co/qwNpa2TLAz https://t.co/R3vfy4jZDM For each family of four, the federal government is adding $23,500/year to the national debt. AND IT IS GETTING WORSE. https://t.co/8U0gTPIgTB Tariff revenue could at best cover about 5% of the federal budget, and that's optimistically ignoring the cost of the probable consequent recession (or worse). https://t.co/CA6o9uiVG8 twitter-thread.com
Saved - July 5, 2025 at 8:16 PM
reSee.it AI Summary
Global warming has not significantly worsened floods, as even the IPCC confirms. While climate change may slightly affect the water cycle, the impact on flooding remains undetectable. Major climate-related harms predicted by some have not materialized; hurricanes, droughts, and tornadoes have not worsened. The debate isn't about the reality of climate change, but rather its effects, which are shown to be modest and even beneficial. I aim to provide balanced information on this contentious issue, including resources from both skeptics and alarmists.

@ncdave4life - โœ๏ธ ๐Ÿ‡บ๐Ÿ‡ธ ๐Ÿ‡บ๐Ÿ‡ฆ Dave Burton

1/6. Global warming has not detectably worsened floods. Do you understand graphs? https://sealevel.info/learnmore.html?0=wetdry#wetdry

Learn More About Climate Change - resources sealevel.info

@pjhwebber007 - Paul Webber ๐Ÿค˜

@PressSec Global warming. If you really want to help you need to acknowledge that climate change is real.

@ncdave4life - โœ๏ธ ๐Ÿ‡บ๐Ÿ‡ธ ๐Ÿ‡บ๐Ÿ‡ฆ Dave Burton

2/6. Even the IPCC acknowledges that climate change has not detectably worsened floods. https://sealevel.info/AR6_says_changes_in_flood_magnitude_or_frequency_undetected03.png In a warming world, the "water cycle" should accelerate slightly, which could be expected to increase overall rainfall, and perhaps floods (and to decrease droughts). But the effect on flooding is so minor that, thus far, it is undetectable, according to the IPCC. Here's an excerpt from their Sixth Assessment Report (WG1, Chapter 11): 11.5.2 Observed trends. The SREX assessed low confidence for observed changes in the magnitude or frequency of floods at the global scale. This assessment was confirmed by the AR5 report. ...

@ncdave4life - โœ๏ธ ๐Ÿ‡บ๐Ÿ‡ธ ๐Ÿ‡บ๐Ÿ‡ฆ Dave Burton

3/6. In fact, none of the supposed major harms from #ClimateChange which the climate industry's FUD-based marketing predicts have actually come to pass. Hurricanes and tropical cyclones have not worsened, nor'easters have not worsened, coastal sealevel trends have scarcely changed, flooding hasn't detectably worsened, drought impacts have decreased, and severe tornadoes have decreased.

@ncdave4life - โœ๏ธ ๐Ÿ‡บ๐Ÿ‡ธ ๐Ÿ‡บ๐Ÿ‡ฆ Dave Burton

@Michael63746953 @thefutureBigly @AlexEpstein 1/28ใ€‹Climate activists don't call it a crisis for nothing. $1.5 trillion/yr ain't "nothing." It's all about the Benjamins. They call it a crisis to prop up support for feeding Piggy. The parasitic climate industry needs a LOT of propaganda to support it. https://sealevel.info/1.5_Trillion_Dollar_Piggy_based_on_1885_Bengough_cartoon_and_the_Benjamines01_1280x640.png

@ncdave4life - โœ๏ธ ๐Ÿ‡บ๐Ÿ‡ธ ๐Ÿ‡บ๐Ÿ‡ฆ Dave Burton

4/6. The climate debate has NEVER been about whether "climate change is real." If that's what you think it is, you're not getting accurate, balanced information. https://www.quora.com/It-is-claimed-that-97-of-climate-scientists-state-that-anthropogenic-climate-change-is-real-What-evidence-do-the-3-who-dont-think-so-have-What-are-some-good-counterarguments-to-their-claims/answer/Dave-Burton-2

It is claimed that 97% of climate scientists state that anthropogenic climate change is real. What evidence do the 3% who don't think so ... The climate debate is not over whether โ€œclimate change is real.โ€ Thatโ€™s a straw-man. Most climate realists / skeptics agree that climate change is real. But the best evidence indicates that manmade climate change is probably not harmful at all, a... quora.com

@ncdave4life - โœ๏ธ ๐Ÿ‡บ๐Ÿ‡ธ ๐Ÿ‡บ๐Ÿ‡ฆ Dave Burton

5/6. The scientific evidence is compelling that manmade climate change is real, but modest and benign, and CO2 emissions are beneficial. https://www.nasa.gov/centers-and-facilities/goddard/carbon-dioxide-fertilization-greening-earth-study-finds/ This is a NASA video about one of the major benefits: https://www.youtube.com/watch?v=zOwHT8yS1XI

Carbon Dioxide Fertilization Greening Earth, Study Finds - NASA From a quarter to half of Earthโ€™s vegetated lands has shown significant greening over the last 35 years largely due to rising levels of atmospheric carbon nasa.gov
Video Not Available youtube.com

@ncdave4life - โœ๏ธ ๐Ÿ‡บ๐Ÿ‡ธ ๐Ÿ‡บ๐Ÿ‡ฆ Dave Burton

6/6. To understand a contentious issue like climate change requires balanced info. I'm here to help: https://sealevel.info/learnmore.html?0=agriculture That's a resource list with: โ— accurate introductory climatology information โ— in-depth science from BOTH skeptics & alarmists โ— links to balanced debates between experts on BOTH sides โ— information about climate impacts โ— links to best blogs on BOTH sides of the issue

Learn More About Climate Change - resources sealevel.info

@ncdave4life - โœ๏ธ ๐Ÿ‡บ๐Ÿ‡ธ ๐Ÿ‡บ๐Ÿ‡ฆ Dave Burton

Compilation: https://twitter-thread.com/t/1941590773809455434 @ThreadReaderApp @Rattibha @threaddotblue unroll @reSeeIt save thread @HeyGenLabs

1/6. Global warming has not detectably worsened floods. Do you understand graphs? by @ncdave4life(โœ๏ธ ๐Ÿ‡บ๐Ÿ‡ธ ๐Ÿ‡บ๐Ÿ‡ฆ Dave Burton) | Twitter Thread Reader 1/6. Global warming has not detectably worsened floods. Do you understand graphs? https://t.co/SaVOcbKy2T https://t.co/p8kawAbbJa twitter-thread.com
Saved - June 28, 2025 at 1:59 PM

@ncdave4life - โœ๏ธ ๐Ÿ‡บ๐Ÿ‡ธ ๐Ÿ‡บ๐Ÿ‡ฆ Dave Burton

To learn about #ClimateChange see: https://www.sealevel.info/learnmore.html It has: โ— accurate intro climatology info โ— in-depth science from BOTH skeptics & alarmists โ— links to balanced debates between experts on BOTH sides โ— info about climate impacts โ— links to best blogs on BOTH sides

Learn More About Climate Change - resources sealevel.info
Saved - April 8, 2025 at 12:13 PM
reSee.it AI Summary
I shared my thoughts on climate discussions, emphasizing that the narrative around climate change often overlooks the benefits of CO2. I referenced studies showing that increased CO2 levels can enhance agricultural productivity and improve drought resilience. I noted that historical famines were linked to lower CO2 levels and highlighted positive environmental changes in regions like Africa. I believe the evidence suggests that manmade climate change is modest and that CO2 emissions are largely beneficial. I encourage seeking balanced information on this topic.

@ncdave4life - โœ๏ธ ๐Ÿ‡บ๐Ÿ‡ธ ๐Ÿ‡บ๐Ÿ‡ฆ Dave Burton

1/18. Interesting story, Jeffrey, but it would've been improved by omitting the climate propaganda: https://time.com/7274542/colossal-dire-wolf/#:~:text=elephants%20that%20can%20better%20survive%20the%20climatic%20ravages%20of%20a%20warming%20worldโ€ฆ "Climatic ravages of a warming world" are the same threat level as unicorn fart pollution.

The Return of the Dire Wolf Colossal Biosciences has genetically engineered the first dire wolf to live in over 10,000 years. Here's what that means for other extinct species. time.com

@jeffreykluger - Jeffrey Kluger

The extinct dire wolf is back. Read the @TIME cover story here. https://time.com/7274542/colossal-dire-wolf/

The Return of the Dire Wolf Colossal Biosciences has genetically engineered the first dire wolf to live in over 10,000 years. Here's what that means for other extinct species. time.com

@ncdave4life - โœ๏ธ ๐Ÿ‡บ๐Ÿ‡ธ ๐Ÿ‡บ๐Ÿ‡ฆ Dave Burton

2/18. We don't need to engineer "elephants that can better survive the climatic ravages of a warming world." The existing elephants survived the mid-Eemian Climate Optimum, which was clearly warmer than now. Here's a NOAA graph: https://sealevel.info/Temperature-change-and-carbon-dioxide-change-measured-from-the-EPICA-Dome-C-ice-core-in-Antarctica-v5_200pct.png (I added the annotation, identifying the Eemian and Holocene [current] temperatures.)

@ncdave4life - โœ๏ธ ๐Ÿ‡บ๐Ÿ‡ธ ๐Ÿ‡บ๐Ÿ‡ฆ Dave Burton

3/18. NASA measures those "climatic ravages" (benefits). This is their video about it: https://www.youtube.com/watch?v=zOwHT8yS1XI Are you surprised? Then you haven't been getting balanced, accurate information.

Video Not Available youtube.com

@ncdave4life - โœ๏ธ ๐Ÿ‡บ๐Ÿ‡ธ ๐Ÿ‡บ๐Ÿ‡ฆ Dave Burton

4/18. The effects of CO2 emissions are heavily studied. They have a modest, benign warming effect, and large benefits for plants and animals. Here are some additional papers & articles about it: https://sealevel.info/greening_earth_spatial_patterns_Myneni.html

@ncdave4life - โœ๏ธ ๐Ÿ‡บ๐Ÿ‡ธ ๐Ÿ‡บ๐Ÿ‡ฆ Dave Burton

5/18. Here's how elevated CO2 "ravages" (benefits) agriculture. https://www.ncbi.nlm.nih.gov/pubmed/26929390

Elevated atmospheric [CO2 ] can dramatically increase wheat yields in semi-arid environments and buffer against heat waves - PubMed Wheat production will be impacted by increasing concentration of atmospheric CO2 [CO2 ], which is expected to rise from about 400 ฮผmol mol(-1) in 2015 to 550 ฮผmol mol(-1) by 2050. Changes to plant physiology and crop responses from elevated [CO2 ] (e[CO2 ]) are well documented for some environments, โ€ฆ pubmed.ncbi.nlm.nih.gov

@ncdave4life - โœ๏ธ ๐Ÿ‡บ๐Ÿ‡ธ ๐Ÿ‡บ๐Ÿ‡ฆ Dave Burton

6/18. Here's a paper how it benefits even corn, which, significantly, is a C4 photosynthesis crop: sciencedirect.com/science/articlโ€ฆ

@ncdave4life - โœ๏ธ ๐Ÿ‡บ๐Ÿ‡ธ ๐Ÿ‡บ๐Ÿ‡ฆ Dave Burton

7/18. In fact, among agronomists it has been settled science for over a century that elevated CO2 is extremely beneficial for crops. This @sciam article is 125 years old! https://sealevel.info/ScientificAmerican_1920-11-27_CO2_fertilization.html They called anthropogenic CO2 emissions "the precious air fertilizer."

@ncdave4life - โœ๏ธ ๐Ÿ‡บ๐Ÿ‡ธ ๐Ÿ‡บ๐Ÿ‡ฆ Dave Burton

@sciam 8/18. Long-settled science confirms that CO2 emissions are enormously beneficial for both natural ecosystems and human agriculture, just as predicted by Nobel Laurate and Pioneer climatologist Svante Arrhenius, over a century ago. https://sealevel.info/learnmore.html?0=arrhenius#arrhenius

Learn More About Climate Change - resources sealevel.info

@ncdave4life - โœ๏ธ ๐Ÿ‡บ๐Ÿ‡ธ ๐Ÿ‡บ๐Ÿ‡ฆ Dave Burton

@sciam 9/18. Thousands of rigorous subsequent studies have confirmed and refined his results. This site indexes many of them: co2science.org/data/plant_groโ€ฆ

@ncdave4life - โœ๏ธ ๐Ÿ‡บ๐Ÿ‡ธ ๐Ÿ‡บ๐Ÿ‡ฆ Dave Burton

10/18. Rising CO2 levels are also very beneficial for natural ecosystems. They cause deserts to retreat, because plants become more water efficient and drought resilient when CO2 levels are higher. CO2 improves water use efficiency and drought resilience for plants by reducing stomatal conductance and, consequently, water loss through transpiration. Here are some references: 1. Chun JA, et al. (2011). Effect of elevated carbon dioxide and water stress on gas exchange and water use efficiency in corn. Agricultural and Forest Meteorology, 151(3), pp 378โ€“384. https://doi.org/10.1016/j.agrformet.2010.11.015. 2. O'Leary GJ, et al. (2015). Response of wheat growth, grain yield and water use to elevated CO2 under a Free-Air CO2 Enrichment (FACE) experiment and modelling in a semi-arid environment. Glob Chang Biol. 21(7):2670โ€“2686. https://doi.org/10.1111/gcb.12830 3. Fitzgerald GJ, et al. (2016) Elevated atmospheric [CO2] can dramatically increase wheat yields in semi-arid environments and buffer against heat waves. Glob Chang Biol. 22(6):2269-84. https://doi.org/10.1111/gcb.13263 4. Uddin S, et al. (2018) Elevated [CO2] mitigates the effect of surface drought by stimulating root growth to access sub-soil water. PLoS One. 13(6):e0198928. https://doi.org/10.1371/journal.pone.0198928 5. Taylor, C & Schlenker, W (2021). Environmental Drivers of Agricultural Productivity Growth: CO2 Fertilization of US Field Crops. National Bureau of Economic Research, no. w29320. https://doi.org/10.3386/w29320 6. Chen, Xin et al (2024). The global greening continues despite increased drought stress since 2000. Global Ecology and Conservation, Volume 49, 2024, e02791. https://doi.org/10.1016/j.gecco.2023.e02791.

Effect of elevated carbon dioxide and water stress on gas exchange and water use efficiency in corn CO2 has been predicted to increase in the future, and thus leading to possible changes in precipitation patterns. The objectives of this study were toโ€ฆ sciencedirect.com
Elevated [CO2] mitigates the effect of surface drought by stimulating root growth to access sub-soil water Through stimulation of root growth, increasing atmospheric CO2 concentration ([CO2]) may facilitate access of crops to sub-soil water, which could potentially prolong physiological activity in dryland environments, particularly because crops are more water use efficient under elevated [CO2] (e[CO2]). This study investigated the effect of drought in shallow soil versus sub-soil on agronomic and physiological responses of wheat to e[CO2] in a glasshouse experiment. Wheat (Triticum aestivum L. cv. Yitpi) was grown in split-columns with the top (0โ€“30 cm) and bottom (31โ€“60 cm; โ€˜sub-soilโ€™) soil layer hydraulically separated by a wax-coated, root-penetrable layer under ambient [CO2] (a[CO2], โˆผ400 ฮผmol mol-1) or e[CO2] (โˆผ700 ฮผmol mol-1) [CO2]. Drought was imposed from stem-elongation in either the top or bottom soil layer or both by withholding 33% of the irrigation, resulting in four water treatments (WW, WD, DW, DD; D = drought, W = well-watered, letters denote water treatment in top and bottom soil layer, respectively). Leaf gas exchange was measured weekly from stem-elongation until anthesis. Above-and belowground biomass, grain yield and yield components were evaluated at three developmental stages (stem-elongation, anthesis and maturity). Compared with a[CO2], net assimilation rate was higher and stomatal conductance was lower under e[CO2], resulting in greater intrinsic water use efficiency. Elevated [CO2] stimulated both above- and belowground biomass as well as grain yield, however, this stimulation was greater under well-watered (WW) than drought (DD) throughout the whole soil profile. Imposition of drought in either or both soil layers decreased aboveground biomass and grain yield under both [CO2] compared to the well-watered treatment. However, the greatest โ€˜CO2 fertilisation effectโ€™ was observed when drought was imposed in the top soil layer only (DW), and this was associated with e[CO2]-stimulation of root growth especially in the well-watered bottom layer. We suggest that stimulation of belowground biomass under e[CO2] will allow better access to sub-soil water during grain filling period, when additional water is converted into additional yield with high efficiency in Mediterranean-type dryland agro-ecosystems. If sufficient water is available in the sub-soil, e[CO2] may help mitigating the effect of drying surface soil. journals.plos.org
The global greening continues despite increased drought stress since 2000 Increases or decreases in remote sensing-based vegetation greenness are usually referred to as greening or browning. The CO2 fertilization along with โ€ฆ sciencedirect.com

@ncdave4life - โœ๏ธ ๐Ÿ‡บ๐Ÿ‡ธ ๐Ÿ‡บ๐Ÿ‡ฆ Dave Burton

11/18. That makes droughts much less destructive. When CO2 levels were < 350 ppmv, catastrophic famines, usually triggered by drought, were common. Compare: โ— COVID-19 killed about 0.1% of the world's population โ— The catastrophic 1918 flu pandemic killed about 2% โ— WWII killed 2.7% of the world's population โ— But the near-global drought and famine of 1876-78 killed about 3.7% of the world's population.

@ncdave4life - โœ๏ธ ๐Ÿ‡บ๐Ÿ‡ธ ๐Ÿ‡บ๐Ÿ‡ฆ Dave Burton

@sciam 12/18. Thankfully, catastrophic, drought-triggered famines are fading from living memory, and one of the main reasons is the 50% increase in average atmospheric CO2 level, thanks to fossil fuels.

@ncdave4life - โœ๏ธ ๐Ÿ‡บ๐Ÿ‡ธ ๐Ÿ‡บ๐Ÿ‡ฆ Dave Burton

@sciam 13/18. If you're young, you might not realize what a threat catastrophic, drought-induced famines were, until recently. https://sealevel.info/learnmore.html?0=famine#famine

Learn More About Climate Change - resources sealevel.info

@ncdave4life - โœ๏ธ ๐Ÿ‡บ๐Ÿ‡ธ ๐Ÿ‡บ๐Ÿ‡ฆ Dave Burton

14/18. The impact is especially great for Africa. Even politically correct National Geographic once reported the improvement, back in 2009 (though since then they've scrubbed that good news from their site): https://sealevel.info/Owen2009_Sahara_Desert_Greening-NatGeo30639457.html EXCERPT: "Vast swaths of North Africa are getting noticeably lusher due to warming temperatures, new satellite images show, suggesting a possible boon for people living in the driest part of the continent."

@ncdave4life - โœ๏ธ ๐Ÿ‡บ๐Ÿ‡ธ ๐Ÿ‡บ๐Ÿ‡ฆ Dave Burton

15/18. New Scientist reported the "remarkable environmental turnaround," including "quite spectacular regeneration of vegetation," and "a 70 per cent increase in yields of local cereals such as sorghum and millet in one province in recent years." https://www.newscientist.com/article/mg17523610-300-africans-go-back-to-the-land-as-plants-reclaim-the-desert/ See also: https://www.sealevel.info/Pearce2002_Africans_go_back_to_the_land_as_plants_reclaim_the_desert-New_Scientist.html

Africans go back to the land as plants reclaim the desert AFRICA'S deserts are in retreat. Burkina Faso, one of the West African countries devastated by drought and advancing deserts 20 years ago, is growing greener again โ€“ so much so that families who fled to wetter coastal regions are starting to go home. New research confirming this remarkable environmental turnaround in one of Africa's most … newscientist.com

@ncdave4life - โœ๏ธ ๐Ÿ‡บ๐Ÿ‡ธ ๐Ÿ‡บ๐Ÿ‡ฆ Dave Burton

@sciam 16/18. Elevated CO2 and consequent climate change dramatically improves global food security, and mitigates drought impacts. These two photos were both taken in the Madras region of the Indian subcontinent:

@ncdave4life - โœ๏ธ ๐Ÿ‡บ๐Ÿ‡ธ ๐Ÿ‡บ๐Ÿ‡ฆ Dave Burton

@MisinformNoMore @WeiZhangAtmos 7/ What's more, one of the nice things about "global warming" is that it isn't very global. It disproportionately warms frigid winter nights at chilly high latitudes. The tropics are warmed less, which is good, because they're warm enough already.

@ncdave4life - โœ๏ธ ๐Ÿ‡บ๐Ÿ‡ธ ๐Ÿ‡บ๐Ÿ‡ฆ Dave Burton

@sciam 17/18. If you believe there's a risk of "climatic ravages" from a warming world, you've been badly misled. The scientific evidence is compelling that manmade climate change is modest and benign, and CO2 emissions are highly beneficial.

@ncdave4life - โœ๏ธ ๐Ÿ‡บ๐Ÿ‡ธ ๐Ÿ‡บ๐Ÿ‡ฆ Dave Burton

@zteirstein 8/18. The supposed major harms from CO2 emissions are all merely hypothetical, and mostly implausible. None of them are actually happening. For instance, the coral of the Great Barrier Reef are doing fine: https://archive.ph/IcRIY https://archive.ph/IcRIY

@ncdave4life - โœ๏ธ ๐Ÿ‡บ๐Ÿ‡ธ ๐Ÿ‡บ๐Ÿ‡ฆ Dave Burton

18/18. To understand a contentious topic like #ClimateChange, you need balanced information. I'm here to help: https://sealevel.info/learnmore.html That resource list has: โ— accurate introductory climatology information โ— in-depth science from BOTH skeptics & alarmists โ— links to balanced debates between experts on BOTH sides โ— information about climate impacts โ— links to best blogs on BOTH sides of the issue Please do not hesitate to contact me directly if you have questions or need expert sources for future articles.

Learn More About Climate Change - resources sealevel.info

@ncdave4life - โœ๏ธ ๐Ÿ‡บ๐Ÿ‡ธ ๐Ÿ‡บ๐Ÿ‡ฆ Dave Burton

@sciam Compilation: https://twitter-thread.com/t/1909579388510728550 @ThreadReaderApp @Rattibha @threaddotblue unroll @reSeeIt save thread @HeyGenLabs

1/18. Interesting story, Jeffrey, but it would've been improved by omitting the climate propaganda: by @ncdave4life(โœ๏ธ ๐Ÿ‡บ๐Ÿ‡ธ ๐Ÿ‡บ๐Ÿ‡ฆ Dave Burton) | Twitter Thread Reader 1/18. Interesting story, Jeffrey, but it would've been improved by omitting the climate propaganda: https://t.co/OhK4o8PU6d "Climatic ravages of a warming world" are the same threat level as unicorn fart pollution. twitter-thread.com
Saved - March 24, 2025 at 3:18 AM
reSee.it AI Summary
I addressed Ian James's claim that climate change is worsening droughts in the U.S., stating it's inaccurate. Data shows droughts aren't worsening, and elevated CO2 levels actually help mitigate drought impacts by improving plants' water efficiency. This has contributed to a decline in catastrophic drought-induced famines, a significant historical change. I emphasized the importance of balanced information on climate issues and encouraged corrections to misleading statements in media articles.

@ncdave4life - โœ๏ธ ๐Ÿ‡บ๐Ÿ‡ธ ๐Ÿ‡บ๐Ÿ‡ฆ Dave Burton

1/12ใ€•Ian James @ByIanJames, you reported that, "Research has shown that human-caused climate change is driving worsening droughts in the western United States." That is false. Droughts have not worsened, either in the United States, or globally: https://sealevel.info/learnmore.html?0=droughts#droughtsโ€ฆ https://sealevel.info/Fraction_of_the_Globe_in_Drought_1982-2012_fig5c.png

Learn More About Climate Change - resources sealevel.info

@Sammy_Roth - Sammy Roth

A new seawater desalination being tested at Southern California's Las Virgenes Reservoir could reduce energy costs and limit harm to marine life -- if it works as hoped. Story from @ByIanJames: https://www.latimes.com/environment/story/2025-03-21/desalination-tech-tested

New desalination technology being tested in California could lower costs of tapping seawater A new desalination technology is undergoing testing in Southern California. Water managers hope it will offer an environmentally friendly way of tapping the Pacific Ocean. latimes.com

@ncdave4life - โœ๏ธ ๐Ÿ‡บ๐Ÿ‡ธ ๐Ÿ‡บ๐Ÿ‡ฆ Dave Burton

2/12ใ€•U.S. droughts are not worsening. Here's NOAA NCDC's U.S. percentage very wet or very dry: https://www.ncdc.noaa.gov/temp-and-precip/uspa/wet-dry/0 https://sealevel.info/US_percentage_areas_very_wet_or_very_dry_NOAA_2025-01-11.png

U.S. Percentage Areas (Very Warm/Cold, Very Wet/Dry) | National Centers for Environmental Information (NCEI) This product shows, for each month, season and year since 1895, how much of the contiguous United States experienced extreme (top or bottom 10%) temperature and precipitation conditions. ncei.noaa.gov

@ncdave4life - โœ๏ธ ๐Ÿ‡บ๐Ÿ‡ธ ๐Ÿ‡บ๐Ÿ‡ฆ Dave Burton

3/12ใ€•In fact, CO2 emissions mitigate drought impacts. Elevated CO2 helps plants use water more efficiently, by reducing stomatal conductance and transpiration. That's especially helpful in arid regions & during droughts. Here's a paper about corn: sciencedirect.com/science/articlโ€ฆ

@ncdave4life - โœ๏ธ ๐Ÿ‡บ๐Ÿ‡ธ ๐Ÿ‡บ๐Ÿ‡ฆ Dave Burton

4/12ใ€•Here's a paper about wheat: https://onlinelibrary.wiley.com/doi/10.1111/gcb.13263

@ncdave4life - โœ๏ธ ๐Ÿ‡บ๐Ÿ‡ธ ๐Ÿ‡บ๐Ÿ‡ฆ Dave Burton

5/12ใ€•Here's a NASA video about how rising CO2 levels are greening the Earth and causing deserts to retreat: https://www.youtube.com/watch?v=zOwHT8yS1XI

Video Not Available youtube.com

@ncdave4life - โœ๏ธ ๐Ÿ‡บ๐Ÿ‡ธ ๐Ÿ‡บ๐Ÿ‡ฆ Dave Burton

6/12ใ€•Mitigation of drought damage is a very important benefit of rising CO2 levels, and it is one of the reasons that catastrophic drought-induced famines are fading from living memory, for the first time in human history. โ— https://sealevel.info/learnmore.html?0=droughts#droughts โ— https://journals.ametsoc.org/view/journals/clim/31/23/jcli-d-18-0159.1.xml?tab_body=fulltext-display

Learn More About Climate Change - resources sealevel.info
Climate and the Global Famine of 1876โ€“78 Abstract From 1875 to 1878, concurrent multiyear droughts in Asia, Brazil, and Africa, referred to as the Great Drought, caused widespread crop failures, catalyzing the so-called Global Famine, which had fatalities exceeding 50 million people and long-lasting societal consequences. Observations, paleoclimate reconstructions, and climate model simulations are used 1) to demonstrate the severity and characterize the evolution of drought across different regions, and 2) to investigate the underlying mechanisms driving its multiyear persistence. Severe or record-setting droughts occurred on continents in both hemispheres and in multiple seasons, with the โ€œMonsoon Asiaโ€ region being the hardest hit, experiencing the single most intense and the second most expansive drought in the last 800 years. The extreme severity, duration, and extent of this global event is associated with an extraordinary combination of preceding cool tropical Pacific conditions (1870โ€“76), a record-breaking El Niรฑo (1877โ€“78), a record strong Indian Ocean dipole (1877), and record warm North Atlantic Ocean (1878) conditions. Composites of historical analogs and two sets of ensemble simulationsโ€”one forced with global sea surface temperatures (SSTs) and another forced with tropical Pacific SSTsโ€”were used to distinguish the role of the extreme conditions in different ocean basins. While the drought in most regions was largely driven by the tropical Pacific SST conditions, an extreme positive phase of the Indian Ocean dipole and warm North Atlantic SSTs, both likely aided by the strong El Niรฑo in 1877โ€“78, intensified and prolonged droughts in Australia and Brazil, respectively, and extended the impact to northern and southeastern Africa. Climatic conditions that caused the Great Drought and Global Famine arose from natural variability, and their recurrence, with hydrological impacts intensified by global warming, could again potentially undermine global food security. journals.ametsoc.org

@ncdave4life - โœ๏ธ ๐Ÿ‡บ๐Ÿ‡ธ ๐Ÿ‡บ๐Ÿ‡ฆ Dave Burton

7/12ใ€•That's a very, very Big Deal. Famine used to be a scourge comparable to war and epidemic, the Third Horseman of the Apocalypse. โ— https://sealevel.info/learnmore.html?0=famine#famine

Learn More About Climate Change - resources sealevel.info

@ncdave4life - โœ๏ธ ๐Ÿ‡บ๐Ÿ‡ธ ๐Ÿ‡บ๐Ÿ‡ฆ Dave Burton

8/12ใ€• https://sealevel.info/learnmore.html?0=madrasfamine#benefits For comparison: โ— COVID-19 killed about 0.1% of the world's population โ— The catastrophic 1918 flu pandemic killed about 2% โ— WWII killed 2.7% of the world's population โ— But the near-global drought and famine of 1876-78 killed about 3.7% of the world's population.

Learn More About Climate Change - resources sealevel.info

@ncdave4life - โœ๏ธ ๐Ÿ‡บ๐Ÿ‡ธ ๐Ÿ‡บ๐Ÿ‡ฆ Dave Burton

9/12ใ€•Droughts still happen, of course, but elevated CO2 mitigates the adverse effects of vapor pressure deficit (dryness) on plants. That's why the global greening trend is most pronounced in the driest regions, like the Sahel (southern Sahara).

@ncdave4life - โœ๏ธ ๐Ÿ‡บ๐Ÿ‡ธ ๐Ÿ‡บ๐Ÿ‡ฆ Dave Burton

15/18ใ€‹ Here's what manmade climate changes is doing in Africa. This is what climate activists are campaigning against: โ€œโ€™Before, there was not a single scorpion, not a single blade of grassโ€ฆ Now you have people grazing their camelโ€ฆ" https://www.sealevel.info/Owen2009_Sahara_Desert_Greening-NatGeo30639457.html https://www.sealevel.info/090731-green-sahara__excerpt_natgeo.png

@ncdave4life - โœ๏ธ ๐Ÿ‡บ๐Ÿ‡ธ ๐Ÿ‡บ๐Ÿ‡ฆ Dave Burton

10/12ใ€•ChatGPT did a good job of โ€โ€โ€โ€explaining how elevated CO2 improves plants' water use efficiency and mitigates drought impacts: โ€โ€โ€œIn agronomy, the effects of elevated CO2 on plant water use efficiency and drought resilience are extensively studied. One of the key mechanisms through which elevated CO2 levels improve water use efficiency is by reducing stomatal conductance and, consequently, water loss through transpiration. โ€โ€โ€โ€โ€โ€ โ€โ€โ€œStomata are small pores on the surface of plant leaves that regulate gas exchange, including the uptake of CO2 for photosynthesis and the release of water vapor through transpiration. When CO2 levels are elevated, plants can maintain the same or higher rate of photosynthesis while reducing stomatal conductance. This reduction in stomatal conductance leads to a decrease in water loss through transpiration without significantly affecting CO2 uptake, resulting in improved water use efficiency.โ€ References: 1. Chun JA, et al. (2011). Effect of elevated carbon dioxide and water stress on gas exchange and water use efficiency in corn. Agricultural and Forest Meteorology, 151(3), pp 378โ€“384. https://doi.org/10.1016/j.agrformet.2010.11.015. 2. O'Leary GJ, et al. (2015). Response of wheat growth, grain yield and water use to elevated CO2 under a Free-Air CO2 Enrichment (FACE) experiment and modelling in a semi-arid environment. Glob Chang Biol. 21(7):2670โ€“2686. https://doi.org/10.1111/gcb.12830 3. Fitzgerald GJ, et al. (2016) Elevated atmospheric [CO2] can dramatically increase wheat yields in semi-arid environments and buffer against heat waves. Glob Chang Biol. 22(6):2269-84. https://doi.org/10.1111/gcb.13263 4. Uddin S, et al. (2018) Elevated [CO2] mitigates the effect of surface drought by stimulating root growth to access sub-soil water. PLoS One. 13(6):e0198928. https://doi.org/10.1371/journal.pone.0198928 5. Taylor, C & Schlenker, W (2021). Environmental Drivers of Agricultural Productivity Growth: CO2 Fertilization of US Field Crops. National Bureau of Economic Research, no. w29320. https://doi.org/10.3386/w29320 6. Chen, Xin et al (2024). The global greening continues despite increased drought stress since 2000. Global Ecology and Conservation, Volume 49, 2024, e02791. https://doi.org/10.1016/j.gecco.2023.e02791.

Effect of elevated carbon dioxide and water stress on gas exchange and water use efficiency in corn CO2 has been predicted to increase in the future, and thus leading to possible changes in precipitation patterns. The objectives of this study were toโ€ฆ sciencedirect.com
Elevated [CO2] mitigates the effect of surface drought by stimulating root growth to access sub-soil water Through stimulation of root growth, increasing atmospheric CO2 concentration ([CO2]) may facilitate access of crops to sub-soil water, which could potentially prolong physiological activity in dryland environments, particularly because crops are more water use efficient under elevated [CO2] (e[CO2]). This study investigated the effect of drought in shallow soil versus sub-soil on agronomic and physiological responses of wheat to e[CO2] in a glasshouse experiment. Wheat (Triticum aestivum L. cv. Yitpi) was grown in split-columns with the top (0โ€“30 cm) and bottom (31โ€“60 cm; โ€˜sub-soilโ€™) soil layer hydraulically separated by a wax-coated, root-penetrable layer under ambient [CO2] (a[CO2], โˆผ400 ฮผmol mol-1) or e[CO2] (โˆผ700 ฮผmol mol-1) [CO2]. Drought was imposed from stem-elongation in either the top or bottom soil layer or both by withholding 33% of the irrigation, resulting in four water treatments (WW, WD, DW, DD; D = drought, W = well-watered, letters denote water treatment in top and bottom soil layer, respectively). Leaf gas exchange was measured weekly from stem-elongation until anthesis. Above-and belowground biomass, grain yield and yield components were evaluated at three developmental stages (stem-elongation, anthesis and maturity). Compared with a[CO2], net assimilation rate was higher and stomatal conductance was lower under e[CO2], resulting in greater intrinsic water use efficiency. Elevated [CO2] stimulated both above- and belowground biomass as well as grain yield, however, this stimulation was greater under well-watered (WW) than drought (DD) throughout the whole soil profile. Imposition of drought in either or both soil layers decreased aboveground biomass and grain yield under both [CO2] compared to the well-watered treatment. However, the greatest โ€˜CO2 fertilisation effectโ€™ was observed when drought was imposed in the top soil layer only (DW), and this was associated with e[CO2]-stimulation of root growth especially in the well-watered bottom layer. We suggest that stimulation of belowground biomass under e[CO2] will allow better access to sub-soil water during grain filling period, when additional water is converted into additional yield with high efficiency in Mediterranean-type dryland agro-ecosystems. If sufficient water is available in the sub-soil, e[CO2] may help mitigating the effect of drying surface soil. journals.plos.org
The global greening continues despite increased drought stress since 2000 Increases or decreases in remote sensing-based vegetation greenness are usually referred to as greening or browning. The CO2 fertilization along with โ€ฆ sciencedirect.com

@ncdave4life - โœ๏ธ ๐Ÿ‡บ๐Ÿ‡ธ ๐Ÿ‡บ๐Ÿ‡ฆ Dave Burton

11/12ใ€•To understand a politicized topic like #ClimateChange, you need balanced information. I'm here to help: https://sealevel.info/learnmore.html?0=dummies That resource list has: โ— accurate introductory climatology information โ— in-depth science from bothโ€Š skeptics & alarmists โ— links to balanced debates between experts on bothโ€Š sides โ— accurate information about impacts of CO2 & climate change, such as the effects on crop yields โ— links to the best blogs on bothโ€Š sides of the climate debate

Learn More About Climate Change - resources sealevel.info

@ncdave4life - โœ๏ธ ๐Ÿ‡บ๐Ÿ‡ธ ๐Ÿ‡บ๐Ÿ‡ฆ Dave Burton

12/12ใ€•So, Ian @ByIanJames, please correct this error in your @LATimes article: https://www.latimes.com/environment/story/2025-03-21/desalination-tech-tested#:~:text=Research%20has%20shown%20that%20human,western%20United%20States

New desalination technology being tested in California could lower costs of tapping seawater A new desalination technology is undergoing testing in Southern California. Water managers hope it will offer an environmentally friendly way of tapping the Pacific Ocean. latimes.com

@ncdave4life - โœ๏ธ ๐Ÿ‡บ๐Ÿ‡ธ ๐Ÿ‡บ๐Ÿ‡ฆ Dave Burton

@ByIanJames @latimes Compilation: https://twitter-thread.com/t/1904008142742012327 @ThreadReaderApp @Rattibha @threaddotblue unroll @reSeeIt save thread @HeyGenLabs

1/12ใ€•Ian James @ByIanJames, you reported that, "Research has shown that human-caused climate change is driving worsening droughts in the western United States." by @ncdave4life(โœ๏ธ ๐Ÿ‡บ๐Ÿ‡ธ ๐Ÿ‡บ๐Ÿ‡ฆ Dave Burton) | Twitter Thread Reader 1/12ใ€•Ian James @ByIanJames, you reported that, "Research has shown that human-caused climate change is driving worsening droughts in the western United States." That is false. Droughts have not worsened, either in the United States, or globally: https://t.co/frrpPFfve0 https://t.co/g3pJTYHynh twitter-thread.com
Saved - February 10, 2025 at 11:08 PM
reSee.it AI Summary
I believe that distrust in science stems from untrustworthy experts and the prevalence of misinformation. This issue isn't limited to fringe groups; even those with majority opinions can fall prey to confirmation bias due to peer pressure. Ideological extremes can also foster anti-scientific bias. While science should remain neutral, historical examples show that political movements can clash with scientific principles. The Scientific Method, crucial for distinguishing science from other disciplines, is now being undermined in educational settings. Ultimately, the ability to reassess beliefs is vital for both mental health and scientific integrity.

@ncdave4life - โœ๏ธ ๐Ÿ‡บ๐Ÿ‡ธ ๐Ÿ‡บ๐Ÿ‡ฆ Dave Burton

1/7ใ€‹ All of your examples are good, Simon. But I think one of the reasons so many people distrust science is that in some fields "experts" have proven to be untrustworthy. In some fields many so-called experts are just propagandists, or even crackpots. https://youtube.com/watch?v=kVk9a5Jcd1k&lc=UgyqbK1IDJFBj1mrRC54AaABAgโ€ฆ

@simonmaechling - Simon Maechling

In todayโ€™s world, misinformation travels faster than the truth. Whether itโ€™s anti-vaxxers, chemophobia, GMO fear, or anti-nuclear. The internet has turned bad science into big business. Hereโ€™s how anti-science communication works, and why itโ€™s so effective ๐Ÿงต: 1/10

@ncdave4life - โœ๏ธ ๐Ÿ‡บ๐Ÿ‡ธ ๐Ÿ‡บ๐Ÿ‡ฆ Dave Burton

2/7ใ€‹ It's not just fringe actors who "love [only] 'evidence' that supports what they already believe." Among people comfortably sharing a majority opinion, it's even worse, because peer pressure amplifies confirmation bias. https://www.simplypsychology.org/asch-conformity.html Have you heard of the Asch Conformity Line Experiment?

Solomon Asch Conformity Line Experiment Study The Asch paradigm was a series of conformity experiments by Solomon Asch designed to investigate how social pressure from a majority group could influence an individual to conform. simplypsychology.org

@ncdave4life - โœ๏ธ ๐Ÿ‡บ๐Ÿ‡ธ ๐Ÿ‡บ๐Ÿ‡ฆ Dave Burton

3/7ใ€‹ Ideology also can contribute to anti-scientific bias, particularly at the extreme ends of the spectrum. Many articles of faith for leftists are simply incompatible with science. https://sealevel.info/intersectional_blah_blah_blah.html

The lunatics are running the academy sealevel.info

@ncdave4life - โœ๏ธ ๐Ÿ‡บ๐Ÿ‡ธ ๐Ÿ‡บ๐Ÿ‡ฆ Dave Burton

4/7ใ€‹ Science is not fundamentally either Left or Right. But periodically the Left goes to war against science. In the mid-20th century Trofim Lysenko was the communist point man in the Left's war against science. https://www.theatlantic.com/science/archive/2017/12/trofim-lysenko-soviet-union-russia/548786/

The Soviet Era's Deadliest Scientist Is Regaining Popularity in Russia Trofim Lysenkoโ€™s spurious research prolonged famines that killed millions. So why is a fringe movement praising his legacy? theatlantic.com

@ncdave4life - โœ๏ธ ๐Ÿ‡บ๐Ÿ‡ธ ๐Ÿ‡บ๐Ÿ‡ฆ Dave Burton

5/7ใ€‹ The Scientific Method is the foundation of science, the single thing which distinguishes science from all other scholarship. https://sealevel.info/papers.html#whitherscience:~:text=If%20the%20test%20results%20fail,scientist%20worthy%20of%20the%20name But the left-dominated U.S. National Academy of Science now opposes teaching the Scientific Method.

SeaLevel.info notable papers on sea-level and science sealevel.info

@ncdave4life - โœ๏ธ ๐Ÿ‡บ๐Ÿ‡ธ ๐Ÿ‡บ๐Ÿ‡ฆ Dave Burton

@Veritatem2021 @ScienceBlog3 @AndreGrossza @BenKoby1911 @Mark_A_Lunn @judgementalbe1 @AristotleMrs @ChrisBBacon3 @Anvndarnamn5 @Coleski14 @Willard1951 @Michael_D_Crow @wallytoms0 @Climatehope2 @LesserMegadeath @JusticeTrudeau @WernerReinhard5 @S_D_Mannix @ammocrypta @JimBlack48 @glinch72 @Jaisans @DenisDaly @stitchnstab @CarrudoDon @LiveLifeBK24 @TheDisproof @priscian @fischerfischy @Joeyd87745119 @Devonian1342 @Data79504085 @Hji45519156 @waxliberty @SuperFoxyLoxy @JaapTitulaer @wjack76995 @Rocky35418823 @NobaconEgbert @balls95652097 @JustThi30117912 @SniemN @BointonGiles @SeekerTheGreat1 @ubique60 @CDMarshall7 @EthonRaptor @RMcgillss @paligap17 @MaggieL They do the opposite. Here the National Academy of Science instructs schools about how to instruct K-12 students about science โ€” and disparages the foundation of science, itself: the Scientific Method. https://threadreaderapp.com/thread/1643761723994783747.html https://nap.nationalacademies.org/read/13165/chapter/7#43:~:text=the%20mistaken%20impression%20that%20there%20is%20one%20distinctive%20approach%20common%20to%20all%20science%E2%80%94a%20single%20%E2%80%9Cscientific%20method%E2%80%9D

Thread by @ncdave4life on Thread Reader App @ncdave4life: @theNASEM @SciCommAwards 1/5ใ€‹Good grief. Someone pointed out to me this muddled mess from the NAS, which seems designed to confuse teachers and students about what science is: nap.nationalacademies.org...โ€ฆ threadreaderapp.com
Read "A Framework for K-12 Science Education: Practices, Crosscutting Concepts, and Core Ideas" at NAP.edu Read chapter 3 Dimension 1: Scientific and Engineering Practices: Science, engineering, and technology permeate nearly every facet of modern life and hold... nap.nationalacademies.org

@ncdave4life - โœ๏ธ ๐Ÿ‡บ๐Ÿ‡ธ ๐Ÿ‡บ๐Ÿ‡ฆ Dave Burton

6/7ใ€‹ Human beings are instinctively tribal. That results in a great susceptibility to peer pressure. Many people would even rather believe in terrifying horrors than question the doctrines of those they see as their own tribe, no matter how ridiculous.

@ncdave4life - โœ๏ธ ๐Ÿ‡บ๐Ÿ‡ธ ๐Ÿ‡บ๐Ÿ‡ฆ Dave Burton

1/12ใ€‹Many climate activists just PRETEND to be worried about #ClimateChange. They LIKE being alarmed. The proof is in their reactions. When a "worse than we thought" story hits the press, they're gleeful. But when you show them good news, they're angry. https://sealevel.info/learnmore.html?0=greening#greening

Learn More About Climate Change - resources sealevel.info

@ncdave4life - โœ๏ธ ๐Ÿ‡บ๐Ÿ‡ธ ๐Ÿ‡บ๐Ÿ‡ฆ Dave Burton

7/7ใ€‹ Willingness to reevaluate and correct mistaken beliefs is a learned discipline, and it doesn't come easily. That discipline is as essential for mental health as for scientific progress and political sagacity. Unfortunately, it's almost as uncommon as common sense.

@ncdave4life - โœ๏ธ ๐Ÿ‡บ๐Ÿ‡ธ ๐Ÿ‡บ๐Ÿ‡ฆ Dave Burton

Compilation: https://twitter-thread.com/t/1889087376321847733 @ThreadReaderApp @Rattibha @threaddotblue unroll @reSeeIt save thread @HayGenLabs

1/7ใ€‹ All of your examples are good, Simon. But I think one of the reasons so many people distrust science is that in some fields "experts" have proven to be untrustworthy. In some fields many so-called experts are just propagandists, or even crackpots. by @ncdave4life(โœ๏ธ ๐Ÿ‡บ๐Ÿ‡ธ ๐Ÿ‡บ๐Ÿ‡ฆ Dave Burton) | Twitter Thread Reader 1/7ใ€‹ All of your examples are good, Simon. But I think one of the reasons so many people distrust science is that in some fields "experts" have proven to be untrustworthy. In some fields many so-called experts are just propagandists, or even crackpots. https://t.co/xAtCeovzCN https://t.co/gKTKVnrVwz twitter-thread.com
Saved - July 9, 2024 at 2:57 PM
reSee.it AI Summary
Climate activists predicted that a 1.5ยฐC temperature increase would be disastrous, but nothing bad happened. The mild weather in 2023 was due to factors like El Niรฑo, reduced air pollution, and volcanic activity. Storms have not worsened, and some categories of storms have decreased. Elevated CO2 levels improve crop yields and make plants more water-efficient and drought resilient. Global food security has improved, and famines are becoming rare. Coastal sea-level trends remain slow, and local factors often overshadow global trends. The end of catastrophic famines is a significant achievement. Balanced information on climate change is available.

@ncdave4life - โœ๏ธ ๐Ÿ‡บ๐Ÿ‡ธ ๐Ÿ‡บ๐Ÿ‡ฆ Dave Burton

1/15โ‰ซ Dr. Belch (why oh why isn't she a gastroenterologist?) seems not to recognize the significance of the story. Climate activists predicted that if Earth's average temperature got to 1.5ยฐC above the pre-industrial (late Little Ice Age) baseline it would be a disaster. But they did, and nothing bad happened. The significance of that is that it means the climate activists were completely wrong.

@JillBelch - Dr Jill Belch

So climate deniers who say โ€˜itโ€™s a scamโ€™, where are you now? #NotAClimateScam Temperatures 1.5C above pre-industrial era average for 12 months, data shows. Copernicus #ClimateChange Service says results show a โ€˜large & continuing shiftโ€™ in the climate. https://www.theguardian.com/environment/article/2024/jul/08/temperatures-1-point-5c-above-pre-industrial-era-average-for-12-months-data-shows?CMP=Share_iOSApp_Other

Temperatures 1.5C above pre-industrial era average for 12 months, data shows Copernicus Climate Change Service says results a โ€˜large and continuing shiftโ€™ in the climate theguardian.com

@ncdave4life - โœ๏ธ ๐Ÿ‡บ๐Ÿ‡ธ ๐Ÿ‡บ๐Ÿ‡ฆ Dave Burton

2/15โ‰ซ In case you're wondering, the 4 known factors which caused 2023 to be so mild were: 1. A strong El Niรฑo spike. And 2. IMO 2020 shipping regulations drastically reduced sulfate aerosol air pollution (The IMO says they resulted in "an estimated 46% decrease in ship-emitted aerosols," which equates to a sudden 10% decrease in total global SO2 emissions, which is a large improvement in a short time, with a significant warming effect). And 3. The unusual 2022 Hunga Tonga eruption, which humidified the stratosphere. And 4. Also a little bit of warming from the ongoing slow rise in atmospheric CO2 levels (though only about 25 ppmv/decade). It's all good, though (unfortunately) #1 & #3 are temporary.

@ncdave4life - โœ๏ธ ๐Ÿ‡บ๐Ÿ‡ธ ๐Ÿ‡บ๐Ÿ‡ฆ Dave Burton

3/15โ‰ซ Q: And what was the result of all that warmth? A: Nothing. Nothing bad, anyhow. We still get storms, but they're no worse than in the past. https://sealevel.info/learnmore.html?0=hurricanes

Learn More About Climate Change - resources sealevel.info

@ncdave4life - โœ๏ธ ๐Ÿ‡บ๐Ÿ‡ธ ๐Ÿ‡บ๐Ÿ‡ฆ Dave Burton

4/15โ‰ซ In fact, some categories of storms have decreased. https://climateataglance.com/climate-at-a-glance-tornadoes/

Tornadoes According to a reports by the United Nations, โ€œThere is low confidence in observed trends in small spatial-scale phenomena such as tornadoes.โ€ climateataglance.com

@ncdave4life - โœ๏ธ ๐Ÿ‡บ๐Ÿ‡ธ ๐Ÿ‡บ๐Ÿ‡ฆ Dave Burton

5/15โ‰ซ Although droughts still happen, drought impacts are reduced, because elevated CO2 levels make plants more water-efficient and drought resilient. Refs:

@ncdave4life - โœ๏ธ ๐Ÿ‡บ๐Ÿ‡ธ ๐Ÿ‡บ๐Ÿ‡ฆ Dave Burton

1/7. This PBS piece is extremely misleading. Elevated CO2 greatly improves crop yields, and it mitigates drought impacts, by improving plants' water use efficiency (WUE) and drought resilience. See: https://www.masterresource.org/carbon-dioxide/co2-increased-water-use-efficiency/ I asked ChatGPT to explain the mechanism by which agronomists have found that elevated CO2 improves crops' WUE and drought resilience. It did a good job: โ€โ€โ€โ€โ€โ€ โ€โ€ โ€โ€โ€โ€โ€โ€ โ€โ€ โ€โ€โ€โ€โ€โ€ โ€โ€โ€โ€โ€โ€ โ€โ€ โ€โ€โ€โ€โ€โ€ โ€โ€ โ€โ€โ€โ€โ€โ€ โ€โ€ โ€โ€โ€โ€โ€โ€ โ€โ€ โ€โ€โ€โ€โ€โ€ โ€โ€ โ€โ€โ€โ€โ€โ€ โ€โ€ โ€โ€โ€โ€โ€โ€ โ€โ€ โ€โ€โ€โ€โ€โ€ โ€โ€ โ€โ€โ€โ€โ€โ€ โ€โ€ โ€โ€โ€โ€โ€โ€ โ€โ€ โ€โ€โ€โ€โ€โ€ โ€โ€ โ€โ€โ€โ€โ€โ€ โ€โ€ โ€โ€โ€โ€โ€โ€ โ€โ€ โ€โ€โ€โ€โ€โ€ โ€โ€ โ€โ€โ€โ€โ€โ€ โ€โ€ โ€โ€โ€โ€โ€โ€ โ€โ€ โ€โ€โ€โ€โ€โ€ โ€โ€ โ€โ€โ€โ€โ€โ€ โ€โ€๊ง๊ง‚ In agronomy, the effects of elevated CO2 on plant water use efficiency and drought resilience are extensively studied. One of the key mechanisms through which elevated CO2 levels improve water use efficiency is by reducing stomatal conductance and, consequently, water loss through transpiration. Stomata are small pores on the surface of plant leaves that regulate gas exchange, including the uptake of CO2 for photosynthesis and the release of water vapor through transpiration. When CO2 levels are elevated, plants can maintain the same or higher rate of photosynthesis while reducing stomatal conductance. This reduction in stomatal conductance leads to a decrease in water loss through transpiration without significantly affecting CO2 uptake, resulting in improved water use efficiency. Several studies have quantified the effect of elevated CO2 on stomatal conductance and transpiration. For example, a meta-analysis published in 2013 (Kimball et al., 2013) found that under elevated CO2 levels, stomatal conductance decreased by an average of 22%, while transpiration decreased by only 17%. This indicates that plants under elevated CO2 levels were able to reduce water loss more efficiently than they reduced CO2 uptake, leading to an overall improvement in water use efficiency. Improvements in water use efficiency due to elevated CO2 levels can increase plants' drought resilience by allowing them to maintain adequate hydration during periods of water scarcity. This can be particularly beneficial in arid and semi-arid regions where water availability is limited. Overall, the literature suggests that elevated CO2 levels can improve water use efficiency in plants by reducing stomatal conductance and water loss through transpiration, which can enhance their resilience to drought conditions.

CO2 Enrichment Improves Plant Water-Use Efficiency - Master Resource โ€œGratefully, nature does not have to wait another century or so for the airโ€™s CO2ย concentration to double before reaping benefits from enhanced water use efficiency. It has already begun to profit in this regard from the approximate 50% increase in atmospheric CO2ย that has occurred since the Industrial Revolution began.โ€ In my last article I wrote [โ€ฆ] masterresource.org

@ncdave4life - โœ๏ธ ๐Ÿ‡บ๐Ÿ‡ธ ๐Ÿ‡บ๐Ÿ‡ฆ Dave Burton

6/15โ‰ซ Along with improved crop yields from "CO2 fertilization," that has greatly improved global food security and decreased famine risk. Global crop yields are near or above all-time records. Refs: https://ourworldindata.org/crop-yields https://sealevel.info/ourworldindata_cereal_yield_4regions_1961_and_2022_annot1.png

Crop Yields Increasing crop yields is crucial to improve food security, living standards, and reduce human impacts on the environment. ourworldindata.org

@ncdave4life - โœ๏ธ ๐Ÿ‡บ๐Ÿ‡ธ ๐Ÿ‡บ๐Ÿ‡ฆ Dave Burton

7/15โ‰ซ Thanks to mild 2022-23 and 2023-24 winters, Germany got by without needing Russian gas โ€” which is a very good thing, since they can't get it anymore. https://www.brookings.edu/articles/how-did-germany-fare-without-russian-gas/

How did Germany fare without Russian gas? | Brookings After the Russian invasion of Ukraine, there was a heated debate in Germany about whether to embargo the import of Russian natural gas as a sanction against Russiaโ€™s aggression. Before Germany could act, Russian began cutting the flow of gas to Germany, eventually halting it entirely. On this episode of the Brookings Podcast on Economic Activity, Benjamin Moll and Georg Zachmann talk with Economic Studies Director Ben Harris about their BPEA paper on how Germany navigated this tense situation and their prior work that helped spur the โ€œGreat German Gas Debate.โ€ brookings.edu

@ncdave4life - โœ๏ธ ๐Ÿ‡บ๐Ÿ‡ธ ๐Ÿ‡บ๐Ÿ‡ฆ Dave Burton

8/15โ‰ซ Coastal sea-level trends are about the same as they were seventy years ago (i.e., very slow/slight). https://sealevel.info/learnmore.html

Learn More About Climate Change - resources sealevel.info

@ncdave4life - โœ๏ธ ๐Ÿ‡บ๐Ÿ‡ธ ๐Ÿ‡บ๐Ÿ‡ฆ Dave Burton

9/15โ‰ซ Honolulu is arguably the best quality sea-level measurement record in the world. It's near the middle of the world's largest ocean. It has 119 years of continuous measurements, from a near ideal location, without even a single missing month of data. It shows: https://sealevel.info/MSL_graph.php?id=honolulu https://sealevel.info/1612340_Honolulu_thru_2023-04_vs_CO2_annot1_1186x700.png Linear trend = 1.54 ยฑ0.20 mm/yr (6 inches/century) Acceleration = 0.000 ยฑ0.013 mm/yrยฒ (perfectly linear)

@ncdave4life - โœ๏ธ ๐Ÿ‡บ๐Ÿ‡ธ ๐Ÿ‡บ๐Ÿ‡ฆ Dave Burton

10/15โ‰ซ Note that there's been no detectable acceleration in the sea-level trend there. That's typical: some long measurement records show negligible acceleration, and others show none at all. Here's a Dutch measurement record with 158 years of continuous data! https://sealevel.info/MSL_graph.php?id=Harlingen&boxcar=1&boxwidth=3 https://sealevel.info/Dutch_dike_vs_Harlingen_sea-level_trend_1880x940_v06.png

@ncdave4life - โœ๏ธ ๐Ÿ‡บ๐Ÿ‡ธ ๐Ÿ‡บ๐Ÿ‡ฆ Dave Burton

11/15โ‰ซ In fact, the "global" (average) coastal sea-level trend is so slight & slow that in many places it is dwarfed by local factors, like erosion, sedimentation, and/or vertical land motion. @GretaThunberg's hometown of Stockholm is one such place. https://sealevel.info/MSL_graph.php?id=Stockholm&c_date=2002/4-2014/3&lin_ci=0 https://sealevel.info/050-141_Stockholm_Sweden_1889-2020_smoothed_vs_CO2_annot1.png

@ncdave4life - โœ๏ธ ๐Ÿ‡บ๐Ÿ‡ธ ๐Ÿ‡บ๐Ÿ‡ฆ Dave Burton

12/15โ‰ซ The one really important change due to carbon emissions is a monumentally important improvement over the the last half century or so: the end of catastrophic famines. References: https://sealevel.info/Famine-death-rate-since-1860s-revised-annot1.png

@ncdave4life - โœ๏ธ ๐Ÿ‡บ๐Ÿ‡ธ ๐Ÿ‡บ๐Ÿ‡ฆ Dave Burton

3/7. The beneficial effects of elevated CO2 are helping make famines rare for first time in human history. If you're too young to understand how important that is, count yourself blessed! Famine used to be a scourge comparable to war & disease. https://sealevel.info/learnmore.html?0=famine https://ourworldindata.org/famines

Learn More About Climate Change - resources sealevel.info
Famines In many parts of the world famines have been common in the past. What causes famines? How can famines be averted? ourworldindata.org

@ncdave4life - โœ๏ธ ๐Ÿ‡บ๐Ÿ‡ธ ๐Ÿ‡บ๐Ÿ‡ฆ Dave Burton

13/15โ‰ซ That's right: catastrophic famines are fading from living memory, for the very first time. For all of human history, famine (usually caused by drought) was one of the great scourges of mankind, the Third Horseman of the Apocalypse โ€” until now!

@ncdave4life - โœ๏ธ ๐Ÿ‡บ๐Ÿ‡ธ ๐Ÿ‡บ๐Ÿ‡ฆ Dave Burton

@PeterGleick @MichaelEMann @PSUClimate 12/19 That is BY FAR the MOST important thing: eCO2 is a major factor helping make food plentiful & famine rare. https://ourworldindata.org/famines Bye bye, Third Horseman of the Apocalypse! One down, War & Pestilence to go! https://sealevel.info/Famine-death-rate-since-1860s-revised-annot1.png

Famines In many parts of the world famines have been common in the past. What causes famines? How can famines be averted? ourworldindata.org

@ncdave4life - โœ๏ธ ๐Ÿ‡บ๐Ÿ‡ธ ๐Ÿ‡บ๐Ÿ‡ฆ Dave Burton

@GretaThunberg 14/15โ‰ซ If you're too young to recognized what a miracle that is, count yourself blessed. In large part because of elevated CO2 levels, catastrophic famines no longer happen.

@ncdave4life - โœ๏ธ ๐Ÿ‡บ๐Ÿ‡ธ ๐Ÿ‡บ๐Ÿ‡ฆ Dave Burton

17/18ใ€‹ Ending famine is a VERY Big Deal, comparable to ending war and disease. Compare: โ— Covid-19 killed 0.1% of world population. โ— 1918 flu pandemic killed about 2%. โ— WWII killed 2.7%. โ— The near-global drought & famine of 1876-78 killed about 3.7% of the world's population.

@ncdave4life - โœ๏ธ ๐Ÿ‡บ๐Ÿ‡ธ ๐Ÿ‡บ๐Ÿ‡ฆ Dave Burton

15/15โ‰ซ To understand a highly politicized issue like climate change, you need balanced information. I'm here to help: https://sealevel.info/learnmore.html?0=madrasfamine#benefits It has: โ— accurate introductory climatology information โ— in-depth science from BOTH skeptics & alarmists โ— links to balanced debates between experts on BOTH sides โ— accurate information about climate impacts โ— links to the best blogs on BOTH sides

Learn More About Climate Change - resources sealevel.info

@ncdave4life - โœ๏ธ ๐Ÿ‡บ๐Ÿ‡ธ ๐Ÿ‡บ๐Ÿ‡ฆ Dave Burton

@GretaThunberg Compilation: https://twitter-thread.com/t/1810688760646177040 @ThreadReaderApp @Rattibha @threaddotblue unroll @reSeeIt save thread

1/15โ‰ซ Dr. Belch (why oh why isn't she a gastroenterologist?) seems not to recognize the significance of the story. by @ncdave4life(โœ๏ธ ๐Ÿ‡บ๐Ÿ‡ธ ๐Ÿ‡บ๐Ÿ‡ฆ Dave Burton) 1/15โ‰ซ Dr. Belch (why oh why isn't she a gastroenterologist?) seems not to recognize the significance of the story. Climate activists predicted that if Earth's average temperature got to 1.5ยฐC above the pre-industrial (late Little Ice Age) baseline it would be a disaster. But they did, and nothing bad happened. The significance of that is that it means the climate activists were completely wrong. twitter-thread.com
Saved - July 4, 2024 at 10:21 AM
reSee.it AI Summary
Climate activists like Prof. Christopher Taylor blocking publication and denying tenure to professors with differing opinions corrupts academia and distorts science. The existence of a consensus is not debated unless there is no consensus. The climate industry promotes a false consensus about the "climate crisis." Censorship is prevalent in climate activism, suppressing dissenting viewpoints. Meaningful discussions about climate can be found on skeptic blogs. Being a climate realist can hinder career prospects in leftist-controlled schools. The late Prof. Freeman Dyson believed that manmade climate change is modest and CO2 emissions are beneficial. The real climate debate is about the predictions of CO2 emissions' benefits. Balanced information is crucial to understanding climate change.

@ncdave4life - โœ๏ธ ๐Ÿ‡บ๐Ÿ‡ธ ๐Ÿ‡บ๐Ÿ‡ฆ Dave Burton

1/10. When climate activists like Prof. Christopher Taylor have the power to block publication and deny tenure to young professors with differing opinions, it corrupts academia and distorts science. https://sealevel.info/ammocrypta_1808686484867760224_has_chaired_tenure_and_promotion_committee_for_8yrs.png https://x.com/ammocrypta/status/1808686484867760224

@ammocrypta - Christopher Taylor

@3GHtweets @joe51du @Veritatem2021 @Anymous84861064 @tonyjsargeant @Willard1951 @Rabs1958 @ncdave4life @JohnWil12363553 @DenisDaly @MartinDn1001 @AristotleMrs @S_D_Mannix @ozzorro1 @GillesnFio @SpudNielsen @MarcEHJones @bomac_macbo @BenKoby1911 @Devonian1342 @GAJAJW @Jaisans @bulkbiker @Climatehope2 @Data79504085 @Mark_A_Lunn @Anvndarnamn5 @Michael_D_Crow @Hji45519156 @waxliberty @priscian @SuperFoxyLoxy @ChrisBBacon3 @JaapTitulaer @wjack76995 @Rocky35418823 @NobaconEgbert @balls95652097 @BointonGiles @SeekerTheGreat1 @ubique60 @EthonRaptor @RMcgillss @paligap17 @TheDisproof @MaggieL @Willy1000 @AuroriaTwittori @curryja @ClimateAudit No it doesnโ€™t. Iโ€™ve chaired an annual review and tenure and promotion committee for the past 8 yrs. โ€œConsensusโ€ never came up. Thatโ€™s an even dumber comment than you made before. Wow.

@ncdave4life - โœ๏ธ ๐Ÿ‡บ๐Ÿ‡ธ ๐Ÿ‡บ๐Ÿ‡ฆ Dave Burton

2/10. Scientific consensuses exist about many things, but we don't talk much about them, because we don't disagree about them. If there's a hot debate about the existence of a consensus, it means there's no consensus.

@ncdave4life - โœ๏ธ ๐Ÿ‡บ๐Ÿ‡ธ ๐Ÿ‡บ๐Ÿ‡ฆ Dave Burton

3/10. One of the dishonest tactics used by the parasitic climate industry to promote their products is to pretend there's a scientific consensus that the "climate crisis" is real. That's a plain lie.

@ncdave4life - โœ๏ธ ๐Ÿ‡บ๐Ÿ‡ธ ๐Ÿ‡บ๐Ÿ‡ฆ Dave Burton

@Willard1951 @joe51du @JohnWil12363553 @DenisDaly @3GHtweets @GillesnFio @MarcEHJones @Veritatem2021 @JohnNickla68342 @Anymous84861064 @MartinDn1001 @tonyjsargeant @ammocrypta @Rabs1958 @AristotleMrs @S_D_Mannix @Camburnclimate @ozzorro1 @SpudNielsen @bomac_macbo @BenKoby1911 @Devonian1342 @GAJAJW @Jaisans @bulkbiker @Climatehope2 @Data79504085 @Mark_A_Lunn @Anvndarnamn5 @Michael_D_Crow @Hji45519156 @waxliberty @priscian @SuperFoxyLoxy @ChrisBBacon3 @JaapTitulaer @wjack76995 @Rocky35418823 @NobaconEgbert @balls95652097 @BointonGiles @SeekerTheGreat1 @ubique60 @EthonRaptor @RMcgillss @paligap17 @TheDisproof @MaggieL @Willy1000 @AuroriaTwittori The reason that climate industry propagandists ask only "gimme" questions in their polls is that that know that if they asked meaningful questions they'd find nothing resembling a consensus. Most thoughtful scientists are skeptical of climate alarmism.

@ncdave4life - โœ๏ธ ๐Ÿ‡บ๐Ÿ‡ธ ๐Ÿ‡บ๐Ÿ‡ฆ Dave Burton

4/10. Censorship is a fundamental part of climate activism. One of the main ways climate activists promote the lie that there's a "consensus" among scientists for the so-called "climate crisis" is by suppressing viewpoints which differ from their own.

@ncdave4life - โœ๏ธ ๐Ÿ‡บ๐Ÿ‡ธ ๐Ÿ‡บ๐Ÿ‡ฆ Dave Burton

5/10. That's why most climate alarmist blogs are heavily censored to quash dissent, as are platforms like YouTube. To have meaningful online discussions about climate, you must go to blogs run by skeptics of climate alarmism, like WUWT, ClimateEtc, etc. https://wattsupwiththat.com/ https://judithcurry.com/ https://drroyspencer.com/ https://climateaudit.org/

Watts Up With That? World's most viewed site on climate change, global warming, extreme weather, IPCC, NOAA, NASA, Arctic sea ice, urban heat islands, environmentalism. wattsupwiththat.com
Climate Etc. judithcurry.com
Roy Spencer, PhD drroyspencer.com
Climate Audit by Steve McIntyre climateaudit.org

@ncdave4life - โœ๏ธ ๐Ÿ‡บ๐Ÿ‡ธ ๐Ÿ‡บ๐Ÿ‡ฆ Dave Burton

6/10. I searched for years for climate alarmist blogs that aren't censored to promote the climate industry's agenda. I found a few, but you've probably never heard of them. The major alarmist blogs are all heavily censored. https://sealevel.info/learnmore.html?0=blogs#blogs

Learn More About Climate Change - resources sealevel.info

@ncdave4life - โœ๏ธ ๐Ÿ‡บ๐Ÿ‡ธ ๐Ÿ‡บ๐Ÿ‡ฆ Dave Burton

7/10. "Coming out" as a climate realist is a sure way to not get tenure in leftist-controlled schools. It's a safe bet that if Prof. Taylor had chaired the department's tenure and promotion committee at Princeton, Prof. Dyson would've been denied tenure.

@ncdave4life - โœ๏ธ ๐Ÿ‡บ๐Ÿ‡ธ ๐Ÿ‡บ๐Ÿ‡ฆ Dave Burton

19/19โ€บ I'll conclude with the wisdom of the late Prof. Freeman Dyson: "โ€ฆnon-climatic effects of carbon dioxide as a sustainer of wildlife and crop plants are enormously beneficialโ€ฆ possibly harmful climatic effects of carbon dioxide have been greatly exaggerated, andโ€ฆ the benefits clearly outweigh the possible damage." When he wrote these words he was, by general consensus, America's most distinguished living scientist. He was the man who took over Einstein's position, when Einstein died. Prof. Dyson knew that manmade climate change is modest & benign, and CO2 emissions are beneficial, not harmful.

@ncdave4life - โœ๏ธ ๐Ÿ‡บ๐Ÿ‡ธ ๐Ÿ‡บ๐Ÿ‡ฆ Dave Burton

8/10. The real climate debate isn't about whether 'climate change is real.' The real debate is whether Nobel Laurate and "Father of Climatology" Svante Arrhenius was right or wrong, when he predicted that CO2 emissions would be highly beneficial. https://sealevel.info/learnmore.html?0=arrhenius#arrhenius

Learn More About Climate Change - resources sealevel.info

@ncdave4life - โœ๏ธ ๐Ÿ‡บ๐Ÿ‡ธ ๐Ÿ‡บ๐Ÿ‡ฆ Dave Burton

9/10. Arrhenius was right. But with Christopher Taylor chairing the tenure and promotion committee, Arrhenius probably could not have gotten tenure in Prof. Taylor's department at The University of Texas Rio Grande Valley. https://sealevel.info/negative_social_cost_of_carbon.html https://sealevel.info/negative_social_cost_of_carbon.html

Social cost of carbon is negative - scientific papers sealevel.info
Social cost of carbon is negative - scientific papers sealevel.info

@ncdave4life - โœ๏ธ ๐Ÿ‡บ๐Ÿ‡ธ ๐Ÿ‡บ๐Ÿ‡ฆ Dave Burton

10/10. To understand a contentious & politicized topic like #ClimateChange, you need balanced information. I'm here to help: https://sealevel.info/learnmore.html?0=dummies That resource list has: โ— accurate introductory climatology information โ— in-depth science from BOTHโ€Š skeptics & alarmists โ— links to balanced debates between experts on BOTHโ€Š sides โ— accurate information about impacts of CO2 & climate change, such as the effects on crop yields โ— links to the best blogs on BOTHโ€Š sides of the climate debate

Learn More About Climate Change - resources sealevel.info

@ncdave4life - โœ๏ธ ๐Ÿ‡บ๐Ÿ‡ธ ๐Ÿ‡บ๐Ÿ‡ฆ Dave Burton

Compilation: https://twitter-thread.com/t/1808806683675697427 @ThreadReaderApp @Rattibha @threaddotblue unroll @reSeeIt save thread

1/10. When climate activists like Prof. Christopher Taylor have the power to block publication and deny tenure to young professors with differing opinions, it corrupts academia and distorts science. by @ncdave4life(โœ๏ธ ๐Ÿ‡บ๐Ÿ‡ธ ๐Ÿ‡บ๐Ÿ‡ฆ Dave Burton) 1/10. When climate activists like Prof. Christopher Taylor have the power to block publication and deny tenure to young professors with differing opinions, it corrupts academia and distorts science. https://t.co/CNV8mxWVzf https://t.co/lApvctpJI2 twitter-thread.com
Saved - June 18, 2024 at 9:58 PM
reSee.it AI Summary
Elevated CO2 levels improve crop yields and mitigate drought impacts by enhancing water use efficiency and drought resilience. Studies show that elevated CO2 reduces stomatal conductance, resulting in decreased water loss through transpiration while maintaining or increasing photosynthesis. This improves water use efficiency and can enhance plants' ability to withstand drought conditions. Rising CO2 levels have contributed to a decrease in the damage caused by droughts, making catastrophic famines less common. Ending famine is comparable to ending war or disease, highlighting the significance of these improvements. The scientific evidence suggests that manmade climate change is modest and CO2 emissions are beneficial. To understand climate change, it is important to seek balanced information from reliable sources.

@ncdave4life - โœ๏ธ ๐Ÿ‡บ๐Ÿ‡ธ ๐Ÿ‡บ๐Ÿ‡ฆ Dave Burton

1/7. This PBS piece is extremely misleading. Elevated CO2 greatly improves crop yields, and it mitigates drought impacts, by improving plants' water use efficiency (WUE) and drought resilience. See: https://masterresource.org/carbon-dioxide/co2-increased-water-use-efficiency/ I asked ChatGPT to explain the mechanism by which agronomists have found that elevated CO2 improves crops' WUE and drought resilience. It did a good job: โ€โ€โ€โ€โ€โ€ โ€โ€ โ€โ€โ€โ€โ€โ€ โ€โ€ โ€โ€โ€โ€โ€โ€ โ€โ€โ€โ€โ€โ€ โ€โ€ โ€โ€โ€โ€โ€โ€ โ€โ€ โ€โ€โ€โ€โ€โ€ โ€โ€ โ€โ€โ€โ€โ€โ€ โ€โ€ โ€โ€โ€โ€โ€โ€ โ€โ€ โ€โ€โ€โ€โ€โ€ โ€โ€ โ€โ€โ€โ€โ€โ€ โ€โ€ โ€โ€โ€โ€โ€โ€ โ€โ€ โ€โ€โ€โ€โ€โ€ โ€โ€ โ€โ€โ€โ€โ€โ€ โ€โ€ โ€โ€โ€โ€โ€โ€ โ€โ€ โ€โ€โ€โ€โ€โ€ โ€โ€ โ€โ€โ€โ€โ€โ€ โ€โ€ โ€โ€โ€โ€โ€โ€ โ€โ€ โ€โ€โ€โ€โ€โ€ โ€โ€ โ€โ€โ€โ€โ€โ€ โ€โ€ โ€โ€โ€โ€โ€โ€ โ€โ€ โ€โ€โ€โ€โ€โ€ โ€โ€๊ง๊ง‚ In agronomy, the effects of elevated CO2 on plant water use efficiency and drought resilience are extensively studied. One of the key mechanisms through which elevated CO2 levels improve water use efficiency is by reducing stomatal conductance and, consequently, water loss through transpiration. Stomata are small pores on the surface of plant leaves that regulate gas exchange, including the uptake of CO2 for photosynthesis and the release of water vapor through transpiration. When CO2 levels are elevated, plants can maintain the same or higher rate of photosynthesis while reducing stomatal conductance. This reduction in stomatal conductance leads to a decrease in water loss through transpiration without significantly affecting CO2 uptake, resulting in improved water use efficiency. Several studies have quantified the effect of elevated CO2 on stomatal conductance and transpiration. For example, a meta-analysis published in 2013 (Kimball et al., 2013) found that under elevated CO2 levels, stomatal conductance decreased by an average of 22%, while transpiration decreased by only 17%. This indicates that plants under elevated CO2 levels were able to reduce water loss more efficiently than they reduced CO2 uptake, leading to an overall improvement in water use efficiency. Improvements in water use efficiency due to elevated CO2 levels can increase plants' drought resilience by allowing them to maintain adequate hydration during periods of water scarcity. This can be particularly beneficial in arid and semi-arid regions where water availability is limited. Overall, the literature suggests that elevated CO2 levels can improve water use efficiency in plants by reducing stomatal conductance and water loss through transpiration, which can enhance their resilience to drought conditions.

CO2 Enrichment Improves Plant Water-Use Efficiency - Master Resource โ€œGratefully, nature does not have to wait another century or so for the airโ€™s CO2ย concentration to double before reaping benefits from enhanced water use efficiency. It has already begun to profit in this regard from the approximate 50% increase in atmospheric CO2ย that has occurred since the Industrial Revolution began.โ€ In my last article I wrote [โ€ฆ] masterresource.org

@PBSDS - PBS Digital Studios

What will life look like as rivers dry? With global warming continuing, so will droughts. Places will have to live with far less water, which means we are going to need to innovate both how cities and agriculture do business: https://to.pbs.org/3ChtgLW #Weathered @maiyamay_

Bitly | Page Not Found | 404 to.pbs.org

@ncdave4life - โœ๏ธ ๐Ÿ‡บ๐Ÿ‡ธ ๐Ÿ‡บ๐Ÿ‡ฆ Dave Burton

2/7. Contrary to climate industry propaganda and misinformation from the leftists at PBS, the scientific evidence is compelling that CO2 emissions and rising CO2 levels are beneficial. Here are some relevant papers: https://sealevel.info/negative_social_cost_of_carbon.html

Social cost of carbon is negative - scientific papers sealevel.info

@ncdave4life - โœ๏ธ ๐Ÿ‡บ๐Ÿ‡ธ ๐Ÿ‡บ๐Ÿ‡ฆ Dave Burton

3/7. The beneficial effects of elevated CO2 are helping make famines rare for first time in human history. If you're too young to understand how important that is, count yourself blessed! Famine used to be a scourge comparable to war & disease. https://sealevel.info/learnmore.html?0=famine https://ourworldindata.org/famines

Learn More About Climate Change - resources sealevel.info
Famines In many parts of the world famines have been common in the past. What causes famines? How can famines be averted? ourworldindata.org

@ncdave4life - โœ๏ธ ๐Ÿ‡บ๐Ÿ‡ธ ๐Ÿ‡บ๐Ÿ‡ฆ Dave Burton

4/7. Droughts kill by hunger, not thirst. They kill by causing crop failures. https://sealevel.info/learnmore.html?0=droughts#droughts Or, rather, they used to. The most important thing to know about drought is this: rising CO2 levels mitigate the damage. That's one of the main reasons catastrophic famines are fading from living memory. Drought incidence has declined only slightly as CO2 levels have risen, but the damage caused by droughts has decreased much more dramatically.

Learn More About Climate Change - resources sealevel.info

@ncdave4life - โœ๏ธ ๐Ÿ‡บ๐Ÿ‡ธ ๐Ÿ‡บ๐Ÿ‡ฆ Dave Burton

5/7. Ending famine is a Very Big Deal, comparable to ending war or disease. For comparison: โ— Covid-19 killed about 0.1% of world population. โ— The 1918 flu pandemic killed about 2% of world population. โ— WWII killed about 2.7% of world population. โ— The near-global drought & famine of 1876-78 killed an estimated 3.7% of world population.

@ncdave4life - โœ๏ธ ๐Ÿ‡บ๐Ÿ‡ธ ๐Ÿ‡บ๐Ÿ‡ฆ Dave Burton

6/7. The scientific evidence is compelling that manmade climate change is modest and benign, and CO2 emissions are highly beneficial. The major harms are all hypothetical, and mostly implausible. The major benefits are proven, measured, and very large: https://threadreaderapp.com/thread/1291143344400347137.html

Thread by @ncdave4life on Thread Reader App @ncdave4life: @JsharkJill @nonewsagwdenial @DawnTJ90 @fknsavages27 @swcrisis @JoeTheAtheist @ancistroneura @RuleByLogic @LochChesney @Gladfly1 @OscarsWild1 @Schtickery @Jamz129 @IngersolRobert @PolAnimalAus @Vieux_R...โ€ฆ threadreaderapp.com

@ncdave4life - โœ๏ธ ๐Ÿ‡บ๐Ÿ‡ธ ๐Ÿ‡บ๐Ÿ‡ฆ Dave Burton

7/7. To understand a contentious, politicized issue like #ClimateChange, you need balanced information. You won't get it from the leftists at @PBS, but I'm here to help: https://sealevel.info/learnmore.html That page has: โ— accurate introductory climatology information โ— in-depth science from BOTHโ€Š skeptics & alarmists โ— links to balanced debates between experts on BOTHโ€Š sides โ— accurate information about impacts of CO2 & climate change, such as the effects on crop yields โ— links to the best blogs on BOTHโ€Š sides of the climate debate

Learn More About Climate Change - resources sealevel.info

@ncdave4life - โœ๏ธ ๐Ÿ‡บ๐Ÿ‡ธ ๐Ÿ‡บ๐Ÿ‡ฆ Dave Burton

@PBS Compilation: https://twitter-thread.com/t/1803184124884349245 @ThreadReaderApp @Rattibha @threaddotblue unroll @reSeeIt save thread

1/7. This PBS piece is extremely misleading. Elevated CO2 greatly improves crop yields, and it mitigates drought impacts, by improving plants' water use efficiency (WUE) and drought resilience. See: by @ncdave4life(โœ๏ธ ๐Ÿ‡บ๐Ÿ‡ธ ๐Ÿ‡บ๐Ÿ‡ฆ Dave Burton) 1/7. This PBS piece is extremely misleading. Elevated CO2 greatly improves crop yields, and it mitigates drought impacts, by improving plants' water use efficiency (WUE) and drought resilience. See: https://t.co/5bLuQ84cSd I asked ChatGPT to explain the mechanism by which agronomists have found that elevated CO2 improves crops' WUE and drought resilience. It did a good job: โ€โ€โ€โ€โ€โ€ โ€โ€ โ€โ€โ€โ€โ€โ€ โ€โ€ โ€โ€โ€โ€โ€โ€ โ€โ€โ€โ€โ€โ€ โ€โ€ โ€โ€โ€โ€โ€โ€ โ€โ€ โ€โ€โ€โ€โ€โ€ โ€โ€ โ€โ€โ€โ€โ€โ€ โ€โ€ โ€โ€โ€โ€โ€โ€ โ€โ€ โ€โ€โ€โ€โ€โ€ โ€โ€ โ€โ€โ€โ€โ€โ€ โ€โ€ โ€โ€โ€โ€โ€โ€ โ€โ€ โ€โ€โ€โ€โ€โ€ โ€โ€ โ€โ€โ€โ€โ€โ€ โ€โ€ โ€โ€โ€โ€โ€โ€ โ€โ€ โ€โ€โ€โ€โ€โ€ โ€โ€ โ€โ€โ€โ€โ€โ€ โ€โ€ โ€โ€โ€โ€โ€โ€ โ€โ€ โ€โ€โ€โ€โ€โ€ โ€โ€ โ€โ€โ€โ€โ€โ€ โ€โ€ โ€โ€โ€โ€โ€โ€ โ€โ€ โ€โ€โ€โ€โ€โ€ โ€โ€๊ง๊ง‚ In agronomy, the effects of elevated CO2 on plant water use efficiency and drought resilience are extensively studied. One of the key mechanisms through which elevated CO2 levels improve water use efficiency is by reducing stomatal conductance and, consequently, water loss through transpiration. Stomata are small pores on the surface of plant leaves that regulate gas exchange, including the uptake of CO2 for photosynthesis and the release of water vapor through transpiration. When CO2 levels are elevated, plants can maintain the same or higher rate of photosynthesis while reducing stomatal conductance. This reduction in stomatal conductance leads to a decrease in water loss through transpiration without significantly affecting CO2 uptake, resulting in improved water use efficiency. Several studies have quantified the effect of elevated CO2 on stomatal conductance and transpiration. For example, a meta-analysis published in 2013 (Kimball et al., 2013) found that under elevated CO2 levels, stomatal conductance decreased by an average of 22%, while transpiration decreased by only 17%. This indicates that plants under elevated CO2 levels were able to reduce water loss more efficiently than they reduced CO2 uptake, leading to an overall improvement in water use efficiency. Improvements in water use efficiency due to elevated CO2 levels can increase plants' drought resilience by allowing them to maintain adequate hydration during periods of water scarcity. This can be particularly beneficial in arid and semi-arid regions where water availability is limited. Overall, the literature suggests that elevated CO2 levels can improve water use efficiency in plants by reducing stomatal conductance and water loss through transpiration, which can enhance their resilience to drought conditions. twitter-thread.com
Saved - June 10, 2024 at 1:53 AM
reSee.it AI Summary
NASA Climate, specifically the JPL Earth Science Communications Team, is criticized for spreading misinformation and political propaganda. However, other parts of NASA employ real scientists who do valuable work. CO2 emissions are seen as beneficial for natural ecosystems, and NASA satellites measure the "greening" of the Earth. Concerns about the Antarctic Ice Sheet melting are addressed, stating that a few degrees of warming cannot melt it. Photos of Waikiki Beach illustrate the negligible sea-level trend. Scientific papers supporting the modest and benign nature of manmade climate change and the benefits of CO2 emissions are mentioned. Satellite altimetry measurements are questioned due to their limitations and malleability. Coastal measurements, on the other hand, show little acceleration in sea-level trends. The Gulf Stream's influence on sea-level rise along the Atlantic coast is highlighted. The benefits of rising CO2 levels, especially for agriculture and ecosystems, are emphasized. To obtain balanced information on climate change, a resource list is provided.

@ncdave4life - โœ๏ธ ๐Ÿ‡บ๐Ÿ‡ธ ๐Ÿ‡บ๐Ÿ‡ฆ Dave Burton

1/9. @NASAClimate is not one of the divisions & departments of NASA that do science. It's the "JPL Earth Science Communications Team" in Pasadena, which is comprised of "communicators," not scientists. https://sealevel.info/learnmore.html NASAClimate is a frequent source of misinformation and outright political propaganda.

Learn More About Climate Change - resources sealevel.info

@NASAClimate - NASA Climate

Sea levels around the world are rising as a result of human-caused global warming. Overall, global sea levels have risen about 10 centimeters from 1993 to 2023. #WorldOceansDay https://go.nasa.gov/3VuV88X

Page Not Found - NASA nasa.gov

@ncdave4life - โœ๏ธ ๐Ÿ‡บ๐Ÿ‡ธ ๐Ÿ‡บ๐Ÿ‡ฆ Dave Burton

@NASAClimate 2/9. Many other parts of NASA still employ real scientists, who do excellent work. Here's a NASA video about some of that work. https://www.youtube.com/watch?v=zOwHT8yS1XI CO2 emissions are very beneficial for natural ecosystems, and NASA satellites measure the resulting "greening" of the Earth.

Video Not Available youtube.com

@ncdave4life - โœ๏ธ ๐Ÿ‡บ๐Ÿ‡ธ ๐Ÿ‡บ๐Ÿ‡ฆ Dave Burton

@NASAClimate 3/9. Do you worry about the Antarctic Ice Sheet melting? This excellent NASA study should put your fears to rest. https://www.cambridge.org/core/journals/journal-of-glaciology/article/mass-balance-of-the-antarctic-ice-sheet-19922016-reconciling-results-from-grace-gravimetry-with-icesat-ers12-and-envisat-altimetry/0A29BAA84961428700886DCCE201912F Note: Antarctic temperatures average below โˆ’40ยฐ, so a few degrees of warming obviously cannot melt it.

Sorry, an error occurred Welcome to Cambridge Core cambridge.org

@ncdave4life - โœ๏ธ ๐Ÿ‡บ๐Ÿ‡ธ ๐Ÿ‡บ๐Ÿ‡ฆ Dave Burton

@AndyShep_CPOM @DrCBatchelor @dpcarrington Antarctic ice mass fluxes are in near perfect balance. The best & most comprehensive study to date of Antarctica ice mass fluxes is this one, from NASA: https://www.cambridge.org/core/journals/journal-of-glaciology/article/mass-balance-of-the-antarctic-ice-sheet-19922016-reconciling-results-from-grace-gravimetry-with-icesat-ers12-and-envisat-altimetry/0A29BAA84961428700886DCCE201912F The ice mass trend is โˆ’12 ยฑ64 Gt/yr. That's โ‰… zero. (12 Gt/yr = 0.1 inch of sea-level per century.)

Sorry, an error occurred Welcome to Cambridge Core cambridge.org

@ncdave4life - โœ๏ธ ๐Ÿ‡บ๐Ÿ‡ธ ๐Ÿ‡บ๐Ÿ‡ฆ Dave Burton

4/9. Here are two photos of the Moana Surfrider Hotel on Waikiki Beach, in Honolulu, one taken in 1925 and the other recently. They illustrate how negligible the sea-level trend is. https://sealevel.info/moana_hotel_1925_vs_now.png (Caveat: the widening of Waikiki Beach in front of the Moana Surfrider Hotel is due to a sand renourishment project. Ignore that, please. It's the negligible change in the elevation of the hotel above sea-level that I want you to notice.)

@ncdave4life - โœ๏ธ ๐Ÿ‡บ๐Ÿ‡ธ ๐Ÿ‡บ๐Ÿ‡ฆ Dave Burton

@NASAClimate 5/9. The best scientific evidence shows that manmade climate change is modest and benign, and CO2 emissions are highly beneficial, rather than harmful. Here are some relevant scientific papers: https://sealevel.info/negative_social_cost_of_carbon.html

Social cost of carbon is negative - scientific papers sealevel.info

@ncdave4life - โœ๏ธ ๐Ÿ‡บ๐Ÿ‡ธ ๐Ÿ‡บ๐Ÿ‡ฆ Dave Burton

6/9. The study which NASAClimate is hyping is based on satellite altimetry, not coastal measurements. https://sealevel.info/satellite_altimetry.html Coastal (tide gauge) measurements provide much higher quality data. Measurement of sea-level by satellite altimetry has many problems, which do not affect coastal measurements. One problem is that the satellites only measure sea-level far out to sea. They cannot measure sea-level near the coasts, where it matters. Also, satellite altimetry measurement records are generally only about a decade long. In contrast, many coastal measurement records are over a century long. Also, satellite altimetry measurements have proven to be disturbingly malleable. The very same data can show acceleration, deceleration, or linearity, depending on how it is processed! Here's an example from a 2014 paper, which turned apparent deceleration into linearity, by changing ("correcting") the measurements. https://sealevel.info/nclimate2159-f1_large_trimmed1.png A subsequent paper then turned the linear trend into an acceleration, by a combination of additional corrections and a little bit of additional data: https://sealevel.info/2017GL073308_fig4_scaled2match2.png The 2012 Envisat revisions were especially striking: https://sealevel.info/envisat_msl_correction_from_esa02.png A widely-hyped 2018 paper by U. Colorado's Dr. Steve Nerem et al claimed to have discovered โ€œaccelerationโ€ in the satellite altimetry measurement record of sea-level. They did it by reducing the rate of measured sea-level rise in 20 year-old Topex-Poseidon data, thereby making more recent measurements appear to have accelerated, by comparison. H/t Steve Case for this graph: https://sealevel.info/CU-2016-2018-With-Trend_with_caption.png

Satellites & sea-level measurement sealevel.info

@ncdave4life - โœ๏ธ ๐Ÿ‡บ๐Ÿ‡ธ ๐Ÿ‡บ๐Ÿ‡ฆ Dave Burton

7/9. In contrast to the satellite measurements, most tide gauge (coastal) measurements continue to show little or no acceleration in sea-level trend in the last nine decades or more. https://sealevel.info/MSL_graph.php?id=Harlingen&boxcar=1&boxwidth=3 https://sealevel.info/Dutch_dike_vs_Harlingen_sea-level_trend_1880x940_v06.png Honolulu is a nearly ideal sea-level measurement site: https://sealevel.info/MSL_graph.php?id=Honolulu https://sealevel.info/1612340_Honolulu_thru_2023-04_vs_CO2_annot1_1186x700.png One exception to the general linearity of coastal sea-level trends is the southern half of the Atlantic coast of the United States, where the Gulf Stream skirts the coast. Thanks to a (presumably transient) acceleration of the Gulf Stream, sea-level rise there has accelerated strikingly over the last decade: https://sealevel.info/MSL_graph.php?id=Charleston&boxcar=1&boxwidth=3&c_date=1930/1-2024/12&co2=0 https://sealevel.info/SL_Charleston_234_1930-1_to_2022-1_annot1.png This is the presumed cause: https://sealevel.info/Jackson2022_FIg2bc_annot.png Here you can see how close to the coast the Gulf Stream is, in the SE United States: https://sealevel.info/Gulf_Stream_wikipedia_200pct_with_NYC_Wilmington_Key_West_labeled.png Here's nice video animation of a full year of AMOC: https://www.youtube.com/watch?v=2RD3I69k71Y

@ncdave4life - โœ๏ธ ๐Ÿ‡บ๐Ÿ‡ธ ๐Ÿ‡บ๐Ÿ‡ฆ Dave Burton

@NASAClimate 8/9. CO2 emissions are highly beneficial, especially for agriculture and for natural ecosystems. The benefits of rising CO2 levels are large and well-measured. The supposed major harms are all merely speculative, and mostly implausible.

@ncdave4life - โœ๏ธ ๐Ÿ‡บ๐Ÿ‡ธ ๐Ÿ‡บ๐Ÿ‡ฆ Dave Burton

1/12ใ€‹From all the hoopla about global warming, you'd think that warming was the main effect of CO2 emissions. It isn't. It is of very minor consequence compared to the major, proven, biological BENEFITS of higher CO2 levels in the atmosphere. https://sealevel.info/learnmore.html?0=greening#benefits

Learn More About Climate Change - resources sealevel.info

@ncdave4life - โœ๏ธ ๐Ÿ‡บ๐Ÿ‡ธ ๐Ÿ‡บ๐Ÿ‡ฆ Dave Burton

9/9. To understand a contentious & politicized topic like #ClimateChange, you need balanced information. You won't get it from @NASAClimate, but I'm here to help: https://sealevel.info/learnmore.html?0=dummies That resource list has: โ— accurate introductory climatology information โ— in-depth science from BOTHโ€Š skeptics & alarmists โ— links to balanced debates between experts on BOTHโ€Š sides โ— accurate information about impacts of CO2 & climate change, such as the effects on crop yields โ— links to the best blogs on BOTHโ€Š sides of the climate debate

Learn More About Climate Change - resources sealevel.info

@ncdave4life - โœ๏ธ ๐Ÿ‡บ๐Ÿ‡ธ ๐Ÿ‡บ๐Ÿ‡ฆ Dave Burton

@NASAClimate Compilation: https://twitter-thread.com/t/1799981591957012701 @ThreadReaderApp @Rattibha @threaddotblue unroll @reSeeIt save thread

1/9. @NASAClimate is not one of the divisions & departments of NASA that do science. It's the "JPL Earth Science Communications Team" in Pasadena, which is comprised of "communicators," not scientists. by @ncdave4life(โœ๏ธ ๐Ÿ‡บ๐Ÿ‡ธ ๐Ÿ‡บ๐Ÿ‡ฆ Dave Burton) 1/9. @NASAClimate is not one of the divisions & departments of NASA that do science. It's the "JPL Earth Science Communications Team" in Pasadena, which is comprised of "communicators," not scientists. https://t.co/lUivXKlf1R NASAClimate is a frequent source of misinformation and outright political propaganda. twitter-thread.com
Saved - May 18, 2024 at 4:12 PM
reSee.it AI Summary
Nobel Laureate Svante Arrhenius, known as "The father of climate change," believed that CO2 emissions and rising CO2 levels would be beneficial. Some argue against this view, labeling those who disagree as "science denying idiots." Scientific evidence supports Arrhenius' claims, showing that rising CO2 levels have positive effects on the environment, including greening the Earth, improving crop yields, and benefiting natural ecosystems. Resources are available for those seeking balanced information on the topic of climate change. The CO2 Coalition, an organization of volunteer scientists, provides valuable resources and aims to combat disinformation and corruption in the field.

@ncdave4life - โœ๏ธ ๐Ÿ‡บ๐Ÿ‡ธ ๐Ÿ‡บ๐Ÿ‡ฆ Dave Burton

1/9โฏ The Grauniad's Ian Sample called Nobel Laurate Svante Arrhenius "The father of climate change." Arrhenius said CO2 emissions and rising CO2 levels would be highly beneficial. The evidence confirms that. But Joe thinks anyone who says it is a "science denying idiot." https://sealevel.info/learnmore.html?0=arrheniusโ€ฆ

Learn More About Climate Change - resources sealevel.info

@joe51du - Joe8855

@GillesnFio @Veritatem2021 @Mark_A_Lunn @Rabs1958 @MartinDn1001 @3GHtweets @MarcEHJones @Anymous84861064 @tonyjsargeant @Willard1951 @ammocrypta @ncdave4life @JohnWil12363553 @DenisDaly @AristotleMrs @S_D_Mannix @Camburnclimate @ozzorro1 @SpudNielsen @bomac_macbo @BenKoby1911 @Devonian1342 @GAJAJW @Jaisans @bulkbiker @Climatehope2 @Data79504085 @Anvndarnamn5 @Michael_D_Crow @Hji45519156 @waxliberty @priscian @SuperFoxyLoxy @ChrisBBacon3 @JaapTitulaer @wjack76995 @Rocky35418823 @NobaconEgbert @balls95652097 @BointonGiles @SeekerTheGreat1 @ubique60 @EthonRaptor @RMcgillss @paligap17 @TheDisproof @MaggieL @Willy1000 @AuroriaTwittori The death cult is the science denying idiots such as yourself who have been brainwashed by the fossil fuel companies and the right wing lie machine to destroy the planet and humanity for their short term profits.

@ncdave4life - โœ๏ธ ๐Ÿ‡บ๐Ÿ‡ธ ๐Ÿ‡บ๐Ÿ‡ฆ Dave Burton

2/9โฏ Somebody is VERY confused. (And it wasn't Arrhenius!)

@ncdave4life - โœ๏ธ ๐Ÿ‡บ๐Ÿ‡ธ ๐Ÿ‡บ๐Ÿ‡ฆ Dave Burton

5/5. The scientific evidence is compelling that rising CO2 levels (and consequent climate change) are beneficial, just as Arrhenius predicted, over a century ago. Learn more here: https://sealevel.info/learnmore.html?0=arrhenius @ThreadReaderApp @Rattibha @threaddotblue unroll @reSeeIt save thread

Learn More About Climate Change - resources sealevel.info

@ncdave4life - โœ๏ธ ๐Ÿ‡บ๐Ÿ‡ธ ๐Ÿ‡บ๐Ÿ‡ฆ Dave Burton

3/9โฏ CO2 emissions are greening the Earth, 3 ways: 1. By helping trees grow through CO2 fertilization. 2. By making plants more water efficient & drought resilient. 3. By improving crop yields, thus reducing the amount of land needed for agriculture. https://sealevel.info/learnmore.html?0=madrasfamine https://sealevel.info/learnmore.html?0=madrasfamine

Learn More About Climate Change - resources sealevel.info
Learn More About Climate Change - resources sealevel.info

@ncdave4life - โœ๏ธ ๐Ÿ‡บ๐Ÿ‡ธ ๐Ÿ‡บ๐Ÿ‡ฆ Dave Burton

4/9โฏ The benefits of rising CO2 levels for agriculture are spectacular. CO2 is not the only reason for improving crop yields, but it is one of the major reasons: https://sealevel.info/ourworldindata_cereal_yield_4regions_1961_and_2022_annot1.png https://ourworldindata.org/crop-yields https://ourworldindata.org/crop-yields

Crop Yields Increasing crop yields is crucial to improve food security, living standards, and reduce human impacts on the environment. ourworldindata.org
Crop Yields Increasing crop yields is crucial to improve food security, living standards, and reduce human impacts on the environment. ourworldindata.org

@ncdave4life - โœ๏ธ ๐Ÿ‡บ๐Ÿ‡ธ ๐Ÿ‡บ๐Ÿ‡ฆ Dave Burton

5/9โฏ The best scientific evidence shows that CO2 emissions are beneficial, and manmade climate change is modest and benign. Here are some relevant studies: https://sealevel.info/negative_social_cost_of_carbon.html

Social cost of carbon is negative - scientific papers sealevel.info

@ncdave4life - โœ๏ธ ๐Ÿ‡บ๐Ÿ‡ธ ๐Ÿ‡บ๐Ÿ‡ฆ Dave Burton

6/9โฏ The benefits of rising CO2 levels for natural ecosystems are measurable from orbit. https://sealevel.info/greening_earth_spatial_patterns_Myneni.html https://sealevel.info/greening_earth_spatial_patterns_Myneni.html

@ncdave4life - โœ๏ธ ๐Ÿ‡บ๐Ÿ‡ธ ๐Ÿ‡บ๐Ÿ‡ฆ Dave Burton

7 of 9โฏ This is NASA's video about it: https://www.youtube.com/watch?v=zOwHT8yS1XI

Video Not Available youtube.com

@ncdave4life - โœ๏ธ ๐Ÿ‡บ๐Ÿ‡ธ ๐Ÿ‡บ๐Ÿ‡ฆ Dave Burton

8/9โฏ To understand a contentious & politicized topic like #ClimateChange you need balanced information. I'm here to help: https://sealevel.info/learnmore.html?0=dummies That resource list has: โ— accurate introductory climatology information โ— in-depth science from BOTHโ€Š skeptics & alarmists โ— links to balanced debates between experts on BOTHโ€Š sides โ— accurate information about impacts of CO2 & climate change, such as the effects on crop yields โ— links to the best blogs on BOTHโ€Š sides of the climate debate

Learn More About Climate Change - resources sealevel.info

@ncdave4life - โœ๏ธ ๐Ÿ‡บ๐Ÿ‡ธ ๐Ÿ‡บ๐Ÿ‡ฆ Dave Burton

9/9โฏ The CO2 Coalition's site also has excellent resources to help you learn about this issue: https://co2coalition.org/ Many of the Coalition's members are highly distinguished. Their newest Board Member is Dr. John Clauser, 2022 Nobel Laureate (Physics). The CO2 Coalition is an organization of volunteer scientists, dedicated to combating disinformation about CO2 & climate change, and pushing back against the corruption of science for political & pecuniary reasons.

Home - CO2 Coalition co2coalition.org

@_ClimateCraze - John Shewchuk

Thank you Dr. Clauser. It's time for more scientists to speak out.

@ncdave4life - โœ๏ธ ๐Ÿ‡บ๐Ÿ‡ธ ๐Ÿ‡บ๐Ÿ‡ฆ Dave Burton

Compilation: https://twitter-thread.com/t/1791863199844708584 @ThreadReaderApp @Rattibha @threaddotblue unroll @reSeeIt save thread

1/9โฏ The Grauniad's Ian Sample called Nobel Laurate Svante Arrhenius "The father of climate change." by @ncdave4life(โœ๏ธ ๐Ÿ‡บ๐Ÿ‡ธ ๐Ÿ‡บ๐Ÿ‡ฆ Dave Burton) 1/9โฏ The Grauniad's Ian Sample called Nobel Laurate Svante Arrhenius "The father of climate change." Arrhenius said CO2 emissions and rising CO2 levels would be highly beneficial. The evidence confirms that. But Joe thinks anyone who says it is a "science denying idiot." https://t.co/sYe7MFgpmX twitter-thread.com
Saved - March 15, 2024 at 7:42 PM
reSee.it AI Summary
The climate movement is criticized for its extreme views, while a Broadway actor's reaction to an activist is praised. Data suggests that CO2 and human-induced warming have minimal impact on sea-level rise. The best science shows that manmade climate change is modest and CO2 emissions have beneficial effects. However, carbon emissions and climate change do have a significant impact on global food security. To understand climate change, it is important to have balanced and accurate information, which can be found in a resource list provided.

@ncdave4life - โœ๏ธ ๐Ÿ‡บ๐Ÿ‡ธ ๐Ÿ‡บ๐Ÿ‡ฆ Dave Burton

1/4. Here's a good example of Climate Movement insanity. "We are not doing anything about this crisis! The water is coming for us!" he says. Here's the reality: https://sealevel.info/learnmore.html

Learn More About Climate Change - resources sealevel.info

@TheSopranosClub - The Sopranos Club

BREAKING NEWS: Goodfellas and Sopranos actor removes activist from Broadway theatre in a no nonsense, Christopher Moltisanti style, reaction. RT if you agree with the actions of the brave Spider and Chris actor, Michael Imperioli,

Video Transcript AI Summary
I apologize for interrupting, but as a theater artist, I have experienced the silencing of scientists. Please remove him from the stage, as he is not a writer.
Full Transcript
Speaker 0: I have yet to the silencing of scientists. I am very, very sorry to interrupt your night and this amazing performance. I am a theater artist. I work in this theater professionally. I'm sorry. You're not my career under the Get him out. Get him out. And you're not a writer.

@ncdave4life - โœ๏ธ ๐Ÿ‡บ๐Ÿ‡ธ ๐Ÿ‡บ๐Ÿ‡ฆ Dave Burton

2/4. https://sealevel.info/MSL_graph.php?id=150-021&boxcar=1&boxwidth=5

@ncdave4life - โœ๏ธ ๐Ÿ‡บ๐Ÿ‡ธ ๐Ÿ‡บ๐Ÿ‡ฆ Dave Burton

@benmooreau The best data show that CO2 & anthropogenic warming have had a negligible effect on sea-level. Global sea-level rise is so miniscule that in many places it's dwarfed by local factors, like erosion, sedimentation, and vertical land motion.

@ncdave4life - โœ๏ธ ๐Ÿ‡บ๐Ÿ‡ธ ๐Ÿ‡บ๐Ÿ‡ฆ Dave Burton

3/4. The best science shows manmade climate change is modest & benign, and CO2 emissions are beneficial, not harmful. The major harms from CO2 are all hypothetical, and mostly implausible. The major benefits are proven, measured, and very large.

@ncdave4life - โœ๏ธ ๐Ÿ‡บ๐Ÿ‡ธ ๐Ÿ‡บ๐Ÿ‡ฆ Dave Burton

4/11ใ€‹ Carbon emissions and #ClimateChange are having a major impact on global food security. https://sealevel.info/learnmore.html?0=madrasfamine#benefits But it's not what you probably think.

Learn More About Climate Change - resources sealevel.info

@ncdave4life - โœ๏ธ ๐Ÿ‡บ๐Ÿ‡ธ ๐Ÿ‡บ๐Ÿ‡ฆ Dave Burton

4/4. To understand a commercialized & politicized topic like climate change, you need balanced, accurate information. I'm here to help: https://sealevel.info/learnmore.html?0=dummies This resource list has: โ— accurate introductory climatology information โ— in-depth science from BOTH skeptics & alarmists โ— links to balanced debates between experts on BOTH sides โ— information about climate impacts โ— links to the best blogs on BOTH sides

Learn More About Climate Change - resources sealevel.info

@ncdave4life - โœ๏ธ ๐Ÿ‡บ๐Ÿ‡ธ ๐Ÿ‡บ๐Ÿ‡ฆ Dave Burton

Compilation: https://twitter-thread.com/t/1768723006824521793 @ThreadReaderApp @Rattibha @threaddotblue unroll @reSeeIt save thread

1/4. Here's a good example of Climate Movement insanity. by @ncdave4life(โœ๏ธ ๐Ÿ‡บ๐Ÿ‡ธ ๐Ÿ‡บ๐Ÿ‡ฆ Dave Burton) 1/4. Here's a good example of Climate Movement insanity. "We are not doing anything about this crisis! The water is coming for us!" he says. Here's the reality: https://t.co/lUivXKlf1R twitter-thread.com
Saved - March 13, 2024 at 2:18 AM
reSee.it AI Summary
The Climate Industry's propaganda is misleading. Academic papers and articles reveal the truth about fossil fuels, carbon emissions, and climate change. The CO2 Coalition provides reliable resources. Contrary to popular belief, carbon emissions have a positive impact. The "climate crisis" is fear-mongering, driven by industry money. People's psychological need to worry fuels the Climate Industry's marketing campaign. For balanced and accurate information, check out the provided resource list.

@ncdave4life - โœ๏ธ ๐Ÿ‡บ๐Ÿ‡ธ ๐Ÿ‡บ๐Ÿ‡ฆ Dave Burton

1/11ใ€‹ Don't believe the Climate Industry propaganda. Here are some academic papers and articles about what fossil fuels, carbon emissions, and #climatechange are ACTUALLY doing to the Earth: https://sealevel.info/greening_earth_spatial_patterns_Myneni.html https://sealevel.info/greening_earth_spatial_patterns_Myneni.html

@RebeccaJBurns_ - Rebecca Burns

Is offshore wind killing whales? Or could it have something to do with climate change? For @Sierra_Magazine and @TheProspect, I dug into the weird world of renewable energy conspiracy theories โ€” and found fossil fuel ideologues lurking behind the scenes. https://www.sierraclub.org/sierra/2024-1-spring/feature/climate-science-deniers-fossil-fuel-shills-plot-against-green-energy

Climate-Science Deniers, Right-Wing Think Tanks, and Fossil Fuel Shills Are Plotting Against the Clean Energy Transition Inside the conspiracy to take down wind and solar power sierraclub.org

@ncdave4life - โœ๏ธ ๐Ÿ‡บ๐Ÿ‡ธ ๐Ÿ‡บ๐Ÿ‡ฆ Dave Burton

2/11ใ€‹ Here's a NASA video about it. It's based on measurements, unlike most of the Climate Industry's "climate impact" claims, which are based on dubious modeling and baseless speculation. https://www.youtube.com/watch?v=zOwHT8yS1XI

Video Not Available youtube.com

@ncdave4life - โœ๏ธ ๐Ÿ‡บ๐Ÿ‡ธ ๐Ÿ‡บ๐Ÿ‡ฆ Dave Burton

3/11ใ€‹ The CO2 Coalition's website also has many excellent resources to help you learn about this issue: https://co2coalition.org/ The CO2 Coalition is an organization of volunteer scientists, dedicated to combating disinformation about CO2 & climate change, and pushing back against the corruption of science for political & pecuniary reasons. Many of the CO2 Coalition's members are extremely distinguished. Their newest Board Member is Dr. John Clauser, 2022 Nobel Laureate (Physics).

Home - CO2 Coalition co2coalition.org

@GWrightstone - Gregory Wrightstone

CO2 Coalition Announces Election of Nobel Laureate Dr. John Clauser to its Board of Directors. According to Clauser: "In my opinion, there is no real climate crisis" @JunkScience @EcoSenseNow @gwtomb @VijayJayaraj_CC

@ncdave4life - โœ๏ธ ๐Ÿ‡บ๐Ÿ‡ธ ๐Ÿ‡บ๐Ÿ‡ฆ Dave Burton

4/11ใ€‹ Carbon emissions and #ClimateChange are having a major impact on global food security. https://sealevel.info/learnmore.html?0=madrasfamine#benefits But it's not what you probably think.

Learn More About Climate Change - resources sealevel.info

@ncdave4life - โœ๏ธ ๐Ÿ‡บ๐Ÿ‡ธ ๐Ÿ‡บ๐Ÿ‡ฆ Dave Burton

5/11ใ€‹ What the Climate Industry doesn't want you to know is that the "major impact" of carbon emissions is POSITIVE, just as the Nobel Laurate Svante Arrhenius predicted, over a century ago: https://sealevel.info/learnmore.html?0=arrhenius#arrhenius

Learn More About Climate Change - resources sealevel.info

@ncdave4life - โœ๏ธ ๐Ÿ‡บ๐Ÿ‡ธ ๐Ÿ‡บ๐Ÿ‡ฆ Dave Burton

6/11ใ€‹ Do you know what "FUD" is? It stands for "Fear, Uncertainty & Doubt." The "climate crisis" is FUD. The fact that many people worry about it just proves that FUD works. https://www.youtube.com/watch?v=WjVW6roRs-w

Video Not Available youtube.com

@ncdave4life - โœ๏ธ ๐Ÿ‡บ๐Ÿ‡ธ ๐Ÿ‡บ๐Ÿ‡ฆ Dave Burton

7/11ใ€‹ FUD is an old and proven disreputable strategy. https://sealevel.info/glossary.html#fud It worked for LBJ in 1964, and it works for the Climate Industry in 2024. https://sealevel.info/LBJ_Atomic_FUD.gif

@ncdave4life - โœ๏ธ ๐Ÿ‡บ๐Ÿ‡ธ ๐Ÿ‡บ๐Ÿ‡ฆ Dave Burton

8/11ใ€‹ The truth is the "climate crisis" is just a marketing ploy. The best scientific evidence and thousands of robust studies show that manmade #ClimateChange is modest & benign, and CO2 emissions are highly beneficial. Here are a few relevant papers: https://sealevel.info/negative_social_cost_of_carbon.html

Social cost of carbon is negative - scientific papers sealevel.info

@ncdave4life - โœ๏ธ ๐Ÿ‡บ๐Ÿ‡ธ ๐Ÿ‡บ๐Ÿ‡ฆ Dave Burton

9/11ใ€‹ Whenever you find "climate crisis" or "climate emergency" messaging, if you dig, you'll find industry money behind it. It's how they sell the product. Climate scammers say manmade climate change is a "crisis" or "emergency" for the same reason computer scammers say your computer is infected with viruses: to frighten you into opening your wallet. It's all about the Benjamins, baby.

@ncdave4life - โœ๏ธ ๐Ÿ‡บ๐Ÿ‡ธ ๐Ÿ‡บ๐Ÿ‡ฆ Dave Burton

@Michael63746953 @thefutureBigly @AlexEpstein 1/28ใ€‹Climate activists don't call it a crisis for nothing. $1.5 trillion/yr ain't "nothing." It's all about the Benjamins. They call it a crisis to prop up support for feeding Piggy. The parasitic climate industry needs a LOT of propaganda to support it. https://sealevel.info/1.5_Trillion_Dollar_Piggy_based_on_1885_Bengough_cartoon_and_the_Benjamines01_1280x640.png

@ncdave4life - โœ๏ธ ๐Ÿ‡บ๐Ÿ‡ธ ๐Ÿ‡บ๐Ÿ‡ฆ Dave Burton

10/11ใ€‹ The Climate Industry's marketing campaign is made easier by the fact that many people WANT to be fooled. Sadly, many people have a psychological need to worry.

@ncdave4life - โœ๏ธ ๐Ÿ‡บ๐Ÿ‡ธ ๐Ÿ‡บ๐Ÿ‡ฆ Dave Burton

1/12ใ€‹Many climate activists just PRETEND to be worried about #ClimateChange. They LIKE being alarmed. The proof is in their reactions. When a "worse than we thought" story hits the press, they're gleeful. But when you show them good news, they're angry. https://sealevel.info/learnmore.html?0=greening#greening

Learn More About Climate Change - resources sealevel.info

@ncdave4life - โœ๏ธ ๐Ÿ‡บ๐Ÿ‡ธ ๐Ÿ‡บ๐Ÿ‡ฆ Dave Burton

11/11ใ€‹ If you're not one of those people who want to be fooled, I can help. To understand a commercialized & politicized topic like climate change, you need balanced, accurate information: https://sealevel.info/learnmore.html This resource list has: โ— accurate introductory climatology information โ— in-depth science from BOTH skeptics & alarmists โ— links to balanced debates between experts on BOTH sides โ— information about climate impacts โ— links to the best blogs on BOTH sides

Learn More About Climate Change - resources sealevel.info

@ncdave4life - โœ๏ธ ๐Ÿ‡บ๐Ÿ‡ธ ๐Ÿ‡บ๐Ÿ‡ฆ Dave Burton

Compilation: https://twitter-thread.com/t/1767735658322223382 @ThreadReaderApp @Rattibha @threaddotblue unroll @reSeeIt save thread

1/11ใ€‹ Don't believe the Climate Industry propaganda. Here are some academic papers and articles about what fossil fuels, carbon emissions, and #climatechange are ACTUALLY doing to the Earth: by @ncdave4life(โœ๏ธ ๐Ÿ‡บ๐Ÿ‡ธ ๐Ÿ‡บ๐Ÿ‡ฆ Dave Burton) 1/11ใ€‹ Don't believe the Climate Industry propaganda. Here are some academic papers and articles about what fossil fuels, carbon emissions, and #climatechange are ACTUALLY doing to the Earth: https://t.co/oIBgF2MU4t https://t.co/oIBgF2MU4t twitter-thread.com
Saved - November 17, 2023 at 10:06 PM
reSee.it AI Summary
The conversation discusses the supposed harms of CO2 emissions and climate change. @ncdave4life argues that these harms are hypothetical and implausible, providing evidence that coral reefs, extreme weather, and sea levels are not significantly affected. They also highlight the positive effects of CO2 emissions on ecosystems, agriculture, and drought resilience. They conclude by sharing a resource list for balanced information on climate change.

@ncdave4life - โœ๏ธ ๐Ÿ‡บ๐Ÿ‡ธ ๐Ÿ‡บ๐Ÿ‡ฆ Dave Burton

@zteirstein 8/18. The supposed major harms from CO2 emissions are all merely hypothetical, and mostly implausible. None of them are actually happening. For instance, the coral of the Great Barrier Reef are doing fine: https://archive.ph/IcRIY https://archive.ph/IcRIY

@ncdave4life - โœ๏ธ ๐Ÿ‡บ๐Ÿ‡ธ ๐Ÿ‡บ๐Ÿ‡ฆ Dave Burton

@zteirstein 9/18. "Extreme weather" is not getting worse. Hurricanes, tornadoes, nor'easters, and droughts are not worsening. In fact, tornadoes & droughts have become much less destructive. Here're the facts on hurricanes, from an expert: https://rogerpielkejr.substack.com/p/2023-update-what-the-media-wont-tell

2023 Edition: What the media won't tell you about . . . hurricanes The science and data reporters refuse to report rogerpielkejr.substack.com

@ncdave4life - โœ๏ธ ๐Ÿ‡บ๐Ÿ‡ธ ๐Ÿ‡บ๐Ÿ‡ฆ Dave Burton

1/17ใ€‹Climate change is not making hurricanes more destructive. https://sealevel.info/learnmore.html?0=hurricanes#hurricanes

Learn More About Climate Change - resources sealevel.info

@ncdave4life - โœ๏ธ ๐Ÿ‡บ๐Ÿ‡ธ ๐Ÿ‡บ๐Ÿ‡ฆ Dave Burton

@zteirstein 10/18. Droughts have showed only a slight decreasing trend, but they're MUCH less destructive now, because elevated CO2 levels make plants more water-efficient and drought-resilient.

@ncdave4life - โœ๏ธ ๐Ÿ‡บ๐Ÿ‡ธ ๐Ÿ‡บ๐Ÿ‡ฆ Dave Burton

@rcbregman 17/ Also, elevated CO2 makes plants more water-efficient & drought-resilient, by improving CO2 stomatal conductance relative to transpiration. That's long-settled science among agronomists (though most climate scientists are apparently unfamiliar with it).

@ncdave4life - โœ๏ธ ๐Ÿ‡บ๐Ÿ‡ธ ๐Ÿ‡บ๐Ÿ‡ฆ Dave Burton

@zteirstein 11/18. Strong tornadoes have decreased markedly (though nobody is sure why). https://sealevel.info/learnmore.html?0=tornadoes#tornadoes https://sealevel.info/learnmore.html?0=tornadoes#tornadoes

Learn More About Climate Change - resources sealevel.info
Learn More About Climate Change - resources sealevel.info

@ncdave4life - โœ๏ธ ๐Ÿ‡บ๐Ÿ‡ธ ๐Ÿ‡บ๐Ÿ‡ฆ Dave Burton

@zteirstein 12/18. The tide gauge at Harlingen has a continuous sea-level measurement record all the way back to 1865. Contrary to climate industry FUD, the sea-level trend has not been significantly affected by climate change. https://sealevel.info/learnmore.html?0=sealevel#sealevel

Learn More About Climate Change - resources sealevel.info

@ncdave4life - โœ๏ธ ๐Ÿ‡บ๐Ÿ‡ธ ๐Ÿ‡บ๐Ÿ‡ฆ Dave Burton

@zteirstein 13/18. All of the important effects of CO2 emissions and manmade climate change are positive! Elevated CO2 (eCO2) is beneficial for almost all ecosystems. In fact, eCO2 even helps pine forests withstand bark beetles. https://academic.oup.com/treephys/article/32/6/752/1663608

@ncdave4life - โœ๏ธ ๐Ÿ‡บ๐Ÿ‡ธ ๐Ÿ‡บ๐Ÿ‡ฆ Dave Burton

@zteirstein 14/18. Elevated CO2 helps warm the Earth, but there's no convincing evidence that's harmful. In fact, scientists call the warmest climate periods "climate optimums." That's because, by all objective measures, warm is better than cold. https://unherd.com/thepost/bjorn-lomborg-how-global-warming-will-save-lives/

Bjรธrn Lomborg: how rising temperatures will save lives A spell of extremely hot weather has hit Europe this month, bringing with it a raft of apocalyptic headlines. Named Charon, after the boatman in Greek mythology who navigated the river Styx into Hades, the heatwave has immediately been linked to climate change and, by extension, humanityโ€™s faltering attempts to combat it. [...]Read More... unherd.com

@ncdave4life - โœ๏ธ ๐Ÿ‡บ๐Ÿ‡ธ ๐Ÿ‡บ๐Ÿ‡ฆ Dave Burton

@zteirstein 15/18. Natural ecosystems benefit from CO2 emissions, too. In fact, CO2 emissions are greening the Earth. https://www.nasa.gov/technology/carbon-dioxide-fertilization-greening-earth-study-finds/ https://sealevel.info/greening_earth_spatial_patterns_Myneni.html This is NASA's video about it: https://www.youtube.com/watch?v=zOwHT8yS1XI

Carbon Dioxide Fertilization Greening Earth, Study Finds - NASA From a quarter to half of Earthโ€™s vegetated lands has shown significant greening over the last 35 years largely due to rising levels of atmospheric carbon nasa.gov
Video Not Available youtube.com

@ncdave4life - โœ๏ธ ๐Ÿ‡บ๐Ÿ‡ธ ๐Ÿ‡บ๐Ÿ‡ฆ Dave Burton

@zteirstein 16/18. The fact that elevated CO2 is extremely beneficial for agriculture has been known to science for >100 years. https://tinyurl.com/1920sciamCO2

Scientific American - Carbonic Acid Gas to Fertilize the Air sealevel.info

@ncdave4life - โœ๏ธ ๐Ÿ‡บ๐Ÿ‡ธ ๐Ÿ‡บ๐Ÿ‡ฆ Dave Burton

17/18. Rising CO2 levels improve crop yields in two major ways: through "CO2 fertilization," and by improving drought resilience and water use efficiency (WUE). That's long-settled science, among agronomists. Most plants utilize C3 photosynthesis, and agronomy studies show that for C3 crops the CO2 fertilization benefit is highly linear as CO2 levels rise, until above about 1000 ppmv (which is far higher than we could ever hope to drive outdoor CO2 levels by burning fossil fuels). That linearity is obvious in the green (C3) trace, in this graph: https://sealevel.info/C3_and_C4_Pflanze_vs_CO2_Konzentration_1750_1984_2018_2019.png Here's a study about wheat (a C3 crop): https://www.ncbi.nlm.nih.gov/pubmed/26929390 Fitzgerald GJ, et al. (2016) Elevated atmospheric [CO2] can dramatically increase wheat yields in semi-arid environments and buffer against heat waves. Glob Chang Biol. 22(6):2269-84. doi:10.1111/gcb.13263. Plants (and animals) are carbon-based lifeforms. Plants get the carbon they need from CO2 in the air; CO2 is, literally, plant food. The higher the CO2 level, the less air plants must process through their stomata, and the less water they lose in the process (transpiration). Elevated CO2 improves plants' WUE and drought resilience by improving CO2 stomatal conductance relative to transpiration. So eCO2 is especially beneficial in arid regions, and especially beneficial for crops which are under drought stress. Corn (maize) has been very heavily studied. Even though it is a C4 grass (and C4 plants are better at enduring low CO2 levels), corn benefits greatly from elevated CO2, especially under drought stress. Here's a paper: sciencedirect.com/science/articlโ€ฆ Chun et al. (2011). Effect of elevated carbon dioxide and water stress on gas exchange and water use efficiency in corn. Agric For Meteorol 151(3), pp 378-384, ISSN 0168-1923. doi:10.1016/j.agrformet.2010.11.015. EXCERPT: "There have been many studies on the interaction of CO2 and water on plant growth. Under elevated CO2, less water is used to produce each unit of dry matter by reducing stomatal conductance." That improvement is one of several major reasons that catastrophic drought-triggered famines are fading from living memory, for the first time in history. If you're too young to remember huge, devastating, drought-triggered famines, count yourself blessed. Through all of human history, until very recently, famine was one of the great scourges of mankind, the Third Horseman of the Apocalypse. But no more. That is a miracle! Here's the data: https://ourworldindata.org/famines https://sealevel.info/Famine-death-rate-since-1860s-revised-annot1.png Ending famine is a VERYโ€‰ Big Deal, comparable to ending war and disease. Compare: โ— Covid-19 killed 0.1% of world population. โ— 1918 flu pandemic killed about 2%. โ— WWII killed 2.7%. โ— The near-global drought and famine of 1876-78 killed about 3.7% of the world population. https://sealevel.info/C3_and_C4_Pflanze_vs_CO2_Konzentration_1750_1984_2018_2019.png https://sealevel.info/Famine-death-rate-since-1860s-revised-annot1.png

Elevated atmospheric [CO2 ] can dramatically increase wheat yields in semi-arid environments and buffer against heat waves - PubMed Wheat production will be impacted by increasing concentration of atmospheric CO2 [CO2 ], which is expected to rise from about 400 ฮผmol mol(-1) in 2015 to 550 ฮผmol mol(-1) by 2050. Changes to plant physiology and crop responses from elevated [CO2 ] (e[CO2 ]) are well documented for some environments, โ€ฆ pubmed.ncbi.nlm.nih.gov
Famines In many parts of the world famines have been common in the past. What causes famines? How can famines be averted? ourworldindata.org

@ncdave4life - โœ๏ธ ๐Ÿ‡บ๐Ÿ‡ธ ๐Ÿ‡บ๐Ÿ‡ฆ Dave Burton

18/18. If you want to understand a commercialized and politicized topic like #ClimateChange, you need balanced, accurate information. I'm here to help: https://sealevel.info/learnmore.html This resource list has: โ— accurate intro climatology info โ— in-depth science from BOTH skeptics & alarmists โ— links to balanced debates between experts on BOTH sides โ— info about climate impacts โ— links to the best blogs on BOTH sides

Learn More About Climate Change - resources sealevel.info
Saved - November 6, 2023 at 7:30 PM
reSee.it AI Summary
The conversation revolves around climate change and its impact on agriculture. @ncdave4life challenges @Willard1951's statements on topics like crop growth, CO2 levels, and water use efficiency. @ncdave4life provides scientific papers to support their arguments. The conversation ends with @ncdave4life sharing resources for further learning.

@ncdave4life - โœ๏ธ ๐Ÿ‡บ๐Ÿ‡ธ ๐Ÿ‡บ๐Ÿ‡ฆ Dave Burton

1/10. Where on earth do you "learn" such nonsense, Willard? Growing ranges for most major crops cover climate zones with average temperatures that vary by tens of ยฐC. Major crops like corn, wheat, potatoes & soybeans are produced from Mexico to Canada. Compared to that, a degree or two of warming (disproportionately at night, in winter, at chilly high latitudes) is de minimis -- as is the 0.35ยฑ0.13ยฐC between now and what the IPCC calls "1.5ยฐC of warming").

@ncdave4life - โœ๏ธ ๐Ÿ‡บ๐Ÿ‡ธ ๐Ÿ‡บ๐Ÿ‡ฆ Dave Burton

2/10. Willard wrote, "fertilization is the male gamete to female gamete to produce seed/fruit... not the N-P-K addition" Wrong. In agriculture, that's called pollination.

@ncdave4life - โœ๏ธ ๐Ÿ‡บ๐Ÿ‡ธ ๐Ÿ‡บ๐Ÿ‡ฆ Dave Burton

3/10. Willard wrote, "(yes, it is often temperature sensitive)" Wrong. Farmers choose planting dates to optimize growing conditions, including temperatures, for their crops.

@ncdave4life - โœ๏ธ ๐Ÿ‡บ๐Ÿ‡ธ ๐Ÿ‡บ๐Ÿ‡ฆ Dave Burton

@DaveRheaume @CO2Coalition 18/25. In the American Midwest, farmers can fully compensate for a 1ยฐC temperature change by adjusting planting dates by about six days.

@ncdave4life - โœ๏ธ ๐Ÿ‡บ๐Ÿ‡ธ ๐Ÿ‡บ๐Ÿ‡ฆ Dave Burton

@Willard1951 @JimBlack48 @BlasphemousBan1 @S_Metzeler @Anvndarnamn5 @GAJAJW @RClausius42 @Data79504085 @BenKoby1911 @priscian @EthonRaptor @Michael_D_Crow @Mark_A_Lunn @NomadicQuantum @AristotleMrs @ScienceBlog3 @AuroriaEn @AndreGrossza @DenisDaly @Veritatem2021 @JusticeTrudeau @judgementalbe1 @ChrisBBacon3 @Coleski14 @wallytoms0 @Climatehope2 @LesserMegadeath @WernerReinhard5 @S_D_Mannix @ammocrypta @Jaisans @CarrudoDon @LiveLifeBK24 @TheDisproof @Joeyd87745119 @Devonian1342 @Hji45519156 @waxliberty @SuperFoxyLoxy @JaapTitulaer @wjack76995 @Rocky35418823 @NobaconEgbert @balls95652097 @JustThi30117912 @BointonGiles @SeekerTheGreat1 @ubique60 @DaleGribble_666 4/10. If you think cold weather is better for crops than hot weather, then why do you think farmers plant in the spring instead of the fall?

@ncdave4life - โœ๏ธ ๐Ÿ‡บ๐Ÿ‡ธ ๐Ÿ‡บ๐Ÿ‡ฆ Dave Burton

5/10. Willard wrote, "Don't forget the negatives" There are no "negatives" of any consequence from higher CO2 levels. Higher CO2 levels are highly beneficial for agriculture.

@ncdave4life - โœ๏ธ ๐Ÿ‡บ๐Ÿ‡ธ ๐Ÿ‡บ๐Ÿ‡ฆ Dave Burton

6/10. Willard wrote, "High temps impact soil moisture levels, evapotranspiration" If you're worried about soil moisture levels and evapotranspiration, then why do you ignore the fact that higher CO2 levels improve crops' water use efficiency and drought resistance?

@ncdave4life - โœ๏ธ ๐Ÿ‡บ๐Ÿ‡ธ ๐Ÿ‡บ๐Ÿ‡ฆ Dave Burton

7/10. Here's a paper: https://www.nature.com/articles/s41467-017-00114-5 Cheng L et al (2017). Recent increases in terrestrial carbon uptake at little cost to the water cycle. Nat Commun 8, 110 (2017). doi:10.1038/s41467-017-00114-5 It reports thatโ€ฆ

Recent increases in terrestrial carbon uptake at little cost to the water cycle - Nature Communications Quantifying the responses of the coupled carbon and water cycles to current global warming and rising atmospheric CO2 concentration is crucial for predicting and adapting to climate changes. Here we show that terrestrial carbon uptake (i.e. gross primary production) increased significantly from 1982 to 2011 using a combination of ground-based and remotely sensed land and atmospheric observations. Importantly, we find that the terrestrial carbon uptake increase is not accompanied by a proportional increase in water use (i.e. evapotranspiration) but is largely (about 90%) driven by increased carbon uptake per unit of water use, i.e. water use efficiency. The increased water use efficiency is positively related to rising CO2 concentration and increased canopy leaf area index, and negatively influenced by increased vapour pressure deficits. Our findings suggest that rising atmospheric CO2 concentration has caused a shift in terrestrial water economics of carbon uptake. The response of the coupled carbon and water cycles to anthropogenic climate change is unclear. Here, the authors show that terrestrial carbon uptake increased significantly from 1982 to 2011 and that this increase is largely driven by increased water-use efficiency, rather than an increase in water use. nature.com

@ncdave4life - โœ๏ธ ๐Ÿ‡บ๐Ÿ‡ธ ๐Ÿ‡บ๐Ÿ‡ฆ Dave Burton

8/10. "Land plants are absorbing 17% more carbon dioxide from the atmosphere now than 30 years agoโ€ฆ [yet] the vegetation is hardly using any extra waterโ€ฆ suggesting that global change is causing the world's plants to grow in a more water-efficient way." https://theconversation.com/rising-carbon-dioxide-is-making-the-worlds-plants-more-water-wise-79427

Rising carbon dioxide is making the world's plants more water-wise The globe is greening as plants grow faster in response to rising carbon dioxide. But a new analysis shows they arenโ€™t using more water to do it - a rare piece of good news for our changing planet. theconversation.com

@ncdave4life - โœ๏ธ ๐Ÿ‡บ๐Ÿ‡ธ ๐Ÿ‡บ๐Ÿ‡ฆ Dave Burton

8.1/10. Aside: for agricultural plants, carbon absorption is roughly proportional to crop yield, so a +17% increase in carbon uptake from a mere 55 ppmv (16%) rise in CO2 level strongly suggests that crop yield improvements from elevated CO2 are much greater than the +20% conservative estimate which I previously mentioned.

@ncdave4life - โœ๏ธ ๐Ÿ‡บ๐Ÿ‡ธ ๐Ÿ‡บ๐Ÿ‡ฆ Dave Burton

9/10. Here's a paper about wheat: https://onlinelibrary.wiley.com/doi/full/10.1111/gcb.13263 Fitzgerald et al. (2016) Elevated atmospheric [CO2] can dramatically increase wheat yields in semi-arid environments and buffer against heat waves. Glob Chang Biol. 22(6):2269-84.

@ncdave4life - โœ๏ธ ๐Ÿ‡บ๐Ÿ‡ธ ๐Ÿ‡บ๐Ÿ‡ฆ Dave Burton

@Willard1951 @JimBlack48 @BlasphemousBan1 @S_Metzeler @Anvndarnamn5 @GAJAJW @RClausius42 @Data79504085 @BenKoby1911 @priscian @EthonRaptor @Michael_D_Crow @Mark_A_Lunn @NomadicQuantum @AristotleMrs @ScienceBlog3 @AuroriaEn @AndreGrossza @DenisDaly @Veritatem2021 @JusticeTrudeau @judgementalbe1 @ChrisBBacon3 @Coleski14 @wallytoms0 @Climatehope2 @LesserMegadeath @WernerReinhard5 @S_D_Mannix @ammocrypta @Jaisans @CarrudoDon @LiveLifeBK24 @TheDisproof @Joeyd87745119 @Devonian1342 @Hji45519156 @waxliberty @SuperFoxyLoxy @JaapTitulaer @wjack76995 @Rocky35418823 @NobaconEgbert @balls95652097 @JustThi30117912 @BointonGiles @SeekerTheGreat1 @ubique60 @DaleGribble_666 10/10. If you ever decide that you want to learn about these things, I have some good resources cataloged here: https://sealevel.info/learnmore.html?0=benefits

Learn More About Climate Change - resources sealevel.info

@ncdave4life - โœ๏ธ ๐Ÿ‡บ๐Ÿ‡ธ ๐Ÿ‡บ๐Ÿ‡ฆ Dave Burton

@Willard1951 @JimBlack48 @BlasphemousBan1 @S_Metzeler @Anvndarnamn5 @GAJAJW @RClausius42 @Data79504085 @BenKoby1911 @priscian @EthonRaptor @Michael_D_Crow @Mark_A_Lunn @NomadicQuantum @AristotleMrs @ScienceBlog3 @AuroriaEn @AndreGrossza @DenisDaly @Veritatem2021 @JusticeTrudeau @judgementalbe1 @ChrisBBacon3 @Coleski14 @wallytoms0 @Climatehope2 @LesserMegadeath @WernerReinhard5 @S_D_Mannix @ammocrypta @Jaisans @CarrudoDon @LiveLifeBK24 @TheDisproof @Joeyd87745119 @Devonian1342 @Hji45519156 @waxliberty @SuperFoxyLoxy @JaapTitulaer @wjack76995 @Rocky35418823 @NobaconEgbert @balls95652097 @JustThi30117912 @BointonGiles @SeekerTheGreat1 @ubique60 @DaleGribble_666 7/7. The science has been settled for over a century: elevated CO2 is tremendously beneficial for agriculture. The climate activists who refuse to acknowledge that established fact are science deniers. https://sealevel.info/learnmore.html?0=preciousairfertilizer#agriculture

Learn More About Climate Change - resources sealevel.info
Saved - November 4, 2023 at 4:52 AM
reSee.it AI Summary
The conversation discusses the benefits of rising CO2 levels for agriculture and the potential negative impact of bad governance. It also mentions instances where climate alarmism has led to humanitarian and economic disasters. The conversation highlights the perceived war against agriculture by leftist politicians and climate activists. The participants discuss the impact of CO2 fertilization on crop yields and present data on cereal and cassava yields in Niger. The conversation concludes by asserting that elevated CO2 is beneficial for agriculture and criticizing climate activists for denying this fact.

@ncdave4life - โœ๏ธ ๐Ÿ‡บ๐Ÿ‡ธ ๐Ÿ‡บ๐Ÿ‡ฆ Dave Burton

You're in denial of thousands of rigorous agronomy studies, over more than a century, which have measured the very large benefits of rising CO2 levels for agriculture. Of course, despite the benefits of elevated CO2, it's still possible to destroy agricultural productivity with bad governance. https://twitter-thread.com/t/1719372491536085167 Mao demonstrated that 60+ years ago, in pursuit of socialist utopia. Gotabaya Rajapaksa proved it again in Sri Lanka in 2021. Sri Lanka's humanitarian and economic disaster is the poison fruit of climate alarmism. Leftist politicians and climate activists are doing their best to lower crop yields, and return us to the days of mass famines. Most young people don't know much history, so they don't know what that's like. They're in for a very rude awakening, if the climate activists get their way. Compare: โ— Covid-19 has killed about 0.1% of world population, so far โ— The 1918 flu killed โ‰ˆ2% โ— WWII killed โ‰ˆ2.7% โ— But the global drought & famine of 1876-78 killed an estimated 3.7% of world population Dutch farmers are some of the most productive in the world, but their leftist, climate-conscious government is doing their best to end that: https://reuters.com/business/environment/dutch-farmers-protest-plan-curb-nitrogen-pollution-2022-06-22/ So is Baby Trudeau's leftist, climate-conscious government in Canada: https://agweb.com/news/policy/politics/new-policy-forces-canadian-producers-cut-back-fertilizer The Left and the Climate Industry are at war against agriculture, and against against humanity https://sealevel.info/learnmore.html?0=famine#famine In fact, the Climate Industry is ultimately at war against science itself. The IPCC's 2022 AR6 Report explicitly promotes homeopathic climatology (TCRE/RCB), which is just as unscientific as it sounds. Eli Rabett @EthonRaptor won't answer the question; so how about you, Willard? Do you agree with AR6 that CO2 which was FORMERLY in the air STILL has a warming effect? Or do you reject the IPCC's unscientific homeopathic climatology? Climate activists are like modern Lysenkoists, pretending to be scientific, while shredding real science. Or are you going to pretend there's anything scientific about GISS "climate scientist" @DrKateMarvel Kate Marvel's "intersectional science"? https://sealevel.info/intersectional_blah_blah_blah.html

@Willard1951 @JimBlack48 @BlasphemousBan1 @S_Metzeler @Anvndarnamn5 @GAJAJW @RClausius42 @Data79504085 @BenKoby1911 @priscian @EthonRaptor @Michael_D_Crow @Mark_A_Lunn @NomadicQuantum @AristotleMrs @ScienceBlog3 @AuroriaEn @AndreGrossza @DenisDaly @Veritatem2021 @JusticeTrudeau @judgementalbe1 @ChrisBBacon3 @Coleski14 @wallytoms0 @Climatehope2 @LesserMegadeath @WernerReinhard5 @S_D_Mannix @ammocrypta @Jaisans @CarrudoDon @LiveLifeBK24 @TheDisproof @Joeyd87745119 @Devonian1342 @Hji45519156 @waxliberty @SuperFoxyLoxy @JaapTitulaer @wjack76995 @Rocky35418823 @NobaconEgbert @balls95652097 @JustThi30117912 @BointonGiles @SeekerTheGreat1 @ubique60 @DaleGribble_666 1/12. by @ncdave4life(โœ๏ธ ๐Ÿ‡บ๐Ÿ‡ธ ๐Ÿ‡บ๐Ÿ‡ฆ Dave Burton) @Willard1951 @JimBlack48 @BlasphemousBan1 @S_Metzeler @Anvndarnamn5 @GAJAJW @RClausius42 @Data79504085 @BenKoby1911 @priscian @EthonRaptor @Michael_D_Crow @Mark_A_Lunn @NomadicQuantum @AristotleMrs @ScienceBlog3 @AuroriaEn @AndreGrossza @DenisDaly @Veritatem2021 @JusticeTrudeau @judgementalbe1 @ChrisBBacon3 @Coleski14 @wallytoms0 @Climatehope2 @LesserMegadeath @WernerReinhard5 @S_D_Mannix @ammocrypta @Jaisans @CarrudoDon @LiveLifeBK24 @TheDisproof @Joeyd87745119 @Devonian1342 @Hji45519156 @waxliberty @SuperFoxyLoxy @JaapTitulaer @wjack76995 @Rocky35418823 @NobaconEgbert @balls95652097 @JustThi30117912 @BointonGiles @SeekerTheGreat1 @ubique60 @DaleGribble_666 1/12. https://t.co/iJggf7m5xG Despite the benefits of elevated CO2, it's still possible to destroy agricultural productivity with bad governance, as Mao demonstrated 60+ years ago. https://t.co/irzifSao09 twitter-thread.com
Dutch farmers protest plan to curb nitrogen pollution Thousands of farmers were gathering in a village near the centre of the Netherlands on Wednesday to protest a government plan to curb nitrogen pollution, many travelling by tractor from all corners of the country and snarling traffic. reuters.com
Learn More About Climate Change - resources sealevel.info
The lunatics are running the academy sealevel.info

@rattibha - Rattibha ุฑุชุจู‡ุง

@ncdave4life @Willard1951 @JimBlack48 @BlasphemousBan1 @S_Metzeler @Anvndarnamn5 @GAJAJW @RClausius42 @Data79504085 @BenKoby1911 @priscian @EthonRaptor @Michael_D_Crow @Mark_A_Lunn @NomadicQuantum @AristotleMrs @ScienceBlog3 @AuroriaEn @AndreGrossza @DenisDaly @Veritatem2021 @JusticeTrudeau @judgementalbe1 @ChrisBBacon3 @Coleski14 @wallytoms0 @Climatehope2 @LesserMegadeath @WernerReinhard5 @S_D_Mannix @ammocrypta @Jaisans @CarrudoDon @LiveLifeBK24 @TheDisproof @Joeyd87745119 @Devonian1342 @Hji45519156 @waxliberty @SuperFoxyLoxy @JaapTitulaer @wjack76995 @Rocky35418823 @NobaconEgbert @balls95652097 @JustThi30117912 @BointonGiles @threadreaderapp @threaddotblue @ncdave4life Bonjour, We collected the Tweets. https://en.rattibha.com/thread/1719370209897685053 Good read? Share ๐Ÿ’š

@Willard1951 @JimBlack48 @BlasphemousBan1 @S_Metzeler @Anvndarnamn5 @GAJAJW @RClausius42 @Data79504085 @BenKoby1911 @priscian @EthonRaptor @Michael_D_ @Willard1951 @JimBlack48 @BlasphemousBan1 @S_Metzeler @Anvndarnamn5 @GAJAJW @RClausius42 @Data79504085 @BenKoby1911 @priscian @EthonRaptor @Michael_D_ en.rattibha.com

@ncdave4life - โœ๏ธ ๐Ÿ‡บ๐Ÿ‡ธ ๐Ÿ‡บ๐Ÿ‡ฆ Dave Burton

@EthonRaptor @Jaisans @atherton_chris @ItsTheAtmospher @Climatehope2 @WillWat6 @3GHtweets @TWTThisIsNow @DGinCheshire @BointonGiles @Mark_A_Lunn @AuroriaTwittori @RushhourP @MartinJBern @Willard1951 @Anvndarnamn5 @AristotleMrs @gstrandberg1 @Jakegsm @ammocrypta @EricWil06256732 @DTGvmd @wille99 @PaulDFarrar @TheDisproof @Veritatem2021 @Data79504085 @Hji45519156 @KCTaz @Valja46Zhark5 @paulp1232 @ShroedingerBird @J0aquIm_B4rb0s4 @Sky48115666 @0Sundance @BradPKeyes @DoesThisW0rk @FD2you @S_D_Mannix @glinch72 @JustThi30117912 @ChrisBBacon3 @B_Bolshevik100 @rosmadiwahab "The cause," eh? Too many so-called "climate scientists" put The Cause ahead of the science. https://twitter-thread.com/t/1670106954205675520 TCRE & RCB are homeopathic climatology: the claim that mere memory of a substance is all that is necessary for it to have its effect.

@EthonRaptor @ClimateOfGavin @NASAGoddard 1/6 Eli, please tell me that YOU do not think CO2 which was FORMERLY in the air STILL has a warming effect! by @ncdave4life(โœ๏ธ ๐Ÿ‡บ๐Ÿ‡ธ ๐Ÿ‡บ๐Ÿ‡ฆ Dave Burton) @EthonRaptor @ClimateOfGavin @NASAGoddard 1/6 Eli, please tell me that YOU do not think CO2 which was FORMERLY in the air STILL has a warming effect! I was SURE you are smarter than THAT! Any two steadily increasing quantities correlate nicely. That doesn't mean one causes the other, of course. https://t.co/wUW7xpFasT twitter-thread.com

@Willard1951 - James William Owens

@ncdave4life @JimBlack48 @BlasphemousBan1 @S_Metzeler @Anvndarnamn5 @GAJAJW @RClausius42 @Data79504085 @BenKoby1911 @priscian @EthonRaptor @Michael_D_Crow @Mark_A_Lunn @NomadicQuantum @AristotleMrs @ScienceBlog3 @AuroriaEn @AndreGrossza @DenisDaly @Veritatem2021 @JusticeTrudeau @judgementalbe1 @ChrisBBacon3 @Coleski14 @wallytoms0 @Climatehope2 @LesserMegadeath @WernerReinhard5 @S_D_Mannix @ammocrypta @Jaisans @CarrudoDon @LiveLifeBK24 @TheDisproof @Joeyd87745119 @Devonian1342 @Hji45519156 @waxliberty @SuperFoxyLoxy @JaapTitulaer @wjack76995 @Rocky35418823 @NobaconEgbert @balls95652097 @JustThi30117912 @BointonGiles @SeekerTheGreat1 @ubique60 @DaleGribble_666 Again, are the slopes of increasing yields similar or dissimilar, Dave? CO2 fertilization would โ€˜lift all boatsโ€™ leading to similar slopes Differences in implementing the Green Revolution would mean dissimilar slopes What does the data say??

@Willard1951 - James William Owens

@ncdave4life @JimBlack48 @BlasphemousBan1 @S_Metzeler @Anvndarnamn5 @GAJAJW @RClausius42 @Data79504085 @BenKoby1911 @priscian @EthonRaptor @Michael_D_Crow @Mark_A_Lunn @NomadicQuantum @AristotleMrs @ScienceBlog3 @AuroriaEn @AndreGrossza @DenisDaly @Veritatem2021 @JusticeTrudeau @judgementalbe1 @ChrisBBacon3 @Coleski14 @wallytoms0 @Climatehope2 @LesserMegadeath @WernerReinhard5 @S_D_Mannix @ammocrypta @Jaisans @CarrudoDon @LiveLifeBK24 @TheDisproof @Joeyd87745119 @Devonian1342 @Hji45519156 @waxliberty @SuperFoxyLoxy @JaapTitulaer @wjack76995 @Rocky35418823 @NobaconEgbert @balls95652097 @JustThi30117912 @BointonGiles @SeekerTheGreat1 @ubique60 @DaleGribble_666 Simply look at the data The Green Revolution has driven increased crop yields over the last 60 years, Dave CO2 fertilization is lost in the noise

@ncdave4life - โœ๏ธ ๐Ÿ‡บ๐Ÿ‡ธ ๐Ÿ‡บ๐Ÿ‡ฆ Dave Burton

1/7. The only trace on that graph which does not show large improvement in cereal yield per hectare is the trace for Niger. The graph ended with an anomalously bad crop year for cereals in Niger (2021). Fortunately, 2022 was much better; here's an article https://www.worldbank.org/en/news/press-release/2023/06/19/niger-strong-agricultural-season-boosts-economic-rebound-in-2022

Niger: Strong Agricultural Season Boosts Economic Rebound in 2022 Niger's economy recovered strongly in 2022 after two years of weak growth. This is primarily due to a good agricultural season, thanks to favorable rainfall and an expansion of irrigated land. However, there are uncertainties and risks that could affect future growth, such as the security situation and climatic shocks. These are the findings of the World Bankโ€™s latest economic update for Niger published today. worldbank.org

@ncdave4life - โœ๏ธ ๐Ÿ‡บ๐Ÿ‡ธ ๐Ÿ‡บ๐Ÿ‡ฆ Dave Burton

2/7. By displaying high productivity countries like the USA along with Niger, you forced OurWorldInData to scale the graphs so that it's hard to see the trend in Niger. But if you display Niger alone, as I've done here, you'll see that cereal yields declined there until about thirty years ago, but they've improved since then (except for 2021).

@ncdave4life - โœ๏ธ ๐Ÿ‡บ๐Ÿ‡ธ ๐Ÿ‡บ๐Ÿ‡ฆ Dave Burton

@Willard1951 @JimBlack48 @BlasphemousBan1 @S_Metzeler @Anvndarnamn5 @GAJAJW @RClausius42 @Data79504085 @BenKoby1911 @priscian @EthonRaptor @Michael_D_Crow @Mark_A_Lunn @NomadicQuantum @AristotleMrs @ScienceBlog3 @AuroriaEn @AndreGrossza @DenisDaly @Veritatem2021 @JusticeTrudeau @judgementalbe1 @ChrisBBacon3 @Coleski14 @wallytoms0 @Climatehope2 @LesserMegadeath @WernerReinhard5 @S_D_Mannix @ammocrypta @Jaisans @CarrudoDon @LiveLifeBK24 @TheDisproof @Joeyd87745119 @Devonian1342 @Hji45519156 @waxliberty @SuperFoxyLoxy @JaapTitulaer @wjack76995 @Rocky35418823 @NobaconEgbert @balls95652097 @JustThi30117912 @BointonGiles @SeekerTheGreat1 @ubique60 @DaleGribble_666 3/7. The other major staple crop in Niger is cassava. Its yields have improved considerably. https://sealevel.info/Niger_Cassava_yield_1961-2021_OourWorldInData.png

@ncdave4life - โœ๏ธ ๐Ÿ‡บ๐Ÿ‡ธ ๐Ÿ‡บ๐Ÿ‡ฆ Dave Burton

4/7. That's probably because cassava benefits tremendously from additional CO2, especially in the dry conditions which are prevalent in most of Niger. Here's a paper about it: https://www.tandfonline.com/doi/abs/10.1080/03650340.2018.1446523 Cruz et al 2018. Elevated CO2 reduces whole transpiration and substantially improves root production of cassava grown under water deficit. Archives of Agronomy and Soil Science 64: 1623-1634. doi:10.1080/03650340.2018.1446523

@ncdave4life - โœ๏ธ ๐Ÿ‡บ๐Ÿ‡ธ ๐Ÿ‡บ๐Ÿ‡ฆ Dave Burton

5/7. Most of Niger is desert or near-desert, which means most of its land is poorly suited for growing crops. Over the 60 year period shown, Niger's population increased by about 640%. As a result, the amount of land under cultivation drastically increased, resulting in more marginal land being put to the plow. That, of course, can be expected to lower the average cereal yield per hectare. Nevertheless, other than a bad year in 2021, yields there have been improving since the mid 1990s. https://sealevel.info/Niger_Cereal_production_1961-2021_OourWorldInData.png

@ncdave4life - โœ๏ธ ๐Ÿ‡บ๐Ÿ‡ธ ๐Ÿ‡บ๐Ÿ‡ฆ Dave Burton

6/7. That's probably because of the well-known fact that, in addition to improving production by CO2 fertilization, rising CO2 levels improve crops' water use efficiency and drought resilience. Here's a paper about wheat: https://onlinelibrary.wiley.com/doi/full/10.1111/gcb.13263 Fitzgerald GJ, et al. (2016) Elevated atmospheric [CO2] can dramatically increase wheat yields in semi-arid environments and buffer against heat waves. Glob Chang Biol. 22(6):2269-84. doi:10.1111/gcb.13263.

@ncdave4life - โœ๏ธ ๐Ÿ‡บ๐Ÿ‡ธ ๐Ÿ‡บ๐Ÿ‡ฆ Dave Burton

@Willard1951 @JimBlack48 @BlasphemousBan1 @S_Metzeler @Anvndarnamn5 @GAJAJW @RClausius42 @Data79504085 @BenKoby1911 @priscian @EthonRaptor @Michael_D_Crow @Mark_A_Lunn @NomadicQuantum @AristotleMrs @ScienceBlog3 @AuroriaEn @AndreGrossza @DenisDaly @Veritatem2021 @JusticeTrudeau @judgementalbe1 @ChrisBBacon3 @Coleski14 @wallytoms0 @Climatehope2 @LesserMegadeath @WernerReinhard5 @S_D_Mannix @ammocrypta @Jaisans @CarrudoDon @LiveLifeBK24 @TheDisproof @Joeyd87745119 @Devonian1342 @Hji45519156 @waxliberty @SuperFoxyLoxy @JaapTitulaer @wjack76995 @Rocky35418823 @NobaconEgbert @balls95652097 @JustThi30117912 @BointonGiles @SeekerTheGreat1 @ubique60 @DaleGribble_666 7/7. The science has been settled for over a century: elevated CO2 is tremendously beneficial for agriculture. The climate activists who refuse to acknowledge that established fact are science deniers. https://sealevel.info/learnmore.html?0=preciousairfertilizer#agriculture

Learn More About Climate Change - resources sealevel.info

@reSeeIt - reSee.it

@ncdave4life @Willard1951 @JimBlack48 @BlasphemousBan1 @S_Metzeler @Anvndarnamn5 @GAJAJW @RClausius42 @Data79504085 @BenKoby1911 @priscian @EthonRaptor @Michael_D_Crow @Mark_A_Lunn @NomadicQuantum @AristotleMrs @ScienceBlog3 @AuroriaEn @AndreGrossza @DenisDaly @Veritatem2021 @JusticeTrudeau @judgementalbe1 @ChrisBBacon3 @Coleski14 @wallytoms0 @Climatehope2 @LesserMegadeath @WernerReinhard5 @S_D_Mannix @ammocrypta @Jaisans @CarrudoDon @LiveLifeBK24 @TheDisproof @Joeyd87745119 @Devonian1342 @Hji45519156 @waxliberty @SuperFoxyLoxy @JaapTitulaer @wjack76995 @Rocky35418823 @NobaconEgbert @balls95652097 @JustThi30117912 @BointonGiles @threadreaderapp @rattibha Itโ€™s stored forever โ™พ๏ธ with reSeeIt thanks to IPFS ๐Ÿช and blockchain. @ncdave4life, check out the permanently stored blockchain record, find related posts, and read the AI summary by clicking here ๐Ÿ‘‡ https://resee.it/tweet/1720229686817485063

reSee.it #25644 - @ncdave4life PDF, screenshot, and permanently saved ๐• Conversation with @ncdave4life resee.it
Saved - November 3, 2023 at 12:07 AM
reSee.it AI Summary
The conversation discusses the impact of rising CO2 levels on agriculture. @ncdave4life argues that elevated CO2 benefits farming based on agronomy studies, while @Willard1951 emphasizes the role of implementing the Green Revolution. They debate the effects on crop yields and mention specific countries like Niger. @ncdave4life highlights the benefits of CO2 fertilization and improved water use efficiency. The conversation ends with @ncdave4life asserting that elevated CO2 is beneficial for agriculture, while climate activists are labeled as science deniers.

@ncdave4life - โœ๏ธ ๐Ÿ‡บ๐Ÿ‡ธ ๐Ÿ‡บ๐Ÿ‡ฆ Dave Burton

@JimBlack48 @BlasphemousBan1 @S_Metzeler @Anvndarnamn5 @GAJAJW @RClausius42 @Data79504085 @BenKoby1911 @priscian @EthonRaptor @Michael_D_Crow @Mark_A_Lunn @NomadicQuantum @AristotleMrs @ScienceBlog3 @AuroriaEn @AndreGrossza @Willard1951 @DenisDaly @Veritatem2021 @JusticeTrudeau @judgementalbe1 @ChrisBBacon3 @Coleski14 @wallytoms0 @Climatehope2 @LesserMegadeath @WernerReinhard5 @S_D_Mannix @ammocrypta @Jaisans @CarrudoDon @LiveLifeBK24 @TheDisproof @Joeyd87745119 @Devonian1342 @Hji45519156 @waxliberty @SuperFoxyLoxy @JaapTitulaer @wjack76995 @Rocky35418823 @NobaconEgbert @balls95652097 @JustThi30117912 @BointonGiles @SeekerTheGreat1 @ubique60 @DaleGribble_666 10/10. The reality is that most farmers are not idiots, and the higher CO2 levels go the more productive our farms will be. That's not speculation, that's the measured conclusion of thousands of rigorous agronomy studies. https://sealevel.info/negative_social_cost_of_carbon.html https://sealevel.info/negative_social_cost_of_carbon.html

Social cost of carbon is negative - scientific papers sealevel.info
Social cost of carbon is negative - scientific papers sealevel.info

@Willard1951 - James William Owens

@ncdave4life @JimBlack48 @BlasphemousBan1 @S_Metzeler @Anvndarnamn5 @GAJAJW @RClausius42 @Data79504085 @BenKoby1911 @priscian @EthonRaptor @Michael_D_Crow @Mark_A_Lunn @NomadicQuantum @AristotleMrs @ScienceBlog3 @AuroriaEn @AndreGrossza @DenisDaly @Veritatem2021 @JusticeTrudeau @judgementalbe1 @ChrisBBacon3 @Coleski14 @wallytoms0 @Climatehope2 @LesserMegadeath @WernerReinhard5 @S_D_Mannix @ammocrypta @Jaisans @CarrudoDon @LiveLifeBK24 @TheDisproof @Joeyd87745119 @Devonian1342 @Hji45519156 @waxliberty @SuperFoxyLoxy @JaapTitulaer @wjack76995 @Rocky35418823 @NobaconEgbert @balls95652097 @JustThi30117912 @BointonGiles @SeekerTheGreat1 @ubique60 @DaleGribble_666 The increase in food yields is farmers, industry & governments implementing and investing in the Green Revolution, Dave That will vary around the globe The increase in CO2 and CO2 fertilization should be everywhere Another figure

@ncdave4life - โœ๏ธ ๐Ÿ‡บ๐Ÿ‡ธ ๐Ÿ‡บ๐Ÿ‡ฆ Dave Burton

You're in denial of thousands of rigorous agronomy studies, over more than a century, which have measured the very large benefits of rising CO2 levels for agriculture. Of course, despite the benefits of elevated CO2, it's still possible to destroy agricultural productivity with bad governance. https://twitter-thread.com/t/1719372491536085167 Mao demonstrated that 60+ years ago, in pursuit of socialist utopia. Gotabaya Rajapaksa proved it again in Sri Lanka in 2021. Sri Lanka's humanitarian and economic disaster is the poison fruit of climate alarmism. Leftist politicians and climate activists are doing their best to lower crop yields, and return us to the days of mass famines. Most young people don't know much history, so they don't know what that's like. They're in for a very rude awakening, if the climate activists get their way. Compare: โ— Covid-19 has killed about 0.1% of world population, so far โ— The 1918 flu killed โ‰ˆ2% โ— WWII killed โ‰ˆ2.7% โ— But the global drought & famine of 1876-78 killed an estimated 3.7% of world population Dutch farmers are some of the most productive in the world, but their leftist, climate-conscious government is doing their best to end that: https://reuters.com/business/environment/dutch-farmers-protest-plan-curb-nitrogen-pollution-2022-06-22/ So is Baby Trudeau's leftist, climate-conscious government in Canada: https://agweb.com/news/policy/politics/new-policy-forces-canadian-producers-cut-back-fertilizer The Left and the Climate Industry are at war against agriculture, and against against humanity https://sealevel.info/learnmore.html?0=famine#famine In fact, the Climate Industry is ultimately at war against science itself. The IPCC's 2022 AR6 Report explicitly promotes homeopathic climatology (TCRE/RCB), which is just as unscientific as it sounds. Eli Rabett @EthonRaptor won't answer the question; so how about you, Willard? Do you agree with AR6 that CO2 which was FORMERLY in the air STILL has a warming effect? Or do you reject the IPCC's unscientific homeopathic climatology? Climate activists are like modern Lysenkoists, pretending to be scientific, while shredding real science. Or are you going to pretend there's anything scientific about GISS "climate scientist" @DrKateMarvel Kate Marvel's "intersectional science"? https://sealevel.info/intersectional_blah_blah_blah.html

@Willard1951 @JimBlack48 @BlasphemousBan1 @S_Metzeler @Anvndarnamn5 @GAJAJW @RClausius42 @Data79504085 @BenKoby1911 @priscian @EthonRaptor @Michael_D_Crow @Mark_A_Lunn @NomadicQuantum @AristotleMrs @ScienceBlog3 @AuroriaEn @AndreGrossza @DenisDaly @Veritatem2021 @JusticeTrudeau @judgementalbe1 @ChrisBBacon3 @Coleski14 @wallytoms0 @Climatehope2 @LesserMegadeath @WernerReinhard5 @S_D_Mannix @ammocrypta @Jaisans @CarrudoDon @LiveLifeBK24 @TheDisproof @Joeyd87745119 @Devonian1342 @Hji45519156 @waxliberty @SuperFoxyLoxy @JaapTitulaer @wjack76995 @Rocky35418823 @NobaconEgbert @balls95652097 @JustThi30117912 @BointonGiles @SeekerTheGreat1 @ubique60 @DaleGribble_666 1/12. by @ncdave4life(โœ๏ธ ๐Ÿ‡บ๐Ÿ‡ธ ๐Ÿ‡บ๐Ÿ‡ฆ Dave Burton) @Willard1951 @JimBlack48 @BlasphemousBan1 @S_Metzeler @Anvndarnamn5 @GAJAJW @RClausius42 @Data79504085 @BenKoby1911 @priscian @EthonRaptor @Michael_D_Crow @Mark_A_Lunn @NomadicQuantum @AristotleMrs @ScienceBlog3 @AuroriaEn @AndreGrossza @DenisDaly @Veritatem2021 @JusticeTrudeau @judgementalbe1 @ChrisBBacon3 @Coleski14 @wallytoms0 @Climatehope2 @LesserMegadeath @WernerReinhard5 @S_D_Mannix @ammocrypta @Jaisans @CarrudoDon @LiveLifeBK24 @TheDisproof @Joeyd87745119 @Devonian1342 @Hji45519156 @waxliberty @SuperFoxyLoxy @JaapTitulaer @wjack76995 @Rocky35418823 @NobaconEgbert @balls95652097 @JustThi30117912 @BointonGiles @SeekerTheGreat1 @ubique60 @DaleGribble_666 1/12. https://t.co/iJggf7m5xG Despite the benefits of elevated CO2, it's still possible to destroy agricultural productivity with bad governance, as Mao demonstrated 60+ years ago. https://t.co/irzifSao09 twitter-thread.com
Dutch farmers protest plan to curb nitrogen pollution Thousands of farmers were gathering in a village near the centre of the Netherlands on Wednesday to protest a government plan to curb nitrogen pollution, many travelling by tractor from all corners of the country and snarling traffic. reuters.com
Learn More About Climate Change - resources sealevel.info
The lunatics are running the academy sealevel.info

@rattibha - Rattibha ุฑุชุจู‡ุง

@ncdave4life @Willard1951 @JimBlack48 @BlasphemousBan1 @S_Metzeler @Anvndarnamn5 @GAJAJW @RClausius42 @Data79504085 @BenKoby1911 @priscian @EthonRaptor @Michael_D_Crow @Mark_A_Lunn @NomadicQuantum @AristotleMrs @ScienceBlog3 @AuroriaEn @AndreGrossza @DenisDaly @Veritatem2021 @JusticeTrudeau @judgementalbe1 @ChrisBBacon3 @Coleski14 @wallytoms0 @Climatehope2 @LesserMegadeath @WernerReinhard5 @S_D_Mannix @ammocrypta @Jaisans @CarrudoDon @LiveLifeBK24 @TheDisproof @Joeyd87745119 @Devonian1342 @Hji45519156 @waxliberty @SuperFoxyLoxy @JaapTitulaer @wjack76995 @Rocky35418823 @NobaconEgbert @balls95652097 @JustThi30117912 @BointonGiles @threadreaderapp @threaddotblue @ncdave4life Bonjour, We collected the Tweets. https://en.rattibha.com/thread/1719370209897685053 Good read? Share ๐Ÿ’š

@Willard1951 @JimBlack48 @BlasphemousBan1 @S_Metzeler @Anvndarnamn5 @GAJAJW @RClausius42 @Data79504085 @BenKoby1911 @priscian @EthonRaptor @Michael_D_ @Willard1951 @JimBlack48 @BlasphemousBan1 @S_Metzeler @Anvndarnamn5 @GAJAJW @RClausius42 @Data79504085 @BenKoby1911 @priscian @EthonRaptor @Michael_D_ en.rattibha.com

@ncdave4life - โœ๏ธ ๐Ÿ‡บ๐Ÿ‡ธ ๐Ÿ‡บ๐Ÿ‡ฆ Dave Burton

@EthonRaptor @Jaisans @atherton_chris @ItsTheAtmospher @Climatehope2 @WillWat6 @3GHtweets @TWTThisIsNow @DGinCheshire @BointonGiles @Mark_A_Lunn @AuroriaTwittori @RushhourP @MartinJBern @Willard1951 @Anvndarnamn5 @AristotleMrs @gstrandberg1 @Jakegsm @ammocrypta @EricWil06256732 @DTGvmd @wille99 @PaulDFarrar @TheDisproof @Veritatem2021 @Data79504085 @Hji45519156 @KCTaz @Valja46Zhark5 @paulp1232 @ShroedingerBird @J0aquIm_B4rb0s4 @Sky48115666 @0Sundance @BradPKeyes @DoesThisW0rk @FD2you @S_D_Mannix @glinch72 @JustThi30117912 @ChrisBBacon3 @B_Bolshevik100 @rosmadiwahab "The cause," eh? Too many so-called "climate scientists" put The Cause ahead of the science. https://twitter-thread.com/t/1670106954205675520 TCRE & RCB are homeopathic climatology: the claim that mere memory of a substance is all that is necessary for it to have its effect.

@EthonRaptor @ClimateOfGavin @NASAGoddard 1/6 Eli, please tell me that YOU do not think CO2 which was FORMERLY in the air STILL has a warming effect! by @ncdave4life(โœ๏ธ ๐Ÿ‡บ๐Ÿ‡ธ ๐Ÿ‡บ๐Ÿ‡ฆ Dave Burton) @EthonRaptor @ClimateOfGavin @NASAGoddard 1/6 Eli, please tell me that YOU do not think CO2 which was FORMERLY in the air STILL has a warming effect! I was SURE you are smarter than THAT! Any two steadily increasing quantities correlate nicely. That doesn't mean one causes the other, of course. https://t.co/wUW7xpFasT twitter-thread.com

@Willard1951 - James William Owens

@ncdave4life @JimBlack48 @BlasphemousBan1 @S_Metzeler @Anvndarnamn5 @GAJAJW @RClausius42 @Data79504085 @BenKoby1911 @priscian @EthonRaptor @Michael_D_Crow @Mark_A_Lunn @NomadicQuantum @AristotleMrs @ScienceBlog3 @AuroriaEn @AndreGrossza @DenisDaly @Veritatem2021 @JusticeTrudeau @judgementalbe1 @ChrisBBacon3 @Coleski14 @wallytoms0 @Climatehope2 @LesserMegadeath @WernerReinhard5 @S_D_Mannix @ammocrypta @Jaisans @CarrudoDon @LiveLifeBK24 @TheDisproof @Joeyd87745119 @Devonian1342 @Hji45519156 @waxliberty @SuperFoxyLoxy @JaapTitulaer @wjack76995 @Rocky35418823 @NobaconEgbert @balls95652097 @JustThi30117912 @BointonGiles @SeekerTheGreat1 @ubique60 @DaleGribble_666 Again, are the slopes of increasing yields similar or dissimilar, Dave? CO2 fertilization would โ€˜lift all boatsโ€™ leading to similar slopes Differences in implementing the Green Revolution would mean dissimilar slopes What does the data say??

@Willard1951 - James William Owens

@ncdave4life @JimBlack48 @BlasphemousBan1 @S_Metzeler @Anvndarnamn5 @GAJAJW @RClausius42 @Data79504085 @BenKoby1911 @priscian @EthonRaptor @Michael_D_Crow @Mark_A_Lunn @NomadicQuantum @AristotleMrs @ScienceBlog3 @AuroriaEn @AndreGrossza @DenisDaly @Veritatem2021 @JusticeTrudeau @judgementalbe1 @ChrisBBacon3 @Coleski14 @wallytoms0 @Climatehope2 @LesserMegadeath @WernerReinhard5 @S_D_Mannix @ammocrypta @Jaisans @CarrudoDon @LiveLifeBK24 @TheDisproof @Joeyd87745119 @Devonian1342 @Hji45519156 @waxliberty @SuperFoxyLoxy @JaapTitulaer @wjack76995 @Rocky35418823 @NobaconEgbert @balls95652097 @JustThi30117912 @BointonGiles @SeekerTheGreat1 @ubique60 @DaleGribble_666 Simply look at the data The Green Revolution has driven increased crop yields over the last 60 years, Dave CO2 fertilization is lost in the noise

@ncdave4life - โœ๏ธ ๐Ÿ‡บ๐Ÿ‡ธ ๐Ÿ‡บ๐Ÿ‡ฆ Dave Burton

1/7. The only trace on that graph which does not show large improvement in cereal yield per hectare is the trace for Niger. The graph ended with an anomalously bad crop year for cereals in Niger (2021). Fortunately, 2022 was much better; here's an article https://www.worldbank.org/en/news/press-release/2023/06/19/niger-strong-agricultural-season-boosts-economic-rebound-in-2022

Niger: Strong Agricultural Season Boosts Economic Rebound in 2022 Niger's economy recovered strongly in 2022 after two years of weak growth. This is primarily due to a good agricultural season, thanks to favorable rainfall and an expansion of irrigated land. However, there are uncertainties and risks that could affect future growth, such as the security situation and climatic shocks. These are the findings of the World Bankโ€™s latest economic update for Niger published today. worldbank.org

@ncdave4life - โœ๏ธ ๐Ÿ‡บ๐Ÿ‡ธ ๐Ÿ‡บ๐Ÿ‡ฆ Dave Burton

2/7. By displaying high productivity countries like the USA along with Niger, you forced OurWorldInData to scale the graphs so that it's hard to see the trend in Niger. But if you display Niger alone, as I've done here, you'll see that cereal yields declined there until about thirty years ago, but they've improved since then (except for 2021).

@ncdave4life - โœ๏ธ ๐Ÿ‡บ๐Ÿ‡ธ ๐Ÿ‡บ๐Ÿ‡ฆ Dave Burton

@Willard1951 @JimBlack48 @BlasphemousBan1 @S_Metzeler @Anvndarnamn5 @GAJAJW @RClausius42 @Data79504085 @BenKoby1911 @priscian @EthonRaptor @Michael_D_Crow @Mark_A_Lunn @NomadicQuantum @AristotleMrs @ScienceBlog3 @AuroriaEn @AndreGrossza @DenisDaly @Veritatem2021 @JusticeTrudeau @judgementalbe1 @ChrisBBacon3 @Coleski14 @wallytoms0 @Climatehope2 @LesserMegadeath @WernerReinhard5 @S_D_Mannix @ammocrypta @Jaisans @CarrudoDon @LiveLifeBK24 @TheDisproof @Joeyd87745119 @Devonian1342 @Hji45519156 @waxliberty @SuperFoxyLoxy @JaapTitulaer @wjack76995 @Rocky35418823 @NobaconEgbert @balls95652097 @JustThi30117912 @BointonGiles @SeekerTheGreat1 @ubique60 @DaleGribble_666 3/7. The other major staple crop in Niger is cassava. Its yields have improved considerably. https://sealevel.info/Niger_Cassava_yield_1961-2021_OourWorldInData.png

@ncdave4life - โœ๏ธ ๐Ÿ‡บ๐Ÿ‡ธ ๐Ÿ‡บ๐Ÿ‡ฆ Dave Burton

4/7. That's probably because cassava benefits tremendously from additional CO2, especially in the dry conditions which are prevalent in most of Niger. Here's a paper about it: https://www.tandfonline.com/doi/abs/10.1080/03650340.2018.1446523 Cruz et al 2018. Elevated CO2 reduces whole transpiration and substantially improves root production of cassava grown under water deficit. Archives of Agronomy and Soil Science 64: 1623-1634. doi:10.1080/03650340.2018.1446523

@ncdave4life - โœ๏ธ ๐Ÿ‡บ๐Ÿ‡ธ ๐Ÿ‡บ๐Ÿ‡ฆ Dave Burton

5/7. Most of Niger is desert or near-desert, which means most of its land is poorly suited for growing crops. Over the 60 year period shown, Niger's population increased by about 640%. As a result, the amount of land under cultivation drastically increased, resulting in more marginal land being put to the plow. That, of course, can be expected to lower the average cereal yield per hectare. Nevertheless, other than a bad year in 2021, yields there have been improving since the mid 1990s. https://sealevel.info/Niger_Cereal_production_1961-2021_OourWorldInData.png

@ncdave4life - โœ๏ธ ๐Ÿ‡บ๐Ÿ‡ธ ๐Ÿ‡บ๐Ÿ‡ฆ Dave Burton

6/7. That's probably because of the well-known fact that, in addition to improving production by CO2 fertilization, rising CO2 levels improve crops' water use efficiency and drought resilience. Here's a paper about wheat: https://onlinelibrary.wiley.com/doi/full/10.1111/gcb.13263 Fitzgerald GJ, et al. (2016) Elevated atmospheric [CO2] can dramatically increase wheat yields in semi-arid environments and buffer against heat waves. Glob Chang Biol. 22(6):2269-84. doi:10.1111/gcb.13263.

@ncdave4life - โœ๏ธ ๐Ÿ‡บ๐Ÿ‡ธ ๐Ÿ‡บ๐Ÿ‡ฆ Dave Burton

@Willard1951 @JimBlack48 @BlasphemousBan1 @S_Metzeler @Anvndarnamn5 @GAJAJW @RClausius42 @Data79504085 @BenKoby1911 @priscian @EthonRaptor @Michael_D_Crow @Mark_A_Lunn @NomadicQuantum @AristotleMrs @ScienceBlog3 @AuroriaEn @AndreGrossza @DenisDaly @Veritatem2021 @JusticeTrudeau @judgementalbe1 @ChrisBBacon3 @Coleski14 @wallytoms0 @Climatehope2 @LesserMegadeath @WernerReinhard5 @S_D_Mannix @ammocrypta @Jaisans @CarrudoDon @LiveLifeBK24 @TheDisproof @Joeyd87745119 @Devonian1342 @Hji45519156 @waxliberty @SuperFoxyLoxy @JaapTitulaer @wjack76995 @Rocky35418823 @NobaconEgbert @balls95652097 @JustThi30117912 @BointonGiles @SeekerTheGreat1 @ubique60 @DaleGribble_666 7/7. The science has been settled for over a century: elevated CO2 is tremendously beneficial for agriculture. The climate activists who refuse to acknowledge that established fact are science deniers. https://sealevel.info/learnmore.html?0=preciousairfertilizer#agriculture

Learn More About Climate Change - resources sealevel.info
Saved - October 30, 2023 at 5:07 PM
reSee.it AI Summary
The conversation revolves around the contribution of methane (CH4) to radiative forcing and climate change. @Willard1951 and @ncdave4life debate the percentage of CH4's impact, with @Willard1951 claiming it to be around 18% and @ncdave4life stating it is only 8.6%. @Daniel_Marbella emphasizes the significance of CO2 as the main greenhouse gas. The conversation also touches on historical climate trends and the impact of air pollution.

@Willard1951 - James William Owens

@ncdave4life @ProfMarkMaslin @COP28_UAE So after a number of tweets Dave has arrived at my original estimate back on Oct 24th and basically agreed with me Why so much effort spent on something so simple?

@Willard1951 - James William Owens

@ncdave4life @GAJAJW @EthonRaptor @Michael_D_Crow @ScienceBlog3 @AuroriaEn @Anvndarnamn5 @AndreGrossza @DenisDaly @S_Metzeler @Veritatem2021 @priscian @JusticeTrudeau @BenKoby1911 @Mark_A_Lunn @judgementalbe1 @AristotleMrs @ChrisBBacon3 @Coleski14 @wallytoms0 @Climatehope2 @LesserMegadeath @WernerReinhard5 @S_D_Mannix @ammocrypta @JimBlack48 @Jaisans @CarrudoDon @LiveLifeBK24 @TheDisproof @Joeyd87745119 @Devonian1342 @Data79504085 @Hji45519156 @waxliberty @SuperFoxyLoxy @JaapTitulaer @wjack76995 @Rocky35418823 @NobaconEgbert @balls95652097 @JustThi30117912 @SniemN @BointonGiles @SeekerTheGreat1 @ubique60 Think a second, Dave In 2022, total anthropogenic radiative forcing ~3.4 W/m^2 A basic estimate Methane contributed ~0.62 W/m^2 So methane contributes about 18% That's not trivial

@ncdave4life - โœ๏ธ ๐Ÿ‡บ๐Ÿ‡ธ ๐Ÿ‡บ๐Ÿ‡ฆ Dave Burton

I'm glad you finally understand that, according to NOAA's AGGI chart, over the last 1/3 century CH4 has accounted for just 8.6% of the radiative forcing increase from anthropogenic GHGs. I'm a bit worried about your failing memory, though. They say the mind is the second thing to go. https://sealevel.info/aggi_percentage_forcing_attribution_per_GHG_2022_annot1.png

@Willard1951 - James William Owens

@ncdave4life @ProfMarkMaslin @COP28_UAE I noted 6 days ago that the annual radiative forcing of methane was ~18% based on a quick look at the NOAA AGGI chart, Dave After showing you the AMS SoC tables, you now agree Yet, you still flounder and try to cover up your mistakes Why Dave?

@Willard1951 - James William Owens

@ncdave4life @ProfMarkMaslin @COP28_UAE Yes, the AMS SoC 2022 table was somewhat simpler with fewer minor GHGs With radiative forcing for 2022 in column #6 CO2 again row 1 = 2.3 W/m^2 CH4 row 2 = 0.56 W/m^2 About the same 4:1 ratio, as I've noted again & again

@Daniel_Marbella - Daniel

@Willard1951 @ncdave4life @ProfMarkMaslin James, if you read carefully, he claims about last 1/3 century, not since pre industrial times. After 1992 CH4 slope curves, adding just around 0,2 W/m^2 of radiative forcing in 30 years (0,0066 W/m^2/year). In fact, the effect of CH4 is truly magnified.

@Willard1951 - James William Owens

@Daniel_Marbella @ncdave4life @ProfMarkMaslin Dave is floundering, Dan Methane constitutes a significant human GHG emission and thus a significant contributor to the current warming of Earth's climate system

@Daniel_Marbella - Daniel

@Willard1951 @ncdave4life @ProfMarkMaslin According to modern evidence, CH4 only contributed about 0,6 W/m^2 since it was half nowaday concentration. And barely 0,7W/m^2 when doubled. The big factor as GHG is CO2.

@Willard1951 - James William Owens

@Daniel_Marbella @ncdave4life @ProfMarkMaslin As we noted in the thread on current contributions to radiative forcing CO2 ~65% CH4 ~18% And remember, CH4 has resumed its rise

@ncdave4life - โœ๏ธ ๐Ÿ‡บ๐Ÿ‡ธ ๐Ÿ‡บ๐Ÿ‡ฆ Dave Burton

1/4. We've been over this, Willard. According to NOAA's AGGI chart, over the last 1/3 century CH4 has accounted for just 8.6% of the radiative forcing increase from anthropogenic GHGs. Not 18% or 25%. That's about 1/10แต—สฐ of the contribution which we get from the ongoing rise in CO2. If that tiny contribution to modest and benign warming worries you, perhaps counseling would help.

@ncdave4life - โœ๏ธ ๐Ÿ‡บ๐Ÿ‡ธ ๐Ÿ‡บ๐Ÿ‡ฆ Dave Burton

@Willard1951 @ProfMarkMaslin @COP28_UAE Willard wrote, "CH4 increase is now returned to the higher rate" False. CH4 is rising nowhere near the higher rate of the 1960s and 1970s. Why do make guesses like that, and assert them as facts, without bothering to do the arithmetic to check them? The arithmetic is prettyโ€ฆ

@ncdave4life - โœ๏ธ ๐Ÿ‡บ๐Ÿ‡ธ ๐Ÿ‡บ๐Ÿ‡ฆ Dave Burton

2/4. Here's the CH4 graph: https://sealevel.info/CH4.html https://sealevel.info/CH4_2012-2022_10.55_ppbv_per_yr.png Despite the modest uptick in CH4 level over the last 15 years, the rate of rise in CH4's radiative forcing is still much slower than it was 50-60 years ago. In the 1960s and 1970s the CH4 level rose relatively fast, and consequently CH4 was a larger contributor to radiative forcing increase.

CH4 since 1840 sealevel.info

@ncdave4life - โœ๏ธ ๐Ÿ‡บ๐Ÿ‡ธ ๐Ÿ‡บ๐Ÿ‡ฆ Dave Burton

3/4. The relatively sharp rise in CH4 level in the 1960s & 1970s was insufficient to reverse the worrisome 1950s-70s cooling trend. Here's a clip from CBS TV, in which Walter Cronkite, The Most Trusted Man in Americaโ„ข, reporting: https://www.youtube.com/watch?v=H4JX1S9YZBo Hubert Lamb (source for that CBS story) was the founding director of the UEA Climate Research Unit. Here's a 1974 CIA report, based on the best current science, about the worrisome cooling trend: climatemonitor.it/wp-content/uplโ€ฆ Here's an excerpt, from the Summary: "The western world's leading climatologists have confirmed recent reports of a detrimental global climatic changeโ€ฆ during 50 of the last 60 years the Earth has, on the average, enjoyed the best agricultural climate since the eleventh centuryโ€ฆ The world is returning to the type of climate which has existed over the last 400 years. That is, the abnormal climate of agricultural-optimum is being replaced by a normal climate of the neo-boreal era. The climate change began in 1960โ€ฆ" The grim climate to which we were thought to be returning was the Little Ice Age. "Boreal" means cold: boreal. adj. Relating to or characteristic of the climatic zone south of the Arctic, especially the cold temperate region dominated by taiga and forests of birch, poplar, and conifersโ€ฆ โ€โ€โ€โ€โ€โ€ โ€โ€ The global cooling scare was one of the main reasons for the shiny new anti-air-pollution laws governing power plants, in the 1970s. The other main reason was "acid rain." (Note: Unlike "acidified" oceans, which are actually alkaline, acid rain really is acidic.)

@ncdave4life - โœ๏ธ ๐Ÿ‡บ๐Ÿ‡ธ ๐Ÿ‡บ๐Ÿ‡ฆ Dave Burton

4/4. But, Willard, you said "current warming." The CH4 rise 50-60 years ago is irrelevant to that. 1. The main anthropogenic factors affecting it are CO2 & air pollution abatement. 2. The main natural factors are probably Hunga Tonga (1/2022) & El Niรฑo. https://t.co/LDKUWm76lJ

@ncdave4life - โœ๏ธ ๐Ÿ‡บ๐Ÿ‡ธ ๐Ÿ‡บ๐Ÿ‡ฆ Dave Burton

@Veritatem2021 @annmclan @FD2you @DawnTJ90 @BradPKeyes @Callan23474387 @Mark_A_Lunn @KCTaz @AristotleMrs @0Sundance @TheDisproof @BointonGiles @DoesThisW0rk @3GHtweets @Climatehope2 @Jaisans @S_D_Mannix @TWTThisIsNow @JustThi30117912 @paulp1232 @MartinJBern @Willard1951 @Data79504085 @ShroedingerBird @ammocrypta @ChrisBBacon3 @EthonRaptor @B_Bolshevik100 @rosmadiwahab @Robert76907841 @Anvndarnamn5 @EricWil06256732 @ProfMickWilson @FillmoreWhite @TommyLambertOKC @JohnDublin10 @NoTricksZone @RoelofBoer @DawnJT90 @DawnTj9 @PeterDClack @FriendsOScience @Kenneth72712993 @wattsupwiththat @AlexEpstein 2/2. As for the ยฝ degree spike in 2023, it is good news, because it means the new air pollution controls on ships are working (though Hunga Tonga and the new El Niรฑo also contributed). https://t.co/OoRnzngP0k

Saved - October 28, 2023 at 6:37 PM
reSee.it AI Summary
The IPCC, the leading organization behind the "climate emergency" campaign, faces credibility issues. Their recent AR6 Report promotes pseudoscience, rejecting real science. Concepts like TCRE and RCB are akin to homeopathy, believing in the memory of CO2's effect. However, only GHGs in the air have a warming effect. CO2 emissions have proven to be beneficial, not harmful. Claims of major harms are hypothetical and implausible. The evidence shows that extreme weather, such as hurricanes and droughts, is not worsening. The Earth's temperature has only risen by about 1.0 to 1.3ยฐC since the Little Ice Age, which is a negligible change. The climate industry's alarmism seems driven by emotional needs and financial interests rather than genuine concern for the planet.

@ncdave4life - โœ๏ธ ๐Ÿ‡บ๐Ÿ‡ธ ๐Ÿ‡บ๐Ÿ‡ฆ Dave Burton

1/25. The leading organization promoting the Climate Industry's "climate emergency" PR campaign is the IPCC. It has severe credibility issues. Investigative journalist Donna Laframboise explains some of them in this lecture about the IPCC's 2007 AR4 Report: https://youtube.com/watch?v=InIQkyKYfv4โ€ฆ (It's 31 minutes but she speaks very clearly, so she's perfectly understandable at 2x speed.) https://sealevel.info/glossary.html#ar4โ€ฆ (Caveat: I've been an IPCC Expert Reviewer on a couple of their assessment reports.)

@ncdave4life - โœ๏ธ ๐Ÿ‡บ๐Ÿ‡ธ ๐Ÿ‡บ๐Ÿ‡ฆ Dave Burton

2/25. It's only gotten worse since then. The IPCC's 2022 AR6 Report explicitly promotes what I call "homeopathic climatology" (TCRE/RCB), which represents an overt rejection of science.

@ncdave4life - โœ๏ธ ๐Ÿ‡บ๐Ÿ‡ธ ๐Ÿ‡บ๐Ÿ‡ฆ Dave Burton

@EthonRaptor @Jaisans @atherton_chris @ItsTheAtmospher @Climatehope2 @WillWat6 @3GHtweets @TWTThisIsNow @DGinCheshire @BointonGiles @Mark_A_Lunn @AuroriaTwittori @RushhourP @MartinJBern @Willard1951 @Anvndarnamn5 @AristotleMrs @gstrandberg1 @Jakegsm @ammocrypta @EricWil06256732 @DTGvmd @wille99 @PaulDFarrar @TheDisproof @Veritatem2021 @Data79504085 @Hji45519156 @KCTaz @Valja46Zhark5 @paulp1232 @ShroedingerBird @J0aquIm_B4rb0s4 @Sky48115666 @0Sundance @BradPKeyes @DoesThisW0rk @FD2you @S_D_Mannix @glinch72 @JustThi30117912 @ChrisBBacon3 @B_Bolshevik100 @rosmadiwahab "The cause," eh? Too many so-called "climate scientists" put The Cause ahead of the science. https://twitter-thread.com/t/1670106954205675520 TCRE & RCB are homeopathic climatology: the claim that mere memory of a substance is all that is necessary for it to have its effect.

@EthonRaptor @ClimateOfGavin @NASAGoddard 1/6 Eli, please tell me that YOU do not think CO2 which was FORMERLY in the air STILL has a warming effect! by @ncdave4life(โœ๏ธ ๐Ÿ‡บ๐Ÿ‡ธ ๐Ÿ‡บ๐Ÿ‡ฆ Dave Burton) @EthonRaptor @ClimateOfGavin @NASAGoddard 1/6 Eli, please tell me that YOU do not think CO2 which was FORMERLY in the air STILL has a warming effect! I was SURE you are smarter than THAT! Any two steadily increasing quantities correlate nicely. That doesn't mean one causes the other, of course. https://t.co/wUW7xpFasT twitter-thread.com

@ncdave4life - โœ๏ธ ๐Ÿ‡บ๐Ÿ‡ธ ๐Ÿ‡บ๐Ÿ‡ฆ Dave Burton

3/25. The TCRE ("Transient Climate Response to cumulative CO2 Emissions") and RCB ("Remaining Carbon Budget") concepts are homeopathy applied to climatology: the belief that the mere memory of a substance is all that's necessary for it to have its effect.

@ncdave4life - โœ๏ธ ๐Ÿ‡บ๐Ÿ‡ธ ๐Ÿ‡บ๐Ÿ‡ฆ Dave Burton

@JKSteinberger 2/11ใ€You can read about TCRE in AR6 WG1 5.5, TS.3.2.1, 1.6.3, etc. It's a completely nonsensical concept, based on the premise that, not merely does CO2 still in the air have a warming effect, but that the mere MEMORY by Gaia, of CO2 which WAS ONCE in the air, ALSO does!

@ncdave4life - โœ๏ธ ๐Ÿ‡บ๐Ÿ‡ธ ๐Ÿ‡บ๐Ÿ‡ฆ Dave Burton

4/25. It's as if they think The Ghost of CO2 Past haunts the atmosphere, continuing to warm the Earth long after the CO2 has been removed from the air and sequestered in other carbon reservoirs. https://fineartamerica.com/featured/the-ghost-of-christmas-past-dave-rheaume.html (Art by Dave Rheaume @DaveRheaume)

The Ghost of Christmas Past by Dave Rheaume The Ghost of Christmas Past is a painting by Dave Rheaume which was uploaded on December 1st, 2013. The painting may be purchased as wall art, home decor, apparel, phone cases, greeting cards, and more. All products are produced on-demand and shipped worldwide within 2 - 3 business days. fineartamerica.com

@ncdave4life - โœ๏ธ ๐Ÿ‡บ๐Ÿ‡ธ ๐Ÿ‡บ๐Ÿ‡ฆ Dave Burton

5/25. Of course, only GHGs still in the air actually have a warming effect. So a scientist who valued real science more than the IPCC's political agenda would denounce that TCRE & RCB pseudoscience. But I know of no climate alarmists who've done so. https://sealevel.info/learnmore.html?0=debates#debates https://sealevel.info/learnmore.html?0=debates#debates

Learn More About Climate Change - resources sealevel.info
Learn More About Climate Change - resources sealevel.info

@ncdave4life - โœ๏ธ ๐Ÿ‡บ๐Ÿ‡ธ ๐Ÿ‡บ๐Ÿ‡ฆ Dave Burton

6/25. The evidence is compelling that CO2 emissions are beneficial, not harmful. Here are some relevant papers about it: https://sealevel.info/negative_social_cost_of_carbon.html https://sealevel.info/negative_social_cost_of_carbon.html

Social cost of carbon is negative - scientific papers sealevel.info
Social cost of carbon is negative - scientific papers sealevel.info

@ncdave4life - โœ๏ธ ๐Ÿ‡บ๐Ÿ‡ธ ๐Ÿ‡บ๐Ÿ‡ฆ Dave Burton

@DaveRheaume 7/25. You can learn much more about CO2 and it's effects, from a very fine scientific organization called The CO2 Coalition @CO2Coalition. I'm honored to be a Member. This is their website: https://co2coalition.org/

Home - CO2 Coalition co2coalition.org

@GWrightstone - Gregory Wrightstone

CO2 Coalition Announces Election of Nobel Laureate Dr. John Clauser to its Board of Directors. According to Clauser: "In my opinion, there is no real climate crisis" @JunkScience @EcoSenseNow @gwtomb @VijayJayaraj_CC

@ncdave4life - โœ๏ธ ๐Ÿ‡บ๐Ÿ‡ธ ๐Ÿ‡บ๐Ÿ‡ฆ Dave Burton

@DaveRheaume @CO2Coalition 8/25. The supposed major harms from CO2 emissions are all merely hypothetical, and mostly implausible. None of them are actually happening. For instance, the coral of the Great Barrier Reef are doing fine: https://www.thegwpf.com/peter-ridd-record-coral-cover-of-great-barrier-reef-refutes-climate-alarmists/ https://www.thegwpf.com/peter-ridd-record-coral-cover-of-great-barrier-reef-refutes-climate-alarmists/

Page Not Found - Net Zero Watch netzerowatch.com
Page Not Found - Net Zero Watch netzerowatch.com

@ncdave4life - โœ๏ธ ๐Ÿ‡บ๐Ÿ‡ธ ๐Ÿ‡บ๐Ÿ‡ฆ Dave Burton

@DaveRheaume @CO2Coalition 9/25. "Extreme weather" is not getting worse. Hurricanes, tornadoes, nor'easters &droughts, are not worsening. In fact, tornadoes & droughts have become much less destructive. Here're the facts on hurricanes, from an expert: https://rogerpielkejr.substack.com/p/2023-update-what-the-media-wont-tell

2023 Edition: What the media won't tell you about . . . hurricanes The science and data reporters refuse to report rogerpielkejr.substack.com

@ncdave4life - โœ๏ธ ๐Ÿ‡บ๐Ÿ‡ธ ๐Ÿ‡บ๐Ÿ‡ฆ Dave Burton

1/17ใ€‹Climate change is not making hurricanes more destructive. https://sealevel.info/learnmore.html?0=hurricanes#hurricanes

Learn More About Climate Change - resources sealevel.info

@ncdave4life - โœ๏ธ ๐Ÿ‡บ๐Ÿ‡ธ ๐Ÿ‡บ๐Ÿ‡ฆ Dave Burton

@DaveRheaume @CO2Coalition 10/25. Droughts have showed a slight decreasing trend, but they're substantially less destructive now, because elevated CO2 levels make plants more water-efficient and drought-resilient.

@ncdave4life - โœ๏ธ ๐Ÿ‡บ๐Ÿ‡ธ ๐Ÿ‡บ๐Ÿ‡ฆ Dave Burton

@rcbregman 17/ Also, elevated CO2 makes plants more water-efficient & drought-resilient, by improving CO2 stomatal conductance relative to transpiration. That's long-settled science among agronomists (though most climate scientists are apparently unfamiliar with it).

@ncdave4life - โœ๏ธ ๐Ÿ‡บ๐Ÿ‡ธ ๐Ÿ‡บ๐Ÿ‡ฆ Dave Burton

@DaveRheaume @CO2Coalition 11/25. Strong tornadoes have decreased markedly (though nobody is sure why). https://sealevel.info/learnmore.html?0=tornadoes#tornadoes https://sealevel.info/learnmore.html?0=tornadoes#tornadoes

Learn More About Climate Change - resources sealevel.info
Learn More About Climate Change - resources sealevel.info

@ncdave4life - โœ๏ธ ๐Ÿ‡บ๐Ÿ‡ธ ๐Ÿ‡บ๐Ÿ‡ฆ Dave Burton

12/25 ๐ŸŽœ ๐ŸŽ Do you see what I see? โ™ช โ™ฌ โ™ฉ A line, a line, running through the years A linear rise of the sea โ™ช ๐ŸŸข ๐Ÿ”ด ๐ŸŸข ๐Ÿ”ด ๐ŸŸข ๐Ÿ”ด๐ŸŸข ๐Ÿ”ด ๐ŸŸข ๐Ÿ”ด ๐ŸŸข ๐Ÿ”ด The tide gauge at Harlingen has a continuous sea-level measurement record all the way back to 1865. If it looks worrisome to you, counseling might help.

@ncdave4life - โœ๏ธ ๐Ÿ‡บ๐Ÿ‡ธ ๐Ÿ‡บ๐Ÿ‡ฆ Dave Burton

@CornelWest 10/26ใ€‹Contrary to climate industry propaganda, none of the supposed major harms of carbon emissions are actually happening. They are all merely hypothetical, and mostly implausible. Sea-level trends have been virtually unchanged for 90+ years. https://sealevel.info/learnmore.html?0=sealevel#sealevelโ€ฆ

Learn More About Climate Change - resources sealevel.info

@ncdave4life - โœ๏ธ ๐Ÿ‡บ๐Ÿ‡ธ ๐Ÿ‡บ๐Ÿ‡ฆ Dave Burton

13/25. I also have many resources about CO2 and climate change here: https://sealevel.info/learnmore.html?0=benefits#benefits This resource list has: โ— accurate intro climatology info โ— in-depth science from BOTH skeptics & alarmists โ— links to balanced debates between experts on BOTH sides โ— info about climate impacts โ— links to the best blogs on BOTH sides

Learn More About Climate Change - resources sealevel.info

@ncdave4life - โœ๏ธ ๐Ÿ‡บ๐Ÿ‡ธ ๐Ÿ‡บ๐Ÿ‡ฆ Dave Burton

@DaveRheaume @CO2Coalition 14/25. Since the Little Ice Age, the Earth is generally estimated to have warmed by a grand total of 1.0 to 1.3ยฐC, on average. (Nobody really knows.) NCA4 and the WMO estimate 1.02 to 1.27 ยฐC. https://public.wmo.int/en/media/press-release/eight-warmest-years-record-witness-upsurge-climate-change-impacts#:~:text=The%2010%2Dyear%20average%20for%20the%20period%202013%2D2022%20is%20estimated%20to%20be%201.14%20%5B1.02%20to%201.27%5D%C2%A0%C2%B0C%20above%20the%201850%2D1900%20pre%2Dindustrial%20baseline

Eight warmest years on record witness upsurge in climate change impacts The past eight years are on track to be the eight warmest on record, fuelled by ever-rising greenhouse gas concentrations and accumulated heat. Extreme heatwaves, drought and devastating flooding have affected millions and cost billions this year, according to the World Meteorological Organizationโ€™s provisional State of the Global Climate in 2022 report. public.wmo.int

@ncdave4life - โœ๏ธ ๐Ÿ‡บ๐Ÿ‡ธ ๐Ÿ‡บ๐Ÿ‡ฆ Dave Burton

@DaveRheaume @CO2Coalition 15/25. That's a little less than the hysteresis (a/k/a "dead band" or "dead zone") in a typical home thermostat, which is the amount that your indoorโ€‰ temperatures go up and down, all day long, without you even noticing it. https://sealevel.info/learnmore.html?0=temperature#temperature https://sealevel.info/learnmore.html?0=temperature#temperature

Learn More About Climate Change - resources sealevel.info
Learn More About Climate Change - resources sealevel.info

@ncdave4life - โœ๏ธ ๐Ÿ‡บ๐Ÿ‡ธ ๐Ÿ‡บ๐Ÿ‡ฆ Dave Burton

@DaveRheaume @CO2Coalition 16/25. 1ยฐC is the temperature change you get from an elevation change of about 500 feet (calculated from an average tropospheric lapse rate of 6.5ยฐC/km). https://sealevel.info/VerticalStructureOfAtmosphere_Updated2Nov2021_Waikato_NZ_1528x800_67pct_lapse_rate_emphasized.png

@ncdave4life - โœ๏ธ ๐Ÿ‡บ๐Ÿ‡ธ ๐Ÿ‡บ๐Ÿ‡ฆ Dave Burton

@DaveRheaume @CO2Coalition 17/25. At mid-latitudes, 1ยฐC is about the temperature change you get from a latitude change of around 60 miles. https://sealevel.info/2015_zones_highres.png

@ncdave4life - โœ๏ธ ๐Ÿ‡บ๐Ÿ‡ธ ๐Ÿ‡บ๐Ÿ‡ฆ Dave Burton

@DaveRheaume @CO2Coalition 18/25. In the American Midwest, farmers can fully compensate for a 1ยฐC temperature change by adjusting planting dates by about six days.

@ncdave4life - โœ๏ธ ๐Ÿ‡บ๐Ÿ‡ธ ๐Ÿ‡บ๐Ÿ‡ฆ Dave Burton

@DaveRheaume @CO2Coalition 19/25. Do you recognize how crazy it is for the climate industry to pretend that such a tiny temperature change is an "emergency?"

@ncdave4life - โœ๏ธ ๐Ÿ‡บ๐Ÿ‡ธ ๐Ÿ‡บ๐Ÿ‡ฆ Dave Burton

To learn about #ClimateChange see: https://www.sealevel.info/learnmore.html It has: โ— accurate intro climatology info โ— in-depth science from BOTH skeptics & alarmists โ— links to balanced debates between experts on BOTH sides โ— info about climate impacts โ— links to best blogs on BOTH sides

Learn More About Climate Change - resources sealevel.info

@ncdave4life - โœ๏ธ ๐Ÿ‡บ๐Ÿ‡ธ ๐Ÿ‡บ๐Ÿ‡ฆ Dave Burton

20/25. Actually, that's not what they pretend. They pretend less than half of that is a dire threat! What they call "1.5ยฐC warming" is actually just 0.35ยฐC warmer than present. That's because their baseline is an estimate of late Little Ice Age "pre-industrial" average temperature.

@ncdave4life - โœ๏ธ ๐Ÿ‡บ๐Ÿ‡ธ ๐Ÿ‡บ๐Ÿ‡ฆ Dave Burton

@DaveRheaume @CO2Coalition 21/25. They obviously do that to reduce the sniggering which would result if they called a prospective temperature change of 0.35ยฐC an "emergency."

@ncdave4life - โœ๏ธ ๐Ÿ‡บ๐Ÿ‡ธ ๐Ÿ‡บ๐Ÿ‡ฆ Dave Burton

@DaveRheaume @CO2Coalition 22/25. There's a broad consensus among historians and scientists that the Little Ice Age climate was worseโ€‰ than our current, warmer climate. Nevertheless, that neo-boreal (cold) climate is what the "net zero" campaigners are trying to return us to. https://sealevel.info/CIA1974ClimateReport2/

@ncdave4life - โœ๏ธ ๐Ÿ‡บ๐Ÿ‡ธ ๐Ÿ‡บ๐Ÿ‡ฆ Dave Burton

@DaveRheaume @CO2Coalition 23/25. Many climate activists seem to be meeting some sort of irrational emotional need to find something to be alarmed about.

@ncdave4life - โœ๏ธ ๐Ÿ‡บ๐Ÿ‡ธ ๐Ÿ‡บ๐Ÿ‡ฆ Dave Burton

1/12ใ€‹Many climate activists just PRETEND to be worried about #ClimateChange. They LIKE being alarmed. The proof is in their reactions. When a "worse than we thought" story hits the press, they're gleeful. But when you show them good news, they're angry. https://sealevel.info/learnmore.html?0=greening#greening

Learn More About Climate Change - resources sealevel.info

@ncdave4life - โœ๏ธ ๐Ÿ‡บ๐Ÿ‡ธ ๐Ÿ‡บ๐Ÿ‡ฆ Dave Burton

@DaveRheaume @CO2Coalition 24/25. But it's clear that most of the people who write the checks for the "climate emergency" propaganda campaign don't really care about the global temperature. They're just selling products. Example: https://www.theguardian.com/environment/2014/jun/19/russia-secretly-working-with-environmentalists-to-oppose-fracking https://www.theguardian.com/environment/2014/jun/19/russia-secretly-working-with-environmentalists-to-oppose-fracking

Russia 'secretly working with environmentalists to oppose fracking' Nato chief, Anders Fogh Rasmussen, says Moscow mounting disinformation campaign to maintain reliance on Russian gas theguardian.com
Russia 'secretly working with environmentalists to oppose fracking' Nato chief, Anders Fogh Rasmussen, says Moscow mounting disinformation campaign to maintain reliance on Russian gas theguardian.com

@ncdave4life - โœ๏ธ ๐Ÿ‡บ๐Ÿ‡ธ ๐Ÿ‡บ๐Ÿ‡ฆ Dave Burton

25/25. That's why they aren't worried about China's & India's massive coal power plant buildout. It's all about the Benjamins, baby.

@ncdave4life - โœ๏ธ ๐Ÿ‡บ๐Ÿ‡ธ ๐Ÿ‡บ๐Ÿ‡ฆ Dave Burton

@DaveRheaume @CO2Coalition Compilation: https://twitter-thread.com/t/1718335013471588510 @ThreadReaderApp @Rattibha @threaddotblue unroll @reSeeIt save thread

1/25. The leading organization promoting the Climate Industry's "climate emergency" PR campaign is the IPCC. It has severe credibility issues. Investigative journalist Donna Laframboise explains some of them in this lecture about the IPCC's 2007 AR4 Report: by @ncdave4life(โœ๏ธ ๐Ÿ‡บ๐Ÿ‡ธ ๐Ÿ‡บ๐Ÿ‡ฆ Dave Burton) 1/25. The leading organization promoting the Climate Industry's "climate emergency" PR campaign is the IPCC. It has severe credibility issues. Investigative journalist Donna Laframboise explains some of them in this lecture about the IPCC's 2007 AR4 Report: https://t.co/yzLmr21eDy (It's 31 minutes but she speaks very clearly, so she's perfectly understandable at 2x speed.) https://t.co/9XziAXtdbN (Caveat: I've been an IPCC Expert Reviewer on a couple of their assessment reports.) twitter-thread.com
Saved - October 26, 2023 at 10:31 PM
reSee.it AI Summary
Climate activists prioritize addressing the crisis, not just emissions. The $1.5 trillion/year invested in this cause is significant. Amplifying support for funding is crucial, as the climate industry requires substantial propaganda. China's CO2 emissions aren't their primary concern. #ClimateCrisis #ClimateActivism

@ncdave4life - โœ๏ธ ๐Ÿ‡บ๐Ÿ‡ธ ๐Ÿ‡บ๐Ÿ‡ฆ Dave Burton

The reason climate activists aren't worried about China's CO2 emissions is that they aren't really worried much about emissions. They're mainly worried about keeping Piggy fed. They don't call it a crisis "for nothing." $1.5 trillion/year ain't "nothing." It's all about the Benjamins. They call it a crisis to amp up support for feeding Piggy. The parasitic climate industry needs a LOT of propaganda to prop it up.

Saved - October 26, 2023 at 8:40 PM
reSee.it AI Summary
Climate change does not make hurricanes, tornadoes, wildfires, or droughts worse. Sea-level trends are not significantly affected. Temperatures are slightly milder but not unprecedented. Past natural warming events were more rapid. CO2 emissions have positive consequences, like greening the Earth and improving food security. Rising CO2 levels benefit regions like the Sahel. Famines are now rare. CO2 fertilization increases crop yields. Balanced information is crucial to understanding climate change.

@ncdave4life - โœ๏ธ ๐Ÿ‡บ๐Ÿ‡ธ ๐Ÿ‡บ๐Ÿ‡ฆ Dave Burton

1/17ใ€‹Climate change is not making hurricanes more destructive. https://sealevel.info/learnmore.html?0=hurricanes#hurricanes

Learn More About Climate Change - resources sealevel.info

@ncdave4life - โœ๏ธ ๐Ÿ‡บ๐Ÿ‡ธ ๐Ÿ‡บ๐Ÿ‡ฆ Dave Burton

2/17ใ€‹Nor is it making tornadoes more destructive. https://sealevel.info/learnmore.html?0=tornadoes#tornadoes

Learn More About Climate Change - resources sealevel.info

@ncdave4life - โœ๏ธ ๐Ÿ‡บ๐Ÿ‡ธ ๐Ÿ‡บ๐Ÿ‡ฆ Dave Burton

3/17ใ€‹Nor is it making wildfires worse. https://sealevel.info/learnmore.html?0=fires#fires

Learn More About Climate Change - resources sealevel.info

@ncdave4life - โœ๏ธ ๐Ÿ‡บ๐Ÿ‡ธ ๐Ÿ‡บ๐Ÿ‡ฆ Dave Burton

4/17ใ€‹Nor is it making droughts worse. https://sealevel.info/learnmore.html?0=droughts#droughts

Learn More About Climate Change - resources sealevel.info

@ncdave4life - โœ๏ธ ๐Ÿ‡บ๐Ÿ‡ธ ๐Ÿ‡บ๐Ÿ‡ฆ Dave Burton

5/17ใ€‹Nor is it significantly affecting sea-level trends. https://sealevel.info/learnmore.html

Learn More About Climate Change - resources sealevel.info

@ncdave4life - โœ๏ธ ๐Ÿ‡บ๐Ÿ‡ธ ๐Ÿ‡บ๐Ÿ‡ฆ Dave Burton

6/17ใ€‹Temperatures are slightly milder than they were a century ago, but they are nowhere near unprecedented. https://sealevel.info/learnmore.html?0=temperatures#temperatures

Learn More About Climate Change - resources sealevel.info

@ncdave4life - โœ๏ธ ๐Ÿ‡บ๐Ÿ‡ธ ๐Ÿ‡บ๐Ÿ‡ฆ Dave Burton

7/17ใ€‹Recent warming is very slow & slight compared to past natural warming events, such as Dansgaard-Oeschger terminations. Ice cores record dozens of them in the last 100K years. https://sealevel.info/learnmore.html?0=d-o#d-o D-O terminations warmed at rates of up to several degrees/decade (>10ร— recent rates of warming), in the NH. Fortunately, even those large, abrupt temperature changes apparently didn't cause mass extinctions.

Learn More About Climate Change - resources sealevel.info

@ncdave4life - โœ๏ธ ๐Ÿ‡บ๐Ÿ‡ธ ๐Ÿ‡บ๐Ÿ‡ฆ Dave Burton

8/17ใ€‹The main consequences of CO2 emissions and climate change have been very positive, like a greening Earth: https://www.nasa.gov/technology/carbon-dioxide-fertilization-greening-earth-study-finds/ https://sealevel.info/greening_earth_spatial_patterns_Myneni.html This is NASA's video about it: https://www.youtube.com/watch?v=zOwHT8yS1XI

Carbon Dioxide Fertilization Greening Earth, Study Finds - NASA From a quarter to half of Earthโ€™s vegetated lands has shown significant greening over the last 35 years largely due to rising levels of atmospheric carbon nasa.gov
Video Not Available youtube.com

@ncdave4life - โœ๏ธ ๐Ÿ‡บ๐Ÿ‡ธ ๐Ÿ‡บ๐Ÿ‡ฆ Dave Burton

9/17ใ€‹The Sahel (southern Sahara) is benefiting tremendously from rising CO2 levels. https://www.sealevel.info/Pearce2002_Africans_go_back_to_the_land_as_plants_reclaim_the_desert-New_Scientist.html @NewScientist reported the "remarkable environmental turnaround," including a โ€œquite spectacular regeneration of vegetation,โ€ and "70% increase in yields of local cereals such as sorghum and millet in one province in recent years."

@ncdave4life - โœ๏ธ ๐Ÿ‡บ๐Ÿ‡ธ ๐Ÿ‡บ๐Ÿ‡ฆ Dave Burton

10/17ใ€‹In 2009 @NatGeo reported, "Vast swaths of North Africa are getting noticeably lusher due to warming temperatures, new satellite images show, suggesting a possible boon for people living in the driest part of the continent." https://sealevel.info/Owen2009_Sahara_Desert_Greening-NatGeo30639457.html

@ncdave4life - โœ๏ธ ๐Ÿ‡บ๐Ÿ‡ธ ๐Ÿ‡บ๐Ÿ‡ฆ Dave Burton

@newscientist @NatGeo 11/17ใ€‹Rising CO2 levels greatly improve global food security, by increasing crop yields, through "CO2 fertilization," and through improved water use efficiency and drought resilience. That's helping make famines rare for the first time in history. https://sealevel.info/learnmore.html?0=benefits#benefits

Learn More About Climate Change - resources sealevel.info

@ncdave4life - โœ๏ธ ๐Ÿ‡บ๐Ÿ‡ธ ๐Ÿ‡บ๐Ÿ‡ฆ Dave Burton

@newscientist @NatGeo 12/17ใ€‹Throughout human history, until the late 20th century, famine was a Damoclean sword hanging over mankind: the "Third Horseman of the Apocalypse." If you're too young to remember catastrophic drought-triggered famines, count yourself blessed. https://sealevel.info/learnmore.html?0=madrasfamine#famine

Learn More About Climate Change - resources sealevel.info

@ncdave4life - โœ๏ธ ๐Ÿ‡บ๐Ÿ‡ธ ๐Ÿ‡บ๐Ÿ‡ฆ Dave Burton

@newscientist @NatGeo 13/17ใ€‹To put it in perspective: โ— Covid-19 killed 0.1% of world population. โ— 1918 flu killed about 2%. โ— WWII killed 2.7%. โ— The near-global drought and famine of 1876-78 killed about 3.7% of the world population. https://journals.ametsoc.org/view/journals/clim/31/23/jcli-d-18-0159.1.xml

Climate and the Global Famine of 1876โ€“78 Abstract From 1875 to 1878, concurrent multiyear droughts in Asia, Brazil, and Africa, referred to as the Great Drought, caused widespread crop failures, catalyzing the so-called Global Famine, which had fatalities exceeding 50 million people and long-lasting societal consequences. Observations, paleoclimate reconstructions, and climate model simulations are used 1) to demonstrate the severity and characterize the evolution of drought across different regions, and 2) to investigate the underlying mechanisms driving its multiyear persistence. Severe or record-setting droughts occurred on continents in both hemispheres and in multiple seasons, with the โ€œMonsoon Asiaโ€ region being the hardest hit, experiencing the single most intense and the second most expansive drought in the last 800 years. The extreme severity, duration, and extent of this global event is associated with an extraordinary combination of preceding cool tropical Pacific conditions (1870โ€“76), a record-breaking El Niรฑo (1877โ€“78), a record strong Indian Ocean dipole (1877), and record warm North Atlantic Ocean (1878) conditions. Composites of historical analogs and two sets of ensemble simulationsโ€”one forced with global sea surface temperatures (SSTs) and another forced with tropical Pacific SSTsโ€”were used to distinguish the role of the extreme conditions in different ocean basins. While the drought in most regions was largely driven by the tropical Pacific SST conditions, an extreme positive phase of the Indian Ocean dipole and warm North Atlantic SSTs, both likely aided by the strong El Niรฑo in 1877โ€“78, intensified and prolonged droughts in Australia and Brazil, respectively, and extended the impact to northern and southeastern Africa. Climatic conditions that caused the Great Drought and Global Famine arose from natural variability, and their recurrence, with hydrological impacts intensified by global warming, could again potentially undermine global food security. journals.ametsoc.org

@ncdave4life - โœ๏ธ ๐Ÿ‡บ๐Ÿ‡ธ ๐Ÿ‡บ๐Ÿ‡ฆ Dave Burton

@newscientist @NatGeo 14/17ใ€‹Here are some more papers documenting the major beneficial effects of CO2 emissions. https://sealevel.info/negative_social_cost_of_carbon.html

Social cost of carbon is negative - scientific papers sealevel.info

@ncdave4life - โœ๏ธ ๐Ÿ‡บ๐Ÿ‡ธ ๐Ÿ‡บ๐Ÿ‡ฆ Dave Burton

@newscientist @NatGeo 15/17ใ€‹The CO2 Coalition has many great resources for learning the facts about CO2 and climate change: https://co2coalition.org/

Home - CO2 Coalition co2coalition.org

@ncdave4life - โœ๏ธ ๐Ÿ‡บ๐Ÿ‡ธ ๐Ÿ‡บ๐Ÿ‡ฆ Dave Burton

@newscientist @NatGeo 16/17ใ€‹Many top scientists are members of the CO2 Coalition, where they volunteer their time for free, in support of sound science.

@GWrightstone - Gregory Wrightstone

CO2 Coalition Announces Election of Nobel Laureate Dr. John Clauser to its Board of Directors. According to Clauser: "In my opinion, there is no real climate crisis" @JunkScience @EcoSenseNow @gwtomb @VijayJayaraj_CC

@ncdave4life - โœ๏ธ ๐Ÿ‡บ๐Ÿ‡ธ ๐Ÿ‡บ๐Ÿ‡ฆ Dave Burton

17/17ใ€‹To understand #ClimateChange (or any other politicized or contentious topic), you need balanced information. I'm here to help: https://sealevel.info/learnmore.html This resource list has: โ— accurate intro climatology info โ— in-depth science from BOTH skeptics & alarmists โ— links to balanced debates between experts on BOTH sides โ— info about climate impacts โ— links to the best blogs on BOTH sides

Learn More About Climate Change - resources sealevel.info

@ncdave4life - โœ๏ธ ๐Ÿ‡บ๐Ÿ‡ธ ๐Ÿ‡บ๐Ÿ‡ฆ Dave Burton

@newscientist @NatGeo Compilation: https://twitter-thread.com/t/1717641317214204301 @ThreadReaderApp @Rattibha @threaddotblue unroll @reSeeIt save thread

1/17ใ€‹Climate change is not making hurricanes more destructive. by @ncdave4life(โœ๏ธ ๐Ÿ‡บ๐Ÿ‡ธ ๐Ÿ‡บ๐Ÿ‡ฆ Dave Burton) 1/17ใ€‹Climate change is not making hurricanes more destructive. https://t.co/iV6w914gVc https://t.co/o9Ux2pU3am twitter-thread.com
Saved - September 3, 2023 at 1:23 AM
reSee.it AI Summary
Wind and solar energy are often touted as cheaper alternatives to fossil fuels, but this is misleading. While their prices may be low, their unreliability leads to spikes in electricity costs. Dependence on renewables also worsens grid reliability without providing any significant environmental benefits. The truth is, the climate crisis is exaggerated, and CO2 emissions are more beneficial than harmful. To gain a balanced perspective, visit sealevelinfo.com for accurate climatology information and debates from experts on both sides.

@ncdave4life - โœ๏ธ ๐Ÿ‡บ๐Ÿ‡ธ ๐Ÿ‡บ๐Ÿ‡ฆ Dave Burton

The claim that wind and solar energy are less expensive than electricity from dispatchable sources like fossil fuels is false. It's a product of either economic illiteracy or deliberate deception by the renewable energy marketers, because it confuses price with total cost. You've probably heard the old saying that there's nothing more expensive than a free puppy, except a free boat. Wind and solar energy are like that: it's not their price which makes them costly. The reason average wind and solar electricity prices are low is they tend to produce power when it is not needed. Power produced when it isn't needed fetches low prices. But it's the converse which is the big problem with wind and solar: they very often do not produce power when it is needed. That unreliability causes enormous spikes in electricity prices. During those price spikes most of the electricity being produced is generated by fossil fuels and nuclear plants. Wind and solar apologists pretend that means electricity from fossil fuels and nuclear plants is expensive. But the real reason for the high prices is replacement of reliable fossil fuel and nuclear plants with unreliable wind and solar. Exorbitant electricity prices are an inevitable cost of reliance on wind and solar for electricity. Fossil fuel and nuclear powered electricity generation is said to be "dispatchable," because their electricity production can be ramped up ("dispatched") to meet demand. Wind & solar output cannot be ramped up to meet demand, so increased reliance on wind and solar means increasingly unreliable electricity production. When demand increases and/or the wind dies, reliance on wind and solar causes enormous spikes in the price of electricity โ€” or, in extreme cases, even brownouts and blackouts. The inevitable consequences of increasing reliance on wind and solar "renewables" are rising electricity prices and worsening grid reliability โ€” and absolutely no environmental benefit. That's right: the punch line is that it's all for naught. The rationale for the immensely destructive transition to wind and solar is to "fight climate change." But that's a fool's errand, because the "climate crisis" is a marketing ploy. It's not real, it's just "FUD." The scientific evidence is compelling that manmade climate change is modest and benign, and CO2 emissions are highly beneficial, rather than harmful. Does that surprise you? If so, it means you're not getting balanced information. But I'm here to help: https://sealevel.info/learnmore.html That webpage has: โ— accurate introductory climatology info โ— in-depth science from BOTH skeptics & alarmists โ— links to balanced debates between experts on BOTH sides โ— info about climate impacts โ— links to the best blogs on BOTH sides

@joshreimer55 - Josh Reimer ๐Ÿณ๏ธโ€๐ŸŒˆ

โ€œHowever, this improvement was surpassed by that of solar PV. This renewable power source was 710% more expensive than the cheapest fossil fuel-fired solution in 2010 but cost 29% less than the cheapest fossil fuel-fired solution in 2022โ€ @ABDanielleSmith #abpoli

@mtaylor_nz - Michael S. Taylor

So "Renewable Power Generation Costs in 2022" is out today! This is one of @IRENA s most anticipated reports and is packed full of data. What are my four quick key takeaways? Can you guess? https://www.irena.org/Publications/2023/Aug/Renewable-Power-Generation-Costs-in-2022 #RenewableEnergy #PV #windpower #hydropower #solarpower 1/

Renewable Power Generation Costs in 2022 IRENAโ€™s global renewable power generation costs study shows that the competitiveness of renewables continued to improve despite rising materials and equipment costs in 2022. irena.org
View Full Interactive Feed